|
| |||||||||||
| Confirmação de não vigência : | |||
| Diplomas relacionados : | |||
| Categorias relacionadas : | |||
| Notas em LegisMac | |||
Confirmação de não vigência: Lei n.º 26/2024
Decreto-Lei n.º 20/87/M
de 13 de Abril
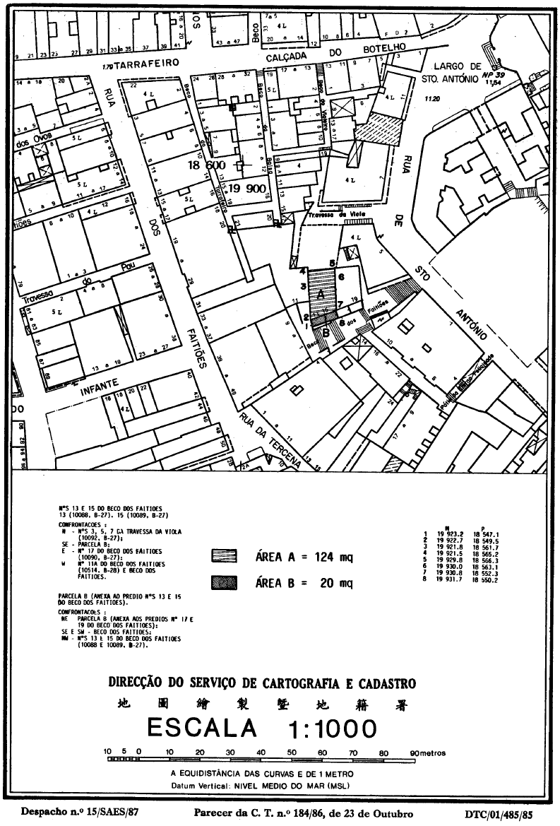
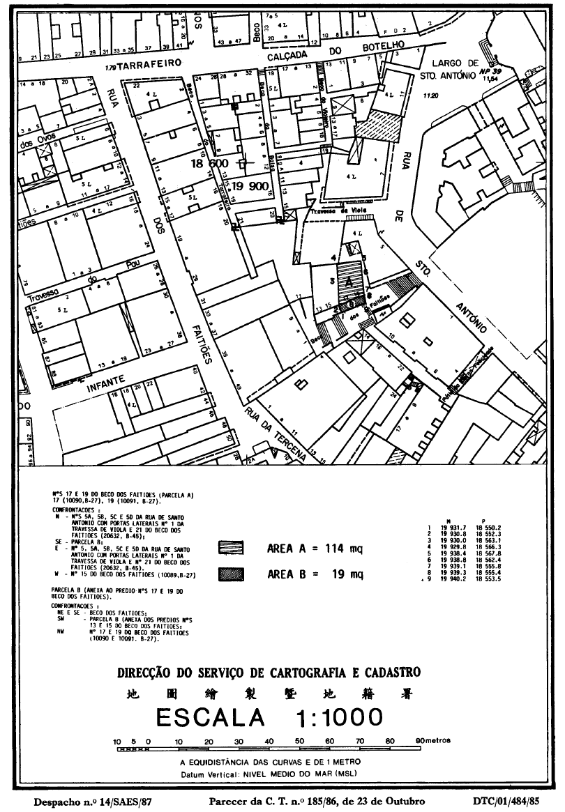
Lei Hou e Tang Iao requereram a S. Ex.ª o Governador a venda da duas parcelas de terreno com as áreas de 20 m2 (vinte metros quadrados) e 19 m2 (dezanove metros quadrados), destinadas a ser anexadas aos prédios n.os 13 e 15 (treze e quinze) e 17 e 19 (dezassete e dezanove), respectivamente, do Beco dos Faitiões.
Os referidos pedidos de venda foram autorizados pelos Despachos n.os 15/SAES/87 e 14/SAES/87, do Ex.mo Senhor Secretário-Adjunto para o Equipamento Social, publicados no Boletim Oficial de Macau n.º 9, de 2 de Março de 1987.
Considerando, todavia, que as parcelas de terreno em causa, integram, por natureza, o domínio público do Território, as vendas foram autorizadas sob condição de se proceder à desafectação daquelas parcelas do domínio público e subsequente integração no domínio privado do Território.
Nestes termos;
Ouvido o Conselho Consultivo;
O Governador de Macau decreta, nos termos do n.º 1 do artigo 13.º do Estatuto Orgânico de Macau, para valer como lei no território de Macau, o seguinte:
Artigo único. São desafectados do domínio público, ao abrigo do disposto no artigo 4.º da Lei n.º 6/80/M, de 5 de Julho, e integrados no domínio privado do Território, como terrenos vagos, os terrenos com as áreas de 20 m2 (vinte metros quadrados) e 19 m2 (dezanove metros quadrados), assinalados, respectivamente, nas plantas DTC/01/485/85, e DTC/01/484/85, emitidas pela Direcção do Serviço de Cartografia e Cadastro, anexas a este diploma e que dele fazem parte integrante.
Aprovado em 9 de Abril de 1987.
Publique-se.
O Governador, Joaquim Pinto Machado.





