| 經適應化處理 : | |||
| 相關法規 : | |||
| 相關類別 : | |||
| 私營機構 : | |||
| 《LegisMac》的法例註釋 | |||
第53/87/M號法令
七月十三日
本法規的詞句已被第26/2024號法律適應化處理。
無線電役權之設定
(澳門廣播電視有限公司之廣播室與松山之間)
第一條
根據十一月七日第597/73號法令之規定,位於俾利喇街之澳門廣播電視有限公司廣播室所設立之無線電中心與松山無線電廣播中心所設立之無線電中心之間相距九百米之電磁波傳送路線之鄰近區域,受無線電役權約束以及受其他公益方面之限制。
第二條
俾利喇街之廣播室及松山無線電廣播中心使用具標高之定向天線,海拔高度分別為二十三米及九十五米且位於下列之座標點:
a) 俾利喇街之廣播室:
| 地理座標點 | 面積測量座標點 | |
| 北緯 | 22.o12'26" | M=21032.6 |
| 東經 | 113.o32'47" | P=19415.5 |
b) 松山無線電廣播中心:
| 地理座標點 | 面積測量座標點 | |
| 北緯 | 22.o11'55" | M=21241.8 |
| 東經 | 113.o32'49" | P=18546.1 |
第三條
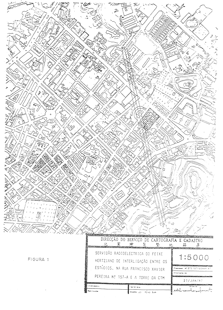
十一月七日第597/73號法令第六條及第十一條所指之無干擾區之寬度為十三米。
該無干擾區為垂直平面且達連接兩個中心之直線段之水平投影之每一邊;該區域在作為本法規附圖一之地形圖之水平面中確定,而地形圖之比例為1:5000。
第四條
在上條所指之無干擾區內,禁止建立或保存樓宇或其他障礙物,而該等樓宇或其他障礙物與連接兩條天線之直線段相距少於(10+0.0051)√d1d2米:d1及d2乃所考慮之點分別與廣播室端點及松山無線電廣播中心端點之距離(以米表示)投影上指之直線段得到。
菲涅耳第一區之橢圓部分及所考慮之天線之間地段之剖面,均根據本法規附圖二以垂直面展示,該圖之比例為1:5000。
第五條
鑑於有關建築計劃已於申請設定本役權之前核准,且已基本竣工,因此以下之樓宇屬上條規定之例外情況:
—-位於美副將大馬路之嘉華閣;
—-位於美副將大馬路與荷蘭園大馬路交界處之栢蕙多層停車場之B2幢。
但是,上述之執行並不惠及該等樓宇之將來修建,但以證實該等修建對有關電磁波傳送之正常運作造成干擾為限。
第六條
郵電局乃下列事宜之有權限實體:
a) 對十一月七日第597/73號法令第二十條第二款之規定所指之干擾性障礙物命令拆毀、移走、縮減體積或廢棄不用,但不影響該法規同條第三款之規定;
b) 監察對關於本役權之法律規定之遵守;
c) 根據十一月七日第597/73號法令第二十四條之規定,對所發現之違法行為科處罰款。
第七條
得對根據上條a項及c項作出之裁定向行政長官提起訴願。





