|
| |||||||||||
| Confirmação de não vigência : | |||
| Diplomas revogados : | |||
| Categorias relacionadas : | |||
| Notas em LegisMac | |||
Confirmação de não vigência: Lei n.º 26/2024
Decreto-Lei n.º 25/91/M
de 15 de Abril
O adequado aproveitamento urbanístico dos quarteirões 17 e 18 da Zona de Aterros do Porto Exterior, bem como a fixação de novos alinhamentos aconselham a anexação conjunta dos terrenos neles situados, de parte da Travessa de D. Afonso Henriques, compreendida entre os mesmos e, ainda, de uma zona limítrofe que faz parte da projectada Avenida de D. Afonso Henriques.
Considerando, todavia, que a parcela global de terreno em causa integra, por natureza, o domínio público do Território (vias públicas) torna-se necessário proceder à respectiva desafectação com subsequente integração no domínio privado do Território, a fim de poder ser concedida nos termos legais.
Com o objectivo acima referido foi publicado, em 25 de Março de 1991, o Decreto-Lei n.º 22/91/M, em cujo texto e planta anexa, todavia, se verificou uma incorrecção quanto à área e identificação da parcela integrante do domínio público, que, pelas razões expostas se pretende desafectar.
Em face da natureza das correcções a introduzir, opta-se pela publicação de novo texto legal, com expressa revogação do texto legal antes indicado.
Nestes termos;
Ouvido o Conselho Consultivo;
O Encarregado do Governo decreta, nos termos do n.º 1 do artigo 13.º do Estatuto Orgânico de Macau, para valer como lei no território de Macau, o seguinte:
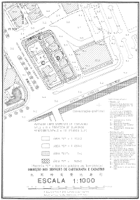
Artigo 1.º É desafectado do domínio público, ao abrigo do disposto no artigo 4.º da Lei n.º 6/80/M, de 5 de Julho, e integrado no domínio privado do Território, como terreno vago, o terreno com a área global de 960 metros quadrados, assinalado com a letra «E» na planta n.º 3 361/90, emitida em 25 de Março de 1991, pela Direcção dos Serviços de Cartografia e Cadastro, anexa a este diploma e que dele faz parte integrante.
Art. 2.º É revogado o Decreto-Lei n.º 22/91/M, de 25 de Março.
Aprovado em 10 de Abril de 1991.
Publique-se.
O Encarregado do Governo, Francisco Luís Murteira Nabo.
———




