| 不生效 : | |||
| 相關法規 : | |||
| 相關類別 : | |||
| 《LegisMac》的法例註釋 | |||
本法規已被 第26/2024號法律 確認為不生效
第2/92/M號法令
一月二十日
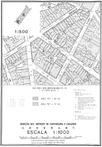
因在墨山街一帶訂定了新準線,故位於該街道三十二號房屋且在澳門物業登記局B字第27冊第30頁編號9991內標示之地段之所有人,申請將一幅與上述地段相連而面積為11平方米之地段售予其本人,以使之與該所有人之地段併合。
鑑於該地段屬公產性質,故有必要將該地段之性質解除,並以無主土地撥歸為本地區之私產,以便按法律規定批出。
解除該性質不會對本地區造成任何損失,而且還可遵守在該區域所訂定之新準線及實現對該地段之利用。
基於此;
經聽取諮詢會意見後;
總督根據《澳門組織章程》第十三條第一款之規定,命令制定在澳門地區具有法律效力之條文如下:
獨一條——根據七月五日第6/80/M號法律第四條之規定,解除總面積為11平方米之地段之公產性質,且視作無主土地撥歸為本地區之私產。該地段在地圖繪製暨地籍司於九一年三月十九日發出之地籍圖內以字母“B”標明,卷宗編號為“2936/90”,而有關地籍圖附於本法規並成為其組成部份。
一九九二年一月九日通過。
命令公佈
總督 韋奇立




