| 不生效 : | |||
| 相關法規 : | |||
| 相關類別 : | |||
| 《LegisMac》的法例註釋 | |||
本法規已被 第26/2024號法律 確認為不生效
第31/92/M號法令
六月二十九日
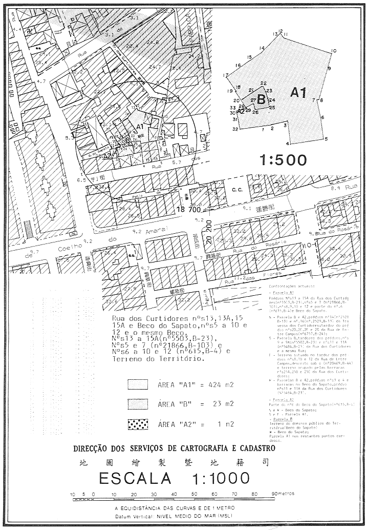
由於欲整體利用兩幅位於鞋里(儒履圍)及涼水街之房地產。該等房地產在澳門物業登記局以B字第23冊第27頁背面編號5503及B字第4冊第3頁背面編號615標示,所以上述房地產之所有人申請購買面積23m2所有權屬本地區之地段,旨在將該地段併合於鄰接其為所有人之房地產。該地段在地圖繪製暨地籍司於一九九一年七月三日發出之第2943/90號地籍圖內以字母「B」識別。
此項出售顯然對本地區有利,由於該地段現時用作通往在該處興建之樓宇,一俟樓宇建成後,將毋須通過該地段到達該新樓宇,而該地段連同上述房地產一併利用將可阻止該處變成不合乎衛生及難以打理之地方。
鑑於該地段屬公產性質,故有必要將該地段之性質解除,並以無主土地撥歸本地區之私產。
基於此;
經聽取諮詢會意見後;
總督根據《澳門組織章程》第十三條第一款之規定,命令制定在澳門地區具有法律效力之條文如下:
獨一條——根據七月五日第6/80/M號法律第四條之規定解除面積23m2之地段之公產性質,且視作無主土地撥歸為本地區之私產。該地段在地圖繪製暨地籍司於一九九一年七月三日發出之第2943/90號地籍圖內以字母「B」標明,而有關地籍圖附於本法規並成為其組成部分。
一九九二年六月十八日通過
命令公布
總督 韋奇立




