|
| |||||||||||
| Confirmação de não vigência : | |||
| Diplomas relacionados : | |||
| Categorias relacionadas : | |||
| Notas em LegisMac | |||
Confirmação de não vigência: Lei n.º 26/2024
Decreto-Lei n.º 74/88/M
de 15 de Agosto
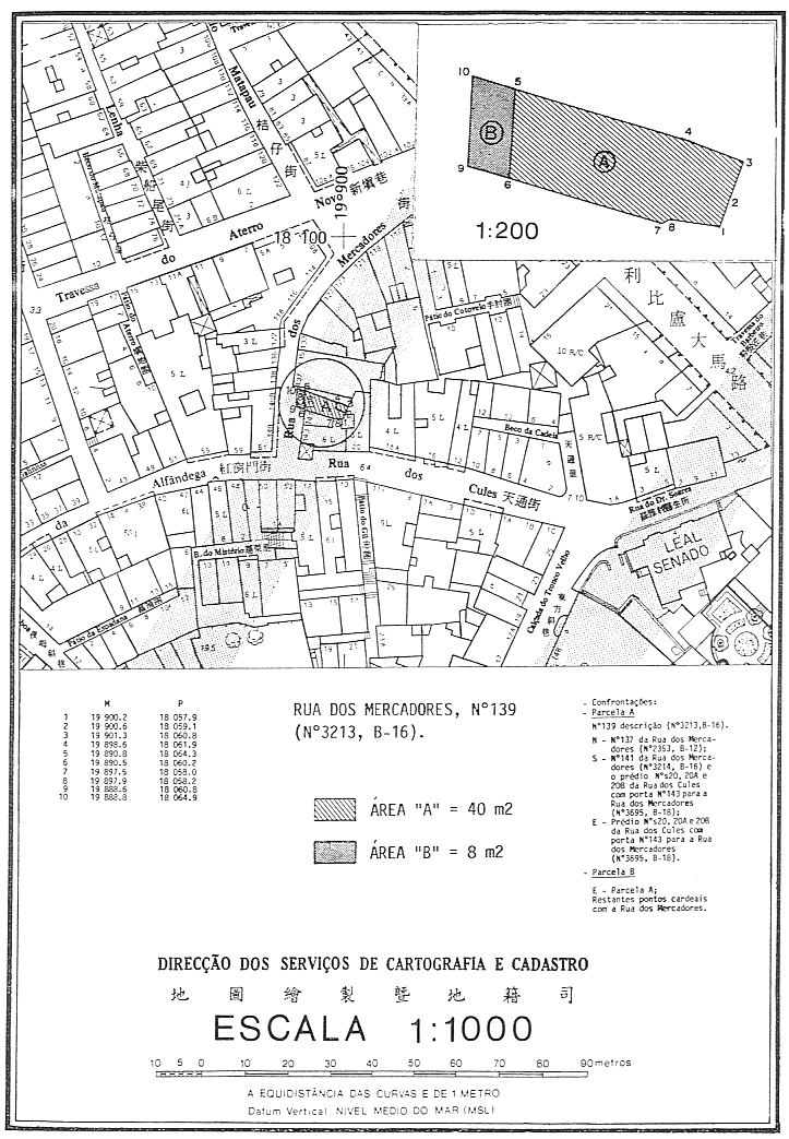
Em virtude de novos alinhamentos fixados para a Rua dos Mercadores, o concessionário do terreno onde se encontra implantado o prédio n.º 139, da referida rua, requereu a concessão, por aforamento, de uma parcela de terreno com a área de 8 m2, a fim de ser anexada ao respectivo prédio.
Considerando, todavia, que a parcela em causa integra, por natureza, o domínio público do Território, torna-se necessário proceder à sua desafectação do domínio público e subsequente integração no domínio privado do Território.
Nestes termos;
Ouvido o Conselho Consultivo;
O Governador de Macau decreta, nos termos do n.º 1 do artigo 13.º do Estatuto Orgânico de Macau, promulgado pela Lei Constitucional n.º 1/76, de 17 de Fevereiro, para valer como lei no território de Macau, o seguinte:
Artigo único. É desafectado do domínio público, ao abrigo do disposto no artigo 4.º da Lei n.º 6/80/M, de 5 de Julho, e integrado no domínio privado do Território, como terreno vago, o terreno com a área de 8 m2, assinalado na planta DTC/01/30-A/87, com a letra «B», emitida pela Direcção dos Serviços de Cartografia e Cadastro, anexa a este diploma e que dele faz parte integrante.
Aprovado em 10 de Agosto de 1988.
Publique-se.
O Governador, Carlos Montez Melancia.




