法規:

第32/87/M號法令

公報編號:

22/1987

刊登日期:

1987.6.1

版數:

1473

  • 將俾利喇巷附近未命名地段一部分脫離公權。
不生效 :
  • 第26/2024號法律 - 一九七六年至一九九三年公佈的若干法律及法令的適應化及整合。
  •  
    相關法規 :
  • 第6/80/M號法律 - 核准土地法--與本法律之規定有抵觸之一般性及特定法律概予撤銷。
  •  
    相關類別 :
  • 土地委員會 - 土地工務局 -
  •  
    《LegisMac》的法例註釋

    《公報》原始 PDF 版本

    本法規已被 第26/2024號法律 確認為不生效

    第32/87/M號法令

    六月一日

    【本文為非正式公佈文本,在此僅供參考。】(法務局提供)

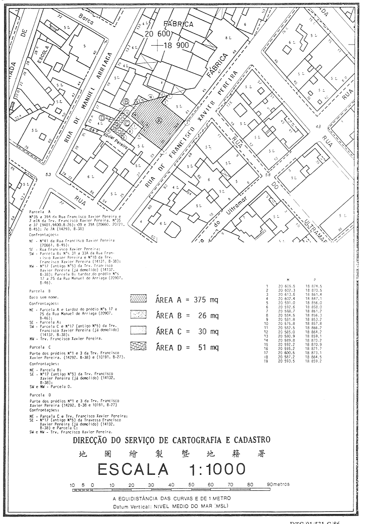
    獨一條——根據七月五日第6/80/M號法律第四條的規定,解除一幅面積為26平方米的土地的公產性質,並將之視作無主土地撥歸為本地區的私產。該土地在地圖繪製暨地籍司所發出的第DTC/01/531-C/86號地籍圖內標明,有關地籍圖附於本法規並作為其組成部分。

    ———

     

       

    請使用Adobe Reader 7.0或以上閱讀PDF版本檔案。
    Get Adobe Reader