|
| |||||||||||
| Diplomas relacionados : | |||
| Categorias relacionadas : | |||
| Notas em LegisMac | |||
Portaria n.º 89/89/M
de 31 de Maio
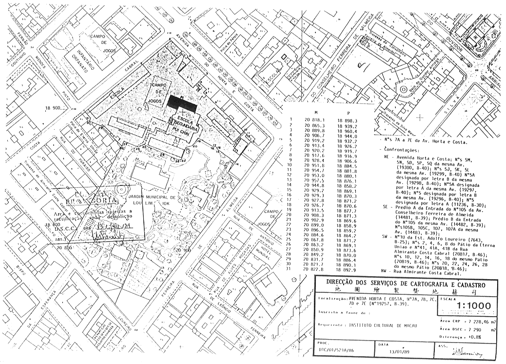
Artigo 1.º O elemento anexo ao Palacete Lou Lim Ioc, assinalado com a letra A na planta anexa, emitida pela Direcção dos Serviços de Cartografia e Cadastro com o n.º DTC/01/521-A/86, é desclassificado, para todos os efeitos previstos na lei, designadamente no Decreto-Lei n.º 56/84/M, de 30 de Junho.
Art. 2.º Deverá ser restituída a fachada original do Palacete.
Governo de Macau, aos 25 de Maio de 1989.
Publique-se.




