|
| |||||||||||
| Revogado por : | |||
| Diplomas relacionados : | |||
| Categorias relacionadas : | |||
| Notas em LegisMac | |||
Este diploma foi revogado por: Lei n.º 26/2024
Decreto-Lei n.º 4/92/M
de 20 de Janeiro
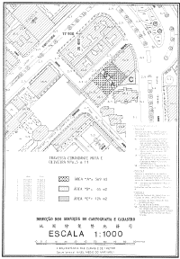
O adequado aproveitamento urbanístico definido para a zona onde se situa a Travessa do Comandante Mata e Oliveira aconselha a utilização conjunta dos terrenos nela situados, onde se encontram implantados os edifícios com os n.os 5 a 11 daquela Travessa.
Considerando, todavia, a existência de uma parcela de terreno com a área de 44 metros quadrados que constitui a via de acesso aos prédios n.os 7 e 9 e que integra, por natureza, o domínio público do Território, torna-se necessário proceder à respectiva desafectação, com subsequente integração no domínio privado do Território, como terreno vago, a fim de poder ser concedida nos termos legais.
Desta desafectação não resulta qualquer prejuízo para o Território, uma vez que a mesma apenas servia os dois prédios supra-referidos, com os n.os 7 e 9, situação que sob o ponto de vista urbanístico deixa de ser justificável em face do aproveitamento conjunto dos terrenos acima referidos.
Nestes termos;
Ouvido o Conselho Consultivo;
O Governador decreta, nos termos do n.º 1 do artigo 13.º do Estatuto Orgânico de Macau, para valer como lei no território de Macau, o seguinte:
Artigo único. É desafectada do domínio público, ao abrigo do disposto no artigo 4.º da Lei n.º 6/80/M, de 5 de Julho, e integrada no domínio privado do Território, como terreno vago, a parcela de terreno com a área global de 44 metros quadrados, assinalada com a letra «B» na planta emitida pela Direcção dos Serviços de Cartografia e Cadastro, em 12 de Setembro de 1990, e referenciada como «Processo n.º 2 944/91», anexa a este diploma e que dele faz parte integrante.
Aprovado em 13 de Janeiro de 1992.
Publique-se.
O Governador, Vasco Rocha Vieira.




