|
| |||||||||||
| 不生效 : | |||
| 相關法規 : | |||
| 相關類別 : | |||
| 《LegisMac》的法例註釋 | |||
本法規已被 第26/2024號法律 確認為不生效
第47/92/M號法令
八月十日
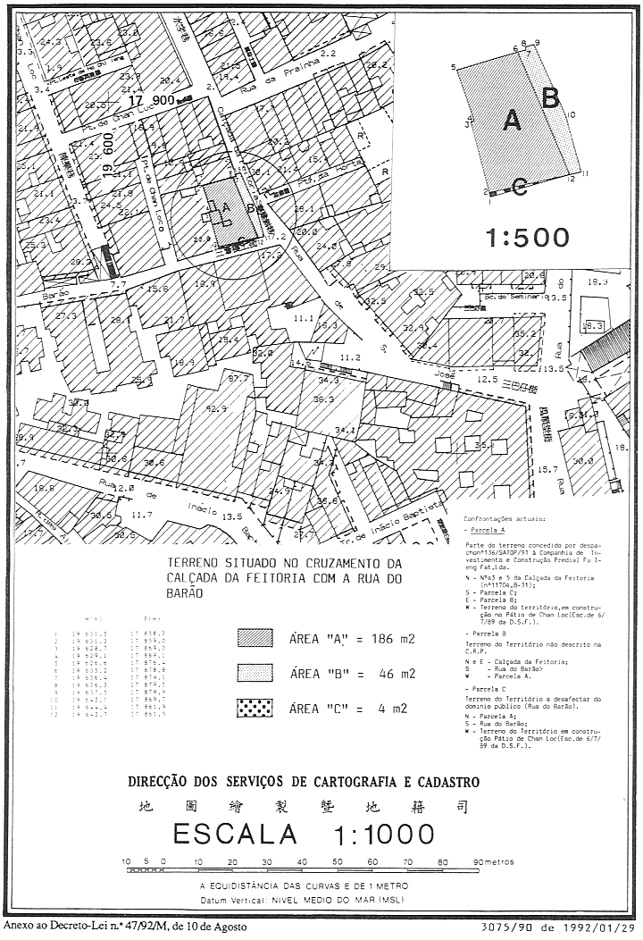
鑑於在三層樓上街及樂建斜巷一帶定出新準線,有需要將位於上述兩條街道交界處之一幅面積186m2之土地,與位於三層樓上街並與該土地連接之另一幅面積4m2之地段併合。
鑑於該地段屬公產,故有必要解除其公產性質,並隨即以無主土地歸併為本地區之私產,以便依法批出。
基於此;
經聽取諮詢會意見後;
總督根據《澳門組織章程》第十三條第一款之規定,命令制定在澳門地區具有法律效力之條文如下:
獨一條——根據七月五日第6/80/M號法律第四條之規定,解除總面積四平方米之地段之公產性質,且視作無主土地歸併為本地區之私產。該地段在地圖繪製暨地籍司於一九九二年一月二十九日所發出之第3075/90號地籍圖內以字母“C”標明,而有關地籍圖附於本法規並成為其組成部分。
一九九二年八月六日通過
命令公佈
總督 韋奇立




