|
| |||||||||||
| Confirmação de não vigência : | |||
| Diplomas relacionados : | |||
| Categorias relacionadas : | |||
| Notas em LegisMac | |||
Confirmação de não vigência: Lei n.º 27/2024
Decreto-Lei n.º 1/94/M
de 3 de Janeiro
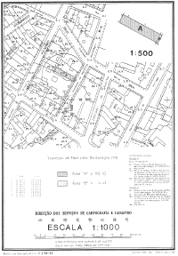
O adequado aproveitamento urbanístico definido para a Travessa de Martinho Montenegro, n.º 8, aconselha a anexação da parcela com a área de 4 (quatro) metros quadrados ao terreno assinalado com a letra "A" na planta n.º 3 039/90, emitida em 30 de Julho de 1993, pela Direcção dos Serviços de Cartografia e Cadastro, de forma a permitir o acerto da fachada dos edifícios daquela rua.
Considerando, todavia, que a parcela de terreno em causa integra, por natureza, o domínio público, torna-se necessário proceder à respectiva desafectação e subsequente integração no domínio privado do Território, como terreno vago.
Nestes termos;
Ouvido o Conselho Consultivo;
O Governador decreta, nos termos do n.º 1 do artigo 13.º do Estatuto Orgânico de Macau, para valer como lei no território de Macau, o seguinte:
Artigo único. É desafectada do domínio público, ao abrigo do disposto no artigo 4.º da Lei n.º 6/80/M, de 5 de Julho, e integrada no domínio privado do Território, como terreno vago, a parcela de terreno com a área global de 4 (quatro) metros quadrados, assinalada com a letra "B" na planta n.º 3 039/90, emitida em 30 de Julho de 1993, pela Direcção dos Serviços de Cartografia e Cadastro, anexa a este diploma e que dele faz parte integrante.
Aprovado em 3 de Janeiro de 1994.
Publique-se.
O Governador, Vasco Rocha Vieira.




