| 不生效 : | |||
| 相關法規 : | |||
| 相關類別 : | |||
| 《LegisMac》的法例註釋 | |||
本法規已被 第27/2024號法律 確認為不生效
第20/94/M號法令
四月十八日
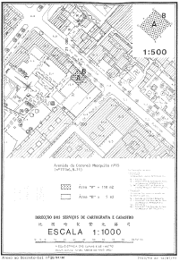
在都市規劃方面,為適當再利用澳門美副將大馬路十五號樓宇所在之地段,必須將拆毀該樓宇所騰出之地段,與另一幅在地圖繪製暨地籍司於一九九三年七月十四日發出之第3153/90號地籍圖內以字母“B”標明而面積為五平方米之相鄰地段併合,以配合此馬路建築物之正面排列。
鑑於上指相鄰地段之性質屬公產,有必要將該性質解除且視作無主土地歸併為本地區私產。
基於此;
經聽取諮詢會意見後;
護理總督根據《澳門組織章程》第十三條第一款之規定,命令制定在澳門地區具有法律效力之條文如下:
獨一條——根據七月五日第6/80/M號法律第四條之規定,解除面積為五平方米地段之公產性質,且視作無主土地歸併為本地區私產。該地段在地圖繪製暨地籍司於一九九三年七月十四日發出之第3153/90號地籍圖內以字母“B”標明,而該地圖附於本法規且成為其組成部分。
一九九四年四月十四日核准
命令公佈
護理總督 李必祿




