|
| |||||||||||
| 不生效 : | |||
| 相關法規 : | |||
| 相關類別 : | |||
| 《LegisMac》的法例註釋 | |||
本法規已被 第27/2024號法律 確認為不生效
第21/98/M號法令
五月十八日
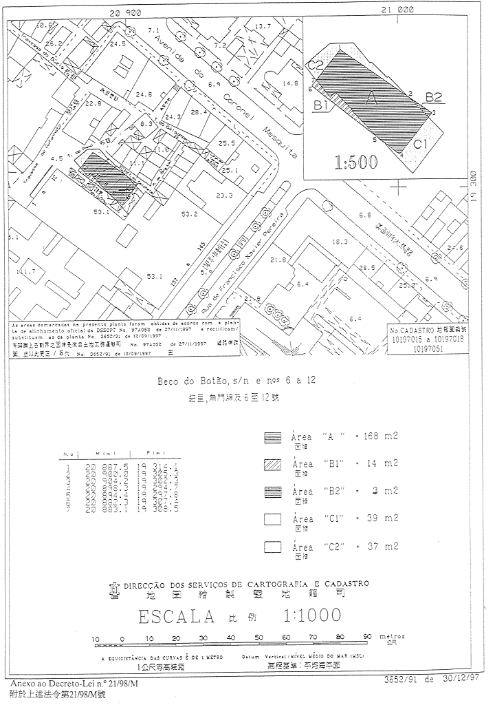
為遵守在鈕里無門牌編號、門牌編號為6至12號及扣鈕巷地區所定出之新準線,故有必要將地圖繪製暨地籍司於一九九七年十二月三十日發出之第3652/91號地籍圖內以字母“C1”及“C2”標明之總面積為76平方米之兩幅地段,與上述地籍圖內以字母“B1”及“B2”標明之總面積為17平方米之地段交換。
上述之交換能使作為利用標的物之地段有一規則形狀,並能修正毗鄰街道之設計。
鑑於以字母“B1”及“B2”標明之地段屬公產,故有必要解除其公產性質,並隨即視作無主土地歸併為本地區之私產,以便得依法成為交換之標的。
基於此;
經聽取諮詢會意見後;
總督根據《澳門組織章程》第十三條第一款之規定,命令制定在澳門地區具有法律效力之條文如下:
獨一條 —— 根據七月五日第6/80/M號法律第四條之規定,解除面積為14平方米及3平方米之地段之公產性質,且視作無主土地歸併為本地區之私產。上述兩幅地段在地圖繪製暨地籍司於一九九七年十二月三十日發出之第3652/91號地籍圖內分別以字母“B1”及“B2”標明,而有關地籍圖附於本法規並成為其組成部分。
一九九八年五月十三日核准
命令公布
總督 韋奇立





