|
| |||||||||||
| 不生效 : | |||
| 相關法規 : | |||
| 相關類別 : | |||
| 《LegisMac》的法例註釋 | |||
本法規已被 第27/2024號法律 確認為不生效
第36/98/M號法令
八月十七日
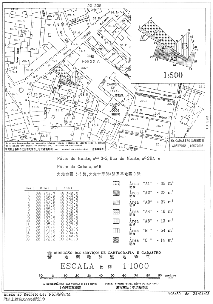
鑑於在澳門物業登記局內,分別以B26簿冊第9826號、B36簿冊第13363號及B18簿冊第3530號標示之位於澳門大炮台圍3號至5號、大炮台街2BA號及草地圍9號之多幢樓宇之共同利用,必須將上指地段與毗鄰之一面積為十四平方米之地段併合。該地段屬本地區之財產,並在地圖繪製暨地籍司於一九九八年四月二十四日所發出之第795/89號地籍圖內以字母“C”標明。
上述之併合對本地區有明顯利益,一方面,能改善目前欠缺衛生及難以保養之地點,另一方面,能更合理利用該空間作興建樓宇之用。
鑑於該地段屬公產,故有必要解除其公產性質,並隨即以無主土地歸併為本地區之私產。
基於此;
經聽取諮詢會意見後;
總督根據《澳門組織章程》第十三條第一款之規定,命令制定在澳門地區具有法律效力之條文如下:
獨一條——根據七月五日第6/80/M號法律第四條之規定,解除一面積為十四平方米之地段之公產性質,且視作無主土地歸併為本地區之私產;該地段在地圖繪製暨地籍司於一九九八年四月二十四日所發出之第795/89號地籍圖內以字母“C”標明,而該地籍圖附於本法規並成為其組成部分。
一九九八年八月十二日核准
命令公布
總督 韋奇立





