澳 門 特 別 行 政 區
運輸工務司司長辦公室
|
| |||||||||||
| 相關類別 : | |||
| 《LegisMac》的法例註釋 | |||
第115/2001號運輸工務司司長批示
運輸工務司司長行使《澳門特別行政區基本法》第六十四條賦予的職權,並根據第6/1999號行政法規第六條第二款及第七條,以及第15/2000號行政命令第一、第二及第五款的規定,作出本批示。
轉授一切所需權力予地圖繪製暨地籍局代局長張紹基工程師,以便代表澳門特別行政區作為立約人,分別與“Bentley Systems Hong Kong Limited”及“NetCraft Information Technology (Macau) Co., Limited”公司簽訂地圖繪製暨地籍局電腦軟件的保養及支援服務合同以及資訊器材的維修保養服務合同。
二零零一年十一月二十三日
運輸工務司司長 歐文龍
|
| |||||||||||
| 相關法規 : | |||
| 相關類別 : | |||
| 《LegisMac》的法例註釋 | |||
第116/2001號運輸工務司司長批示
運輸工務司司長行使《澳門特別行政區基本法》第六十四條賦予的職權,並根據七月四日第2/94/M號法律第四條的規定,作出本批示。
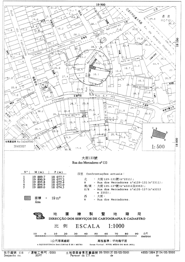
一、在附於本批示並作為其組成部份的合同內,訂定完善一幅以長期租借制度批出,位於澳門半島大街,昔日其上建有133號樓宇,面積19平方米,標示於物業登記局第1203號的土地批給所需的要件。
二、本批示即時生效。
二零零一年十一月二十七日
運輸工務司司長 歐文龍
———
附件
(土地工務運輸局第2220.1號案卷及土地委員會第9/2001號案卷)
合同協議方:
甲方——澳門特別行政區;及
乙方——Leung Yun Sang 和 Hung Chun 。
鑑於:
一、Leung Yun Sang,澳門出生,及其妻子Hung Chun,中華人民共和國出生,二人均為中國籍,以婚後所得共有制結婚,居於香港Shating, Wo Che Chuen, Fung Wo樓十一字樓1120室,透過其受權人Loi Sio Fan,未婚,成年,居於澳門惠愛街24至26號四字樓“A”,並根據七月四日第2/94/M號法律第四條的規定,於一九九七年十一月十二日向前澳門地區總督遞交申請書,請求訂定完善一幅以長期租借制度批出,位於澳門半島大街,昔日其上建有133號樓宇,面積19平方米的土地的批給合同所需的要件。
二、提出該申請是因為根據載於第133/94號普通訴訟筆錄所作的判決,前澳門普通管轄法院第三分庭已宣告有關人士為上指樓宇的利用權所有人。該宣告於一九九六年五月八日經當時的澳門高等法院合議庭裁決作出確定判決,為著有關效力,已將有關的法院證明附上。
三、上指都巿樓宇標示於物業登記局第1203號,其利用權以申請人名義臨時登錄於第19366號,並已在地圖繪製暨地籍局於二零零零年五月四日發出的第4853/1994號地籍圖中定界。
四、在提交組成案卷所需的文件後,土地工務運輸局制定了有關的合同擬本,根據二零零一年一月三十日的聲明書,有關合同擬本的規定及條件已獲申請人接納。
五、案卷按一般程序送交土地委員會,該委員會於二零零一年三月二十二日舉行會議,並對批准申請發出贊同意見。
六、土地委員會的意見書於二零零一年三月二十八日經行政長官的批示確認,該批示載於運輸工務司司長於二零零一年三月二十七日發出的贊同意見書上。
七、根據七月五日第6/80/M號法律第一百二十五條的規定,並為著有關效力,已通知申請人有關完善合同的條件,其透過受權人於二零零一年十一月十四日的聲明書明確接納有關條件。
八、根據存檔於土地委員會的第5463/19492號收據憑單,因利用權之取得而應繳付的物業轉移稅已於一九九七年五月十三日在前澳門公鈔局收納處繳付。
第一條款——合同標的
本合同標的為完善一幅以長期租借制度批出,位於澳門半島大街,昔日其上建有133號樓宇,面積19(拾玖)平方米的土地的批給。該土地標示在地圖繪製暨地籍局於二零零零年五月四日發出的第4853/1994號地籍圖及物業登記局第1203號,並以乙方名義登錄於該局第19366號,其利用權已由前澳門普通管轄法院第三分庭作出及載於第133/94號普通訴訟程序筆錄的判決確認,並於一九九六年五月八日經前澳門高等法院作出的合議庭裁決確定屬乙方所有。
第二條款——土地的利用及用途
土地現為空置,其利用將按照由乙方遞交及經土地工務運輸局核准的建築圖則進行,以及受本批給合同的修訂所規範,包括溢價金的繳付。
第三條款——利用權價金及地租
1.土地的利用權價金定為澳門幣1,520(壹仟伍佰貳拾)元。
2.每年繳付的地租為澳門幣101(壹佰零壹)元。
3.根據七月四日第2/94/M號法律第四條第一款規定,豁免乙方繳付第一款訂定的利用權價金。
4.欠繳地租將按稅務執行程序規定進行強制徵收。
第四條款——土地的收回
1.如未經批准而更改土地的利用或批給用途,甲方可宣告收回土地。
2.土地的收回由澳門特別行政區行政長官以批示宣告,並在《澳門特別行政區公報》公佈。
3.收回土地的宣告會產生下列後果:
a) 土地的利用權被撤銷;
b) 土地連同有關的改善成果歸甲方所有,乙方有權收取由甲方訂定的賠償。
第五條款——有權限法院
澳門特別行政區初級法院為有權限解決由本合同所產生任何爭訟的法院。
第六條款——適用法例
如有遺漏,本合同以七月五日第6/80/M號法律及其他適用法例規範。
|
| |||||||||||
| 相關類別 : | |||
| 《LegisMac》的法例註釋 | |||
第117/2001號運輸工務司司長批示
運輸工務司司長行使《澳門特別行政區基本法》第六十四條賦予的職權,並根據第6/1999號行政法規第六條第二款及第七條,以及第15/2000號行政命令第一、第二及第五款的規定,作出本批示。
轉授一切所需之權力予地球物理暨氣象局(DSMG)局長馮瑞權碩士或其法定代位人,以便代表澳門特別行政區作為立約人,與「新華空調工程有限公司」簽訂有關氣象局辦公大樓冷氣系統,氣象雷達塔、氣象局分站和其他空氣質量監察站內的冷氣機之保養合約。
二零零一年十一月二十七日
運輸工務司司長 歐文龍
|
| |||||||||||
| 相關類別 : | |||
| 《LegisMac》的法例註釋 | |||
第118/2001號運輸工務司司長批示
運輸工務司司長行使《澳門特別行政區基本法》第六十四條賦予的職權,並根據第6/1999號行政法規第六條第二款及第七條,以及第15/2000號行政命令第一、第二及第五款的規定,作出本批示。
轉授一切所需之權力予地球物理暨氣象局(DSMG)局長馮瑞權碩士或其法定代位人,以便代表澳門特別行政區作為立約人,與「奧的斯電梯(香港)有限公司」簽訂有關地球物理暨氣象局升降機設備之保養合約。
二零零一年十一月二十七日
運輸工務司司長 歐文龍
———
二零零一年十二月五日於運輸工務司司長辦公室
辦公室主任 黃振東




