澳 門 特 別 行 政 區
運輸工務司司長辦公室
|
| |||||||||||
| 相關類別 : | |||
| 《LegisMac》的法例註釋 | |||
第93/2004號運輸工務司司長批示
運輸工務司司長行使《澳門特別行政區基本法》第六十四條賦予的職權,並根據第6/1999號行政法規第六條第二款和第七條,連同第15/2000 號行政命令第一款、第二款及第五款的規定,作出本批示。
轉授一切所需權力予土地工務運輸局局長Jaime Roberto Carion(賈利安)工程師或其法定代任人,以便代表澳門特別行政區作為簽署人,與Consulasia — Consultores de Engenharia e Gestão, Limitada簽訂製訂「跨境工業區基礎建設圖則」的服務合同。
二零零四年八月三十一日
運輸工務司司長 歐文龍
|
| |||||||||||
| 相關類別 : | |||
| 《LegisMac》的法例註釋 | |||
第94/2004號運輸工務司司長批示
運輸工務司司長行使《澳門特別行政區基本法》第六十四條賦予的職權,並根據《民法典》第九百三十四條及續後數條和七月五日第6/80/M號法律第四十四條及續後數條、第一百零七條及第一百零八條的規定,作出本批示。
一、根據本批示組成部分的附件合同所載的規定,修改兩幅以長期租借制度批出,面積分別為69平方米及38平方米,位於澳門半島惠愛街,其上建有48及50號房地產及脂花巷,其上建有5A及5B號房地產,標示於物業登記局第23036及5513號的土地的批給。
二、Companhia de Desenvolvimento Predial Internacional Hong Ian, Limitada聲明放棄一幅面積1平方米,為標示於上述登記局第23036號的房地產組成部分的地塊的利用權,並將該地塊歸還給澳門特別行政區的公產。
三、為統一土地的法律制度,將一幅面積96平方米,位於第一款所述地點及歸併標示於上述登記局第1012及9321號的房地產的地塊及另一幅面積85平方米,相當於該幅為標示於第5513號的房地產的組成部份,屬完全所有權制度的土地的面積的地塊贈與澳門特別行政區。
四、將上款所述面積為177平方米的部份贈與土地以長期租借制度批出,而餘下面積4平方米的土地,將納入澳門特別行政區公產。
五、上款所述面積177平方米的土地將與兩幅以長期租借制度批出,面積分別為68平方米及38平方米的地塊合併及共同利用,組成一幅面積為283平方米的單一地段。
六、本批示即時生效。
二零零四年九月一日
運輸工務司司長 歐文龍
———
附件
(土地工務運輸局第2374.1號案卷及土地委員會第10/2004號案卷)
合同協議方:
甲方——澳門特別行政區;及
乙方——Companhia de Desenvolvimento Predial Internacional Hong Ian, Limitada。
鑒於:
一、Companhia de Desenvolvimento Predial Internacional Hong Ian, Limitada,總址設於澳門雅廉訪大馬路41A號地下,登記於商業及動產登記局C14冊第82頁第5550號,擁有一幅總面積288平方米,位於澳門半島惠愛街,其上建有48及50號房地產及脂花巷,其上建有1至5B號房地產交匯處的土地。
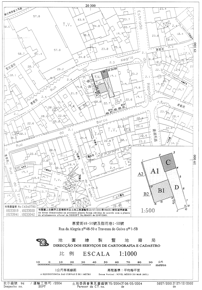
二、上述土地以字母“A1”、“A2”、“B1”、“B2”、“C”及“D”標示在地圖繪製暨地籍局於二零零二年十二月二十七日發出的第5937/2001號地籍圖中。
三、以字母“A1”及“A2”標示的地塊由標示於物業登記局B6冊第285頁第1012號及B26冊第141頁第9321號的房地產所佔用。根據第57529G及29249G號登錄,該等房地產以上述公司的名義及以完全所有權制度登錄。
四、“B1”及“B2”地塊為標示於第23036號都市性房地產的組成部份,該都市性房地產以上述公司名義登錄於第3289G號,以長期租借制度批出及其田底權以澳門特別行政區名義登錄於第25850F號。
五、以字母“C”及“D”標示的地塊由標示於物業登記局B23冊第32頁背頁第5513號,以上述公司名義登錄於第17184G號的都市性房地產所佔用。第一幅地塊相等於以長期租借制度批出,於一九四九年十月三十一日合併的土地的面積,而第二幅地塊則相等於屬完全所有權制度的土地的面積。
六、上述公司欲在拆卸上述地塊上建有的房地產後,將該等地塊共同重新利用,於是根據土地工務運輸局副局長於二零零二年四月八日所作的批示被視為可予核准的工程計劃,透過二零零三年一月二十二日的申請書,請求就上述地塊的合併,統一土地的法律制度。
七、在分析有關申請後,土地工務運輸局經考慮《澳門特別行政區基本法》第七條,連同第1/1999號法律《回歸法》第三條第四款及附件三第一點的規定後,認為應以長期租借制度進行批給,以統一該等地塊的法律制度。
八、在計算有關回報後,制訂了合同擬本。申請公司已透過二零零四年四月十六日的聲明書表示接納該等條件。
九、因此,申請公司將其所擁有,以字母“A1”、“A2”及“D”標示於第5937/2001號地籍圖中,面積分別為92平方米、 4平方米及85平方米的地塊贈與澳門特別行政區,同時以長期租借制度獲批給“A1”及“D”地塊,該等地塊應與以長期租借制度批出,在同一地籍圖中以字母“B1”及“C”標示的地塊合併,組成一幅面積283平方米的單一地段。
十、根據街道準線的規定,面積4平方米的“A2”地塊將會脫離標示於物業登記局第1012及9321號房地產因合併後所形成的土地,並在拆卸建於其上的房地產後,將其納入公產。此外,申請公司放棄一幅以字母“B2”標示,面積1平方米,以長期租借制度批出及將脫離標示於第23036號的房地產的地塊的利用權,並將該地塊歸屬公產。
十一、根據第38690C號登錄,該等面積為92平方米及85平方米,以先贈與然後再批給的地塊的抵押負擔仍以中國銀行名義登記,該銀行亦批准根據法律規定,改以利用權作為抵押負擔。
十二、案卷按一般程序送交土地委員會,該委員會於二零零四年五月六日舉行會議,同意批准有關申請。
十三、土地委員會的意見書已於二零零四年五月二十六日經行政長官的批示確認,該批示載於運輸工務司司長二零零四年五月二十四日的贊同意見書上。
十四、根據並履行七月五日第6/80/M號法律第一百二十五條的規定,已將由本批示規範的合同條件通知申請公司。該公司透過Tang Kuok Meng,已婚,澳門出生,居於澳門雅廉訪大馬路41A號地下,以經理身分代表Companhia de Desenvolvimento Predial Internacional Hong Ian, Limitada於二零零四年六月十六日簽署的聲明書,明確表示接納有關條件。根據載於聲明書上的確認,其身分和權力已經第一公證署核實。
十五、合同第三條款第一款2)項訂定的利用權價金因調整後而產生的差額及第六條款所訂定的合同溢價金,已透過土地委員會於二零零四年六月十四日發出的第92/2004號憑單,於二零零四年六月十六日在澳門財稅廳收納處繳付。該副本已存檔於有關案卷內。
十六、合同第七條款第二款所指的保證金已透過由土地委員會於二零零四年六月十七日發出的第5/2004號存款憑單,以現金存款繳付,該收據已存檔於有關案卷內。
第一條款——合同標的
為統一一幅位於澳門半島惠愛街48至50號及脂花巷1至5B號交匯處的土地的法律制度,以便用作興建一幢新建築物,甲乙雙方同意如下:
1. 乙方將下列以完全所有權制度擁有,設有以中國銀行名義登錄於物業登記局第38690C號的意定抵押負擔的地塊贈與甲方:
1)面積92(玖拾貳)平方米的地塊,在地圖繪製暨地籍局於二零零二年十二月二十七日發出的第5937/2001號地籍圖中以字母“A1”標示,價值為$540,000.00(澳門幣伍拾肆萬元整),為標示於物業登記局第1012及9321號,屬完全所有權制度並以乙方名義分別登錄於第57529G及第29249G號的房地產的組成部分。
2)面積85(捌拾伍)平方米的地塊,以字母“D”標示於上項所述的地籍圖中,價值為$480,000.00 (澳門幣肆拾捌萬元整),為標示於物業登記局第5513號的房地產的組成部分。該房地產除上述的地塊外,還包括另一幅以長期租借制度批出,面積38(叁拾捌)平方米,並於一九四九年十月三十一日合併的地塊。
2. 為著納入澳門特別行政區的公產,乙方將一幅無帶任何責任或負擔,面積4(肆)平方米,在上款1)項所指的地籍圖中以字母“A2”標示,並將脫離一幅因拆卸標示於物業登記局第1012號及9321號的房地產而產生的地塊贈與甲方,甲方並同意接受。
3. 為著納入澳門特別行政區的公產,乙方放棄一幅無帶任何責任或負擔,面積1(壹)平方米,在上述地籍圖中以字母“B2”標示,並將脫離一幅因拆卸脂花巷5A及5B號,標示於物業登記局第23036號房地產而產生的土地的地塊的利用權。
4. 為統一法律制度,甲方以長期租借制度將第一款1)及2)項所指及在上述地籍圖中以字母“A1”及“D”標示,現以其利用權作為抵押負擔的地塊批給乙方。
5. 修改兩幅以長期租借制度批出,面積分別為68(陸拾捌)平方米及38(叁拾捌)平方米,在上述地籍圖中以字母“B1”及“C”標示的地塊的批給。該等地塊為標示於物業登記局第23036及5513號房地產的組成部份,以長期租借制度批出,並以乙方名義登錄於第32869G及17184G號。
6. 第四及第五款所指的地塊,在地圖繪製暨地籍局於二零零二年十二月二十七日發出的第5937/2001號地籍圖中以字母“A1”、“D”、“B1”及“C”標示,於拆卸其上的建築物後,將進行合併及共同利用,並組成一幅面積283(貳佰捌拾叁)平方米,以長期租借制度批出的單一地段,以下簡稱土地,其批給轉由本合同的條款規範。
第二條款——土地的利用及用途
1. 土地用作興建一幢屬分層所有權制度的7(柒)層高樓宇。
2. 上款所指樓宇的用途如下:
住宅:面積1,577平方米;
商業:面積263平方米。
3. 上款所述面積在為發出有關使用准照而作實地檢查時可作修改。
第三條款——利用權價金及地租
1. 土地的利用權價金總額定為$78,860.00(澳門幣柒萬捌仟捌佰陸拾元整),其分配如下:
1) 在上述地圖繪製暨地籍局的地籍圖中以字母“A1”及“D”標示,現已作贈與及批給的地塊的利用權價金為$49,322.00(澳門幣肆萬玖仟叁佰貳拾貳元整)。
2) 在上述地籍圖中以字母“B1”及“C”標示的地塊,經調整後的利用權價金為$29,538.00(澳門幣貳萬玖仟伍佰叁拾捌元整)。
2. 豁免乙方繳付上款1)項所指“A1”及“D”地塊的利用權價金。
3. 乙方須在七月五日第6/80/M號法律第一百二十五條所規定聲明是否接受本合同條件的期限內一次性繳付第一款2)項所訂定的因調整利用權價金所產生的差額。
4.每年繳付的地租調整為$197.00(澳門幣壹佰玖拾柒元整)。
5. 不準時繳付地租,將按照稅務執行程序的規定進行強制徵收。
第四條款——利用期限
1. 土地利用的總期限為24(貳拾肆)個月,由規範本合同的批示在《澳門特別行政區公報》公佈當日起計。
2. 上款所述的期限包括乙方遞交圖則和申請發出准照,及甲方審議該等圖則、發出工程和使用准照所需的時間。
第五條款——罰款
1. 除有適當解釋且為甲方接受的特殊原因外,乙方不遵守上條款訂定的期限,延遲不超過60(陸拾)日者,處以罰款每日可達$5,000.00(澳門幣伍仟元整),延遲超過60(陸拾)日,但在120(壹佰貳拾)日以內者,則罰款將加至雙倍。
2. 遇有不可抗力或發生被證實為不受控制的特殊情況,則免除乙方承擔上款所指的責任。
3. 僅因不可預見及不可抵抗事件而引發的情況方被視為不可抗力。
4. 為著第二款的效力,乙方必須儘快將發生上述事實的情況以書面通知甲方。
第六條款——合同溢價金
乙方須在七月五日第6/80/M號法律第一百二十五條所規定聲明是否接受本合同條件的期限內,向甲方一次性繳付合同溢價金總額$570,325.00(澳門幣伍拾柒萬零叁佰貳拾伍元整)。
第七條款——轉讓
1. 倘土地未被完全利用而將本批給所衍生的狀況轉讓,須事先獲得甲方批准,而承讓人亦須受本合同修改後的條件約束。
2. 在不妨礙上款最後部分規定的情況下,乙方須以甲方接受的存款、擔保或保險擔保提供保證金$50,000.00(澳門幣伍萬元整),作為擔保履行已設定的義務。該保證金可應乙方要求,在發出使用准照或核准轉讓批給所衍生的權利時退還。
第八條款——監督
在批出土地的利用期間,乙方必須准許行政當局有關部門執行監督工作的代表進入土地及施工範圍,並向代表提供一切所需的協助,使其有效地執行任務。
第九條款——土地的收回
1. 倘未經批准而更改批給用途或土地的利用,甲方可宣告全部或局部收回該土地。
2. 當發生下列任一事實時,該土地亦會被收回:
1) 第五條款規定的加重罰款期限屆滿;
2) 未經同意而中止土地的利用及/或批給用途;
3. 土地的收回由行政長官以批示宣告,並在《澳門特別行政區公報》公佈。
4. 土地收回的宣告將產生以下效力:
1) 土地的利用權全部或局部被撤銷;
2) 土地全部或局部,連同其上的所有改善物歸甲方所有,乙方有權收取由甲方訂定的賠償。
第十條款——有權限法院
澳門特別行政區初級法院為有權解決由本合同所產生任何爭訟的法院。
第十一條款——適用法例
如有遺漏,本合同以七月五日第6/80/M號法律和其他適用法例規範。
|
| |||||||||||
| 相關類別 : | |||
| 《LegisMac》的法例註釋 | |||
第95/2004號運輸工務司司長批示
運輸工務司司長行使《澳門特別行政區基本法》第六十四條賦予的職權,並根據七月五日第6/80/M號法律第二十九條、第四十九條及第一百零七條的規定,作出本批示。
一、根據本批示組成部分的附件合同所載規定及條件,修改一幅以租賃制度批出,面積1,892平方米,位於氹仔島,鄰近亞利雅架前地(昔日為美副將馬路),用作興建一間三星級酒店的土地的批給。該批給受第43/SATOP/93號批示規範,並經第90/SATOP/95號批示和第60/SATOP/98號批示修訂。
二、為符合該地點既定的城市規劃條件,在是次修改中,批出兩幅面積分別為337平方米和45平方米的地塊,將其與上款所述的土地合併,組成一幅面積2,274平方米的土地。
三、本批示即時生效。
二零零四年九月一日
運輸工務司司長 歐文龍
———
附件
(土地工務運輸局第6187.04號案卷及土地委員會第21/2004號案卷)
合同協議方:
甲方—— 澳門特別行政區;及
乙方—— 格蘭投資發展有限公司。
鑒於:
一、總辦事處設於澳門南灣大馬路759號5字樓,註冊於商業及動產登記局第4216(SO)號的格蘭投資發展有限公司,持有一幅以租賃制度批出,面積1,892平方米,位於氹仔島,鄰近亞利雅架前地(昔日為美副將馬路)的土地的批給所衍生的權利。該土地標示在物業登記局B16K冊第57頁第22351號及以該公司的名義登錄於F11K冊第117頁第2557號。
二、上述的批給由一九九三年三月二十九日第十三期《澳門政府公報》公佈的第43/SATOP/93號批示所規範的合同約束,該批示經一九九五年七月二十六日第三十期《澳門政府公報》第二組公佈的第90/SATOP/95號批示及一九九八年七月十五日第二十八期《澳門政府公報》第二組公佈的第60/SATOP/98號批示作出修改。
三、根據批給合同第三條款,土地用作興建一幢十七層高,作三星級酒店和停車場用途的樓宇。
四、由於經濟衰退和承批公司其公司資金的內部問題,利用工程停頓了差不多六年。承批公司於二零零三年九月二十六日申請許可重新施工,並因更改標的內的土地面積和邊界,於隨後進行有關修改批給合同的手續。
五、為此,發出新的工程准照,工程現已竣工,並已開展修改批給的程序。申請公司在二零零四年七月五日的聲明書內,明確表示同意修改批給的合同擬本。
六、根據本合同修訂本,以租賃制度批出兩幅面積分別為337平方米及45平方米,在地圖繪製暨地籍局於二零零四年四月十三日發出的第840/1989號地籍圖上分別以字母“B”和“C”標的地塊,以便與一幅已批出的土地合併。該土地的面積改為2,274平方米,其邊界及四至列明於上述的地籍圖內。
七、以字母“B”標示的地塊,為標示在物業登記局B37冊第2頁背頁第13724號樓宇的組成部分,而以字母“C”標示的地塊,則在物業登記局未有標示。
八、案卷按一般程序送交土地委員會,該委員會於二零零四年七月二十二日舉行會議,同意批准有關申請。
九、土地委員會的意見書已於二零零四年八月六日經行政長官的批示確認。該批示載於運輸工務司司長二零零四年八月五日的贊同意見書上。
十、根據並履行七月五日第6/80/M號法律第一百二十五條的規定,已將由本批示規範的合同條件通知申請公司。該公司透過由涂曉平,已婚,居於中國深圳蛇口怡庭園10D,以格蘭投資發展有限公司經理身分簽署的二零零四年八月二十日聲明書,明確表示接納有關條件。根據載於聲明書上的確認,其身分及權力已經第一公證署核實。
十一、由第43/SATOP/93號批示規範的批給合同第九條款訂定的溢價金及由第60/SATOP/98號批示規範的經修改批給合同第四條訂定的溢價金,已全數繳付。
十二、合同第三條所述,因是次修改批給而應繳的溢價金,已透過土地委員會在二零零四年八月十二日發出的第111/2004號非經常性收入憑單,於二零零四年八月二十日在澳門財稅廳收納處繳付(收據編號56183),其副本存於有關的案卷內。
第一條
1. 透過本合同核准:
1). 修改一幅以租賃制度批出,面積1,892(壹仟捌佰玖拾貳)平方米,位於氹仔鄰近亞利雅架圓形地(昔日為美副將馬路),在地圖繪製暨地籍局於二零零四年四月十三日發出的第840/1989號地籍圖中以字母“A1”及“A2”標示,並標示在物業登記局第22351號及以乙方名義登錄於第2557號的土地的批給。該土地由一九九三年三月二十九日第十三期《澳門政府公報》公佈的第43/SATOP/93號批示作出規範,並經一九九五年七月二十六日第三十期《澳門政府公報》第二組公佈的第90/SATOP/95號批示及一九九八年七月十五日第二十八期《澳門政府公報》第二組公佈的第60/SATOP/98號批示作出修改;
2). 以租賃制度批出一幅面積337(叁佰叁拾柒)平方米,在上述地圖繪製暨地籍局的地籍圖中以字母“B”標示,並標示在物業登記局第13724號的地塊及另一幅面積45(肆拾伍)平方米,在上述地圖繪製暨地籍局的地籍圖中以字母“C”標示,尚未在物業登記局標示的地塊,以便與上款所述的土地合併,該等地塊的總價值為$741,889.00 (澳門幣柒拾肆萬壹仟捌佰捌拾玖元正)。
2. 基於上款所述,批出土地現時的面積為2,274(貳仟貳佰柒拾肆)平方米,在上述地籍圖中以字母“A1”、“A2”、“B”及“C”標示,以下簡稱為土地,上指土地批給合同內的第三條款、第四條款、第六條款及第十條款修改如下:
第三條款—— 土地的利用及用途
1. 土地用作興建一幢17(拾柒)層高,包括一層避火層的三星級酒店。
2. 上款所述的樓宇用途如下:
三星級酒店:建築面積17,430平方米(不包括避火層);
停車場:建築面積2,049平方米;
室外範圍:面積365平方米。
3. 面積271平方米、於上述第840/1989號地籍圖中以字母“A2”標示的地塊,在地面層的部分必須向後退縮,並作為車輛及行人自由通行之用。
4. ......
5. ......
第四條款—— 租金
1. 根據三月二十一日第50/81/M號訓令的規定,乙方須繳付年租如下:
1)在土地進行利用工程期間,繳付$ 68,220.00(澳門幣陸萬捌仟貳佰貳拾元正),即相等於批出土地每平方米$ 30.00(澳門幣叁拾元正);
2)在土地利用竣工後,繳付$ 285,590.00(澳門幣貳拾捌萬伍仟伍佰玖拾元正),按以下分類計算:
(1)酒店面積:
17,430平方米x $ 15.00/平方米 $261,450.00;
(2)停車場面積:
2,049平方米x $ 10.00/平方米 $20,490.00;
(3)室外範圍:
365平方米x $ 10.00/平方米 $3,650.00。
3) 第三條款所指面積在有權限機關為發出使用准照所作的實地驗查時可作修改,而租金總額亦隨之修改。
4)由規範本合同的批示在《澳門特別行政區公報》公佈當日起計,租金每五年調整一次。
第六條款—— 特別負擔
1. 由乙方獨力承擔以下特別負擔:
1)在地圖繪製暨地籍局於二零零四年四月十三日發出的第840/1999號地籍圖中以字母“A2”標示的地面層必須向後退縮的部分建造基礎建設及花槽;
2)在土地界定範圍內的現存斜坡進行整治及加固工程,包括周圍三十米闊的範圍。
2. 為施行上款所述的工程,由乙方制定的一切圖則須獲甲方核准。
第十條款—— 保證金
1. 按照七月五日第6/80/M號法律第一百二十六條的規定,乙方須透過以甲方接受的存款或銀行擔保書方式繳交調整後的保證金$ 68,220.00(澳門幣陸萬捌仟貳佰貳拾元正)。
2. 上款所指的保證金金額應按每年有關租金的數值調整。
第二條
土地的利用期限為6(陸)個月,由規範本合同的批示在《澳門特別行政區公報》公佈之日起計。
第三條
在不妨礙乙方繳付第43/SATOP/93號批示規範的批給合同第九條款所定的$4,109,533.00(澳門幣肆佰壹拾萬玖仟伍佰叁拾叁元正)及第60/SATOP/98號批示規範的修改批給合同第四條所定的$7,744,152.00(澳門幣柒佰柒拾肆萬肆仟壹佰伍拾貳元正)的情況下,基於是次修改,乙方須按照七月五日第6/80/M號法律第一百二十五條的規定,在接納本合同條件的期限內繳付$741,889.00(澳門幣柒拾肆萬壹仟捌佰捌拾玖元正)。
第四條
澳門特別行政區初級法院為有權限解決本合同所產生任何爭訟的法院。
第五條
如有遺漏,本合同以七月五日第6/80/M號法律和其他適用法例規範。
———
二零零四年九月一日於運輸工務司司長辦公室
辦公室主任 黃振東






