REGIÃO ADMINISTRATIVA ESPECIAL DE MACAU
GABINETE DO SECRETÁRIO PARA OS TRANSPORTES E OBRAS PÚBLICAS
|
| |||||||||||
| Diplomas relacionados : | |||
| Categorias relacionadas : | |||
| Notas em LegisMac | |||
Despacho do Secretário para os Transportes e Obras Públicas n.º 167/2004
Usando da faculdade conferida pelo artigo 64.º da Lei Básica da Região Administrativa Especial de Macau, e nos termos do n.º 2 do artigo 29.º, da alínea d) do n.º 2 do artigo 47.º e dos artigos 107.º e 129.º, todos da Lei n.º 6/80/M, de 5 de Julho, o Secretário para os Transportes e Obras Públicas manda:
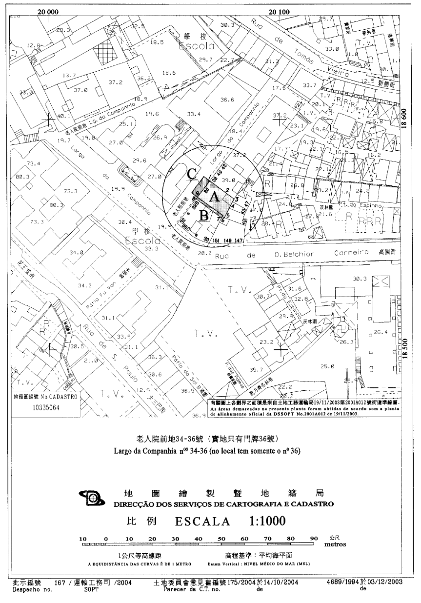
1. É revista, nos termos e condições constantes do contrato em anexo, que faz parte integrante do presente despacho, a concessão, por aforamento, do terreno com a área de 150 m2, situado na península de Macau, no Largo da Companhia, onde se encontra construído o prédio urbano com os n.os 34 a 36, descrito na Conservatória do Registo Predial sob o n.º 23 014.
2. No âmbito da revisão referida no número anterior, por força do novo alinhamento definido para o local, reverte livre de quaisquer ónus ou encargos, a favor da Região Administrativa Especial de Macau, para integrar o seu domínio público, uma parcela do terreno identificado no número anterior, com a área de 28 m2.
3. É concedida, por aforamento, uma parcela de terreno contígua, com a área de 14 m2, não descrita na mencionada Conservatória, destinada a ser anexada e aproveitada conjuntamente com a parcela remanescente do terreno descrito na Conservatória do Registo Predial sob o n.º 23 014, de forma a constituir um único lote com a área global de 136 m2.
4. O presente despacho entra imediatamente em vigor.
31 de Dezembro de 2004.
O Secretário para os Transportes e Obras Públicas, Ao Man Long.
ANEXO
(Processo n.º 2 326.02 da Direcção dos Serviços de Solos, Obras Públicas e Transportes e Processo n.º 34/2004 da Comissão de Terras)
Contrato acordado entre:
A Região Administrativa Especial de Macau, como primeiro outorgante; e
Fernando Plácido Carion, representado pelo seu procurador Lei Soi Chek, como segundo outorgante.
Considerando que:
1. Pelo Despacho n.º 113/2000 do Secretário para os Transportes e Obras Públicas, publicado no Boletim Oficial n.º 51/2000, II Série, de 22 de Dezembro, foi titulado a favor de Fernando Plácido Carion, solteiro, maior, natural de Macau, residente nesta cidade, no Largo da Companhia, n.os 34 a 36, o contrato de aperfeiçoamento da concessão, por aforamento, do terreno com a área de 150 m2, situado na Península de Macau, no Largo da Companhia, onde se encontra implantado o prédio urbano com os n.os 34 a 36, descrito na Conservatória do Registo Predial sob o n.º 23 014, e cujo domínio útil está inscrito a favor do concessionário sob o n.º 25 059F.
2. Pretendendo o concessionário proceder a um novo aproveitamento do terreno, com a construção de um edifício de 6 pisos, em propriedade única, para uso próprio, afectado às finalidades de habitação e estacionamento, submeteu à Direcção dos Serviços de Solos, Obras Públicas e Transportes (DSSOPT) o respectivo projecto de arquitectura, o qual, por despacho do subdirector destes Serviços, de 7 de Maio de 2003, foi considerado passível de aprovação, condicionada ao cumprimento de alguns requisitos.
3. Nestas circunstâncias, em requerimento apresentado em 20 de Outubro de 2003, dirigido a S. Ex.ª o Chefe do Executivo, o concessionário, através do seu procurador, Lei Soi Chek, solteiro, maior, com domicílio de correspondência em Macau, na Avenida da Amizade, n.º 1 023, edifício Nam Fong, 1.º andar, A-E, solicitou autorização para a modificação do aproveitamento do aludido terreno, em conformidade com o projecto apresentado na DSSOPT e a consequente revisão do contrato de concessão.
4. Instruído o procedimento, a DSSOPT procedeu ao cálculo das contrapartidas devidas e elaborou a minuta do contrato de revisão da concessão, que foi aceite pelo concessionário, mediante declaração de 13 de Setembro de 2004.
5. O procedimento seguiu a sua tramitação normal, tendo sido enviado à Comissão de Terras que, reunida em sessão de 14 de Outubro de 2004, emitiu parecer favorável ao deferimento do pedido.
6. O parecer da Comissão de Terras foi homologado por despacho de S. Ex.ª o Chefe do Executivo, de 18 de Novembro de 2004, exarado sobre parecer favorável do Secretário para os Transportes e Obras Públicas, de 9 de Novembro de 2004.
7. O terreno objecto do contrato titulado pelo presente contrato encontra-se assinalado com as letras «A», «B» e «C» na planta n.º 4 689/1994, emitida pela Direcção dos Serviços de Cartografia e Cadastro (DSCC), em 3 de Dezembro de 2003.
8. De acordo com o alinhamento definido para o local, a parcela identificada pela letra «C», com a área de 28 m2, a desanexar do prédio descrito na CRP sob o n.º 23 014, reverte para a Região Administrativa Especial de Macau, destinando-se a integrar o seu domínio público, sendo concedida, por aforamento, a parcela identificada pela letra «B», com a área de 14 m2, que não se encontra descrita na CRP, a fim de ser anexada à parcela «A», passando as mesmas a constituir um único lote com a área global de 136 m2.
9. Nos termos e para os efeitos previstos no artigo 125.º da Lei n.º 6/80/M, de 5 de Julho, as condições do contrato de revisão da concessão, titulado pelo presente despacho, foram notificadas ao concessionário, Fernando Plácido Carion, e por este expressamente aceites, mediante declaração datada de 30 de Novembro de 2004.
10. O diferencial resultante da actualização do preço do domínio útil referido no n.º 2 da cláusula terceira e o prémio referido na cláusula sexta do contrato, foram pagos na Recebedoria da Repartição de Finanças, em 6 de Dezembro de 2004 (receita n.º 84 464), através da guia de receita eventual n.º 189/2004, emitida pela Comissão de Terras em 25 de Novembro de 2004, cujo duplicado foi arquivado no respectivo processo.
11. A caução referida no n.º 2 da cláusula sétima do contrato foi prestada mediante garantia bancária n.º G2004.0520, emitida pelo Banco Comercial de Macau, S.A., em 3 de Dezembro de 2004, em termos aceites pela entidade concedente.
Cláusula primeira — Objecto do contrato
Constitui objecto do presente contrato:
1) A revisão da concessão, por aforamento, do terreno com a área de 150 m2 (cento e cinquenta metros quadrados), situado na península de Macau, no Largo da Companhia, onde se encontra construído o prédio urbano n.os 34 e 36, descrito na Conservatória do Registo Predial (CRP) sob o n.º 23 014 e inscrito a favor do segundo outorgante sob o n.º 25 059F, assinalado com as letras «A» e «C» na planta n.º 4 689/1994, emitida em 3 de Dezembro de 2003 pela Direcção dos Serviços de Cartografia e Cadastro (DSCC);
2) A reversão, por força dos novos alinhamentos, a favor do primeiro outorgante, livre de ónus ou encargos, da parcela de terreno assinalada com a letra «C» na planta da DSCC acima mencionada, com a área de 28 m2 (vinte e oito metros quadrados), a desanexar do terreno resultante da demolição do prédio descrito sob o n.º 23 014, destinada a integrar o domínio público da Região Administrativa Especial de Macau, como via pública;
3) A concessão, por aforamento, da parcela do terreno, com a área de 14 m2 (catorze metros quadrados), não descrita na CRP, com valor atribuído de $ 22 350,00 (vinte e duas mil, trezentas e cinquenta patacas), assinalada com a letra «B» na planta referida, destinada a ser anexada e aproveitada conjuntamente com a parcela assinalada com a letra «A» referida na alínea 1), passando a constituir um único lote de terreno com a área global de 136 m2 (cento e trinta e seis metros quadrados), assinalado com as letras «A» e «B» na referida planta, de ora em diante designado, simplesmente, por terreno, cuja concessão passa a reger-se pelas cláusulas do presente contrato.
Cláusula segunda — Aproveitamento e finalidade do terreno
1. O terreno é aproveitado com a construção de um edifício, em propriedade única, compreendendo 6 (seis) pisos para o uso próprio.
2. O edifício, referido no número anterior, é afectado às seguintes finalidades de utilização:
- Habitação: com a área de 648 m2;
- Estacionamento: com a área de 93 m2.
3. As áreas referidas no número anterior podem ser sujeitas a eventuais rectificações, a realizar no momento da vistoria, para efeito de emissão da licença de utilização respectiva.
Cláusula terceira — Preço do domínio útil
1. O preço do domínio útil do terreno é actualizado para $ 44 460,00 (quarenta e quatro mil quatrocentas e sessenta patacas).
2. O segundo outorgante obriga-se a pagar o diferencial no valor de $ 35 460,00 (trinta e cinco mil, quatrocentas e sessenta patacas) resultante da dedução do preço do domínio útil no valor de $ 9 000,00 (nove mil patacas), estipulado no n.º 1 da cláusula terceira do Despacho n.º 113/2000 do Secretário para os Transportes e Obras Públicas, publicado no Boletim Oficial n.º 51/2000, II Série, de 22 de Dezembro, aquando do envio da aceitação das condições do presente contrato, a que se refere o artigo 125.º da Lei n.º 6/80/M, de 5 de Julho.
3. O foro anual a pagar é actualizado para $ 111,00 (cento e onze patacas).
4. O não pagamento pontual do foro determina a cobrança coerciva nos termos do processo de execução fiscal.
Cláusula quarta — Prazo de aproveitamento
1. O aproveitamento do terreno deve operar-se no prazo global de 18 (dezoito) meses, contados a partir da data da publicação no Boletim Oficial do despacho que titula o presente contrato.
2. O prazo fixado no n.º 1 inclui os prazos necessários para a apresentação dos projectos pelo segundo outorgante e apreciação dos mesmos pelo primeiro outorgante.
Cláusula quinta — Multas
1. Salvo motivos especiais, devidamente justificados, aceites pelo primeiro outorgante, pelo incumprimento dos prazos fixados na cláusula anterior, relativamente à apresentação do projecto, ao início e conclusão das obras, o segundo outorgante fica sujeito a multa até $ 1 000,00 (mil patacas), por cada dia de atraso até 60 (sessenta) dias; para além desse período e até ao máximo global de 120 (cento e vinte) dias, fica sujeito a multa até ao dobro daquela importância.
2. O segundo outorgante fica exonerado da responsabilidade referida no número anterior em casos de força maior ou de outros factos relevantes, cuja produção esteja, comprovadamente, fora do seu controlo.
3. Consideram-se casos de força maior os que resultem exclusivamente de eventos imprevisíveis e irresistíveis.
4. Para efeitos do disposto no n.º 2, o segundo outorgante obriga-se a comunicar, por escrito, ao primeiro outorgante, o mais rapidamente possível, a ocorrência dos referidos factos.
Cláusula sexta — Prémio do contrato
O segundo outorgante paga ao primeiro outorgante, a título de prémio do contrato, o montante global de $ 217 108,00 (duzentas e dezassete mil cento e oito patacas), aquando da aceitação das condições do presente contrato, a que se refere o artigo 125.º da Lei n.º 6/80/M, de 5 de Julho.
Cláusula sétima — Transmissão
1. A transmissão de situações decorrentes desta concessão, dada a sua característica especial, depende de prévia autorização do primeiro outorgante e sujeita o transmissário à revisão das condições do presente contrato.
2. Sem prejuízo do disposto na parte final do número anterior o segundo outorgante, para garantia da obrigação aí estabelecida, presta uma caução no valor de $ 50 000,00 (cinquenta mil patacas), por meio de depósito, garantia ou seguro-caução, em termos aceites pelo primeiro outorgante, a qual será devolvida, a seu pedido, com a emissão da licença de utilização ou a autorização para transmitir os direitos resultantes da concessão.
Cláusula oitava — Fiscalização
Durante o período de aproveitamento do terreno concedido, o segundo outorgante obriga-se a franquear o acesso ao mesmo e às obras aos representantes dos Serviços da Administração, que aí se desloquem no desempenho da sua acção fiscalizadora, prestando-lhes toda a assistência e meios para o bom desempenho da sua função.
Cláusula nona — Devolução do terreno
1. O primeiro outorgante pode declarar a devolução, total ou parcial, do terreno em caso de alteração não autorizada da finalidade de concessão ou do aproveitamento do terreno.
2. Fica acordada, ainda, a devolução do terreno, quando se verifique qualquer dos seguintes factos:
- 1) Findo o prazo da multa agravada, previsto na cláusula quinta;
- 2) Interrupção do aproveitamento do terreno e/ou da finalidade da concessão;
- 3) Incumprimento da obrigação estabelecida na cláusula sexta.
3. A devolução do terreno é declarada por despacho de S. Ex.ª o Chefe do Executivo, a publicar no Boletim Oficial da Região Administrativa Especial de Macau.
4. A declaração de devolução do terreno produz os seguintes efeitos:
1) Extinção, total ou parcial, do domínio útil do terreno;
2) Reversão, total ou parcial, do terreno com as correspondentes benfeitorias nele incorporadas à posse do primeiro outorgante, tendo o segundo outorgante direito à indemnização a fixar por aquele.
Cláusula décima — Foro competente
Para efeitos de resolução de qualquer litígio emergente do presente contrato, o foro competente é o do Tribunal Judicial de Base da Região Administrativa Especial de Macau.
Cláusula décima primeira — Legislação aplicável
O presente contrato rege-se, nos casos omissos, pela Lei n.º 6/80/M, de 5 de Julho, e demais legislação aplicável.
|
| |||||||||||
| Categorias relacionadas : | |||
| Notas em LegisMac | |||
Despacho do Secretário para os Transportes e Obras Públicas n.º 1/2005
Usando da faculdade conferida pelo artigo artigo 64.º da Lei Básica da Região Administrativa Especial de Macau, e nos termos do artigo 7.º do Regulamento Administrativo n.º 6/1999, conjugados com a alínea 2) do n.º 1 da Ordem Executiva n.º 30/2000, o Secretário para os Transportes e Obras Públicas manda:
São subdelegados no coordenador do Gabinete para o Desenvolvimento de Infra-estruturas, engenheiro António José Castanheira Lourenço, ou no seu substituto legal, todos os poderes necessários para representar a Região Administrativa Especial de Macau, como outorgante, no contrato de «Assistência Técnica em Serviços de Engenharia para a Expansão da Capacidade Operacional e Modernização dos Equipamentos da Central de Incineração de Resíduos Sólidos de Macau», a celebrar com a empresa Fichtner GmbH & Co. KG.
3 de Janeiro de 2005.
O Secretário para os Transportes e Obras Públicas, Ao Man Long.
|
| |||||||||||
| Alterações : | |||
| Diplomas relacionados : | |||
| Categorias relacionadas : | |||
| Notas em LegisMac | |||
Despacho do Secretário para os Transportes e Obras Públicas n.º 2/2005
Usando da faculdade conferida pelo artigo 64.º da Lei Básica da Região Administrativa Especial de Macau, e nos termos dos artigos 934.º e seguintes do Código Civil e dos artigos 29.º, n.º 2, 107.º e 129.º da Lei n.º 6/80/M, de 5 de Julho, o Secretário para os Transportes e Obras Públicas manda:
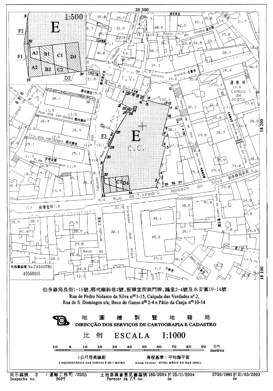
1. São doadas, em regime de propriedade perfeita, à Região Administrativa Especial de Macau, nos termos e condições do contrato em anexo, que faz parte integrante do presente despacho, duas parcelas de terreno com a área de 7 m2 e 9 m2, a desanexar dos prédios descritos na Conservatória do Registo Predial sob os n.os 7 295 e 434, respectivamente, destinadas a integrar o domínio público, como via pública.
2. Para efeitos de unificação do seu regime jurídico, é doado à Região Administrativa Especial de Macau, em regime de propriedade perfeita, e por esta concedido, em regime de aforamento, o terreno com a área global de 2 073 m2, que faz parte integrante dos prédios descritos na Conservatória do Registo Predial sob os n.os 19 365 a 19 372, 2 108 a 2 110, 5 448, 434 e 7 295, situado na península de Macau, entre a Rua de Pedro Nolasco da Silva, onde se encontravam construídos os prédios n.os 1 a 15, Calçada das Verdades, onde se encontrava construído o prédio n.º 2, Rua de S. Domingos, s/n, Beco do Ganso, onde se encontrava construído o prédio com os n.os 2 a 4, e Pátio da Canja, onde se encontravam construídos os prédios n.os 10 a 14.
3. É revista a concessão, por aforamento, do terreno com a área global de 71 m2, situado no local referido no número anterior, que faz parte integrante dos prédios descritos na Conservatória do Registo Predial sob os n.os 19 365 a 19 368.
4. No âmbito dessa revisão, por força dos novos alinhamentos definidos para o local, reverte a favor da Região Administrativa Especial de Macau, livre de ónus ou encargos, uma parcela do terreno identificado no número anterior, com a área de 8 m2, a desanexar do prédio descrito na mencionada Conservatória sob o n.º 19 365, destinada a integrar o domínio público, como via pública.
5. O terreno identificado no n.º 2 e o remanescente (após a desanexação da parcela referida no n.º 4) do terreno identificado no n.º 3 destinam-se a ser anexados e aproveitados conjuntamente em regime de aforamento, constituindo um único lote de terreno com a área de 2 136 m2.
6. O presente despacho entra imediatamente em vigor.
3 de Janeiro de 2005.
O Secretário para os Transportes e Obras Públicas, Ao Man Long.
———
ANEXO
(Processo n.º 1 146.02 da Direcção dos Serviços de Solos, Obras Públicas e Transportes e Processo n.º 45/2004 da Comissão de Terras)
Contrato acordado entre:
A Região Administrativa Especial de Macau, como primeiro outorgante; e
A sociedade «Construção e Investimentos Global Limitada», como segundo outorgante.
Considerando que:
1. A sociedade «Construção e Investimentos Global Limitada»,com sede em Macau, na Rua do Campo, n.os 8 e 8-A, r/c, é titular do terreno com a área total de 2 160 m2, situado na península de Macau, entre a Rua de Pedro Nolasco da Silva, onde se encontravam construídos os prédios n.os 1 a 15, Calçada das Verdades, onde se encontrava construído o prédio n.º 2, Rua de S. Domingos, s/n, Beco do Ganso, onde se encontrava construído o prédio com os n.os 2 a 4, e Pátio da Canja, onde se encontravam construídos os prédios n.os 10 a 14, assinalado com as letras «A1», «A2», «B1», «B2», «C1», «C2», «D1», «D2», «E», «F1», «F2» e «F3», na planta n.º 3 720/1991, emitida em 21 de Março de 2003, pela Direcção dos Serviços de Cartografia e Cadastro (DSCC).
2. As parcelas do aludido terreno, assinaladas com as letras «A2» e «F1», «B2», «C2», e «D2», incluídas nos prédios descritos na Conservatória do Registo Predial (CRP), respectivamente sob os n.os 19 365 a 19 368 de fls. 53v a 55 do livro B40, inscritos a favor da referida sociedade sob o n.º 3 573 a fls. 191 do livro G9, são tituladas em regime de concessão, por aforamento, conforme inscrições do domínio directo, a favor da Região Administrativa Especial de Macau, n.os 3 376 a fls. 4 do livro F6, 4 057 a fls. 185 do livro F6 e 6 189 a fls. 16 do livro F7.
3. As parcelas do mesmo terreno assinaladas com as letras «A1», «B1», «C1» e «D1», incluídas nos prédios referidos no número anterior, a parcela assinalada com a letra «F2», que faz parte integrante do prédio descrito na CRP sob o n.º 7 295 a fls. 13 do livro B25, inscrito a favor da aludida sociedade sob o n.º 3 573 a fls. 191 do livro G9, a parcela assinalada com a letra «F3», que faz parte integrante do prédio descrito na CRP sob o n.º 434 a fls. 256 do livro B2, inscrito a favor da mencionada sociedade sob o n.º 2 463 a fls. 47v do livro G7, bem como a parcela assinalada com a letra «E», que abrange a totalidade dos prédios descritos na CRP sob os n.os 2 108 a 2 110 de fls. 47v a 49 do livro B11, inscritos a favor da mesma sociedade sob os n.os 16 266 a fls. 87 do livro G55K, 6 252 a fls. 48v do livro G13 e 2 463 a fls. 47v do livro G7, a totalidade do prédio descrito na CRP sob o n.º 5 448 a fls. 299 do livro B22, inscrito a seu favor sob o n.º 3 573 a fls. 191 do livro G9, a totalidade dos prédios descritos na CRP sob os n.os 19 369 a 19 372 a fls. 55v a 57 do livro B40, inscritos a favor da sobredita sociedade sob o n.º 3 573 a fls. 191 do livro G9 e abrange ainda parte do prédio descrito na CRP sob o n.º 434 a fls. 256 do livro B2, inscrito a seu favor sob o n.º 2 463 a fls. 47v do livro G7, e parte do prédio descrito na CRP sob o n.º 7 295 a fls. 13 do livro B25, inscrito a seu favor sob o n.º 3 573 a fls. 191 do livro G9, são tituladas em regime de propriedade perfeita.
4. Por requerimento dirigido a S. Ex.ª o Chefe do Executivo, apresentado em 11 de Setembro de 2003, a sociedade «Construção e Investimentos Global, Limitada», solicitou, ao abrigo do disposto no artigo 107.º da Lei n.º 6/80/M, de 5 de Julho, autorização para modificar o aproveitamento do terreno anteriormente identificado, em conformidade com o projecto de alteração de obra de construção, submetido em 6 de Novembro de 2001, o qual foi considerado passível de aprovação, condicionada ao cumprimento de alguns requisitos de ordem técnica, por despacho do subdirector da Direcção dos Serviços de Solos, Obras Públicas e Transportes (DSSOPT), de 31 de Dezembro de 2001.
5. Analisado o pedido, a DSSOPT considerou que, havendo necessidade de uniformizar o regime jurídico aplicável às parcelas que compõem o terreno, essa uniformização deveria ser feita em regime de aforamento, atento o disposto no artigo 7.º da Lei Básica da Região Administrativa Especial de Macau, conjugado com o n.º 4 do artigo 3.º e o ponto 1 do Anexo III da Lei n.º 1/1999 (Lei da Reunificação).
6. Instruído o procedimento, foi elaborada a minuta de contrato, cujos termos foram aceites pela sociedade requerente, mediante declaração de 13 de Outubro de 2004.
7. Assim, nos termos do contrato, a sociedade requerente doa à Região Administrativa Especial de Macau as parcelas de terreno de sua propriedade, parte das quais — as assinaladas com as letras «A1», «B1», «C1», «D1» e «E» — lhe são concedidas em regime de aforamento, para aproveitamento conjunto com as parcelas «A2», «B2», «C2» e «D2», de que é titular em regime de aforamento.
8. Reverte à Região Administrativa Especial de Macau o domínio útil da parcela «F1» para ser integrado no domínio público, sendo igualmente integradas neste domínio as parcelas doadas identificadas pelas letras «F2» e «F3».
9. O procedimento seguiu a sua tramitação normal, tendo sido enviado à Comissão de Terras que, reunida em sessão de 25 de Novembro de 2004, emitiu parecer favorável ao deferimento do pedido.
10. O parecer da Comissão de Terras foi homologado por despacho de S. Ex.ª o Chefe do Executivo, de 29 de Novembro de 2004, exarado sobre parecer favorável do Secretário para os Transportes e Obras Públicas, da mesma data.
11. Nos termos e para os efeitos previstos no artigo 125.º da Lei n.º 6/80/M, de 5 de Julho, as condições da revisão do contrato foram notificadas à sociedade requerente e por esta expressamente aceites, mediante declaração datada de 4 de Dezembro de 2004, assinada por Cheung Kam Sin, residente em Macau, na Avenida do Conselheiro Borja, Edifício Mayfair Garden, Fase II, Sunrise Court, 1.º andar, na qualidade de gerente da sociedade «Construção e Investimentos Global Limitada», qualidade e poderes que foram verificados pelo 2.º Cartório Notarial, conforme reconhecimento exarado naquela declaração.
12. O diferencial resultante da actualização do preço do domínio útil, estipulada na alínea 1) do n.º 1 da cláusula terceira, e o prémio estipulado na cláusula sétima do contrato foram pagos na Recebedoria da Repartição de Finanças de Macau em 6 de Dezembro de 2004 (receita n.º 84 360), através da guia de receita eventual n.º 195/2004, emitida pela Comissão de Terras em 2 de Dezembro de 2004, cujo duplicado se encontra arquivado no respectivo processo.
13. A caução a que se refere a cláusula oitava do contrato foi prestada através da garantia bancária SBG-04/096, emitida pelo Banco Weng Hang, S.A., em 6 de Dezembro de 2004, em termos aceites pela entidade concedente.
Cláusula primeira — Objecto do contrato
1. Constitui objecto do presente contrato:
1) A revisão da concessão, por aforamento, das parcelas de terreno com a área global de 71 m2 (setenta e um metros quadrados), situadas na península de Macau, na Rua de Pedro Nolasco da Silva n.os 1 a 7, assinaladas com as letras «A2», «B2», «C2», «D2» e «F1» na planta n.º 3 720/1991, emitida em 21 de Março de 2003, pela Direcção dos Serviços de Cartografia e Cadastro (DSCC), que fazem parte integrante dos prédios descritos na Conservatória do Registo Predial (CRP) sob os n.os 19 365 a 19 368 de fls. 53v a 55 do livro B40 e cujo domínio útil se encontra inscrito a favor do segundo outorgante sob o n.º 3 573 a fls. 191 do livro G9;
2) A reversão a favor do primeiro outorgante, livre de ónus ou encargos, da parcela de terreno com a área de 8 m2 (oito metros quadrados), a desanexar do prédio descrito na CRP sob o n.º 19 365 a fls. 53v do livro B40, assinalada com a letra «F1» na planta da DSCC, acima mencionada, e destinada a integrar o domínio público da Região Administrativa Especial de Macau, como via pública, por força dos novos alinhamentos;
3) A doação, a favor do primeiro outorgante, livre de ónus ou encargos, da propriedade de duas parcelas, com as áreas respectivas de 7 m2 (sete metros quadrados) e 9 m2 (nove metros quadrados), a desanexar dos prédios descritos na CRP sob os n.os 7 295 a fls. 13 do livro B25 e 434 a fls. 256 do livro B2, assinaladas pelas letras «F2» e «F3» na mesma planta, destinadas a integrar o domínio público da Região Administrativa Especial de Macau, como via pública, por força dos novos alinhamentos;
4) A doação, a favor do primeiro outorgante, livre de ónus ou encargos, para fins de unificação do regime jurídico, da propriedade das parcelas de terreno com a área global de 2 073 m2 (dois mil e setenta e três metros quadrados) e com o valor atribuído de $ 45 166 295,00 (quarenta e cinco milhões, cento e sessenta e seis mil, duzentas e noventa e cinco patacas), situadas na península de Macau, entre a Rua de Pedro Nolasco da Silva, n.os 1 a 15, Calçada das Verdades n.º 2, Rua de S. Domingos, s/n, Beco do Ganso, n.os 2 a 4, e Pátio da Canja, n.os 10 a 14, assinaladas na referida planta cadastral, destinadas a integrar o domínio privado da Região Administrativa Especial de Macau, as quais a seguir se discriminam:
(1) parcela «A1», com a área de 13 m2 (treze metros quadrados), que faz parte integrante do prédio descrito na CRP sob o n.º 19 365 a fls. 53v do livro B40, inscrito a favor do segundo outorgante sob o n.º 3 573 a fls. 191 do livro G9;
(2) parcela «B1», com a área de 25 m2 (vinte e cinco metros quadrados), que faz parte integrante do prédio descrito na CRP sob o n.º 19 366 a fls. 54 do livro B40, inscrito a favor do segundo outorgante sob o n.º 3 573 a fls. 191 do livro G9;
(3) parcela «C1», com a área de 33 m2 (trinta e três metros quadrados), que faz parte integrante do prédio descrito na CRP sob o n.º 19 367 a fls. 54v do livro B40, inscrito a favor do segundo outorgante sob o n.º 3 573 a fls. 191 do livro G9;
(4) parcela «D1», com a área de 41 m2 (quarenta e um metros quadrados), que faz parte integrante do prédio descrito na CRP sob o n.º 19 368 a fls. 55 do livro B40, inscrito a favor do segundo outorgante sob o n.º 3 573 a fls. 191 do livro G9;
(5) parcela «E», com a área de 1 961 m2 (mil novecentos e sessenta e um metros quadrados), constituída pelos seguintes prédios:
- • a totalidade dos prédios descritos na CRP sob os n.os 2 108 a 2 110 de fls. 47v a 49v do livro B11, inscritos a favor do segundo outorgante sob os n.os 16 266 a fls. 87 do livro G55K, 6 252 a fls. 48v do livro G13 e 2 463 a fls. 47v do livro G7, respectivamente;
- • a totalidade do prédio descrito na CRP sob o n.º 5 448 a fls. 299 do livro B22, inscrito a favor do segundo outorgante sob o n.º 3 573 a fls. 191 do livro G9;
- • a totalidade dos prédios descritos na CRP sob os n.os 19 369 a 19 372 de fls. 55v a 57 do livro B40, inscritos a favor do segundo outorgante sob o n.º 3 573 a fls. 191 do livro G9;
- • a parte remanescente [após desanexação da parcela com a área de 9 m2, identificada na alínea 3) desta cláusula] do prédio descrito na CRP sob o n.º 434 a fls. 256 do livro B2, inscrito a favor do segundo outorgante sob o n.º 2 463 a fls. 47v do livro G7;
- • a parte remanescente [após desanexação da parcela com a área de 7 m2, identificada na alínea 3) desta cláusula] do prédio descrito na CRP sob o n.º 7 295 a fls. 13 do livro B25, inscrito a favor do segundo outorgante sob o n.º 3 573 a fls. 191 do livro G9;
5) A concessão a favor do segundo outorgante, em regime de aforamento, das parcelas de terreno referidas na alínea 4) desta cláusula.
2. As parcelas de terreno referidas no número anterior assinaladas com as letras «A1», «A2», «B1», «B2», «C1», «C2», «D1», «D2» e «E» na planta n.º 3 720/1991, emitida em 21 de Março de 2003, pela DSCC, destinam-se a ser anexadas e aproveitadas conjuntamente, em regime de aforamento, constituindo um único lote com a área de 2 136 m2 (dois mil cento e trinta e seis metros quadrados), de ora em diante designado, simplesmente, por terreno, e cuja concessão passa a reger-se pelas cláusulas do presente contrato.
Cláusula segunda — Aproveitamento e finalidade do terreno
1. O terreno é aproveitado com a construção de um edifício, em regime de propriedade horizontal, compreendendo 17 (dezassete) pisos, incluindo 4 (quatro) pisos em cave.
2. O edifício, referido no número anterior, é afectado às seguintes finalidades de utilização:
- Habitacional: com a área bruta de construção de 11 425 m2;
- Comercial: com a área bruta de construção de 8 291 m2;
- Estacionamento: com a área bruta de construção de 7 728 m2.
3. As áreas referidas no número anterior podem ser sujeitas a eventuais rectificações, a realizar no momento da vistoria, para efeito de emissão da licença de utilização respectiva.
Cláusula terceira — Preço do domínio útil
1. O preço do domínio útil do terreno é fixado globalmente em $ 3 158 960,00 (três milhões, cento e cinquenta e oito mil, novecentas e sessenta patacas), assim discriminado:
- 1) $ 93 172,00 (noventa e três mil, cento e setenta e duas patacas), referentes ao valor actualizado das parcelas já concedidas, assinaladas com as letras «A2», «B2», «C2» e «D2» na planta n.º 3 720/1991, emitida em 21 de Março de 2003 pela DSCC;
- 2) $ 3 065 788,00 (três milhões, sessenta e cinco mil, setecentas e oitenta e oito patacas), referentes ao valor fixado para as parcelas agora concedidas, assinaladas com as letras «A1», «B1», «C1», «D1» e «E» na mesma planta.
2. O segundo outorgante fica isento do pagamento do preço do domínio útil, fixado na alínea 2) do número anterior, correspondente às parcelas ora concedidas.
3. O diferencial resultante da actualização do preço do domínio útil, estipulado na alínea 1) do n.º 1, é pago integralmente e de uma só vez, aquando da aceitação das condições do presente contrato, a que se refere o artigo 125.º da Lei n.º 6/80/M, de 5 de Julho.
4. O foro anual é actualizado para $ 7 897,00 (sete mil, oitocentas e noventa e sete patacas).
5. O não pagamento pontual do foro determina a cobrança coerciva nos termos do processo de execução fiscal.
Cláusula quarta — Prazo de aproveitamento
1. O aproveitamento do terreno deve operar-se no prazo global de 36 (trinta e seis) meses, contados a partir da data da publicação no Boletim Oficial do despacho que titula o presente contrato.
2. O prazo fixado no número anterior inclui os prazos necessários para a apresentação dos projectos pelo segundo outorgante e a apreciação dos mesmos pelo primeiro outorgante.
Cláusula quinta — Encargos especiais
Constituem encargos especiais a suportar exclusivamente pelo segundo outorgante a desocupação e remoção das parcelas de terreno assinaladas com as letras «A1», «A2», «B1», «B2», «C1», «C2», «D1», «D2», «E», «F1», «F2» e «F3» na planta n.º 3 720/1991, emitida em 21 de Março de 2003, pela DSCC, de todas as construções, materiais e infra-estruturas, porventura, aí existentes.
Cláusula sexta — Multas
1. Salvo motivos especiais, devidamente justificados, aceites pelo primeiro outorgante, pelo incumprimento do prazo fixado na cláusula quarta, o segundo outorgante fica sujeito a multa até $ 5 000,00 (cinco mil patacas), por cada dia de atraso até 60 (sessenta) dias; para além desse período e até ao máximo global de 120 (cento e vinte) dias, fica sujeito a multa até ao dobro daquela importância.
2. O segundo outorgante fica exonerado da responsabilidade referida no número anterior em casos de força maior ou de outros factos relevantes, cuja produção esteja, comprovadamente, fora do seu controlo.
3. Consideram-se casos de força maior os que resultem exclusivamente de eventos imprevisíveis e irresistíveis.
4. Para efeitos do disposto no n.º 2, o segundo outorgante obriga-se a comunicar, por escrito, ao primeiro outorgante, o mais rapidamente possível, a ocorrência dos referidos factos.
Cláusula sétima — Prémio do contrato
O segundo outorgante paga ao primeiro outorgante, a título de prémio do contrato, o montante de $ 1 151 724,00 (um milhão, cento e cinquenta e uma mil, setecentas e vinte e quatro patacas), aquando da aceitação das condições do presente contrato, a que se refere o artigo 125.º da Lei n.º 6/80/M, de 5 de Julho.
Cláusula oitava — Transmissão
1. A transmissão de situações decorrentes desta concessão, enquanto o terreno não estiver integralmente aproveitado, depende de prévia autorização do primeiro outorgante e sujeita o transmissário à revisão das condições do presente contrato, designadamente da relativa ao prémio.
2. Sem prejuízo do disposto na parte final do número anterior o segundo outorgante, para garantia da obrigação aí estabelecida, presta uma caução no valor de $ 60 000,00 (sessenta mil patacas), por meio de depósito, garantia ou seguro-caução, em termos aceites pelo primeiro outorgante, a qual será devolvida, a seu pedido, com a emissão da licença de utilização ou a autorização prévia para transmitir os direitos resultantes da concessão.
Cláusula nona — Fiscalização
Durante o período de aproveitamento do terreno concedido, o segundo outorgante obriga-se a franquear o acesso ao mesmo e às obras aos representantes dos Serviços da Administração, que aí se desloquem no desempenho da sua acção fiscalizadora, prestando-lhes toda a assistência e meios para o bom desempenho da sua função.
Cláusula décima — Devolução do terreno
1. O primeiro outorgante pode declarar a devolução, total ou parcial, do terreno em caso de alteração não autorizada da finalidade de concessão ou do aproveitamento do terreno.
2. Fica acordada, ainda, a devolução do terreno quando se verifique qualquer dos seguintes factos:
- 1) Findo o prazo da multa agravada, previsto na cláusula sexta;
- 2) Interrupção do aproveitamento do terreno e/ou da finalidade da concessão.
3. A devolução do terreno é declarada por despacho de S. Ex.ª o Chefe do Executivo, a publicar no Boletim Oficial.
4. A declaração de devolução do terreno produz os seguintes efeitos:
1) Extinção, total ou parcial, do domínio útil do terreno;
2) Reversão, total ou parcial, do terreno com as correspondentes benfeitorias nele incorporadas à posse do primeiro outorgante, tendo o segundo outorgante direito à indemnização a fixar por aquele.
Cláusula décima primeira — Foro competente
Para efeitos de resolução de qualquer litígio emergente do presente contrato, o foro competente é o do Tribunal Judicial de Base da Região Administrativa Especial de Macau.
Cláusula décima segunda — Legislação aplicável
O presente contrato rege-se, nos casos omissos, pela Lei n.º 6/80/M, de 5 de Julho, e demais legislação aplicável.
———
Gabinete do Secretário para os Transportes e Obras Públicas, aos 4 de Janeiro de 2005. — O Chefe do Gabinete, Wong Chan Tong.








