澳 門 特 別 行 政 區
運輸工務司司長辦公室
|
| |||||||||||
| 相關法規 : | |||
| 相關類別 : | |||
| 《LegisMac》的法例註釋 | |||
第71/2005號運輸工務司司長批示
運輸工務司司長行使《澳門特別行政區基本法》第六十四條賦予的職權,並根據七月四日第2/94/M號法律第四條的規定,作出本批示。
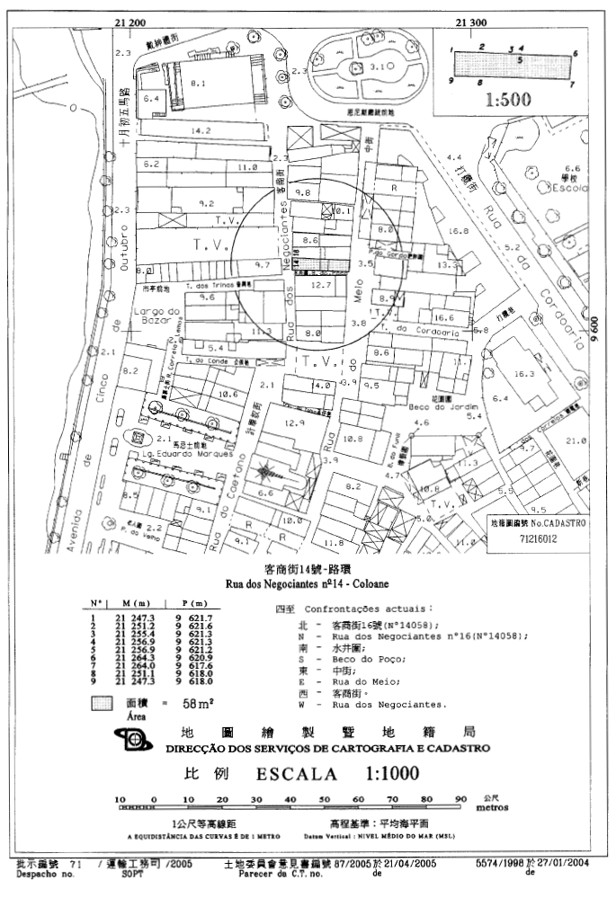
一、在本批示組成部分的附件合同內訂定完善一幅以長期租借制度批出,位於路環島,面積58平方米,其上建有客商街14號都市性樓宇,標示於物業登記局第23076號的土地的批給合同所需的要素。
二、本批示即時生效。
二零零五年六月六日
運輸工務司司長 歐文龍
附件
(土地工務運輸局第8291.01號案卷及土地委員會第13/2005號案卷)
合同協議方:
甲方——澳門特別行政區;及
乙方——盧少群、彭素娟、彭素卿、彭志權、彭帶娣、彭素艷及彭秉鴻。
鑒於:
一、盧少群,寡婦,居於路環島客商街14號,彭素娟,寡婦,居於澳門菜園圍Sam Fok Kok大廈A座4字樓“H”,彭素卿,寡婦,居於香港Room 406, Tai Lok House, Tai Po, N.T.,彭志權,未婚,成年,居於路環島田畔街GF,彭帶娣,與唐文根以取得共同財產制結婚,居於澳門台山坊Fong Seng Kok大廈第七座4字樓“H”,彭素艷,與Kong Pui Tak以取得共同財產制結婚,居於澳門大興街8號Chun Tat大廈1字樓“C”及彭秉鴻,與Leong Loi Fong以取得共同財產制結婚,居於路環島客商街14號,透過由Álvaro Rodrigues律師簽署,並於二零零二年八月二十九日向行政長官呈交的申請書,請求按照七月四日第2/94/M號法律第四條的規定,訂定完善一幅以長期租借制度批出,位於路環島客商街14號,面積58平方米的土地的批給合同所需的要素。
二、提出該申請是因為根據澳門特別行政區初級法院第一庭在第188/98號通常訴訟程序筆錄中作出的判決,宣告申請人擁有建於上款所述土地的樓宇的利用權。為著有關效力,附上有關法院的證明。
三、上述土地標示於地圖繪製暨地籍局於二零零四年一月二十七日發出的第5574/1998號地籍圖中,並標示於物業登記局第23076號及以上述申請人名義登錄於第26952F號。
四、該土地用作保留其上建有的兩層高,分別地下為商業及一樓為住宅用途的樓宇。
五、在遞交組成案卷所需的文件後,土地工務運輸局制定合同擬本,其規定及條件已獲申請人同意。
六、案卷按一般程序送交土地委員會,該委員會於二零零五年四月二十一日舉行會議,同意批准有關申請。
七、土地委員會的意見書已於二零零五年四月二十九日經行政長官的批示確認,該批示載於運輸工務司司長同一日期的贊同意見書上。
八、根據並履行七月五日第6/80/M號法律第一百二十五條的規定,已將完善合同的條件通知申請人。申請人透過由彭秉鴻,已婚,居於路環島客商街14號,以其名義及其他申請人的代表身分於二零零五年五月十二日簽署的聲明書,明確表示接納有關條件。根據載於該聲明書上的確認,其身分及權力已經私人公證員Carlos Duque Simões核實。
第一條款——合同標的
本合同標的為完善一幅以長期租借制度批出,位於路環島,面積58(伍拾捌)平方米,其上建有客商街14號都巿性樓宇的土地的批給。該土地標示在地圖繪製暨地籍局於二零零四年一月二十七日發出的第5574/1998號地籍圖中,並標示於物業登記局第23076號及以乙方名義登錄於該局第26952F號,其利用權已由澳門特別行政區初級法院第一庭在第188/98號通常訴訟程序筆錄中作出的判決,確認屬乙方所有。
第二條款——土地的利用及用途
土地用作保留其上建有的兩層高,地下為商業及一樓為住宅用途的樓宇。
第三條款——利用權價金及地租
1. 土地的利用權價金定為$11,600.00(澳門幣壹萬壹仟陸佰元整)。
2. 每年繳付的地租為$101.00(澳門幣壹佰零壹元整)。
3. 根據七月四日第2/94/M號法律第四條第一款的規定,豁免乙方繳付第一款訂定的利用權價金。
4. 欠繳地租將按稅務執行程序的規定進行強制徵收。
第四條款——土地的收回
1. 倘未經批准而更改批給用途或土地的利用,甲方可宣告收回土地。
2. 土地的收回由澳門特別行政區行政長官以批示宣告,並在《澳門特別行政區公報》公佈。
3. 土地收回的宣告將產生以下效力:
- 1)土地的利用權被撤銷;
- 2)土地連同其上的所有改善物歸甲方所有,但乙方有權收取由甲方訂定的賠償。
第五條款——有權限法院
澳門特別行政區初級法院為有權解決由本合同所產生任何爭訟的法院。
第六條款——適用法例
倘有遺漏,本合同由七月五日第6/80/M號法律和其他適用法例規範。
|
| |||||||||||
| 相關類別 : | |||
| 《LegisMac》的法例註釋 | |||
第72/2005號運輸工務司司長批示
運輸工務司司長行使《澳門特別行政區基本法》第六十四條賦予的職權,並根據第6/1999號行政法規第六條第二款及第七條,連同第30/2000號行政命令第一款(二)項的規定,作出本批示。
轉授一切所需權力予建設發展辦公室主任羅定邦工程師或其法定代任人,以便代表澳門特別行政區作為簽署人,與“華建——中國路橋——澳門地產建設聯營體”簽訂“氹仔新碼頭建造的承攬工程”的施工合同。
二零零五年六月六日
運輸工務司司長 歐文龍
|
| |||||||||||
| 相關類別 : | |||
| 《LegisMac》的法例註釋 | |||
第73/2005號運輸工務司司長批示
運輸工務司司長行使《澳門特別行政區基本法》第六十四條賦予的職權,並根據第6/1999號行政法規第六條第二款及第七條,連同第30/2000號行政命令第一款(二)項的規定,作出本批示。
轉授一切所需權力予建設發展辦公室主任羅定邦工程師或其法定代任人,以便代表澳門特別行政區作為簽署人,與“保益亞洲顧問有限公司”簽訂製作“亞馬喇迴旋處改建的補充設計”的合同。
二零零五年六月六日
運輸工務司司長 歐文龍
|
| |||||||||||
| 相關法規 : | |||
| 相關類別 : | |||
| 《LegisMac》的法例註釋 | |||
第74/2005號運輸工務司司長批示
運輸工務司司長行使《澳門特別行政區基本法》第六十四條賦予的職權,並根據七月五日第6/80/M號法律第一百零七條及第一百五十三條和續後數條的規定,作出本批示。
一、批准將一幅位於澳門半島外港填海區(ZAPE)第9街區C及D地段、高美士街7至67H號、昆明街8至62號及宋玉生廣場676至704號,以租賃制度批出,面積3,142平方米,由第52/GM/93號批示規範,並經第64/SATOP/95號批示作出修改的土地批給所衍生的權利有償轉讓予陞福控股股份有限公司。
二、鑒於更改土地的利用,根據本批示組成部分的附件合同所載規定及條件,修改上款所指的批給。
三、本批示即時生效。
二零零五年六月七日
運輸工務司司長 歐文龍
———
附件
(土地工務運輸局第1210.03號案卷及土地委員會第11/2005號案卷)
合同協議方:
甲方——澳門特別行政區;
乙方——澳門旅遊娛樂有限公司,由轉受權人陞福控股股份有限公司代表;及
丙方——陞福控股股份有限公司。
鑒於:
一、透過公佈於一九九三年八月四日第三十一期《澳門政府公報》第二組的第52/GM/93號批示,對一幅位於澳門半島外港填海區(ZAPE)第9街區C及D地段,面積3,142平方米,以租賃制度及免除公開競投方式批予總址設於澳門葡京酒店9字樓,登記於商業及動產登記局第353(SO)號的澳門旅遊娛樂有限公司,用作由上述批示公佈日起計三十六個月內興建一幢作寫字樓、商業及停車場用途的建築物的土地批給作出規範。
二、隨後,因加建一層地庫作停車場用途,故透過公佈於一九九五年六月十四日第二十四期《澳門政府公報》第二組的第64/SATOP/95號批示修改該合同。
根據該修改,土地的利用期限延長至一九九七年八月四日。
三、土地以字母“A”及“B”標示在地圖繪製暨地籍局於二零零四年七月二十一日發出的第4091/1992號地籍圖中,並標示於物業登記局B19K冊第12頁第22370號。
四、土地的利用已於一九九七年五月九日完成,而前土地工務運輸司亦已於一九九七年六月十三日發出有關的使用准照。
五、由於用作辦公室的面積供過於求,但缺乏酒店,故上述樓宇自該日起被空置,因此,總址設於澳門南灣大馬路409號中國法律大廈,登記於商業及動產登記局第17304(SO)號的陞福控股股份有限公司以承批公司澳門旅遊娛樂有限公司的轉受權人身分,於二零零四年二月十九日呈交申請書,請求批准按照附上的有關初步研究,將上述樓宇改建為一座四星級酒店,根據土地工務運輸局局長於二零零四年四月三十日作出的批示,該方案被視為可予核准。
六、因此,陞福控股股份有限公司以上述身分根據七月五日第6/80/M號法律第一百零七條的規定,於二零零四年九月七日向行政長官呈交申請書,正式申請更改上述土地的利用及批給的用途。
七、此外,透過同一日期呈交的申請書,請求批准將由第52/GM/93號批示規範,並經第64/SATOP/95號批示作出修改的批給合同所衍生的權利轉讓至其名下。
八、在組成案卷後,土地工務運輸局制定了轉讓及修改批給的合同擬本。申請公司透過二零零五年三月九日遞交的聲明書,表示同意合同的條件。
九、根據該擬本,由於根據新計劃的面積計算的溢價金低於以原本建築面積調整後計算出的溢價金,故無需繳付附加溢價金。
十、案卷按一般程序送交土地委員會,該委員會於二零零五年三月二十四日舉行會議,同意批准有關申請。
十一、土地委員會的意見書已於二零零五年四月十一日經行政長官的批示確認,該批示載於運輸工務司司長同一日期的贊同意見書上。
十二、根據並履行七月五日第6/80/M號法律第一百二十五條的規定,已將由本批示規範的合同條件通知乙方及丙方。乙方及丙方透過二零零五年四月二十七日由蕭德雄及呂強光以陞福控股股份有限公司董事會A組董事的身分代表丙方,並由該公司以受權人身分代表乙方澳門旅遊娛樂有限公司簽署的聲明書,明確表示接納有關條件。根據載於聲明書上的確認,有關人士的身分和權力已經私人公證員Luísa Empis de Bragança核實。
第一條
透過本合同,甲方准許乙方按照由公佈於一九九三年八月四日第三十一期《澳門政府公報》第二組的第52/GM/93號批示規範,並經公佈於一九九五年六月十四日第二十四期《澳門政府公報》第二組的第64/SATOP/95號批示作出修改的批給合同所訂定的條件,以$ 105,000,000.00(澳門幣壹億零伍佰萬元整),將一幅以租賃制度批出,面積3,142(叁仟壹佰肆拾貳)平方米,位於澳門半島外港填海區(ZAPE)第9街區C及D地段、高美士街7至67H號、昆明街8至62號及宋玉生廣場676至704號,價值為$ 138,650,612.00(澳門幣壹億叁仟捌佰陸拾伍萬零陸佰壹拾貳元整),標示在物業登記局第22370號及在本合同組成部分的地圖繪製暨地籍局於二零零四年七月二十一日發出的第4091/1992號地籍圖中以字母“A”及“B”標示的土地的批給所衍生的權利轉讓予丙方,丙方已表示接受。
第二條
1. 透過本合同,甲方准許更改上條所指土地的利用。
2. 基於上款所述,上指合同的第三、第四及第六條款修改如下:
第三條款——土地的利用及用途
1. 土地用作興建一幢屬單一所有權制度的四星級酒店,當中包括一座建在一座樓裙上的19(拾玖)層高塔樓,該樓裙有6(陸)層位於地面上,4(肆)層位於地庫。
2. 上款所述樓宇的用途如下:
- 1)四星級酒店:建築面積50,904平方米;
- 2)停車場:建築面積7,248平方米。
3. 以字母“B”標示在地圖繪製暨地籍局於二零零四年七月二十一日發出的第4091/1992號地籍圖中,面積為749(柒佰肆拾玖)平方米的地塊,其位於拱廊下地面層柱子之間的土地必須留空,以便將來供人貨自由通行,同時不能設置任何限制,亦不得作任何形式的臨時或永久性佔用。該部分稱為拱廊下的行人區。
4. 乙方必須留空上款所述條狀地段下面至1.20米(壹米貳拾厘米)深的全部下層土壤,以便在該處安裝供水、電和通訊的基礎設施,但被拱廊支柱地基佔用的空間除外。
第四條款——租金
1. 乙方須繳付的年租總金額為$ 836,040.00(澳門幣捌拾叁萬陸仟零肆拾元整),其計算如下:
- 1)四星級酒店:
- 50,904平方米x $ 15.00/平方米 $ 763,560.00;
- 2) 停車場:
- 7,248平方米x $ 10.00/平方米 $ 72,480.00。
2. 租金每五年調整一次,由規範本合同的批示在《澳門特別行政區公報》公佈當日起計,但不妨礙在合同生效期間所公佈法例的新訂租金的即時實施。
3. ......。
4. ......。
5. ......。
第六條款——特別負擔
由乙方獨力承擔的特別負擔為按照二零零五年一月二十五日核准的第91A271號正式街道準線圖的規定,騰空在地圖繪製暨地籍局於二零零四年七月二十一日發出的第4091/1992號地籍圖中以字母“C”標示的地塊,並移走可能存在的所有建築物、物料及泥頭,以及負責重建該地塊上的基礎設施。
第三條
1. 更改工程須由規範本合同的批示在《澳門特別行政區公報》公佈當日起計12(拾貳)個月的總期限內進行。
2. 上款所指的期限包括乙方遞交圖則及甲方審議有關更改工程圖則所需的時間。
第四條
澳門特別行政區初級法院為有權解決本合同所產生任何爭訟的法院。
第五條
如有遺漏,本合同由七月五日第6/80/M號法律和其他適用法例規範。
|
| |||||||||||
| 相關法規 : | |||
| 相關類別 : | |||
| 《LegisMac》的法例註釋 | |||
第75/2005號運輸工務司司長批示
運輸工務司司長行使《澳門特別行政區基本法》第六十四條賦予的職權,並根據七月五日第6/80/M號法律第一百零七條的規定,作出本批示。
一、根據本批示組成部分的附件合同所載規定及條件,修改一幅以租賃制度批出,位於澳門半島外港填海區,稱為第3街區C和F地段,鄰近高美士街及友誼大馬路,面積3,622平方米,由第147/SATOP/90號批示規範,並經第22/SATOP/93號批示和第94/SATOP/97號批示修改的土地的批給,以便對土地上建成的樓宇的利用和用途作出部份更改。
二、本批示即時生效。
二零零五年六月七日
運輸工務司司長 歐文龍
———
附件
(土地工務運輸局第1014.04號案卷及土地委員會第14/2005號案卷)
合同協議方:
甲方——澳門特別行政區;及
乙方——Sociedade Hotel Golden Dragon (Macau), Limitada。
鑒於:
一、透過公佈於一九九零年十二月二十六日第五十二期《澳門政府公報》副刊的第147/SATOP/90號批示,對一幅以租賃制度及免除公開競投方式批給登記於商業及動產登記局C11冊第168頁背頁第4540號的Sociedade de Desenvolvimento Turístico e Hoteleiro Oukwong, Limitada,位於澳門半島外港填海區,稱為第3街區C和F地段,鄰近高美士街及友誼大馬路,面積3,622平方米,用作興建一幢作四星級酒店、商業及停車場用途樓宇的土地的批給作出規範。
二、隨後,由於更改土地的利用,透過公佈於一九九三年二月十五日第七期《澳門政府公報》的第22/SATOP/93號批示及公佈於一九九七年七月三十日第三十一期《澳門政府公報》第二組的第94/SATOP/97號批示,對批給合同作出修改,改為興建一幢由三座組成,屬分層所有權制度的樓宇,其中第一座作商業及寫字樓用途,第二座作酒店及商業用途,第三座作為停車場。
三、基於投資策略和旅遊業市場的最新趨勢,承批公司改名為Hotel Plaza Mundial (Macau), Companhia, Limitada,並於二零零四年六月八日向土地工務運輸局呈交一份更改和擴建該土地上一幢已建成樓宇的圖則,以便可以重整各樓層和各座,以及將其改為一間屬單一所有權制度,設有停車場的四星級酒店。根據代局長二零零四年十月十八日的批示,該圖則被視為可予核准,但須遵守某些技術要件。
四、因此,現改名為Hotel Golden Dragon (Macau), Limitada,總辦事處設於澳門羅理基博士大馬路576至600-J號第一國際商業中心19字樓的承批公司根據七月五日第6/80/M號法律第一百零七條的規定,於二零零四年十一月四日向行政長官呈交申請書,正式申請更改土地的利用及修改批給合同。
五、對申請展開了修改合同的程序,鑒於沒有增加利用的面積,而四星級酒店的價值低於商業及寫字樓的價值,故土地工務運輸局認為無須繳交任何附加溢價金。
六、承批公司透過二零零五年三月十四日的聲明書,表示接受合同的條件。案卷按一般程序送交土地委員會,該委員會於二零零五年四月二十一日舉行會議,同意批准有關申請。
七、土地委員會的意見書已於二零零五年四月二十九日經行政長官的批示確認,該批示載於運輸工務司司長同一日期的贊同意見書上。
八、有關土地以字母“A”、“A1”、“B”、“B1”及“C”標示在地圖繪製暨地籍局於二零零四年十月二十九日發出的第3140/1990號地籍圖中,並標示在物業登記局第22161號,而批給所衍生的權利則以承批公司名義登錄於第887號。
九、根據並履行七月五日第6/80/M號法律第一百二十五條的規定,已將由本批示規範的合同條件通知申請公司。該公司透過由Hoi Man Pak,未婚,成年人,中國出生,職業住所位於羅理基博士大馬路576至600-J號第一國際商業中心19字樓,及Ung Choi Kun,已婚,中國出生,居於澳門高士德大馬路61號地下,分別以A和B組董事身分代表Hotel Golden Dragon (Macau), Limitada於二零零五年五月十二日簽署的聲明書,明確表示接納有關條件。根據載於聲明書上的確認,該等人士的身分及權力已經第一公證署核實。
第一條
1. 透過本合同,批准修改一幅面積3,622(叁仟陸佰貳拾貳)平方米,位於澳門半島外港填海區,稱為第3街區C及F地段,鄰近高美士街及友誼大馬路,由公佈於一九九零年十二月二十六日第五十二期《澳門政府公報》副刊第147/SATOP/90號批示規範,並經公佈於一九九三年二月十五日第七期《澳門政府公報》第22/SATOP/93號批示及公佈於一九九七年七月三十日第三十一期《澳門政府公報》第二組第94/SATOP/97號批示修改,標示於物業登記局第22161號及以乙方名義登錄於第887號,在地圖繪製暨地籍局於二零零四年十月二十九日發出的第3140/1990號地籍圖中以字母“A”、“A1”、“B”、“B1”及“C”標示的土地批給合同。上述地籍圖為本合同的組成部分。
2. 鑒於上款所述,上述批給合同的第三及第四條款修改如下:
“第三條款——土地的利用及用途
1. 土地用作興建一幢屬單一所有權制度,由3(叁)層地庫,4(肆)層樓裙及其上兩座分別為14(拾肆)及15(拾伍)層高的塔樓組成,作四星級酒店用途的樓宇。
2. 上款所述樓宇的用途如下:
- 1)四星級酒店:建築面積43,003平方米;
- 2)停車場:建築面積9,250平方米;
- 3)室外範圍:面積240平方米。
3. ......。
4. ......。
5. ......。
第四條款——租金
1. 乙方須繳交的年租總金額為$ 739,945.00(澳門幣柒拾叁萬玖仟玖佰肆拾伍元整),其計算如下:
- 1)四星級酒店:
- 43,003平方米x $ 15.00/平方米 $ 645,045.00;
- 2)停車場:
- 9,250平方米x $ 10.00/平方米 $ 92,500.00;
- 3)室外範圍:
- 240平方米x $ 10.00/平方米 $ 2,400.00。
2. 租金每五年調整一次,由規範本合同的批示在《澳門特別行政區公報》公佈當日起計,但不妨礙在合同生效期間所公佈法例的新訂租金的即時實施。”
第二條
澳門特別行政區初級法院為有權解決由本合同所產生任何爭訟的法院。
第三條
如有遺漏,本合同由七月五日第6/80/M號法律和其他適用法例規範。
|
| |||||||||||
| 相關類別 : | |||
| 《LegisMac》的法例註釋 | |||
第76/2005號運輸工務司司長批示
運輸工務司司長行使《澳門特別行政區基本法》第六十四條賦予的職權,並根據第6/1999號行政法規第六條第二款和第七條,連同第15/2000號行政命令第一款、第二款及第五款的規定,作出本批示。
轉授一切所需權力予土地工務運輸局局長Jaime Roberto Carion(賈利安)工程師或其法定代任人,以便代表澳門特別行政區作為簽署人,與澳門土木工程實驗室簽訂「塔石廣場重整之質量控制」服務合同。
二零零五年六月八日
運輸工務司司長 歐文龍
———
二零零五年六月九日於運輸工務司司長辦公室
辦公室主任 黃振東






