澳 門 特 別 行 政 區
運輸工務司司長辦公室
|
| |||||||||||
| 廢止 : | |||
| 相關法規 : | |||
| 相關類別 : | |||
| 《LegisMac》的法例註釋 | |||
第123/2005號運輸工務司司長批示
運輸工務司司長行使《澳門特別行政區基本法》第六十四條賦予的職權,並根據七月五日第6/80/M號法律第二十九條第一款c)項、第四十九條和續後數條的規定,作出本批示。
一、廢止由公佈於一九九八年八月十二日第三十二期《澳門政府公報》第二組的第79/SATOP/98號批示規範的合同。
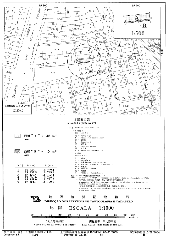
二、宣告收回一幅面積53平方米,無帶任何責任或負擔,位於澳門半島木匠圍,其上建有11號樓宇,標示於物業登記局第3762號的土地的利用權。其中面積43平方米,在本批示組成部分的地圖繪製暨地籍局第3519/1991號地籍圖中以字母“A”標示的土地,用作納入澳門特別行政區公產,而餘下面積10平方米,在上述地籍圖以字母“B”標示的土地,則用作納入澳門特別行政區私產。
三、根據本批示組成部份的附件合同所載規定及條件,以租賃制度及免除公開競投方式批出一幅面積85平方米,位於氹仔島,鄰近橋樑前地,稱為排角堆填區4號地段的土地。
四、本批示即時生效。
二零零五年八月十五日
運輸工務司司長 歐文龍
———
附件
(土地工務運輸局第1440.01號案卷及土地委員會第10/2005號案卷)
合同協議方:
甲方——澳門特別行政區;及
乙方——吳利勳及其配偶張雪芳。
鑒於:
一、透過公佈於一九九八年八月十二日第三十二期《澳門政府公報》第二組的第79/SATOP/98號批示,核准將一幅位於氹仔島,鄰近橋樑前地,稱為排角堆填區4號地段,面積85平方米的土地出售予吳利勳,廣東出生,及其配偶張雪芳,香港出生,兩人均為中國籍,以取得共同財產制結婚,居於澳門南灣大馬路763號聯邦大廈15字樓A。
二、根據由第79/SATOP/98號批示核准的合同第二條款的規定,上述土地的售價為澳門幣422,271.00元,當中澳門幣241,553.00元以現金繳付,而餘額澳門幣181,198.00元,透過交付位於澳門半島木匠圍的11號,標示於物業登記局第3762號,屬完全所有權制度,以吳利勳及其配偶張雪芳名義登錄,面積53平方米的樓宇,以實物支付。根據對該地點所訂定的街道準線,該土地用作納入公產,故不具備建築的可行性。
三、當簽署買賣及代物清償公證書時,財政局公證處發現木匠圍11號樓宇為澳門特別行政區的長期租借地,因為根據物業登記局發出的證明,該土地的田底權是以國家公鈔局的名義登錄於F17L冊第103頁第3400號。
四、基於財政局發現資料不一致及所作出的通知,土地工務運輸局建議廢止由第79/SATOP/98號批示核准的合同及批准歸還一幅無帶任何責任或負擔,其上建有木匠圍11號樓宇的土地的使用權,以及將一幅面積85平方米,位於氹仔島,鄰近橋樑前地,稱為排角堆填區4號地段的土地以租賃制度批予吳利勳,並須根
據財政局的資料,扣除利害關係人已經以現金繳付的部分溢價金及木匠圍土地的價值。
五、該建議獲運輸工務司司長二零零五年二月一日的批示同意。吳利勳及其配偶張雪芳透過二零零五年二月十六日遞交的聲明書,表示接納合同的條件。
六、其上建有木匠圍11號樓宇,面積53平方米的土地,以字母“A”及“B”標示在地圖繪製暨地籍局於二零零四年八月十六日發出的第3519/1991號地籍圖中。以字母“A”標示,被不動產所占用的地塊,用作納入澳門特別行政區公產,而以字母“B”標示的地塊與叢慶北街21至21B號樓宇重疊,因此須納入私產。
七、位於氹仔島,鄰近橋樑前地,稱為排角堆填區4號地段的土地,在物業登記局未有標示,但在地圖繪製暨地籍局於二零零四年八月十二日發出的第5346/1996號地籍圖中定界。
八、案卷按一般程序送交土地委員會,該委員會於二零零五年三月三日舉行會議,同意批准有關申請。
九、土地委員會的意見書已於二零零五年三月十四日經行政長官的批示確認,該批示載於運輸工務司司長同一日期的贊同意見書上。
十、根據並履行七月五日第6/80/M號法律第一百二十五條的規定,已將由本批示規範的合同條件通知申請人吳利勳和張雪芳。兩人透過二零零五年四月十九日的聲明書,明確表示接納有關條件。
十一、合同第八條款第3)項所述的溢價金已透過土地委員會在二零零五年四月十四日發出的第65/2005號非經常性收入憑單,於二零零五年四月十八日在澳門財稅廳收納處繳付(收據編號32830),其副本存於本委員會的案卷內。
十二、合同第九條款第1款所述、相當於十二個月租金的保證金,已透過財政局於二零零五年四月十九日發出的第073/ARR/2005號憑單,以現金存入澳門特別行政區帳戶(帳號001-800797-111-5)的方式繳付。
第一條款——合同標的
本合同標的為:
1)廢止由公佈於一九九八年八月十二日第三十二期《澳門政府公報》第二組的第79/SATOP/98號批示規範的合同。
2)將一幅無帶任何責任或負擔,面積53(伍拾叁)平方米,價值為$ 96,052.00(澳門幣玖萬陸仟零伍拾貳元整),位於澳門半島,其上建有木匠圍11號樓宇,標示於物業登記局第3762號,並以乙方名義登錄於該局第113959號,以字母“A”及“B”標示在本合同組成部份的地圖繪製暨地籍局於二零零四年八月十六日發出的第3519/1991號地籍圖上的土地的利用權歸還甲方。根據新街道準線的規定,以字母“A”標示的地塊用作納入澳門特別行政區公產,作為公共街道,而以字母“B”標示,價值為$ 18,123.00 (澳門幣壹萬捌仟壹佰貳拾叁元整)的地塊則用作納入私產。
3)以租賃制度批給乙方一幅位於氹仔島,鄰近橋樑前地,稱為排角填海區4地段,面積85(捌拾伍)平方米,標示在本合同組成部份的地圖繪製暨地籍局於二零零四年八月十二日發出的第5346/1996號地籍圖上,價值為$ 552,726.00(澳門幣伍拾伍萬貳仟柒佰貳拾陸元整),在物業登記局未有標示的土地,以下簡稱土地。
第二條款——租賃期限
1. 租賃的有效期為25(貳拾伍)年,由規範本合同的批示在《澳門特別行政區公報》公佈當日起計。
2. 上款訂定的租賃期限可按照適用法例連續續期。
第三條款——土地的利用及用途
1. 土地用作興建一幢屬分層所有權制度的5(伍)層高樓宇,其中1(壹)層為地庫,按用途分配如下:
- 1)住宅:建築面積303平方米;
- 2)商業:建築面積144平方米。
2. 上款所述面積在為發出有關使用准照而作實地檢查時可作修改。
第四條款——租金
1. 根據三月二十一日第50/81/M號訓令的規定,乙方繳付的年租如下:
1)在土地利用的工程施工期間,繳付每平方米批出土地的租金$ 10.00(澳門幣拾元整),總金額為$ 850.00(澳門幣捌佰伍拾元整);
2) 在土地利用完成後,租金將按以下數值計算:
- (1)住宅:建築面積每平方米$ 5.00(澳門幣伍元整);
- (2)商業:建築面積每平方米$ 7.50(澳門幣柒元伍角)。
2. 租金每五年調整一次,由規範本合同的批示在《澳門特別行政區公報》公佈當日起計,但不妨礙在合同生效期間所公佈法例之新訂租金的即時實施。
第五條款——利用期限
1. 土地利用的總期限為18(拾捌)個月,由規範本合同的批示在《澳門特別行政區公報》公佈當日起計。
2. 上款訂定的期限包括乙方遞交圖則及甲方核准該等圖則所需的時間。
第六條款——特別負擔
由乙方獨力承擔的特別負擔為:
1)騰空在本合同第一條款第2款所述的土地,並移走可能存在該土地上的所有建築物及物料。
2)由規範本合同的批示在《澳門特別行政區公報》公佈當日起計60(陸拾)日期限內,進行為移轉第一條款第2款所述土地所需的一切法律行為的程序,包括在有關登記局進行物業登記。
第七條款——罰款
1. 除有合理解釋且為甲方接受的特殊原因外,乙方不遵守第五條款訂定有關工程完工的期限,延遲不超過60(陸拾)日者,處以罰款每日可達$ 5,000.00(澳門幣伍仟元整),延遲超過60(陸拾)日,但在120(壹佰貳拾)日以內者,則罰款將加至雙倍。
2. 遇有不可抗力或發生被證實為非乙方所能控制的特殊情況,則免除乙方承擔上款所指的責任。
3. 僅因不可預見及不可抵抗事件而引發的情況,方視為不可抗力。
4. 為著第2款規定的效力,乙方必須儘快將發生上述事實的情況以書面通知甲方。
第八條款——合同溢價金
乙方須向甲方繳付合同溢價金$ 552,726.00(澳門幣伍拾伍萬貳仟柒佰貳拾陸元整),其繳付方式如下:
1)$ 241,553.00(澳門幣貳拾肆萬壹仟伍佰伍拾叁元整),按照第2003-88-900014-3號憑單,甲方已收取該款項,並向乙方發出清訖證明書;
2)$ 96,052.00(澳門幣玖萬陸仟零伍拾貳元整),透過交付本合同第一條款第2款所述的無帶任何責任或負擔的土地,以實物繳付;
3)餘款$ 215,121.00(澳門幣貳拾壹萬伍仟壹佰貳拾壹元整)在接受七月五日第6/80/M號法律第一百二十五條所指的本合同條件時,以現金一次性繳付。
第九條款——保證金
1. 根據七月五日第6/80/M號法律第一百二十六條的規定,乙方須透過存款或甲方接受的銀行擔保繳付保證金$ 850.00(澳門幣捌佰伍拾元整)。
2. 上款所指的保證金金額,應按每年有關年租的數值調整。
第十條款——轉讓
1. 倘土地未被完全利用而將批給所衍生的狀況轉讓,須事先獲得甲方許可,且承讓人亦須受本合同修改後的條件約束,尤其有關溢價金方面。
2. 為保證建設所需的融資,乙方可根據十二月二十六日第51/83/M號法令第二條的規定,將現批出土地的租賃權向總行或分行設在澳門特別行政區的信貸機構作意定抵押。
第十一條款——監督
在批出土地的利用期間,乙方必須准許執行監督工作的行政當局部門代表進入該土地及施工範圍,並向代表提供一切所需的協助,使其能有效地執行任務。
第十二條款——失效
1. 本合同在下列情況下失效:
- 1)第七條款第1款規定的加重罰款期限屆滿;
- 2)當土地利用未完成,未經同意而更改批給用途;
- 3)土地利用中止超過90(玖拾)日,但有合理解釋且為甲方接受的特殊原因除外。
2. 合同的失效由行政長官以批示宣告,並在《澳門特別行政區公報》公佈。
3. 合同的失效導致該幅無帶負擔及被騰空的土地歸甲方所有,乙方無權要求任何賠償。
第十三條款——解除
1. 倘發生下列任一事實,本合同可被解除:
- 1)不準時繳付租金;
- 2)當土地利用完成,未經同意而更改土地利用及/或批給用途;
- 3)違反第十條款的規定,將批給所衍生的狀況轉讓;
- 4)不履行第六條款訂定的義務。
2. 合同的解除由行政長官以批示宣告,並在《澳門特別行政區公報》公佈。
第十四條款——有權限法院
澳門特別行政區初級法院為有權解決由本合同所產生任何爭訟的法院。
第十五條款——適用法例
如有遺漏,本合同以七月五日第6/80/M號法律和其他適用法例規範。
|
| |||||||||||
| 相關類別 : | |||
| 《LegisMac》的法例註釋 | |||
第124/2005號運輸工務司司長批示
運輸工務司司長行使《澳門特別行政區基本法》第六十四條賦予的職權,並根據第6/1999號行政法規第六條第二款及第七條,連同第30/2000號行政命令第一款(二)項的規定,作出本批示。
轉授一切所需權力予建設發展辦公室主任羅定邦工程師或其法定代任人,以便代表澳門特別行政區作為簽署人,與“新基業工程有限公司”簽訂“法律改革辦公室辦事處的工程”的施工合同。
二零零五年八月十五日
運輸工務司司長 歐文龍
———
二零零五年八月十六日於運輸工務司司長辦公室
辦公室主任 黃振東





