澳 門 特 別 行 政 區
運輸工務司司長辦公室
|
| |||||||||||
| 相關類別 : | |||
| 《LegisMac》的法例註釋 | |||
第135/2005號運輸工務司司長批示
運輸工務司司長行使《澳門特別行政區基本法》第六十四條賦予的職權,並根據第6/1999號行政法規第六條第二款和第七條,連同第15/2000號行政命令第一款、第二款及第五款的規定,作出本批示。
轉授一切所需權力予土地工務運輸局局長Jaime Roberto Carion(賈利安)工程師或其法定代任人,以便代表澳門特別行政區作為簽署人,與南光資訊有限公司簽訂「供應及安裝衝紅燈偵測系統II」合同。
二零零五年九月九日
運輸工務司司長 歐文龍
|
| |||||||||||
| 相關類別 : | |||
| 《LegisMac》的法例註釋 | |||
第136/2005號運輸工務司司長批示
運輸工務司司長行使《澳門特別行政區基本法》第六十四條賦予的職權,並根據第6/1999號行政法規第六條第二款及第七條,連同第30/2000號行政命令第一款(二)項的規定,作出本批示。
轉授一切所需權力予建設發展辦公室主任羅定邦工程師或其法定代任人,以便代表澳門特別行政區作為簽署人,與中交第三航務工程勘察設計院簽訂製作“國際機場跑道擴建”的設計的合同。
二零零五年九月十二日
運輸工務司司長 歐文龍
|
| |||||||||||
| 相關法規 : | |||
| 相關類別 : | |||
| 《LegisMac》的法例註釋 | |||
第139/2005號運輸工務司司長批示
運輸工務司司長行使《澳門特別行政區基本法》第六十四條賦予的職權,並根據七月五日第6/80/M號法律第四十九條和續後數條及第七十六條和續後數條的規定,作出本批示。
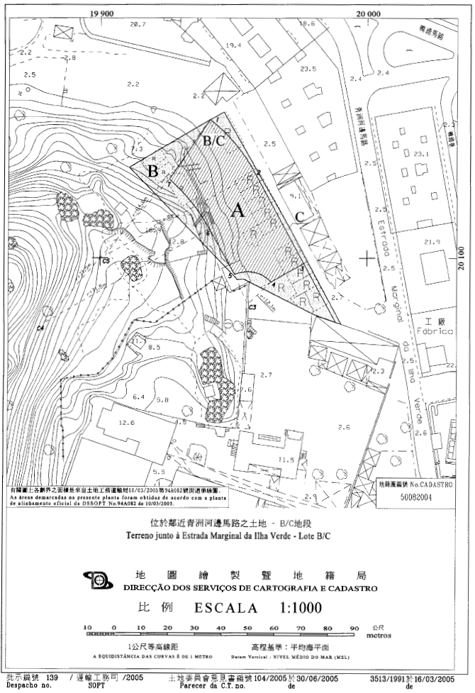
一、將一幅面積2,355平方米,位於澳門半島,鄰近青洲河邊馬路,稱為B/C地段,標示於物業登記局第22064號的土地讓與澳門特別行政區。
二、根據本批示組成部分的附件合同所載規定及條件,以租賃制度及免除公開競投方式批出一幅面積1,049平方米,位於澳門半島林茂海邊大馬路,稱為B4地段的土地作交換。
三、本批示即時生效。
二零零五年九月十四日
運輸工務司司長 歐文龍
———
附件
(土地工務運輸局第2345.01號案卷及土地委員會第23/2005號案卷)
合同協議方:
甲方—— 澳門特別行政區;及
乙方—— 駿昇發展有限公司。
鑒於:
一、根據第95493G號登錄,總址設於澳門北京街244至246號澳門金融中心,登記於商業及動產登記局第13923(SO)號的駿昇發展有限公司擁有一幅屬完全所有權制度,位於澳門半島,鄰近青洲河邊馬路,總面積2,355平方米,稱為B/C地段,標示於物業登記局第22064號的土地。
二、上述土地在地圖繪製暨地籍局於二零零五年三月十六日發出的第3513/1991號地籍圖中以字母“A”、“B”及“C”標示。
三、根據土地工務運輸局於二零零零年十一月七日對該地點發出的第94A082號正式街道準線圖所訂定的都市化條件,該土地的擁有人須將土地中一幅面積1,119平方米,在上述地籍圖中以字母“C”標示,作行人區及公共街道的地塊讓與澳門特別行政區作為公產,以便使該區的規劃更整齊。
四、該地塊的面積約佔有關土地總面積的47.5%,而鑒於餘下土地的面積導致土地沒有利用效益,因此,上述公司,即該土地的擁有人請求以租賃制度批出一幅作商業、住宅及停車場用途的土地,以交換該幅屬其所有的土地。
五、由於政府有意將申請公司的土地用作興建社會房屋,經雙方協議,把該土地的所有權讓與澳門特別行政區,用作交換一幅以租賃制度批出,位於林茂海邊大馬路,面積1,049平方米,稱為B4地段的土地。
六、因此,透過二零零五年四月十一日遞交的申請書,駿昇發展有限公司正式申請交換土地,並附同林茂海邊大馬路B4地段的利用初研方案。
七、在收集有關初研方案的技術意見後,土地工務運輸局制定了交換合同擬本,申請人透過於二零零五年六月十七日遞交的聲明書,同意該擬本的條件。
八、案卷按一般程序送交土地委員會,該委員會於二零零五年六月三十日舉行會議,同意批准有關申請。
九、土地委員會的意見書已於二零零五年七月十一日經行政長官的批示確認,該批示載於運輸工務司司長二零零五年七月八日的贊同意見書上。
十、批給標的之土地面積為1,049平方米,在地圖繪製暨地籍局於二零零五年四月十三日發出的第6232/2004號地籍圖中以字母“A”、“B”及“C”標示,而在物業登記局未有標示。
十一、根據並履行七月五日第6/80/M號法律第一百二十五條的規定,已將由本批示規範的合同條件通知申請公司。該公司透過由Ho Iu San,離婚,職業住所位於澳門北京街244至246號澳門金融中心14字樓B-C,以其本人名義及Zhang Yan Lai的受權人身分,兩人均為駿昇發展有限公司的董事,於二零零五年七月二十五日簽署的聲明書,明確表示接納有關條件。根據載於該聲明書上的確認,其身分及權力已經私人公證員António Baguinho事務所核實。
第一條款—— 合同標的
本合同標的為:
1)甲方接納乙方讓與一幅無帶任何責任或負擔,面積2,355(貳仟叁佰伍拾伍)平方米,價值為$ 17,034,231.00(澳門幣壹仟柒佰零叁萬肆仟貳佰叁拾壹元整),以字母“A”、“B”及“C”標示在地圖繪製暨地籍局於二零零五年三月十六日發出並作為本合同組成部分的第3513/1991號地籍圖中,標示於物業登記局第22064號,以完全所有權制度以乙方名義登錄於上述登記局第95493G號,位於澳門半島,鄰近青洲河邊馬路,稱為B/C地段的土地。其中以字母“A”標示的地塊,將納入澳門特別行政區私產,而字母“B”及“C”標示的地塊,則納入澳門特別行政區公產。
2)以租賃制度及免除公開競投方式批給乙方一幅位於澳門半島,鄰近林茂海邊大馬路,稱為B4地段,在物業登記局沒有標示,面積1,049(壹仟零肆拾玖)平方米,價值為$ 17,034,231.00(澳門幣壹仟柒佰零叁萬肆仟貳佰叁拾壹元整),在地圖繪製暨地籍局於二零零五年四月十三日發出並作為本合同組成部分的第6232/2004號地籍圖中以字母“A”及“B”標示的土地。該土地以下簡稱土地,其批給由本合同的條款規範。
第二條款—— 租賃期限
1. 租賃的有效期為25(貳拾伍)年,由規範本合同的批示在《澳門特別行政區公報》公佈當日起計。
2. 上款訂定的租賃期限可按照適用法例連續續期。
第三條款—— 土地的利用及用途
1. 土地用作興建一幢屬分層所有權制度的30(叁拾)層高樓宇,其建築面積按用途分配如下:
| 住宅 | 12,400平方米; |
| 商業 | 525平方米; |
| 停車場 | 3,052平方米; |
| 花園 | 963平方米。 |
2. 以字母“B”標示在地圖繪製暨地籍局於二零零五年四月十三日發出的第6232/2004號地籍圖中,面積109(壹佰零玖)平方米的地塊,其位於拱廊下地面層柱子之間的土地必須留空,以便將來供人貨自由通行,同時不能設置任何限制,亦不得作任何形式的臨時或永久性佔用。該部分稱為拱廊下的行人區。
3. 乙方有義務留空上款所述條狀地段下面至1.5米深的全部下層土壤,以便在該處安裝供水、供電和通訊的基礎設施,但被拱廊支柱地基佔用的空間除外。
第四條款—— 租金
1. 乙方每年繳付的租金如下:
1)在土地利用期間,每平方米批給土地的租金為$ 16.00(澳門幣拾陸元整),總金額為$ 16,784.00(澳門幣壹萬陸仟柒佰捌拾肆元整);
2) 在土地利用完成後,將改為:
- (1)住宅用途的建築面積每平方米$ 8.00(澳門幣捌元整);
- (2)商業用途的建築面積每平方米$ 16.00(澳門幣拾陸元整);
- (3)停車場用途的建築面積每平方米$ 8.00(澳門幣捌元整);
- (4)花園面積每平方米$8.00(澳門幣捌元整)。
2. 租金每五年調整一次,由規範本合同的批示在《澳門特別行政區公報》公佈當日起計,但不妨礙在合同生效期間所公佈法例之新訂租金的即時實施。
第五條款—— 利用期限
1. 土地的總利用限期為36(叁拾陸)個月,由規範本合同的批示在《澳門特別行政區公報》公佈當日起計。
2. 上款訂定的期限包括乙方遞交圖則及甲方審議該等圖則所需的時間。
第六條款—— 特別負擔
1. 由乙方獨力承擔的特別負擔為騰空在地圖繪製暨地籍局於二零零五年四月十三日發出的第6232/2004號地籍圖中以字母“A”、“B”及“C”標示的地塊,並移走其上所有的建築物、物料及基礎設施。
2. 由規範本合同的批示在《澳門特別行政區公報》公佈當日起計60(陸拾)日內,乙方須將第一條款第1款所述的一幅面積2,355(貳仟叁佰伍拾伍)平方米,已騰空及無任何建築物的土地交予甲方,並進行移轉該土地所需的一切法律行為,包括在有關的登記局作物業登記。
第七條款—— 土地上的剩餘物料
1. 未得甲方事先的書面批准,乙方不得移走土地上任何來自挖掘地基及平整土地的物料,如泥、石、碎石和砂。
2. 經甲方批准移走的物料,須存放於甲方指定的地點。
3. 倘乙方違反本條款的規定,除必須繳付由土地工務運輸局鑑定人員按實際移走物料訂定的賠償外,並將科以下列罰款:
- 1)首次違反:$ 20,000.00至$ 50,000.00;
- 2)第二次違反:$ 51,000.00至$ 100,000.00;
- 3)第三次違反:$ 101,000.00至$ 200,000.00;
- 4)違反四次或以上,甲方有權取消合同。
第八條款—— 罰款
1. 除有合理解釋且為甲方接受的特殊原因外,乙方不遵守第五條款訂定的期限,延遲不超過60(陸拾)日者,處以罰款每日可達$ 5,000.00(澳門幣伍仟元整);延遲超過60(陸拾)日,但在120(壹佰貳拾)日以內者,則罰款將加至雙倍。
2. 遇有不可抗力或發生被證實為不受控制的其他重要情況,則免除乙方承擔上款所指的責任。
3. 僅因不可預見及不可抵抗事件而引發的情況,方視為不可抗力。
4. 為著第2款規定的效力,乙方必須儘快將發生上述事實的情況以書面通知甲方。
第九條款—— 保證金
1. 按照七月五日第6/80/M號法律第一百二十六條的規定,乙方須透過存款或甲方接受的銀行擔保繳付保證金$ 16,784.00(澳門幣壹萬陸仟柒佰捌拾肆元整)。
2. 上款所指的保證金金額,應按每年有關年租的數值調整。
第十條款—— 使用准照
使用准照僅在證明已履行第六條款規定的義務後方予發出。
第十一條款—— 轉讓
1. 當土地未被完全利用而將本批給所衍生的狀況轉讓,須事先獲得甲方許可,承讓人亦須受本合同修改後的條件約束。
2. 為保證建設所需的融資,乙方可根據十二月二十六日第51/83/M號法令第二條的規定,將現批出土地的租賃權向總行或分行設在澳門特別行政區的信貸機構作意定抵押。
第十二條款—— 監督
在批給土地的利用期間,乙方必須准許行政當局有關部門執行監督工作的代表進入該土地及施工範圍,並向代表提供一切所需的協助,使其能有效地執行任務。
第十三條款—— 失效
1. 本合同在下列情況下失效:
- 1)第八條款第1款規定的加重罰款期限屆滿;
- 2)當土地利用未完成,未經同意而更改批給用途;
- 3)土地利用中止超過90(玖拾)日,但有合理解釋且為甲方接受的特殊原因除外。
2. 合同的失效由行政長官以批示宣告,並在《澳門特別行政區公報》公佈。
3. 合同的失效導致土地連同其上的所有改善物歸甲方所有,乙方無權要求任何賠償。
第十四條款—— 解除
1. 倘發生下列任一事實,本合同可被解除:
- 1)不準時繳付租金;
- 2)土地利用已完成,未經同意而更改土地利用及/或批給用途;
- 3)不履行第六條款訂定的義務;
- 4)四次或以上重複不履行第七條款規定的義務;
- 5)違反第十一條款的規定,將批給所衍生的狀況轉讓。
2. 合同的解除由行政長官以批示宣告,並在《澳門特別行政區公報》公佈。
第十五條款—— 有權限法院
澳門特別行政區初級法院為有權解決由本合同所產生任何爭訟的法院。
第十六條款—— 適用法例
如有遺漏,本合同以七月五日第6/80/M號法律和其他適用法例規範。
———
二零零五年九月十五日於運輸工務司司長辦公室
辦公室主任 黃振東






