澳 門 特 別 行 政 區
運輸工務司司長辦公室
|
| |||||||||||
| 相關法規 : | |||
| 相關類別 : | |||
| 《LegisMac》的法例註釋 | |||
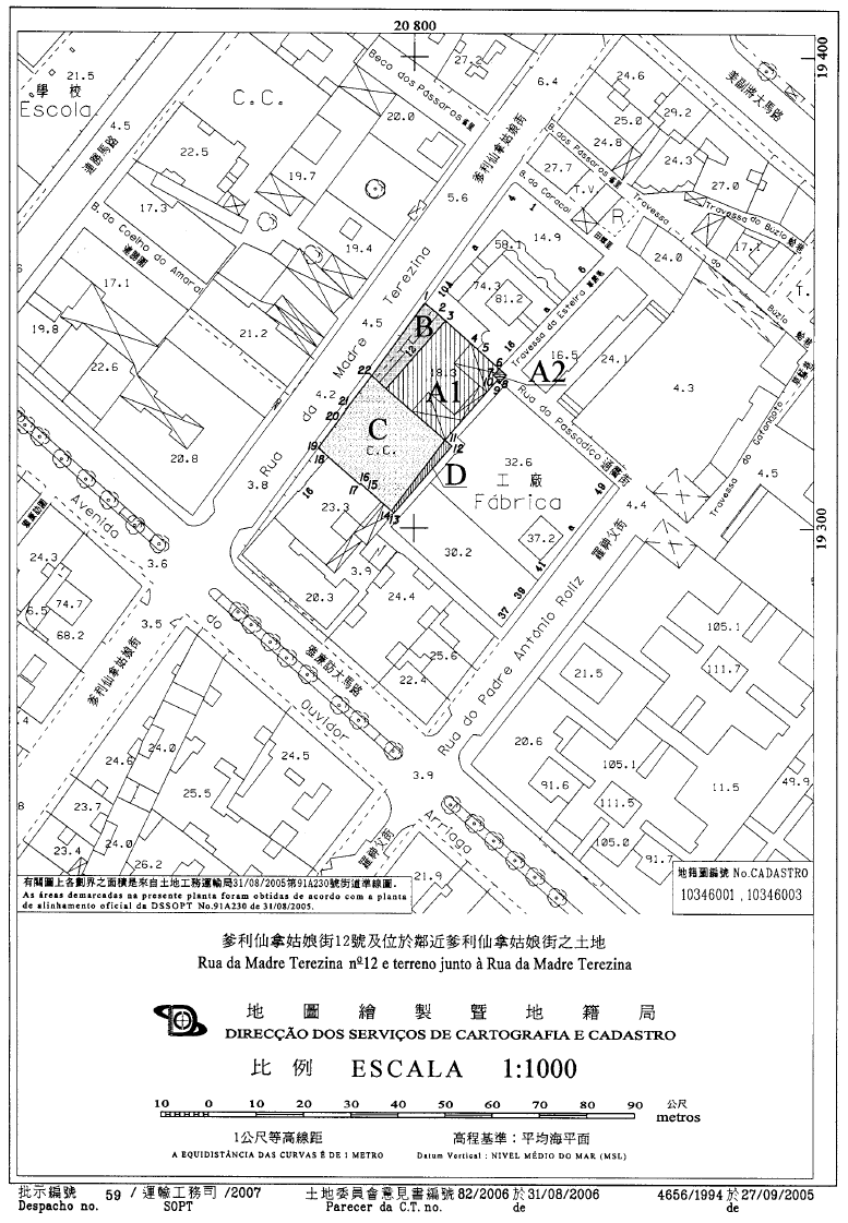
第59/2007號運輸工務司司長批示
運輸工務司司長行使《澳門特別行政區基本法》第六十四條賦予的職權,並根據《民法典》第四百二十六條及七月五日第6/80/M號法律第四條、第二十九條、第四十四條、第四十五條、第一百零七條及第一百二十七條的規定,作出本批示。
一、宣告解除由第60/SATOP/95號批示規範的合同,解除僅涉及修改一幅以長期租借制度批出,面積391平方米,位於澳門半島爹利仙拿姑娘街,無門牌號碼,標示於物業登記局B43冊第164頁背頁第20269號的土地的批給部份,該土地仍然為現時的持有人鍾小健、鄧國明、羅盛宗及黃敬良持有。
二、將一幅面積25平方米,在地圖繪製暨地籍局於二零零五年九月二十七日發出的第4656/1994號地籍圖中以字母“D”標示,但在物業登記局未有標示,現為草蓆巷的組成部分的地塊脫離澳門特別行政區公產,並納入其私產作為無主土地。
三、為統一法律制度,將一幅屬完全所有權制度,總面積316平方米,由一幅面積314平方米,在上述地籍圖中以字母“A1”標示,用作納入澳門特別行政區私產的地塊,以及另一幅面積2平方米,在同一地籍圖中以字母“A2”標示,用作納入公產,作為公共街道的地塊所組成的土地讓與澳門特別行政區。上述兩幅地塊位於澳門半島,其上建有爹利仙拿姑娘街12號樓宇,為標示於物業登記局B43冊第164頁第20268號的土地的組成部分。
四、以長期租借制度批出上款所指面積314平方米的地塊及第二款所指面積25平方米的毗鄰地塊。
五、根據本批示組成部分的附件合同所載規定及條件,批准東明地產發展有限公司(以其公司名義及鍾小健、鄧國明、羅盛宗及黃敬良的受權人身分)修改兩幅位於澳門半島爹利仙拿姑娘街,其中一幅以長期租借制度批出,識別於第一款,在上述地籍圖中以字母“C”標示的土地,以及另一幅面積94平方米,在同一地籍圖中以字母“B”標示,為標示於物業登記局B43冊第164頁第20268號的土地的組成部分的地塊的批給。
六、第一款至第五款所述以字母“A1”、“B”、“C”及“D”標示於上述地籍圖中的地塊用作以長期租借制度合併及共同利用,並組成一幅面積824平方米的單一地段。
七、本批示即時生效。
二零零七年六月四日
運輸工務司司長 劉仕堯
———
附件
(土地工務運輸局第2230.01號案卷及土地委員會第52/2006號案卷)
合同協議方:
甲方——澳門特別行政區;及
乙方——東明地產發展有限公司,以其公司名義及鍾小健、黃敬良、鄧國明及羅盛宗的受權人身分。
鑒於:
一、透過公佈於一九九五年六月七日第二十三期《澳門政府公報》第二組的第60/SATOP/95號批示,對一幅以長期租借制度批予星聯置業有限公司,面積416平方米,位於澳門半島爹利仙拿姑娘街,其上曾建有14號樓宇的土地的修改批給合同作出規範。
二、土地標示於物業登記局B43冊第164頁背頁第20269號。
三、基於有關修改,在合同附件的地籍圖中以字母“B”標示,面積25平方米的地塊將歸還當時的澳門政府,以納入公產及脫離該標示。土地的最終面積為391平方米。
四、根據有關合同第二條款及第四條款的規定,承批人獲准重新利用有關土地,由上述批示公佈日起計三十個月的總期限內,即至一九九七年十二月七日止,興建一幢樓高十九層,屬分層所有權制度,作商業、住宅及停車場用途的樓宇。
五、雖然工程已在一九九六年七月十八日動工,但承批人透過一九九七年九月十五日的申請書,將一份包括寫字樓用途及在已核准的體積上加建兩層的修改建築計劃交予前土地工務運輸司審議,經不斷修正後,尤其關於結構理由而許可的停車場地庫數目方面,有關計劃被視為可予核准。
六、前土地工務運輸司分析了有關用途的修改及利用的更改,並計算了附加溢價金和制訂修改合同擬本,根據一九九九年二月二日遞交的聲明書,有關條件已獲申請人接納。
七、案卷按一般程序進行,而土地委員會的意見書已於一九九九年七月二十三日獲當時的澳門總督確認。
八、申請人於一九九九年九月三日遞交了接受合同條件的聲明書,但沒有支付第七條款第二款所述的保證金。
經多次通知申請公司支付後,該公司仍沒有作出回覆,案卷因此懸而未決。
九、同時,根據物業登記局第96896G號登錄,鍾小健,與潘奭恩以分別財產制結婚、鄧國明,與阮小文以取得共同財產制結婚、羅盛宗離婚,以及黃敬良,與呂綺霞以分別財產制結婚,各人均居於澳門渡船台8號一字樓,透過二零零四年九月九日在初級法院以密封標書方式進行的司法變賣,取得有關土地的利用權。
十、二零零五年十一月十四日,總址設於澳門高美士街14號景秀花園二字樓“A”,登記於商業及動產登記局第20019(SO)號的東明地產發展有限公司透過其法定代表及上述土地利用權的擁有人鍾小健、鄧國明、羅盛宗及黃敬良向土地工務運輸局遞交了一份有關一幢屬分層所有權制度,樓高三十七層,作住宅、商業及停車場用途的樓宇的建築計劃,以便將該幅土地與另一幅位於澳門半島爹利仙拿姑娘街,其上建有12號樓宇,標示於物業登記局B43冊第164頁第20268號的毗鄰土地共同重新利用。
十一、作為重新利用標的之土地在地圖繪製暨地籍局於二零零五年九月二十七日發出的第4656/1994號地籍圖中以字母“A1”、“A2”、“B”、“C”及“D”標示。
十二、“A1”及“A2”地塊為標示於物業登記局B43冊第164頁第20268號土地的組成部分,屬完全所有權制度,而“B”地塊則屬長期租借批給制度,為同一土地的組成部分。
十三、“C”及“D”地塊相當於第60/SATOP/95號批示之標的土地,標示於物業登記局B43冊第164頁背頁第20269號,鑒於透過上述批示,將“D”地塊歸還澳門特別行政區,該地塊現時屬澳門特別行政區公產。
十四、鑒於建築計劃被視為可予有條件核准,且需統一組成有關地段的五幅地塊的法律制度,上述公司透過二零零六年二月二十四日致行政長官的申請書,表示有意將“A1”及“A2”地塊的所有權讓與澳門特別行政區,並請求以長期租借制度批給面積314平方米的“A1”地塊,把面積2平方米的“A2”地塊納入公產,並以相同制度批給面積25平方米的“D”地塊,同時請求修改面積分別為94平方米及391平方米的“B”及“C”地塊的批給,該四幅地塊於合併後組成一幅面積824平方米的單一地段。
十五、基此,土地工務運輸局按照同類個案所採用的程序,經考慮申請公司所遞交由初級法院發出的土地利用權轉讓憑證後,結論為須宣告部分解除由上述第60/SATOP/95號批示規範的修改批給合同,但土地維持由現時的持有人持有,因利用權的登錄是以其名義作出,以及根據上點所述的申請對批給進行修改,同時向上級建議批准有關申請。有關建議獲前運輸工務司司長同意。
十六、因此,計算了應得的回報及制訂了修改批給的合同擬本,申請公司已透過二零零六年七月十二日遞交的聲明書接納有關擬本。
十七、案卷按一般程序送交土地委員會,該委員會於二零零六年八月三十一日舉行會議,同意批准有關申請。
十八、土地委員會的意見書已於二零零六年九月二十三日經行政長官的批示確認,該批示載於前運輸工務司司長二零零六年九月二十日的贊同意見書上。
十九、根據並履行七月五日第6/80/M號法律第一百二十五條的規定,已將由本批示規範的合同條件通知申請公司。申請公司透過二零零六年十一月六日遞交由鍾小健以東明地產發展有限公司的A組董事身分及鄧國明和羅盛宗以該公司B組董事身分簽署的聲明書,明確表示接納有關條件。根據載於聲明書上的確認,上述人士的身分及權力已經第二公證署核實。
二十、合同第三條款第一款1)項所述經調整的利用權價金及第六條款1)項所述的溢價金已透過土地委員會於二零零六年九月二十八日發出的第78/2006號不定期收入憑單,於二零零六年十一月三日在澳門財稅廳收納處繳付(收據編號78930),其副本存於有關案卷內。
二十一、合同第八條款第二款所述的保證金已透過由澳門商業銀行於二零零六年十月二十四日發出其條款獲批給實體接受的第G2006.0437號銀行擔保提供。
第一條款——合同標的
1. 本合同標的為:
1)為統一法律制度,甲方接納乙方讓與兩幅無帶任何責任或負擔,屬完全所有權制度,總面積316(叁佰壹拾陸)平方米,位於澳門半島,其上建有爹利仙拿姑娘街12號樓宇,在地圖繪製暨地籍局於二零零五年九月二十七日發出的第4656/1994號地籍圖中以字母“A1”及“A2”標示,為標示於物業登記局B43冊第164頁第20268號並以乙方名義登錄於第102836G至102839G號的土地的組成部分的地塊;
(1)面積314(叁佰壹拾肆)平方米,價值為5,418,354.00(澳門幣伍佰肆拾壹萬捌仟叁佰伍拾肆元整),標示於物業登記局第20268號的“A1”地塊,將納入澳門特別行政區的私產;
(2)面積2(貳)平方米,價值為$2,000.00(澳門幣貳仟元整),標示於物業登記局第20268號的“A2”地塊,將納入澳門特別行政區的公產作為公共街道;
2)以長期租借制度批給乙方上項(1)分項所述的地塊;
3)將一幅面積25(貳拾伍)平方米,在物業登記局未有標示,以字母“D”標示在上述地籍圖中,現為草蓆巷組成部分的地塊脫離澳門特別行政區公產,並作為無主土地納入澳門特別行政區私產;
4)以長期租借制度批給乙方上項所述的地塊,其價值為$431,398.00(澳門幣肆拾叁萬壹仟叁佰玖拾捌元整);
5)修改兩幅以長期租借制度批出,位於澳門半島爹利仙拿姑娘街,在上述地籍圖中分別以字母“B”及“C”標示,其中一幅面積94(玖拾肆)平方米,為標示於物業登記局B43冊第164頁第20268號及以乙方名義登錄於第102836G至102839G號的土地的組成部分的地塊,以及另一幅面積391( 叁佰玖拾壹)平方米,標示於物業登記局B43冊第164頁背頁第20269號及以乙方名義登錄於第96896G號的地塊的批給。
2. 上款所指分別以字母“A1”、“B”、“C”及“D”標示於上述地籍圖中的地塊,將以長期租借制度合併及共同利用,組成一幅面積824(捌佰貳拾肆)平方米的單一地段,以下簡稱土地,其批給轉由本合同的條款規範。
第二條款——土地的利用及用途
1. 土地用作興建一幢屬分層所有權制度,樓高37(叁拾柒)層,包括一層避火層的樓宇,其用途及建築面積如下:
| 住宅(不包括避火層): | 9,751平方米; |
| 商業: | 331平方米; |
| 停車場: | 4,213平方米; |
| 室外範圍: | 511平方米。 |
2. 上款所述面積在為發出有關使用准照而作實地檢查時可作修改。
第三條款——利用權價金及地租
1. 土地的利用權價金總額為$1,156,840.00(澳門幣壹佰壹拾伍萬陸仟捌佰肆拾元整),其分配如下:
1)$716,005.00(澳門幣柒拾壹萬陸仟零伍元整),為以字母“B”、“C”及“D”標示於上述地圖繪製暨地籍局地籍圖中的地塊經調整後的利用權價金;
2)$440,835.00(澳門幣肆拾肆萬零捌佰叁拾伍元整),為以字母“A1”標示於上述地籍圖中,現作讓與及批給的地塊的利用權價金。
2. 豁免乙方繳付上款2)項為“A1”地塊訂定的利用權價金。
3. 在接納七月五日第6/80/M號法律第一百二十五條所指的本合同條件時,須一次性全數繳付第1款1)項訂定的利用權價金。
4. 每年繳付的地租為$2,892.00(澳門幣貳仟捌佰玖拾貳元整)。
5. 不準時繳付地租將按照稅務執行程序的規定進行強制徵收。
第四條款——利用期限
1. 土地利用的總期限為30(叁拾)個月,由規範本合同的批示在《澳門特別行政區公報》公佈之日起計。
2. 上款所述的期限包括乙方遞交圖則及甲方審議該等圖則所需的時間。
第五條款——罰款
1. 除有合理解釋且為甲方接受的特殊原因外,乙方不遵守上條款訂定的利用期限,延遲不超過60(陸拾)日者,處以罰款每日可達$5,000.00(澳門幣伍仟元整),延遲超過60(陸拾)日,但在120(壹佰貳拾)日以內者,則罰款將加至雙倍。
2. 遇有不可抗力或發生被證實為非乙方所能控制的特殊情況,則免除乙方承擔上款所指的責任。
3. 僅因不可預見及不可抵抗事件而引發的情況,方視為不可抗力。
4. 為著第2款規定的效力,乙方必須儘快將發生上述事實的情況以書面通知甲方。
第六條款——合同溢價金
乙方須按以下方式向甲方繳付合同溢價金$3,899,949.00(澳門幣叁佰捌拾玖萬玖仟玖佰肆拾玖元整):
1)$1,300,000.00(澳門幣壹佰叁拾萬元整),在接納七月五日第6/80/M號法律第一百二十五條所指的本合同條件時繳付;
2)餘款$2,599,949.00(澳門幣貳佰伍拾玖萬玖仟玖佰肆拾玖元整),連同年利率5%的利息分2(貳)期繳付,以半年為一期,每期金額相等,即本金連利息合計為$1,348,924.00(澳門幣壹佰 叁拾肆萬捌仟玖佰貳拾肆元整)。第一期須於規範本合同的批示在《澳門特別行政區公報》公佈後計6(陸)個月內繳付。
第七條款——特別負擔
由乙方獨力承擔的特別負擔為騰空在上述地圖繪製暨地籍局的地籍圖中以字母“A1”、“A2”、“B”、“C”及“D”標示的地塊,並移走其上可能存在的所有建築物、物料及基礎設施。
第八條款——轉讓
1. 當土地未被完全利用而將本批給所衍生的狀況轉讓,須事先獲得甲方許可,承讓人亦須受本合同修改後的條件約束,尤其有關溢價金方面。
2. 在不妨礙上款最後部分規定的情況下,乙方須以存款、其條款獲甲方接受的擔保或保險擔保提供保證金$180,000.00(澳門幣拾捌萬元整),作為擔保履行已設定的義務。該保證金可應乙方要求,在發出使用准照或批准轉讓批給所衍生的權利時退還。
第九條款——監督
在批出土地的利用期間,乙方必須准許行政當局有關部門執行監督工作的代表進入土地及施工範圍,並向代表提供一切所需的協助,使其有效執行任務。
第十條款——土地的收回
1. 倘未經批准而更改批給用途或土地的利用,甲方可宣告全部或部分收回土地。
2. 當發生下列任一事實,土地亦會被收回:
1)第五條款規定的加重罰款期限屆滿;
2)土地的利用及/或批給用途中斷;
3)不履行第六條款及第七條款訂定的義務。
3. 土地的收回由行政長官批示宣告,並在《澳門特別行政區公報》公佈。
4. 土地收回的宣告將產生以下效力:
1)土地的利用權全部或部分被撤銷;
2)土地全部或部分連同其上的所有改善物歸甲方所有,乙方有權收取由甲方訂定的賠償。
第十一條款——有權限法院
澳門特別行政區初級法院為有權解決由本合同所產生任何爭訟的法院。
第十二條款——適用法例
如有遺漏,本合同以七月五日第6/80/M號法律和其他適用法例規範。
|
| |||||||||||
| 相關法規 : | |||
| 相關類別 : | |||
| 《LegisMac》的法例註釋 | |||
第60/2007號運輸工務司司長批示
運輸工務司司長行使《澳門特別行政區基本法》第六十四條賦予的職權,並根據七月五日第6/80/M號法律第一百零七條的規定,作出本批示。
一、根據本批示組成部分的附件合同所載規定及條件,批准修改一幅以租賃制度批出,總面積1,538平方米,位於氹仔島,鄰近菜園路及孫逸仙博士大馬路,稱為TN20a地段,標示於物業登記局第22751號,由第65/SATOP/96號批示規範的土地的批給。
二、本批示即時生效。
二零零七年六月四日
運輸工務司司長 劉仕堯
———
附件
(土地工務運輸局第6323.02號案卷及土地委員會第73/2006號案卷)
合同協議方:
甲方——澳門特別行政區;及
乙方——榮亮建築置業有限公司。
鑒於:
一、透過公佈於一九九六年五月二十二日第二十一期《澳門政府公報》第二組的第65/SATOP/96號批示,核准以租賃制度將一幅面積1,538平方米,位於氹仔島,鄰近菜園路及孫逸仙博士大馬路,稱為TN20a地段的土地批給總辦事處設於澳門南灣大馬路815號才能商業中心1及2字樓,登記於商業及動產登記局第5288(SO)號的榮亮建築置業有限公司。
二、根據上述合同第三及第五條款的規定,土地用作興建一幢屬分層所有權制度,作商業、住宅及停車場用途的樓宇。該樓宇共有十七層,包括一座四層高的樓裙及其上一幢十三層高的塔樓。土地的利用期為三十個月,由上述批示公佈之日起計,因此應於一九九八年十一月二十二日完成利用。
三、雖然承批人已完全履行有關批給應繳的溢價金的義務,包括以現金繳付溢價金及在TN16地段附近的行人天橋安裝三部扶手電梯,並已獲發出地基工程的施工准照,但由於該地段的其中一部分為卓家村路,是該村的出入通道,且在該地段內有一條排雨水渠,需要將其遷往鄰近地方,故不獲批准動工。
四、由於在騰空土地和將鄰近土地進行地段劃分方面出現問題,導致上述雨水渠的改道工程不能進行,從而亦無法開展該土地的利用,雖然已多番努力,但有關問題仍未解決,因此承批公司於一九九八年十一月十三日申請將土地的利用期,由批准動工之日起計,延長三十個月。前運輸暨工務政務司於一九九九年二月十二日作出批示,批准有關申請,並因為延遲非由歸責於承批公司的原因導致,故不向其處以罰款。
五、有關情況一直維持至二零零四年,為解決上述問題,承批公司在與土地工務運輸局多次會議後,建議在將興建樓宇的商鋪的地面下建一箱形涵洞,以代替雨水渠,由於該涵洞屬於公益,為方便起見,並建議在該房地產上設置一行政地役。該公司提交有關的工程圖則,並獲接納。
六、基於上述情況,並由於修改先前遞交的建築圖則而增加了停車場的建築面積,因此承批公司於二零零五年四月十四日將一份申請書呈交行政長官,請求批准更改該土地的利用及根據七月五日第6/80/M號法律第一百零七條的規定,修改批給合同。
七、在集齊組成案卷所需的文件後,制訂了修改批給的合同擬本。承批公司透過二零零六年十一月八日提交的聲明書,明確表示同意該擬本。
八、案卷按一般程序送交土地委員會。該委員會於二零零七年一月二十五日舉行會議,同意批准有關申請。
九、土地委員會的意見書已於二零零七年三月十六日經行政長官的批示確認。
十、有關土地的面積為1,538平方米,在地圖繪製暨地籍局於二零零六年九月二十二日發出的第4842/1994號地籍圖中以字母“A1”、“A2”及“A3”定界和標示,標示於物業登記局B88K冊第326頁第22751號,及其批給衍生的權利以申請人名義登錄於F34K冊第214頁第8542號。以字母“A2”標示的地塊為受公共地役限制的區域。
十一、根據並履行七月五日第6/80/M號法律第一百二十五條的規定,已將由本批示規範的修改批給合同條件通知申請人。申請人透過於二零零七年四月三日遞交由Ho, Hoi Leng Cristina,未婚,成年人,澳門出生,居於澳門木橋街52號地下,以榮亮建築置業有限公司行政管理機關成員身分簽署的聲明書,明確表示接納有關條件。根據載於聲明書上的確認,上述人士的身分及權力已經第二公證署核實。
十二、基於是次修改批給,合同第二條規定的溢價金已透過土地委員會於二零零七年三月二十六日發出的第17/2007號憑單,於二零零七年四月三日在澳門財稅廳收納處繳付(收據編號32707),其副本已存於有關案卷內。
第一條
1. 透過本合同,批准修改一幅以租賃制度批出,總面積1,538(壹仟伍佰叁拾捌)平方米,位於氹仔島,鄰近菜園路及孫逸仙博士大馬路,稱為TN20a地段,登記於物業登記局B88K冊第326頁第22751號,由公佈於一九九六年五月二十二日第二十一期《澳門政府公報》第二組的第65/SATOP/96號批示規範的土地的批給合同。該批給以乙方名義登錄於F34K冊第214頁第8542號。上述土地是由地圖繪製暨地籍局於二零零六年九月二十二日發出的第4842/1994號地籍圖中以字母“A1”、“A2”及“A3”標示的三幅地塊組成,其面積分別為1,017(壹仟零拾柒)、291(貳佰玖拾壹)及230(貳佰 叁拾)平方米。該地籍圖為本合同的組成部份。
2. 鑒於上款所述的修改,上述批給合同的第三、第四、第六及第十條款更改如下:
“第三條款——土地的利用及用途
1. .......。
2. 上款所述樓宇的用途如下:
i)住宅:建築面積11,268平方米;
ii)商業:建築面積1,088平方米;
iii)停車場:建築面積4,742平方米。
3. 根據二零零六年八月三十日由土地工務運輸局核准的第95A020號街道準線圖,在上述地籍圖中以字母“A2”標示,面積291(貳佰玖拾壹)平方米的地塊,其地面以下6(陸)米深範圍內為公共地役,用作舖設排雨水系統。
第四條款——租金
1. .......。
a)在土地利用期間,繳付的總金額為$13,842.00(澳門幣壹萬叁仟捌佰肆拾貳元整),相當於每平方米批出土地為$9.00(澳門幣玖元整);
b)在土地利用完成後,年租將改為按以下金額計算:
i)住宅:建築面積每平方米$4.50(澳門幣肆元伍角);
ii)商業:建築面積每平方米$6.50(澳門幣陸元伍角);
iii)停車場:建築面積每平方米$4.50(澳門幣肆元伍角)。
2. .......。
3. .......。
第六條款——特別負擔
1. 由乙方獨力承擔的特別負擔為:
a)騰空地圖繪製暨地籍局於二零零六年九月二十二日發出的第4842/1994號地籍圖中以字母“A1”、“A2”、“A3”、“B1”、“B2”、“B3”、及“B4”標示的地塊,並移走其上可能存在的所有建築物、物料及基礎建設;
b)根據二零零六年八月三十日核准的第95A020號街道準線圖,在上述地籍圖中以字母“B1”、“B2”、“B3”及“B4”標示,作為公共街道的地塊上進行有關的基礎建設工程;
c)根據稱為TN16地段的鄰近土地的批給合同第六條款——特別負擔——第1款c)項的規定,在行人天橋設置三部扶手電梯。該合同由公佈於一九九三年一月二十六日第四期《澳門政府公報》的第11/SATOP/93號批示規範;
d)根據二零零六年八月三十日核准的第95A020號正式街道準線圖,在上述地籍圖中以字母“A2”標示的地塊其地面以下6(陸)米深範圍內,進行舖設排雨水渠工程。
2. .......。
3. 對第1款b)及d)項所述的興建工程,乙方保證優質施工及使用質量良好的材料與設備,並負責對工程由臨時接收之日起計兩年內所出現的一切瑕疵,進行維修及更正。
第十條款——保證金
1. .......。
2. .......。
3. 第1款所述的保證金在遞交土地工務運輸局發出的使用准照後,應乙方要求,由財政局退還。”
第二條
除按照由公佈於一九九六年五月二十二日第二十一期《澳門政府公報》第二組的第65/SATOP/96號批示規範的批給合同第九條款規定的條件,繳付$19,125,239.00(澳門幣壹仟玖佰壹拾貳萬伍仟貳佰 叁拾玖元整)外,基於是次修改批給,當乙方根據七月五日第6/80/M號法律第一百二十五條的規定接受本合同的條件時,須向甲方一次性繳付合同溢價金$356,236.00(澳門幣 叁拾伍萬陸仟貳佰叁拾陸元整)。
第三條
澳門特別行政區初級法院為有權解決由本合同所產生任何爭訟的法院。
第四條
如有遺漏,本合同以七月五日第6/80/M號法律和其他適用法例規範。
|
| |||||||||||
第61/2007號運輸工務司司長批示
運輸工務司司長行使《澳門特別行政區基本法》第六十四條賦予的職權,並根據第11/2005號行政長官批示第一款及第六款,連同第13/2007號行政命令第一款、第二款及第五款的規定,作出本批示。
轉授一切所需權力予能源業發展辦公室主任山禮度工程師或其法定代任人,以便代表澳門特別行政區作為簽署人,與「新域城市規劃暨工程顧問有限公司」簽訂「公共戶外照明公眾諮詢顧問服務」合同。
二零零七年六月四日
運輸工務司司長 劉仕堯
|
| |||||||||||
| 相關類別 : | |||
| 《LegisMac》的法例註釋 | |||
第62/2007號運輸工務司司長批示
運輸工務司司長行使《澳門特別行政區基本法》第六十四條賦予的職權,並根據第6/1999號行政法規第六條第二款及第七條,連同第13/2007號行政命令第一款、第二款及第五款的規定,作出本批示。
轉授一切所需權力予建設發展辦公室主任António José Castanheira Lourenço工程師或其法定代任人,以便代表澳門特別行政區作為簽署人,與“中鐵(澳門)有限公司、殷理基有限公司工程合作經營體”簽訂“西灣大橋的管理及保養”服務合同。
二零零七年六月五日
運輸工務司司長 劉仕堯
———
二零零七年六月五日於運輸工務司司長辦公室
辦公室主任 黃振東







