澳 門 特 別 行 政 區
運輸工務司司長辦公室
|
| |||||||||||
| 相關法規 : | |||
| 相關類別 : | |||
| 《LegisMac》的法例註釋 | |||
第75/2007號運輸工務司司長批示
運輸工務司司長行使《澳門特別行政區基本法》第六十四條賦予的職權,並根據七月五日第6/80/M號法律第一百零七條和第一百五十三條的規定,作出本批示。
一、根據本批示組成部分的附件合同所載規定及條件,“事後”批准有償轉讓位於澳門半島沙梨頭街106號、昔日108號及無門牌編號,標示於物業登記局第22774號、第3285號及第11920號的房地產,其法律制度已根據由第125/2001號運輸工務司司長批示規範的合同的規定進行統一,並由此組成一幅以長期租借制度批出,面積202平方米的地段。
二、根據對該地點所訂定的新街道準線的規定,將上款所述兩幅無帶任何責任或負擔,總面積4平方米的地塊歸還澳門特別行政區,以納入其公產作為公共街道,因此該幅批出土地的面積現為198平方米。
三、因修改批給標的及更改土地的利用,以及由於新街道準線而導致土地面積及按用途分配的建築面積縮減,因此須對有關批給進行修改。
四、本批示即時生效。
二零零七年八月六日
運輸工務司司長 劉仕堯
———
附件
(土地工務運輸局第2210.03號案卷及土地委員會第67/2006號案卷)
合同協議方:
甲方——澳門特別行政區;及
乙方——吉時建築置業有限公司。
鑒於:
一、透過公佈於二零零二年一月二日第一期《澳門特別行政區公報》第二組的第125/2001號運輸工務司司長批示所規範的合同,將位於澳門半島沙梨頭街,其上建有106號及無門牌編號房地產及昔日曾建有108號房地產,分別標示於物業登記局B53L冊第217頁第22774號、B32冊第38頁背頁第11920號和B16冊第195頁背頁第3285號的土地的法律制度統一,並由此組成一幅以長期租借制度批出,面積202平方米的土地,以便由上述批示公佈之日起計36個月期限內,用作重新利用興建一幢七層高,屬分層所有權制度,作商業及住宅用途的樓宇。
二、當時,上述法律制度已統一的樓宇以Companhia de Investimento Predial Lung Cheong Hong, Limitada的名義登記,該公司的總辦事處設於澳門板樟堂街20至22號Lung Cheong商業大廈五字樓,登記於商業及動產登記局C15冊第76頁背頁第5935號。
三、根據合同第七條款的規定,當土地未被利用而將批給所衍生的狀況轉讓,須事先獲批給實體許可,而承讓人亦須受合同修改後的條件約束。
四、儘管有此限制,Companhia de Investimento Predial Lung Cheong Hong, Limitada透過載於Manuela António私人公證員事務所153冊第100頁,於二零零四年十月八日訂立的買賣合同公證契約,將沙梨頭街106號房地產的利用權和昔日108號及無門牌編號房地產的所有權轉讓與總辦事處設於澳門賈伯樂提督街125號地下,登記於商業及動產登記局C4冊第113頁第1380(SO)號的吉時建築置業有限公司,且沒有將第125/2001號運輸工務司司長批示規範的法律事實進行登記。
五、當時,由於出讓公司沒有就上述批示規範的合同標的之法律事實作出通知,故承讓公司對此並不知悉,且由於在登記中沒載有轉讓有關房地產的任何限制,該公司已以其名義就該三個房地產的取得登錄於第95563G號。承讓公司透過於二零零六年五月二十五日呈交行政長官的申請書,請求“事後”批准轉讓由上述批示規範的批給所衍生的狀況。
六、由於對該地點所訂定的新街道準線導致道路的濶度有所更改,繼而更改土地的面積及樓宇的建築面積,因此,申請人還請求按照遞交土地工務運輸局且已被視為可予核准的建築計劃修改批給合同,以及請求訂定新利用期限及因不履行上述合同第五條款訂定的期限其原因不可歸責於申請人而不對其處以罰款。
七、土地工務運輸局經分析該申請後,由於考慮到之前的權利人並沒對第125/2001號運輸工務司司長批示進行登記及不履行土地的利用,而在該轉讓中沒跡象顯示具有投機目的,故認為具備條件可予批准。
八、因此,制定了轉讓及修改批給合同擬本,該擬本已獲申請公司透過於二零零六年十月四日遞交的聲明書表示同意。
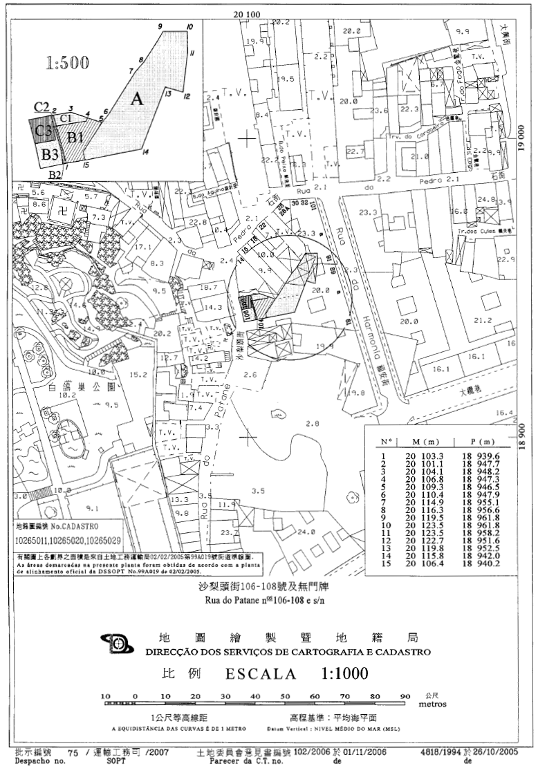
九、透過是次修改及根據對該地點所訂定的新街道準線的規定,將批出土地中兩幅無帶任何責任或負擔,面積分別為3平方米及1平方米,在地圖繪製暨地籍局於二零零五年十月二十六日發出的第4818/1994號地籍圖中以字母“B2”及“C2”標示的地塊歸還澳門特別行政區,以納入其公產,因此,該土地的面積現為198平方米,在上述地籍圖中以字母“A”、“B1”及“C1”定界及標示。
十、考慮到新計劃中按用途分配的建築面積較第125/2001號運輸工務司司長批示規範的合同中訂定的面積為小,故無須繳付附加回報。
十一、案卷按一般程序送交土地委員會,該委員會於二零零六年十一月一日舉行會議,同意批准有關申請。
十二、土地委員會的意見書已於二零零七年二月十三日經行政長官的批示確認。
十三、根據並履行七月五日第6/80/M號法律第一百二十五條的規定,已將由本批示規範的合同條件通知申請人。申請人透過於二零零六年三月五日遞交由吳子鋒,已婚,及Ho Alves, Serafim João或Serafim João Ho Alves,已婚,兩人的職業住所設於澳門賈伯樂提督街125號地下,分別以吉時建築置業有限公司總經理及經理身分簽署的聲明書,明確表示接納有關條件。根據載於聲明書上的確認,上述人士的身分及權力已經第二公證署核實。
第一條
1. 基於透過載於Manuela António私人公證員事務所153冊第100頁的二零零四年十月八日公證契約所訂立,位於澳門半島沙梨頭街106號、108號及無門牌編號,標示於物業登記局B53L冊第217頁第22774號、B16冊第195頁背頁第3285號及B32冊第38頁背頁第11920號的房地產的買賣合同,透過本合同,甲方“事後”批准將上述房地產轉讓與乙方,其法律制度已根據由公佈於二零零二年一月二日第一期《澳門特別行政區公報》第二組的第125/2001號運輸工務司司長批示規範的合同的規定進行統一,並由此組成一幅以長期租借制度批出,面積202(貳佰零貳)平方米,在作為本合同組成部份的地圖繪製暨地籍局於二零零五年十月二十六日發出的第4818/1994號地籍圖中以字母“A”、“B1”、“B2”、“C1”及“C2”定界及標示的地段。
2. 根據對該地點所訂定的新街道準線的規定,透過本合同,將上款所述地段的兩幅無帶任何責任或負擔,面積分別為3(叁)平方米及1(壹)平方米,在上述地籍圖中以字母“B2”及“C2”標示的地塊歸還甲方,以納入其公產作為公共街道。
3. 現該幅面積198(壹佰玖拾捌)平方米,在上述地籍圖中以字母“A”、“B1”及“C1”標示的土地的批給由公佈於二零零二年一月二日第一期《澳門特別行政區公報》第二組的第125/2001號運輸工務司司長批示規範的合同條款約束,根據新的街道準線及新的利用計劃,有關合同的第二條款更改如下:
“第二條款——土地的利用及用途
1. (.....);
2. 上款所述樓宇的用途如下:
- •商業:建築面積141平方米;
- •住宅:建築面積1,059平方米。”
第二條
1. 土地的利用期限為24(貳拾肆)個月,由規範本合同的批示在《澳門特別行政區公報》公佈之日起計。
2. 上款訂定的期限包括乙方遞交圖則和甲方審議該等圖則所需的時間。
第三條
澳門特別行政區初級法院為有權解決由本合同所產生任何爭訟的法院。
———
二零零七年八月八日於運輸工務司司長辦公室
辦公室主任 黃振東





