澳 門 特 別 行 政 區
運輸工務司司長辦公室
|
| |||||||||||
| 相關法規 : | |||
| 相關類別 : | |||
| 《LegisMac》的法例註釋 | |||
第41/2008號運輸工務司司長批示
運輸工務司司長行使《澳門特別行政區基本法》第六十四條賦予的職權,並根據七月五日第6/80/M號法律第一百零七條及第一百五十三條的規定,作出本批示。
一、批准將一幅位於氹仔島,鄰近消防局前地,以租賃制度批出,面積718平方米,標示於物業登記局第23200號的土地的臨時批給所衍生的權利有償轉讓予富達利投資建築有限公司。
二、根據本批示組成部分的附件合同所載規定及條件,批准修改上款所指以租賃制度批出,由第58/2006號運輸工務司司長批示規範的土地的批給,以興建一幢樓高7層,其中1層為地庫,作商業及住宅用途的樓宇。
三、本批示即時生效。
二零零八年十二月三十一日
運輸工務司司長 劉仕堯
———
二零零九年一月六日於運輸工務司司長辦公室
辦公室主任 黃振東
———
附件
(土地工務運輸局第6342.02號案卷及土地委員會第20/2008號案卷)
合同協議方:
甲方——澳門特別行政區;
乙方——馬淑賢;及
丙方——富達利投資建築有限公司。
鑒於:
一、透過二零零六年四月十二日第十五期《澳門特別行政區公報》第二組公佈的第58/2006號運輸工務司司長批示,對一幅面積718平方米,位於氹仔島,鄰近消防局前地,以租賃制度批予馬淑賢,寡婦,中華人民共和國新會出生,中國籍,居於澳門 氹仔施督憲正街1號的土地批給合同作出規範。
二、透過上述批示還宣告馬淑賢放棄一幅以租賃制度批出,位於同一地點,面積446平方米,標示於物業登記局B43 冊第73頁背頁第20153號的土地的批給,以納入公產。
三、根據上述合同第三條款及第五條款的規定,該土地用作興建一幢屬分層所有權制度,作住宅及商業用途的7層高樓宇,其利用期為二十四個月,由上述批示公佈之日起計,即至二零零八年四月十一日。
四、然而,由於該土地上的舊消防局設施的使用者,即民政總署在二零零八年一月才進行騰空土地,且土地的接收涉及多個有權限實體,故上述土地僅於二零零八年三月四日才移交承批人。
五、另一方面,承批人已於二零零六年十月六日向土地工務運輸局遞交了一份修改建築計劃,擬在該樓宇地庫增建一層作商業用途,因此,商業面積會增加而住宅面積則會減少,但樓宇的高度則維持不變。
六、根據該局副局長於二零零六年十一月二十一日作出的批示,上述計劃被視為可予核准,但須遵守某些技術要件。
七、因此,承批人透過其受權人鄺達財,已婚,居於澳門提督馬路72A號地下,於二零零七年五月三日向行政長官呈交申請書,請求根據七月五日第6/80/M號法律第一百零七條的規定,批准更改上述土地的利用及隨後修改批給合同。
八、隨後,透過於二零零七年五月二十一日的申請書,承批人以年事已高和行動不便為理由,請求將上述土地的批給所衍生的權利轉讓予總辦事處設於澳門提督馬路72A號地下,登記於商業及動產登記局第21865(SO)號的富達利投資建築有限公司。承批人為該公司的股東,並聲稱有關轉讓的金額為$8,000,000.00(澳門幣捌佰萬元整)。
九、在組成案卷後,土地工務運輸局計算了因更改利用而應得的回報並制定轉讓和修改批給的合同擬本。出讓人由受權人代表和承讓公司透過二零零八年八月二十八日遞交的聲明書,表示同意該擬本。
十、由於該土地未能在規定的期限內被利用,且僅於二零零八年三月四日移交承批人,因此利用期限將延長24(貳拾肆)個月,至二零一零年四月十一日止。
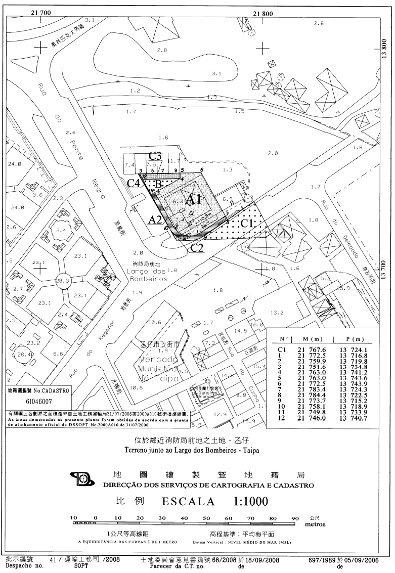
十一、有關土地在地圖繪製暨地籍局於二零零五年九月二十日發出的第697/1989號地籍圖中以字母“A1”、“A2”及“B”定界及標示,標示於物業登記局B冊第23200號,而以租賃制度批給所衍生的權利則以承批人名義登錄於F冊第31075號。
十二、根據於二零零六年七月三十一日發出的新街道準線圖,土地的邊界已作調整及有關面積維持不變(718平方米)。
十三、案卷按一般程序送交土地委員會,該委員會於二零零八年九月十八日舉行會議,同意批准有關申請。
十四、土地委員會的意見書已於二零零八年十月九日經行政長官的批示確認。
十五、根據並履行七月五日第6/80/M號法律第一百二十五條的規定,已將由本批示規範的合同條件通知轉讓人及承讓人。轉讓人及承讓人透過二零零八年十一月五日由鄺達財,其識別資料已前述,以受權人身分代表馬淑賢簽署的聲明書,明確表示接納有關條件,根據載於有關聲明書上的確認,其身分及權力已經私人公證員Rui Sousa核實;以及由鄺達財,其識別資料已前述,及Joaquim Jorge Perestrelo Neto Valente,其職業上使用的姓名為Jorge Neto Valente,鰥夫,職業住所位於澳門提督馬路72A號地下,均以董事身分,代表富達利投資建築有限公司簽署的聲明書,明確表示接納有關條件,根據載於有關聲明書上的確認,上述人士的身分及權力已經私人公證員Rui Sousa核實。
十六、合同第二條款所述的溢價金,已透過土地委員會於二零零八年十月二十四日發出的第100/2008號不定期收入憑單,於二零零八年十一月五日在澳門財稅廳收納處繳付(收據編號 88290),其副本已存檔於有關案卷內。
第一條
本合同標的為:
1)甲方批准乙方根據由公佈於二零零六年四月十二日第十五期《澳門特別行政區公報》第二組的第58/2006號運輸工務司司長批示規範的批給合同中規定的條件,以$8,000,000.00(澳門幣捌佰萬元整)將一幅以租賃制度批出,位於 氹仔島,鄰近消防局前地,面積718(柒佰壹拾捌)平方米,標示於物業登記局B冊第23200號,價值$9,888,686.00(澳門幣玖佰捌拾捌萬捌仟陸佰捌拾陸元整),在地圖繪製暨地籍局於二零零六年九月五日發出的第697/1989號地籍圖中以字母“A1”、“A2”及“B”標示的土地的批給所衍生的權利轉讓予丙方,並獲丙方接受。
2)基於新街道準線的規定,局部修改上款所述批給合同所訂定的條件;
3)鑒於上款所述,由公佈於二零零六年四月十二日第十五期《澳門特別行政區公報》第二組的第58/2006號運輸工務司司長批示規範的合同第一條款、第三條款及第六條款修改如下:
“第一條款——合同標的
透過本合同,甲乙雙方同意如下:
1) ......
2) ......
3)以租賃制度批予乙方一幅位於氹仔島,鄰近消防局前地,面積718(柒佰壹拾捌)平方米,價值$9,888,686.00(澳門幣玖佰捌拾捌萬捌仟陸佰捌拾陸元整),標示於物業登記局B冊第23200號,以字母“A1”、“A2”及“B”標示在地圖繪製暨地籍局於二零零六年九月五日發出的第697/1989號地籍圖中的土地,該土地以下簡稱土地,其批給由本合同的條款規範。
第三條款——土地的利用及用途
1. 土地用作興建一幢屬分層所有權制度,樓高七(柒)層,其中一(壹)層為地庫的樓宇,其建築面積按用途分配如下:
| 1)住宅 | 2,538平方米; |
| 2)商業 | 1,775平方米; |
| 3)室外範圍 | 59平方米。 |
2. ......
3. 在地圖繪製暨地籍局於二零零六年九月五日發出的第697/1989號地籍圖中以字母“A2”標示,面積為93(玖拾叁)平方米的地塊設為公共地役,其在拱廊下地面層柱子間之空間,不能設置任何限制,亦不得以任何形式臨時或確定佔用,以供人貨自由通行,但獲甲方核准的計劃內所規定的承重柱除外。
4. 在上述地籍圖中以字母“B”標示,面積59(伍拾玖)平方米的地塊設為非建築面積的公共地役,用作綠化區。
第六條款——特別負擔
1. 由乙方獨力承擔的特別負擔為:
1)騰空在地圖繪製暨地籍局於二零零六年九月五日發出的第697/1989號地籍圖中以字母“A1”、“A2”、“B”及“C1”至“C4”標示,總面積718(柒佰壹拾捌)平方米的地塊,並移走可能存在於該等地塊上的所有建築物、物料及基礎設施。
2) ......
3) ......
2. ......”
第二條
在不妨礙按照由公佈於二零零六年四月十二日第十五期《澳門特別行政區公報》第二組的第58/2006號運輸工務司司長批示規範的批給合同第九條款訂定的條件繳付溢價金$5,085,718.00(澳門幣伍佰零捌萬伍仟柒佰壹拾捌元整)的情況下,基於是次修改,丙方在根據七月五日第6/80/M號法律第一百二十五條的規定接受本合同的條件時,尚須向甲方繳付合同溢價金$4,802,968.00(澳門幣肆佰捌拾萬零貳仟玖佰陸拾捌元整)。
第三條
由公佈於二零零六年四月十二日第十五期《澳門特別行政區公報》第二組的第58/2006號運輸工務司司長批示規範的批給合同第五條款所訂的土地利用期限延長24(貳拾肆)個月,至二零一零年四月十一日止。
第四條
澳門特別行政區初級法院為有權解決由本合同所產生任何爭訟的法院。
第五條
如有遺漏,本合同以七月五日第6/80/M號法律和其他適用法例規範。





