REGIÃO ADMINISTRATIVA ESPECIAL DE MACAU
GABINETE DO SECRETÁRIO PARA OS TRANSPORTES E OBRAS PÚBLICAS
|
| |||||||||||
| Diplomas relacionados : | |||
| Categorias relacionadas : | |||
| Notas em LegisMac | |||
Despacho do Secretário para os Transportes e Obras Públicas n.º 52/2010
Usando da faculdade conferida pelo artigo 64.º da Lei Básica da Região Administrativa Especial de Macau e nos termos do artigo 107.º da Lei n.º 6/80/M, de 5 de Julho, o Secretário para os Transportes e Obras Públicas manda:
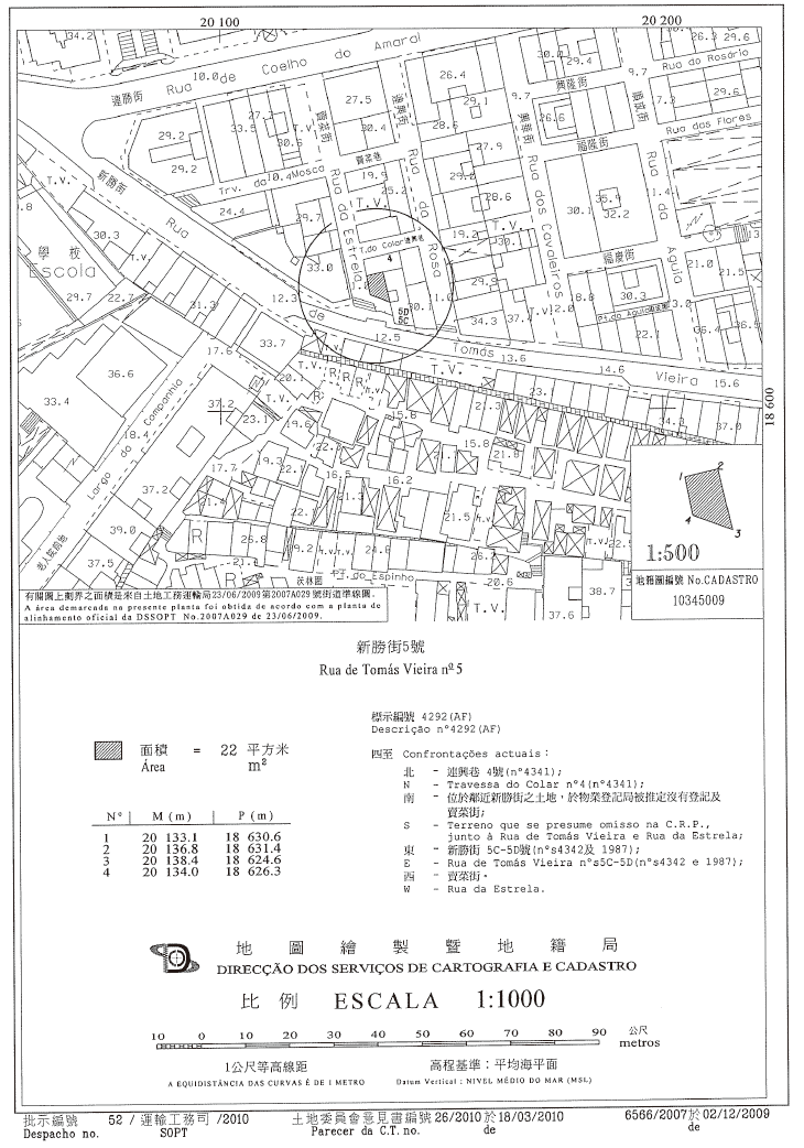
1. É revista, nos termos e condições constantes do contrato em anexo, que faz parte integrante do presente despacho, a concessão, por aforamento, do terreno com a área de 22 m2, situado na península de Macau, na Rua de Tomás Vieira, onde se encontra construído o prédio n.º 5, descrito na Conservatória do Registo Predial sob o n.º 4 292, para ser reaproveitado com a construção de um edifício, em regime de propriedade única, destinado a habitação.
2. O presente despacho entra imediatamente em vigor.
25 de Novembro de 2010.
O Secretário para os Transportes e Obras Públicas, Lau Si Io.
———
ANEXO
(Processo n.º 2 641.01 da Direcção dos Serviços de Solos, Obras Públicas e Transportes e Processo n.º 4/2010 da Comissão de Terras)
Contrato acordado entre:
- A Região Administrativa Especial de Macau, como primeiro outorgante; e
- A Empresa de Fomento Imobiliário Kat Si, Limitada, como segundo outorgante.
Considerando que:
1. A «Empresa de Fomento Imobiliário Kat Si, Limitada», com sede em Macau, na Rua do Almirante Costa Cabral n.º 125, r/c, registada na Conservatória dos Registos Comercial e de Bens Móveis sob o n.º 1 380 (SO) a fls. 113 do livro C4, é titular do domínio útil do terreno sem área registada e que segundo medição da Direcção dos Serviços de Cartografia e Cadastro (DSCC) tem a área de 22 m2, situado na península de Macau, na Rua de Tomás Vieira, onde se encontra construído o prédio com o n.º 5, descrito na Conservatória do Registo Predial (CRP) sob o n.º 4 292 a fls. 208v do livro B20, conforme inscrição a seu favor sob o n.º 148 520G.
2. O domínio directo sobre o terreno acha-se inscrito a favor da Região Administrativa Especial de Macau (RAEM) sob o n.º 1 a fls. 195 do livro B10.
3. Pretendendo a concessionária proceder ao reaproveitamento do terreno com a construção de um edifício de 7 pisos, em regime de propriedade única, destinado a habitação, submeteu, em 11 de Junho de 2008, à Direcção dos Serviços de Solos, Obras Públicas e Transportes (DSSOPT) o respectivo projecto de arquitectura, o qual, por despacho da subdirectora, de 10 de Março de 2009, foi considerado passível de aprovação, condicionada ao cumprimento de alguns requisitos técnicos.
4. Nestas circunstâncias, em 6 de Abril de 2009, a concessionária solicitou autorização para a modificação do aproveitamento do terreno, em conformidade com o projecto apresentado na DSSOPT, e a consequente revisão do contrato de concessão, ao abrigo do artigo 107.º da Lei n.º 6/80/M, de 5 de Julho.
5. Reunidos os documentos necessários à instrução do procedimento, a DSSOPT procedeu ao cálculo das contrapartidas devidas e elaborou a minuta do contrato de revisão da concessão que mereceu a concordância da concessionária, expressa em declaração apresentada em 19 de Novembro de 2009.
6. O terreno objecto do contrato, com a área de 22 m2, encontra-se demarcado na planta cadastral n.º 6 566/1997, emitida pela Direcção dos Serviços de Cartografia e Cadastro (DSCC), em 2 de Dezembro de 2009.
7. O procedimento seguiu a sua tramitação normal, tendo sido o processo enviado à Comissão de Terras que, reunida em 18 de Março de 2010, emitiu parecer favorável ao deferimento do pedido, o qual foi homologado por despacho do Chefe do Executivo, de 25 de Março de 2010.
8. Nos termos e para os efeitos previstos no artigo 125.º da Lei n.º 6/80/M, de 5 de Julho, as condições do contrato titulado pelo presente despacho foram notificadas à concessionária e por esta expressamente aceites, conforme declaração apresentada em 9 de Novembro de 2010, assinada por Serafim João Ho Alves, casado, com residência em Macau, na Avenida Conselheiro Ferreira de Almeida, n.º 82, 3.º andar F, na qualidade de gerente e procurador do gerente-geral Ung Chi Fong, e em representação da «Empresa de Fomento Imobiliário Kat Si, Limitada», qualidade e poderes verificados pelo 2.º Cartório Notarial, conforme reconhecimento exarado naquela declaração.
9. A concessionária pagou o preço actualizado do domínio útil e o prémio, bem como prestou a caução, estipulados no presente despacho.
Cláusula primeira — Objecto do contrato
Constitui objecto do presente contrato a revisão da concessão, por aforamento, do terreno com a área de 22 m2 (vinte e dois metros quadrados), demarcado na planta n.º 6 566/2007, emitida em 2 de Dezembro de 2009, pela DSCC, situado na península de Macau, na Rua Tomás Vieira, onde se encontra construído o prédio com o n.º 5, descrito na CRP sob o n.º 4 292 a fls. 208v do livro B20, cujo domínio útil se encontra inscrito sob o n.º 148 520G a favor do segundo outorgante.
Cláusula segunda — Aproveitamento e finalidade do terreno
1. O terreno é aproveitado com a construção de um edifício, em regime de propriedade única, com 7 (sete) pisos, afectado à finalidade de habitação e com a área bruta de construção de 163 m2.
2. A área referida no número anterior pode ser sujeita a eventuais rectificações, a realizar no momento de vistoria, para efeito de emissão da licença de utilização respectiva.
Cláusula terceira — Preço do domínio útil e foro
1. O preço do domínio útil do terreno é actualizado para $ 9 780,00 (nove mil, setecentas e oitenta patacas).
2. O preço do domínio útil, estipulado no número anterior, é pago aquando da aceitação das condições do presente contrato, a que se refere o artigo 125.º da Lei n.º 6/80/M, de 5 de Julho.
3. O foro anual a pagar é de $ 101,00 (cento e uma patacas).
4. O não pagamento pontual do foro determina a cobrança coerciva nos termos do processo de execução fiscal.
Cláusula quarta — Prazo de aproveitamento
1. O aproveitamento do terreno deve operar-se no prazo global de 30 (trinta) meses, contados a partir da data da publicação no Boletim Oficial do despacho que titula o presente contrato.
2. O prazo referido no número anterior inclui os prazos para a apresentação dos projectos por parte do segundo outorgante e para apreciação, pelo primeiro outorgante, dos projectos e emissão das respectivas licenças.
Cláusula quinta — Encargos Especiais
Constituem encargos especiais, a suportar exclusivamente pelo segundo outorgante a desocupação da parcela de terreno demarcada na planta n.º 6 566/2007, emitida pela DSCC, em 2 de Dezembro de 2009, e remoção das mesmas de todas as construções, materiais e infra-estruturas, porventura, aí existentes.
Cláusula sexta — Multa
1. Salvo motivos especiais, devidamente justificados, aceites pelo primeiro outorgante, pelo incumprimento do prazo fixado na cláusula quarta, o segundo outorgante fica sujeito a multa até $ 5 000,00 (cinco mil patacas), por cada dia de atraso até sessenta dias; para além desse período e até ao máximo global de cento e vinte dias, ficam sujeitos a multa até ao dobro daquela importância.
2. O segundo outorgante fica exonerado da responsabilidade referida no número anterior em casos de força maior ou de outros factos relevantes, cuja produção esteja, comprovadamente, fora do seu controlo.
3. Consideram-se casos de força maior os que resultem exclusivamente de eventos imprevisíveis e irresistíveis.
4. Para efeitos do disposto no n.º 2, o segundo outorgante obriga-se a comunicar, por escrito, ao primeiro outorgante, o mais rapidamente possível, a ocorrência dos referidos factos.
Cláusula sétima — Prémio do contrato
O segundo outorgante paga ao primeiro outorgante, a título de prémio do contrato, o montante global de $ 184 919,00 (cento e oitenta e quatro mil, novecentas e dezanove patacas), integralmente e de uma só vez, aquando da aceitação das condições do presente contrato, a que se refere o artigo 125.º da Lei n.º 6/80/M, de 5 de Julho.
Cláusula oitava — Transmissão
1. A transmissão de situações decorrentes desta concessão, enquanto o terreno não estiver integralmente aproveitado, depende de prévia autorização do primeiro outorgante e sujeita o transmissário à revisão das condições do presente contrato, designadamente da relativa ao prémio.
2. Sem prejuízo do disposto na parte final do número anterior, o segundo outorgante, para garantia da obrigação aí estabelecida, presta uma caução no valor de $ 50 000,00 (cinquenta mil patacas), por meio de depósito, garantia ou seguro-caução, em termos aceites pelo primeiro outorgante, a qual será devolvida, a seu pedido, com a emissão da licença de utilização ou a autorização para transmitir os direitos resultantes da concessão.
Cláusula nona — Fiscalização
Durante o período de aproveitamento do terreno concedido, o segundo outorgante obriga-se a franquear o acesso ao mesmo e às obras aos representantes dos Serviços do Governo, que aí se desloquem no desempenho da sua acção fiscalizadora, prestando-lhes toda a assistência e meios para o bom desempenho da sua função.
Cláusula décima — Devolução do terreno
1. O primeiro outorgante pode declarar a devolução, total ou parcial, do terreno em caso de alteração não autorizada da finalidade de concessão ou do aproveitamento do terreno.
2. Fica acordada, ainda, a devolução do terreno quando se verifique qualquer dos seguintes factos:
- 1) Findo o prazo da multa agravada, previsto na cláusula sexta;
- 2) Interrupção não consentida do aproveitamento do terreno.
3. A devolução do terreno é declarada por despacho do Chefe do Executivo, a publicar no Boletim Oficial.
4. A declaração de devolução do terreno produz os seguintes efeitos:
- 1) Extinção, total ou parcial, do domínio útil do terreno;
- 2) Reversão, total ou parcial, do terreno com as correspondentes benfeitorias nele incorporadas à posse do primeiro outorgante, tendo o segundo outorgante direito à indemnização a fixar por aquele.
Cláusula décima primeira — Foro competente
Para efeitos da resolução de qualquer litígio emergente do presente contrato, o foro competente é o do Tribunal Judicial de Base da Região Administrativa Especial de Macau.
Cláusula décima segunda — Legislação aplicável
O presente contrato rege-se, nos casos omissos, pela Lei n.º 6/80/M, de 5 de Julho, e demais legislação aplicável.
———
Gabinete do Secretário para os Transportes e Obras Públicas, aos 25 de Novembro de 2010. — O Chefe do Gabinete, Wong Chan Tong.




