澳 門 特 別 行 政 區
運輸工務司司長辦公室
|
| |||||||||||
| 相關法規 : | |||
| 相關類別 : | |||
| 《LegisMac》的法例註釋 | |||
第56/2011號運輸工務司司長批示
運輸工務司司長行使《澳門特別行政區基本法》第六十四條賦予的職權,並根據七月五日第6/80/M號法律第一百零七條的規定,作出本批示。
一、根據本批示組成部分的附件合同所載規定及條件,修改一幅以長期租借制度批出,面積經修正後為53平方米,位於澳門半島,肥利喇亞美打大馬路,其上建有10號樓宇,標示於物業登記局第5210號的土地的批給,以興建一幢作住宅及商業用途的樓宇。
二、本批示即時生效。
二零一一年十二月二十七日
運輸工務司司長 劉仕堯
———
附件
(土地工務運輸局第2665.01號案卷及土地委員會第21/2011號案卷)
合同協議方:
- 甲方——澳門特別行政區;及
- 乙方——關月梅及其配偶區志賢。
鑒於:
一、關月梅及區志賢,以取得共同財產制結婚,雙方均為中國籍,通訊處為澳門美珊枝街16號3字樓“B”,根據以上述人士名義作出的第115067G號登錄,該等人士擁有一幅面積51.2平方米,經重新量度後修正為53平方米,位於澳門半島,肥利喇亞美打大馬路,其上建有10號樓宇,標示於物業登記局B22簿冊第176頁第5210號的土地的利用權。
二、土地的田底權以澳門特別行政區的名義登錄於F1簿冊第169頁背頁第593號。
三、承批人擬重新利用該土地興建一幢樓高七層,屬分層所有權制度,作住宅及商業用途的樓宇,因此,於二零零九年十二月二十三日向土地工務運輸局遞交了一份建築計劃。根據該局副局長於二零一零年二月二十二日作出的批示,該計劃被視為可予核准,但須遵守某些技術要件。
四、承批人於二零一零年十月二十六日請求根據已獲土地工務運輸局核准的計劃,批准更改土地的利用,並按照七月五日第6/80/M號法律第一百零七條的規定,修改批給合同。
五、在集齊組成案卷所需的文件後,土地工務運輸局計算了應得的回報並制訂修改批給的合同擬本。該擬本已獲承批人於二零一一年六月二十七日遞交的聲明書中明確表示同意。
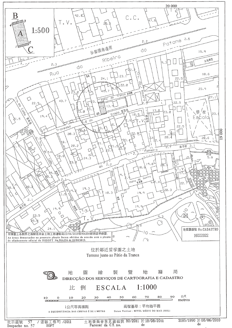
六、合同標的土地的面積為53平方米,在地圖繪製暨地籍局於二零一零年十月十五日發出的第5020/1995號地籍圖中定界。
七、案卷按一般程序送交土地委員會。該委員會於二零一一年八月四日舉行會議,同意批准有關申請,而有關意見書已於二零一一年八月二十四日經行政長官的批示確認。
八、根據並履行七月五日第6/80/M號法律第一百二十五條的規定,已將由本批示規範的合同條件通知承批人。承批人透過於二零一一年十一月七日遞交的聲明書,明確表示接納有關條件。
九、承批人已繳付由本批示規範的合同所訂定經調整的利用權價金和溢價金及提交合同所訂定的保證金。
第一條款——合同標的
1. 本合同標的為修改一幅以長期租借制度批出,登記面積為51.2(伍拾壹點貳)平方米,經重新量度後修正為53(伍拾叁)平方米,位於澳門半島,其上建有肥利喇亞美打大馬路10號樓宇,在地圖繪製暨地籍局於二零一零年十月十五日發出的第5020/1995號地籍圖中定界和標示,並標示於物業登記局B22冊第176頁第5210號及其利用權以乙方名義登錄於第115067G號的土地的批給。
2. 批出土地的面積為53(伍拾叁)平方米,以下簡稱土地,其批給轉由本合同的條款規範。
第二條款——土地的利用及用途
1. 土地用作興建一幢屬分層所有權制度,樓高7(柒)層的樓宇,其用途分配如下:
| 1)住宅:建築面積 | 376平方米; |
| 2)商業:建築面積 | 94平方米。 |
2. 上款所述面積在為發出有關使用准照而作實地檢查時可作修改。
第三條款——利用權價金及地租
1. 土地的利用權價金調整為$51,700.00(澳門幣伍萬壹仟柒佰元整)。
2. 當乙方按照七月五日第6/80/M號法律第一百二十五條的規定接受本合同條件時,須一次性全數繳付上款訂定的經調整的利用權價金差額。
3. 每年繳付的地租調整為$129.00(澳門幣壹佰貳拾玖元整)。
4. 不準時繳付地租,將按照稅務執行程序的規定進行強制徵收。
第四條款——利用期限
1. 土地利用的總期限為36(叁拾陸)個月,由規範本合同的批示在《澳門特別行政區公報》公佈之日起計。
2. 上款所述的期限包括乙方遞交工程計劃、甲方審議該計劃及發出相關准照的時間。
3. 乙方須依照下列期限遞交工程計劃及開始施工:
1)由第1款所指的批示公佈之日起計30(叁拾)日內,編製和遞交工程計劃(地基、結構、供水、排水、供電和其他專業計劃);
2)由通知工程計劃獲核准之日起計60(陸拾)日內,遞交發出工程准照的申請書;
3)由發出工程准照之日起計15(拾伍)日內,開始施工。
4. 為遵守上款所指期限的效力,計劃須完整及適當地備齊所有資料後,方視為確實完成遞交。
第五條款——特別負擔
由乙方獨力承擔的特別負擔為騰空在地圖繪製暨地籍局於二零一零年十月十五日發出的第5020/1995號地籍圖中標示的土地,並移走其上倘有的全部建築物、物料及基礎設施。
第六條款——罰款
1. 除有合理解釋且為甲方接受的特殊原因外,乙方不遵守第四條款所訂的任一期限,延遲不超過60(陸拾)日者,處以罰款每日可達$1,000.00(澳門幣壹仟元整),延遲超過60(陸拾)日,但在120(壹佰貳拾)日以內者,則罰款將加至雙倍。
2. 遇有不可抗力或發生被證實為非乙方所能控制的其他特殊情況,則免除乙方承擔上款所指的責任。
3. 僅因不可預見及不可抵抗事件而引發的情況,方視為不可抗力。
4. 為著第2款規定的效力,乙方必須儘快將發生上述事實的情況以書面通知甲方。
第七條款——合同溢價金
當乙方按照七月五日第6/80/M號法律第一百二十五條的規定接受本合同條件時,須向甲方一次性全數繳付合同溢價金$884,559.00(澳門幣捌拾捌萬肆仟伍佰伍拾玖元整)。
第八條款——轉讓
1. 倘土地未被完全利用而將本批給所衍生的狀況轉讓,須事先獲得甲方許可,承讓人亦須受本合同修改後的條件約束,尤其是有關溢價金方面。
2. 在不妨礙上款最後部分規定的情況下,乙方須以存款、其條款獲甲方接受的擔保或保險擔保提供保證金$50,000.00(澳門幣伍萬元整),作為擔保履行已設定的義務。該保證金可應乙方要求,在發出使用准照或核准轉讓批給所衍生的權利時退還。
第九條款——監督
在批出土地的利用期間,乙方必須准許行政當局有關部門執行監督工作的代表進入土地及施工範圍,並向代表提供一切所需的協助,使其有效地執行任務。
第十條款——土地的收回
1. 倘未經批准而更改批給用途或土地的利用,甲方可宣告全部或局部收回土地。
2. 當發生下列任一事實時,土地亦會被收回:
1)第六條款規定的加重罰款期限屆滿;
2)未經同意而中斷土地的利用。
3. 土地的收回由行政長官以批示宣告,並在《澳門特別行政區公報》公佈。
4. 土地收回的宣告將產生以下效力:
1)土地的利用權全部或部分被撤銷;
2)全部或部分土地,連同其上的所有改善物歸甲方所有,乙方有權收取由甲方訂定的賠償。
第十一條款——有權限法院
澳門特別行政區法院為有權解決由本合同所產生的任何爭訟的法院。
第十二條款——適用法例
如有遺漏,本合同以七月五日第6/80/M號法律和其他適用法例規範。
|
| |||||||||||
| 相關法規 : | |||
| 相關類別 : | |||
| 《LegisMac》的法例註釋 | |||
第57/2011號運輸工務司司長批示
運輸工務司司長行使《澳門特別行政區基本法》第六十四條賦予的職權,並根據七月五日第6/80/M號法律第一百零七條及第一百二十九條的規定,作出本批示。
一、根據本批示組成部分的附件合同所載規定及條件,修改一幅以長期租借制度批出,面積39.99平方米,經重新量度後修正為44平方米,位於澳門半島,鄰近扊扅圍,無門牌號碼,標示於物業登記局第3330號的土地的批給,以興建一幢作住宅及商業用途的樓宇。
二、鑑於上述修改,根據對該地點所訂定的新街道準線,將兩幅無帶任何責任或負擔,總面積為6平方米,將脫離上款所指土地的地塊歸還澳門特別行政區,以納入其公產作為公共街道,因此批出土地的面積現為38平方米。
三、本批示即時生效。
二零一一年十二月二十七日
運輸工務司司長 劉仕堯
———
附件
(土地工務運輸局第1178.01號案卷及土地委員會第26/2011號案卷)
合同協議方:
- 甲方——澳門特別行政區;及
- 乙方——李海鷹,由其受權人馮錫江代表。
鑒於:
一、李海鷹,與黃杏碧以分別財產制結婚,中國籍,通訊處為澳門家辣堂街7號利美大廈10字樓B座,根據以其名義作出的第172831G號登錄,其持有一幅登記面積39.99平方米,經重新量度後修正為44平方米,位於澳門半島,鄰近扊扅圍,無門牌號碼,標示於物業登記局B16冊第268頁背頁第3330號的土地的利用權。
二、該土地的田底權以澳門特別行政區的名義登錄於F16L冊第241頁第3037號。
三、上述承批人擬重新利用該土地興建一幢四層高,屬分層所有權制度,作住宅及商業用途的樓宇,因此於二零一零年七月九日向土地工務運輸局遞交有關的建築計劃。根據該局局長於二零一零年八月二十六日所作的批示,該計劃被視為可予核准,但須遵守某些技術要件。
四、馮錫江,通訊地址位於澳門家辣堂街7號利美大廈10字樓B,以李海鷹的受權人身份,於二零一零年十月十九日根據七月五日第6/80/M號法律第一百零七條的規定,請求批准按照已獲土地工務運輸局核准的計劃,更改土地的利用及修改批給合同。
五、在集齊組成案卷所需的文件後,土地工務運輸局計算了應得的回報並制訂修改批給的合同擬本。該擬本已獲申請人於二零一一年七月十八日遞交的聲明書中明確表示同意。
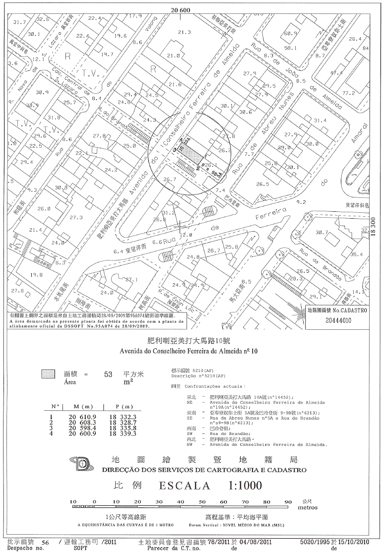
六、合同標的土地的面積為44平方米,在地圖繪製暨地籍局於二零一零年六月八日發出的第3185/1990號地籍圖中以字母“A”、“B”及“C”定界和標示,其面積分別是38平方米、3平方米及3平方米。
七、根據對該地點訂定的新街道準線,將兩幅面積6平方米,在上述地籍圖中以字母“B”及“C”標示,將脫離上款所指土地的地塊納入澳門特別行政區的公產,作為公共街道。
八、案卷按一般程序送交土地委員會。該委員會於二零一一年八月十八日舉行會議,同意批准有關申請,而有關意見書已於二零一一年九月二日經行政長官的批示確認。
九、根據並履行七月五日第6/80/M號法律第一百二十五條的規定,已將由本批示規範的合同條件通知承批人的受權人。該受權人透過於二零一一年十月十四日遞交的聲明書,明確表示接納有關條件。
十、承批人已繳付由本批示規範的合同所規定經調整的利用權價金和溢價金及已提供合同所指的保證金。
第一條款——合同標的
1. 本合同標的為:
1)修改一幅以長期租借制度批出,登記面積為39.99(叁拾玖點玖玖)平方米,經重新量度後修正為44(肆拾肆)平方米,位於澳門半島,鄰近扊扅圍,在地圖繪製暨地籍局於二零一零年六月八日發出的第3185/1990號地籍圖中以字母“A”、“B”及“C”定界及標示,並標示於物業登記局B16冊第268頁背頁第3330號及其利用權以乙方名義登錄於第172831G號的土地的批給;
2)根據新街道準線的規定,將兩幅無帶任何責任或負擔,在上述地籍圖中以字母“B”及“C”標示,面積均為3(叁)平方米,將脫離上項所指土地的地塊歸還甲方,以納入澳門特別行政區公產,作為公共街道。
2. 批出土地現時的面積為38(叁拾捌)平方米,在上述地籍圖中以字母“A”標示,以下簡稱土地,其批給轉由本合同的條款規範。
第二條款——土地的利用及用途
1. 土地用作興建一幢屬分層所有權制度,樓高4(肆)層的樓宇,其用途分配如下:
| 1)住宅:建築面積 | 123平方米; |
| 2)商業:建築面積 | 25平方米。 |
2. 上款所述面積在為發出有關使用准照而作實地檢查時可作修改。
第三條款——利用權價金及地租
1. 土地的利用權價金調整為$12,840.00(澳門幣壹萬貳仟捌佰肆拾元整)。
2. 當乙方按照七月五日第6/80/M號法律第一百二十五條的規定接受本合同條件時,須一次性全數繳付上款訂定經調整的利用權價金。
3. 每年繳付的地租調整為$101.00(澳門幣壹佰零壹元整)。
4. 不準時繳付地租,將按照稅務執行程序的規定進行強制徵收。
第四條款——利用期限
1. 土地利用的總期限為30(叁拾)個月,由規範本合同的批示在《澳門特別行政區公報》公佈之日起計。
2. 上款所述的期限包括乙方遞交工程計劃、甲方審議該計劃及發出相關准照的時間。
3. 乙方須依照下列期限遞交工程計劃及開始施工:
1)由第1款所指的批示公佈之日起計30(叁拾)日內,編製和遞交工程計劃(地基、結構、供水、排水、供電及其他專業計劃);
2)由通知工程計劃獲核准之日起計60(陸拾)日內,遞交發出工程准照的申請書;
3) 由發出工程准照之日起計15(拾伍)日內,開始施工。
4. 為遵守上款所指期限的效力,計劃須完整及適當地備齊所有資料後,方視為確實完成遞交。
第五條款——特別負擔
由乙方獨力承擔的特別負擔為騰空在地圖繪製暨地籍局於二零一零年六月八日發出的第3185/1990號地籍圖中以字母“A”、“B”及“C”標示的地塊,並移走其上倘有的全部建築物、物料及基礎設施。
第六條款——罰款
1. 除有合理解釋且為甲方接受的特殊原因外,乙方不遵守第四條款所訂的任一期限,延遲不超過60(陸拾)日者,處以罰款每日可達$1,000.00(澳門幣壹仟元整),延遲超過60(陸拾)日,但在120(壹佰貳拾)日以內者,則罰款將加至雙倍。
2. 遇有不可抗力或發生被證實為非乙方所能控制的其他特殊情況,則免除乙方承擔上款所指的責任。
3. 僅因不可預見及不可抵抗事件而引發的情況,方視為不可抗力。
4. 為著第2款規定的效力,乙方必須儘快將發生上述事實的情況以書面通知甲方。
第七條款——合同溢價金
當乙方按照七月五日第6/80/M號法律第一百二十五條的規定接受本合同條件時,須向甲方一次性全數繳付合同溢價金$101,877.00(澳門幣壹拾萬壹仟捌佰柒拾柒元整)。
第八條款——轉讓
1. 倘土地未被完全利用而將本批給所衍生的狀況轉讓,須事先獲得甲方許可,而承讓人亦須受本合同修改後的條件約束,尤其是有關溢價金方面。
2. 在不妨礙上款最後部分規定的情況下,乙方須以存款、其條款獲甲方接受的擔保或保險擔保提供保證金$50,000.00(澳門幣伍萬元整),作為擔保履行已設定的義務。該保證金可應乙方要求,在發出使用准照或核准轉讓批給所衍生的權利時退還。
第九條款——監督
在批出土地的利用期間,乙方必須准許行政當局有關部門執行監督工作的代表進入土地及施工範圍,並向代表提供一切所需的協助,使其有效地執行任務。
第十條款——土地的收回
1. 倘未經批准而更改批給用途或土地的利用,甲方可宣告全部或局部收回土地。
2. 當發生下列任一事實時,土地亦會被收回:
1)第六條款規定的加重罰款期限屆滿;
2)未經同意而中斷土地的利用。
3. 土地的收回由行政長官以批示宣告,並在《澳門特別行政區公報》公佈。
4. 土地收回的宣告將產生以下效力:
1)土地的利用權全部或部分被撤銷;
2)全部或部分土地,連同其上的所有改善物歸甲方所有,乙方有權收取由甲方訂定的賠償。
第十一條款——有權限法院
澳門特別行政區法院為有權解決由本合同所產生的任何爭訟的法院。
第十二條款——適用法例
如有遺漏,本合同以七月五日第6/80/M號法律和其他適用法例規範。
|
| |||||||||||
| 相關法規 : | |||
| 相關類別 : | |||
| 《LegisMac》的法例註釋 | |||
第58/2011號運輸工務司司長批示
運輸工務司司長行使《澳門特別行政區基本法》第六十四條賦予的職權,並根據七月五日第6/80/M號法律第二十九條第一款c)項、第四十九條及續後數條、第一百零七條、第一百零八條及第一百五十五條的規定,作出本批示:
一、批准將一幅以租賃制度批出,面積33,814平方米,位於路環島,鄰近石排灣馬路,標示於物業登記局第22603號的土地批給所衍生的權利有償轉讓予新康怡投資股份有限公司。該批給由一九七二年十二月五日訂立的公證書規範,並經四月七日第93/84號批示修改。
二、根據本批示組成部分的附件合同所載規定及條件,修改以租賃制度批出上款所指土地的批給,以興建一幢屬分層所有權制度,作住宅、商業及停車場用途的樓宇。
三、基於上述修改及根據對該地點所確定的新地段劃分,第一款所述的公司放棄上述土地的兩幅面積4,840平方米及12,719平方米地塊的批給,以分別納入澳門特別行政區私產及公產。
四、以租賃制度批出兩幅面積1,844平方米及1,733平方米的毗鄰地塊,以與第一款所指土地的剩餘面積合併及共同利用,而該土地的面積改為19,832平方米。
五、本批示即時生效。
二零一一年十二月二十九日
運輸工務司司長 劉仕堯
———
附件
(土地工務運輸局第8077.03號案卷及土地委員會第35/2011號案卷)
合同協議方:
- 甲方——澳門特別行政區;及
- 乙方——新康怡投資股份有限公司;及
- 丙方——豐怡建築材料製品有限公司。
鑒於:
一、豐怡建築材料製品有限公司,登記於商業及動產登記局C2冊第97頁第559 SO號,根據物業登記局F38K冊第277頁第10090號登錄,其擁有一幅以租賃制度批出,面積33,635平方米,經重新測量後修正為33,814平方米,位於路環島,鄰近石排灣馬路,稱為“石礦場”,標示於物業登記局B63K冊第156頁第22603號土地的批給所衍生的權利。
二、有關批給合同已由載於財政局第148號冊第54頁及續後數頁的一九七二年十二月五日公證書規範,並已經公佈於一九八四年四月七日第十五期《澳門政府公報》的第93/84號批示修改。
三、該幅在地圖繪製暨地籍局於二零一一年五月二十五日發出的第715/1989號地籍圖中以字母“A1”、“B1”、“B2”、“C”及“D”定界及標示,面積分別為14,514平方米、735平方米、1,006平方米、12,719平方米及4,840平方米的土地,根據有關批給合同中規定的條件,已被利用設置及經營一綜合工業企業,用作生產建築材料。
四、與此同時,為配合政府所制定的公共房屋政策,土地工務運輸局已制定有關路環島石排灣的都市化計劃,當中確定新的地段劃分及新的用途。
五、為配合新的地段劃分,稱為“石礦場”土地的面積改為納入“CN1a”及“CN1b”地段、計劃的街道及部分“CN3”地段,而此地段與“CN4”、“CN5a”及“CN7”地段是用作興建公共房屋、社會設施及公共停車場。
六、由於承批公司擬更改上述土地的利用,以根據上述計劃規定的都市化準則,興建一幢屬分層所有權制度,作住宅、商業及停車場用途的樓宇,於二零一一年五月二十日遞交了相關修改批給的申請,並附同一份利用的初研方案。
七、考慮到基於新的地段劃分,將已批出土地的面積縮減,承批公司請求以租賃制度批出一幅位於同一地點的土地作為補償。
八、此外,由於承批公司所營事業不許可從事房地產活動,故還請求將有關批給所衍生的權利轉讓予新康怡投資股份有限公司。
九、就有關案卷的組成,已收集土地工務運輸局各附屬單位、環境保護局、交通事務局及民航局的技術意見,並已要求承批公司遞交一份環境評估報告。
十、該申請還經土地發展諮詢小組於二零一一年六月八日及七月十三日所舉行的會議中進行了分析,而考慮到將批給用途由工業更改為住宅符合有關石排灣都市化計劃,故該小組發出贊同意見,並建議承批公司遞交一份有關空氣及風流動的評估報告。
十一、就已遞交報告的內容,土地工務運輸局作出的結論是,承批公司所建議“CN1a”及“CN1b”地段的發展計劃具可行性,因為不會對周邊區域的空氣及風流動造成明顯的負面影響。
十二、土地工務運輸局計算了應得之回報,並制定有關合同擬本。該合同擬本已獲申請公司在二零一一年八月二十二日遞交的聲明書中明確表示同意。
十三、已批出土地,相當於“CN1a”及“CN1b”地段,其總面積改為19,832平方米,在上述地籍圖中以字母“A1”、“A2”、“B1”、“B2” 及 “B3” 定界及標示。
十四、案卷按一般程序送交土地委員會,該委員會於二零一一年九月八日舉行會議,同意批准有關申請。土地委員會的意見書已於二零一一年十月七日經行政長官的批示確認。
十五、根據並履行七月五日第6/80/M號法律第一百二十五條的規定,已將由本批示規範的合同條件通知上述申請公司。上述申請公司透過於二零一一年十一月十日遞交由黃國麟,居住於澳門氹仔成都街,濠景花園第二十五座,二十九樓A及唐嘉樂,居住於澳門宋玉生廣場263號,中土大廈六樓“N”,以新康怡投資股份有限公司及豐怡建築材料製品有限公司的行政管理機關成員身份代表上述公司所簽署的聲明書,明確表示接納有關條件。根據載於該聲明書上的確認,上述人士的身分及權力已經私人公證員Diamantino de Oliveira Ferreira核實。
十六、申請公司已支付由本批示規範的合同第九條款1)項所訂定的溢價金及提供該合同第十條款所訂定的保證金。
第一條款——合同標的
1. 本合同標的為:
1)經甲方批准,丙方以$3,966,400.00(澳門幣叁佰玖拾陸萬陸仟肆佰元整)將一幅以租賃制度批出,位於路環島,鄰近石排灣馬路,總面積33,814(叁萬叁仟捌佰壹拾肆)平方米,標示於物業登記局B63K冊第156頁第22603號,在地圖繪製暨地籍局於二零一一年五月二十五日發出的第715/1989號地籍圖中以字母“A1”、“B1”、“B2”、“C”及“D”定界及標示的土地的批給所衍生的權利轉讓予乙方,並獲其接納。土地的批給由載於財政局148冊第54頁和續後數頁的一九七二年十二月五日訂立的公證書規範,並經公佈於一九八四年四月七日第十五期《澳門政府公報》的第93/84號批示作出修改;
2)修改上項所指的土地租賃批給:
(1)根據新街道準線的規定,甲方接納乙方放棄一幅無帶任何責任或負擔,在上述地籍圖中以字母“D”標示,面積4,840(肆仟捌佰肆拾)平方米,價值為$4,840,000.00(澳門幣肆佰捌拾肆萬元整),將脫離本條款第1款1)項所述土地的地塊的批給所衍生的權利,以納入澳門特別行政區私產;
(2)根據新街道準線的規定,甲方接納乙方放棄一幅無帶任何責任或負擔,在上述地籍圖中以字母“C”標示,面積12,719(壹萬貳仟柒佰壹拾玖)平方米,價值為$12,719,000.00(澳門幣壹仟貳佰柒拾壹萬玖仟元整),將脫離本條款第1款1)項所述土地的地塊的批給所衍生的權利,以納入澳門特別行政區公產,作為公共街道;
(3)以租賃制度批給乙方兩幅面積分別為1,844(壹仟捌佰肆拾肆)平方米及1,733(壹仟柒佰叁拾叁)平方米,在上述地籍圖中以字母“A2”及“B3”定界及標示,未在物業登記局標示,與在同一地籍圖中以字母“A1”、“B1”及“B2”標示的地塊毗鄰,價值為$87,944,688.00(澳門幣捌仟柒佰玖拾肆萬肆仟陸佰捌拾捌元整)的地塊。
2. 批出土地的面積現為19,832(壹萬玖仟捌佰叁拾貳)平方米,在上述地籍圖中以字母“A1”、“A2”、“B1”、“B2”及“B3”標示,以下簡稱土地,其批給轉由本合同的條款規範。
3. 甲方承諾當具備批給條件時,以租賃制度及免除公開競投方式將一幅面積3,832(叁仟捌佰叁拾貳)平方米,位於路環島,鄰近九澳高頂馬路的土地批予乙方。上述土地作住宅、商業及停車場用途,可建容量相應為12.4倍地積比率(IUS)的建築面積,且其利用須遵守石排灣新的都市化總體規劃條件。
第二條款——租賃期限
1. 租賃的有效期至二零一五年十二月四日。
2. 上款所訂定的租賃期限可按照適用法例連續續期。
第三條款——土地的利用及用途
1. 土地用作興建一幢屬分層所有權制度,由12(拾貳)幢,其中2(貳)幢為24(貳拾肆)層高及10(拾)幢為26(貳拾陸)層高的塔樓,坐落於一座6(陸)層高,其中3(叁)層為地庫的裙樓所組成的樓宇,其用途分配如下:
- 1)住宅:建築面積206,453平方米;
- 2)商業:建築面積14,154平方米;
- 3)停車場:建築面積73,974平方米。
2. 在地圖繪製暨地籍局於二零一一年五月二十五日發出的第715/1989號地籍圖中以字母“B1”、“B2”及“B3”標示,總面積3,474(叁仟肆佰柒拾肆)平方米的地塊的地面層設定為公共地役,並用作綠化空間。
3. 乙方必須留空上款所述條狀地段由地面至1.5米深的全部下層土壤,以便在該處安裝供水、電、燃氣和通訊的基礎設施。
4. 根據二零一一年五月十二日核准的第2011A018號街道準線圖,在地面層之上及其下層土壤預留一範圍用作甲方興建的行人天橋。
5. 第1款所述面積在為發出有關使用准照而作實地檢查時可作修改。
第四條款——租金
1. 乙方須每年繳付租金如下:
1)在土地利用工程進行期間,每平方米批出土地的租金為$10.00元(澳門幣壹拾元整),總金額為$198,320.00(澳門幣壹拾玖萬捌仟叁佰貳拾元整);
2)在土地利用工程完成後,租金按以下數值計算:
(1)住宅:每平方米建築面積$5.00(澳門幣伍元整);
(2)商業:每平方米建築面積$7.50(澳門幣柒元伍角);
(3)停車場:每平方米建築面積$5.00(澳門幣伍元整)。
2. 由規範本合同的批示在《澳門特別行政區公報》公佈之日起計,租金每五年調整一次,但不妨礙在本合同生效期間所公佈法例的新訂租金的即時實施。
第五條款——利用期限
1. 土地的利用須於二零一五年十二月四日前完成。
2. 上款所述的期限包括乙方遞交工程計劃、甲方審議該計劃及發出有關准照的時間。
3. 乙方應依照下列期限遞交工程計劃及開始施工:
1)由規範本合同的批示在《澳門特別行政區公報》公佈之日起計90(玖拾)日內,編制和遞交工程計劃草案(建築計劃);
2)由核准工程計劃草案的通知日起計90(玖拾)日內,編制和遞交工程計劃(地基、結構、供水、排水、供電計劃及其他專業計劃);
3)由核准工程計劃的通知日起計60(陸拾)日內,遞交發出工程准照的申請書;
4)由發出工程准照日起計15(拾伍)日內,開始施工。
4. 為着上款所指期限的遵守效力,計劃須完整及適當備齊所有資料,方視為確實完成遞交。
第六條款——特別負擔
由乙方獨力承擔的特別負擔為騰空在地圖繪製暨地籍局於二零一一年五月二十五日發出的第715/1989號地籍圖中以字母“A1”、“A2”、“B1”、“B2”、“B3”、 “C” 及“D”標示的土地,並移走其上倘有全部建築物、物料及基礎設施。
第七條款——土地上的剩餘物料
1. 未經甲方事先的書面批准,乙方不得移走或許可移走土地上任何來自挖掘地基及平整土地的物料,例如泥、石、碎石和砂。
2. 不能用於土地以及無任何其他用途的物料,僅在甲方批准後方可移走。
3. 經甲方批准移走的物料,須存放於甲方指定的地點。
4. 倘乙方違反本條款的規定,除必須繳付由土地工務運輸局鑑定人員按實際移走物料訂定的賠償外,並將被科處下列罰款:
- ——首次違反:$20,000.00至$50,000.00;
- ——第二次違反:$50,001.00至$100,000.00;
- ——第三次違反:$100,001.00至$200,000.00;
- ——違反四次或以上,甲方有權解除合同。
第八條款——罰款
1. 除有合理解釋且為甲方接受的特殊原因外,乙方不遵守第五條款所訂的任一期限,延遲不超過60(陸拾)日者,處以罰款每日可達$220,000.00(澳門幣貳拾貳萬元整);延遲超過60(陸拾)日,但在120(壹佰貳拾)日以內者,罰款將加至雙倍。
2. 遇有不可抗力或發生被證實為非乙方所能控制的特殊情況,則免除乙方承擔上款所指的責任。
3. 僅因不可預見及不可抵抗事件而引發的情況,方視為不可抗力。
4. 為着第2款規定的效力,乙方必須儘快將發生上述事實的情況以書面通知甲方。
第九條款——合同溢價金
乙方須向甲方繳付合同溢價金$243,796,343.00(澳門幣貳億肆仟叁佰柒拾玖萬陸仟叁佰肆拾叁元整),繳付方式如下;
1)$90,000,000.00(澳門幣玖仟萬元整),當乙方按照七月五日第6/80/M號法律第一百二十五條的規定接受本合同條件時繳付;
2)餘款$153,796,343.00(澳門幣壹億伍仟叁佰柒拾玖萬陸仟叁佰肆拾叁元整),連同年利率5%的利息分6(陸)期繳付,以半年為一期,每期金額相等,即本金連利息合共$27,921,722.00(澳門幣貳仟柒佰玖拾貳萬壹仟柒佰貳拾貳元整)。第一期須於規範本合同的批示在《澳門特別行政區公報》公佈後6(陸)個月內繳付。
第十條款——保證金
1. 按照七月五日第6/80/M號法律第一百二十六條的規定,乙方須透過存款或甲方接受的銀行擔保繳付保證金$198,320.00(澳門幣壹拾玖萬捌仟叁佰貳拾元整)。
2. 上款所指的保證金金額,應按每年有關租金的數值調整。
3. 本條款第1款所述的保證金,在遞交土地工務運輸局發出的使用准照後,應乙方要求,由財政局退還。
第十一條款——工程及使用准照
1. 工程准照僅在乙方遞交已按照本合同第九條款的規定繳付已到期溢價金的證明後,方予發出。
2. 使用准照僅在遞交已全數繳付第九條款所訂定的溢價金及已履行第六條款所訂定的義務的證明後,方予發出。
第十二條款——轉讓
1. 當土地未被完全的利用而將本批給所衍生的狀況轉讓,須事先獲得甲方的批准,而承讓人亦須受本合同修改後的條件約束,尤其有關溢價金方面。
2. 基於利用的性質,對於12幢塔樓中各幢的獨立單位,當竣工並取得有關的使用准照後,即批准轉讓批給所衍生的狀況。
3. 為保證工程所需的融資,乙方可按照十二月二十六日第51/83/M號法令第二條的規定,將批出土地的租賃權向總行或分行設在澳門特別行政區的信貸機構作意定抵押。
第十三條款——監督
在批出土地的利用期間,乙方必須准許行政當局執行監督工作的代表進入該土地及施工範圍,並向代表提供一切所需的協助,使其有效執行任務。
第十四條款——失效
1. 本合同在下列情況下失效:
1)第八條款第1款規定的加重罰款期限屆滿;
2)當土地的利用未完成,未經同意而更改批給用途;
3)土地的利用中止超過90(玖拾)日,但有合理解釋且為甲方接受的特殊原因除外。
2. 合同的失效由行政長官以批示宣告,並在《澳門特別行政區公報》公佈。
3. 合同的失效導致土地連同其上的所有改善物歸甲方所有,乙方無權要求任何賠償。
第十五條款——解除
1. 倘發生下列任一事實,本合同可被解除:
- 1)不準時繳付租金;
- 2)當土地的利用完成時,未經同意而更改土地的利用及/或批給用途;
- 3)四次或以上重複不履行第七條款規定的義務;
- 4)不履行第六條款及第九條款規定的義務;
- 5)違反第十二條款的規定,將批給所衍生的狀況轉讓。
2. 合同的解除由行政長官以批示宣告,並在《澳門特別行政區公報》公佈。
第十六條款——有權限法院
澳門特別行政區法院為有權解決由本合同所產生任何爭訟的法院。
第十七條款——適用法例
如有遺漏,本合同以七月五日第6/80/M號法律和其他適用的法例規範。
———
二零一一年十二月二十九日於運輸工務司司長辦公室
辦公室代主任 張佩儀








