澳 門 特 別 行 政 區
運輸工務司司長辦公室
|
| |||||||||||
| 相關法規 : | |||
| 相關類別 : | |||
| 《LegisMac》的法例註釋 | |||
第19/2012號運輸工務司司長批示
IHG太極製藥廠(澳門)有限公司,總址設於澳門水坑尾街中建商業大廈18字樓,登記於商業及動產登記局第14587(SO)號。根據以其名義於第31838F號作出的登錄,該公司擁有一幅以租賃制度批出,總面積為12,960平方米,位於路環島,在石排灣填海工業區,鄰近蓮花海濱大馬路,稱為“C”地段,標示於物業登記局B冊第23232號的土地的批給所衍生的權利,以便用作興建一幢樓宇,以設立一研究及生產藥物及天然產品的工業園。
該批給由以公佈於二零零三年六月二十五日第二十六期《澳門特別行政區公報》第二組的第57/2003號運輸工務司司長批示作憑證的合同規範。
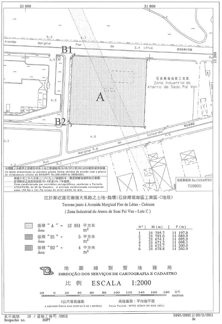
上述土地在地圖繪製暨地籍局於二零一一年十一月三日發出的第5995/2002號地籍圖中以字母“A”、“B1”和“B2”標示和定界,面積分別為12,951平方米、5平方米和4平方米。
根據土地工務運輸局於二零一一年八月十八日發出的街道準線圖,地塊“B1”和“B2”須納入澳門特別行政區的公產,用作擴闊公共街道,以改善步行條件。
IHG太極製藥廠(澳門)有限公司於二零一二年一月十九日作出通知,根據七月五日第6/80/M號法律第一百零八條的規定,放棄以租賃制度批出的上述地塊的批給。
基於此;
運輸工務司司長行使《澳門特別行政區基本法》第六十四條賦予的職權,並根據七月五日第6/80/M號法律第一百零八條的規定,作出本批示。
一、宣告IHG太極製藥廠(澳門)有限公司放棄以租賃制度批出,在地圖繪製暨地籍局於二零一一年十一月三日發出的第5995/2002號地籍圖中以字母“B1”和“B2”標示和定界,面積分別為5平方米和4平方米,將會脫離一幅標示於物業登記局B冊第23232號,總面積12,960平方米,位於路環島,在石排灣填海工業區,鄰近蓮花海濱大馬路,稱為“C”地段的土地的地塊的批給。
二、基於上款所述的放棄,將“B1”和“B2”地塊在無帶任何責任及負擔下歸澳門特別行政區所有,納入其公產。
三、本批示即時生效。
二零一二年五月二十一日
運輸工務司司長 劉仕堯
———
二零一二年五月二十二日於運輸工務司司長辦公室
辦公室主任 黃振東





