澳 門 特 別 行 政 區
運輸工務司司長辦公室
|
| |||||||||||
第44/2012號運輸工務司司長批示
運輸工務司司長行使《澳門特別行政區基本法》第六十四條賦予的職權,並根據第11/2005號行政長官批示第一款及第六款,連同經第30/2011號行政命令修改的第124/2009號行政命令第一款、第三款(三)項及第六款的規定,作出本批示。
轉授一切所需權力予能源業發展辦公室主任Arnaldo Ernesto dos Santos工程師或其法定代任人,以便代表澳門特別行政區作為簽署人,與「忠信清潔管理」簽訂「2013年能源業發展辦公室清潔服務」合同。
二零一二年十月二十五日
運輸工務司司長 劉仕堯
|
| |||||||||||
| 相關法規 : | |||
| 相關類別 : | |||
| 《LegisMac》的法例註釋 | |||
第45/2012號運輸工務司司長批示
運輸工務司司長行使《澳門特別行政區基本法》第六十四條賦予的職權,並根據七月五日第6/80/M號法律第二十九條第一款c)項、第四十九條和續後數條、第一百零七條、第一百二十九條及第一百五十三條的規定,作出本批示。
一、批准將一幅以租賃制度批出,面積248平方米,位於澳門半島,鄰近罅些喇提督大馬路,標示於物業登記局第22090號,由一九九一年六月二十一日訂立的公證書規範及經第29/2003號運輸工務司司長批示修改的土地批給所衍生的權利有償轉讓予逸豪坊地產發展有限公司。
二、根據本批示組成部分的附件合同所載規定及條件,修改上款所指以租賃制度批出的土地的批給,以將土地利用興建一幢七層高,屬分層所有權制度,作住宅及商業用途的樓宇。
三、基於上述修改,根據對該地點所訂定的新街道準線的規定,將上述土地的無帶任何責任或負擔,面積7平方米的地塊歸還澳門特別行政區,以納入其公產,作為公共街道。
四、以租賃制度批出一幅面積26平方米的毗鄰地塊,以便與第一款所述土地合併及共同利用,而該土地的面積改為267平方米。
五、本批示即時生效。
二零一二年十月二十六日
運輸工務司司長 劉仕堯
———
附件
(土地工務運輸局第508.03號案卷及土地委員會第25/2011號案卷)
合同協議方:
- 甲方——澳門特別行政區;
- 乙方——逸豪坊地產發展有限公司;及
- 丙方——吳偉明。
鑒於:
一、吳偉明,未婚,成年,居住於澳門得勝馬路8至10號,2字樓“E”,根據以其名義所作的第27841F號登錄,其擁有一幅以租賃制度批出,面積248平方米,位於澳門半島罅些喇提督大馬路,標示於物業登記局B128冊第37頁背頁第22090號的土地的批給所衍生的權利。
二、根據載於財政局第284號冊第23至29頁的一九九一年六月二十一日公證書規範的批給合同的規定,上述土地為一幅面積858平方米,位於同一大馬路,其上曾建有11號及13號樓宇,標示於物業登記局B30冊第31頁及第31頁背頁第11156號及第11157號,由三幅面積分別為390平方米、220平方米及248平方米地塊組成的土地的組成部分,而有關批給經公佈於二零零三年四月二十三日第十七期《澳門特別行政區公報》第二組的第29/2003號運輸工務司司長批示修改。
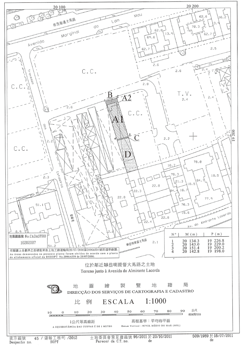
三、根據對該地點所訂定的街道準線的規定,在附於上述公證書,由地圖繪製暨地籍局於一九九零年五月八日發出的第509/89號地籍圖中以字母“B”標示的面積220平方米地塊歸屬公產,作為公共街道。
四、在上述地籍圖中以字母“A”標示的面積390平方米地塊已完成利用興建一幢樓宇,其使用准照已由土地工務運輸局於一九九一年十一月十三日發出。
五、至於在同一地籍圖中以字母“C”標示的面積248平方米地塊,已在相關修改批給合同中達成協議,考慮到對該區所確定的都市化條件及雙方所訂定的條件,其利用將於稍後才進行。
六、於二零零五年十二月十六日,吳偉明和總辦事處設於澳門高美士街14號,景秀花園2字樓“C”,登記於商業及動產登記局第20955(SO)號的逸豪坊地產發展有限公司請求批准將該幅以租賃制度批出的“C”地塊的批給所衍生的權利轉讓予上述公司,以及重新利用土地興建一幢七層高,屬分層所有權制度,作住宅及商業用途的樓宇,並遞交相關初研方案。
七、逸豪坊地產發展有限公司於二零零六年十一月十五日向土地工務運輸局遞交了一份建築計劃,透過該局局長於二零零七年一月三十日所作的批示,該份建築計劃已被視為可予核准,但須遵守某些技術要件。
八、上述地塊在地圖繪製暨地籍局於二零一一年七月十八日發出的第509/1989號地籍圖中以字母“A1”、“A2”及“C”定界及標示,面積分別為214平方米、27平方米及7平方米。
九、根據土地工務運輸局於二零零六年七月二十八日發出的第2006A050號街道準線圖,當上款所述土地進行利用時,須將面積7平方米的“C”地塊脫離該土地,以納入澳門特別行政區公產,作為公共街道。
十、另一方面,須將面積26平方米,未在物業登記局標示的毗鄰地塊與該批出土地合併,而該土地的面積改為267平方米。
十一、至於以字母“A2”及“B”標示的地塊,其地面及以下至1.50米深的下層土壤設定為公共地役,拱廊柱子之間的空間須留空,以供人貨自由通行,以及安裝供水、供電、燃氣和電訊的基礎設施。
十二、在集齊組成案卷所需的文件後,土地工務運輸局計算了應得的回報,並制定合同擬本。申請人透過於二零一一年七月一日和二零一一年七月十八日遞交的聲明書,明確表示同意該擬本。
十三、案卷按一般程序送交土地委員會,該委員會於二零一一年十月二十日舉行會議,同意批准有關申請。土地委員會的意見書已於二零一一年十一月十四日經行政長官的批示確認。
十四、根據並履行七月五日第6/80/M號法律第一百二十五條的規定,已將由本批示規範的合同條件通知申請人。轉讓人和承讓公司分別透過於二零一二年七月十八日和二零一一年十二月十九日遞交的聲明書,明確接納有關條件。承讓公司的聲明書由鄧國明和羅盛宗,兩人的職業住所位於澳門高美士街14號,景秀花園2字樓“C”,以逸豪坊地產發展有限公司的行政管理機關成員身分代表該公司簽署,而根據載於該聲明書上的確認,上述人士的身分及權力已經第一公證署核實。
十五、承批公司已繳付由本批示規範的合同第八條款1)項所規定的溢價金、第九條款所規定的特別稅捐,以及已提供該合同第十二條款第二款所規定的保證金。
第一條款——合同標的
1.本合同標的為:
1)經甲方批准,丙方以$3,000,000.00(澳門幣叁佰萬元整)將一幅以租賃制度批出,位於澳門半島,鄰近罅些喇提督大馬路,面積248(貳佰肆拾捌)平方米,標示於物業登記局B128冊第37頁背頁第22090號,在地圖繪製暨地籍局於二零一一年七月十八日發出的第509/1989號地籍圖中以字母“A1”、“A2”及“C”定界及標示的土地的批給所衍生的權利轉讓予乙方,並獲其接納。土地的批給由載於財政局第284號冊第23至29頁的一九九一年六月二十一日公證書規範,並經公佈於二零零三年四月二十三日第十七期《澳門特別行政區公報》第二組的第29/2003號運輸工務司司長批示修改;
2)局部修改上項所指土地的批給;
3)根據新街道準線,把一幅無帶任何責任或負擔,面積7(柒)平方米,在上述地籍圖中以字母“C”標示,將會脫離1)項所指土地的地塊歸還給甲方,以納入澳門特別行政區公產,作為公共街道;
4)以租賃制度批予乙方一幅面積26(貳拾陸)平方米,毗鄰1)項所指土地,未在物業登記局標示及在上述地籍圖中以字母“B”標示,價值為$395,826.00(澳門幣 叁拾玖萬伍仟捌佰貳拾陸元整)的地塊。
2. 上款所指在上述地籍圖中以字母“A1”、“A2”及“B”標示的地塊,將會以租賃制度合併及共同利用,組成一幅面積267(貳佰陸拾柒)平方米的單一地段,以下簡稱土地,其批給轉由本合同的條款規範。
第二條款——租賃期限
1. 租賃的有效期至二零一八年十二月三十一日止。
2. 上款訂定的租賃期限可按適用法例連續續期。
第三條款——土地的利用及用途
1. 土地用作興建一幢屬分層所有權制度的7(柒)層高樓宇,其建築面積按用途分配如下:
| 1)住宅 | 1,222平方米; |
| 2)商業 | 180平方米。 |
2. 上款所述面積在為發出有關使用准照而作實地檢查時可作修改。
3. 在地圖繪製暨地籍局於二零一一年七月十八日發出的第509/1989號地籍圖中以字母“A2”及“B”標示,面積分別為27(貳拾柒)平方米及26(貳拾陸)平方米的地塊,其位於拱廊下地面層柱子之間的空間必須留空,供人貨自由通行,同時不能設置任何限制,亦不得作任何形式的臨時或永久性佔用,該處稱為拱廊下的行人區。
4. 乙方有義務留空上款所述條狀地段下面至1.50米深的全部下層土壤,以便在該處安裝供水、供電、燃氣和電訊的基礎設施,但被拱廊支柱地基佔用的空間除外。
第四條款——租金
1. 乙方每年繳付的租金如下:
1)在土地的利用期間,每平方米批出土地的租金為$16.00(澳門幣壹拾陸元整),總金額為$4,272.00(澳門幣肆仟貳佰柒拾貳元整);
2)在土地利用完成後,改為:
(1)住宅:建築面積每平方米$8.00(澳門幣捌元整);
(2)商業:建築面積每平方米$16.00(澳門幣壹拾陸元整)。
2. 租金每五年調整一次,由規範本合同的批示在《澳門特別行政區公報》公佈之日起計,但不妨礙在合同生效期間所公佈法例的新訂租金的即時實施。
第五條款——利用期限
1. 土地的總利用期限為36(叁拾陸)個月,由規範本合同的批示在《澳門特別行政區公報》公佈之日起計。
2. 上款訂定的期限包括乙方遞交計劃及甲方審議該等計劃所需的時間。
3. 乙方須按照下列期限遞交有關計劃及開始施工:
1)由第1款所指的批示公佈之日起計30(叁拾)日內,編制和遞交工程計劃(地基、結構、供水、排水、供電及其他專業計劃);
2)由通知工程計劃獲核准之日起計60(陸拾)日內,遞交發出工程准照的申請書;
3)由發出工程准照之日起計15(拾伍)日內,開始施工。
4. 為遵守上款所指期限的效力,計劃必須完整及適當地備齊所有資料後,方視為確實完成遞交。
第六條款——特別負擔
1. 由乙方獨力承擔的特別負擔為:
1)騰空在地圖繪製暨地籍局於二零一一年七月十八日發出的第509/1989號地籍圖中以字母“A1”、“A2”、“B”、“C”及“D”標示的地塊,並移走其上可能存在的所有建築物、物料和基礎設施;
2)根據乙方提交及經甲方核准的計劃,並按照二零零六年七月二十八日核准的第2006A050號街道準線圖的規定,在上項所指的地籍圖中以字母“C”及“D”標示的地塊建造公共街道、基礎設施及公共行人道。
2. 上款2)項所指的工程應於第五條款所指的期限內完成。
3. 對第1款2)項所述的工程,乙方保證優質施工及使用質量良好的材料,並負責對該等工程由臨時接收之日起計2(兩)年內所出現的一切瑕疵進行維修及更正。
4. 甲方保留只需透過事先通知,便可代替乙方直接執行第1款2)項所述的部分或全部工程的權利,但有關費用仍需由乙方承擔。
第七條款——罰款
1. 除有合理解釋且為甲方接受的特殊原因外,乙方不遵守第五條款訂定的任一期限,延遲不超過60(陸拾)日者,處以罰款每日可達$4,000.00(澳門幣肆仟元整);延遲超過60(陸拾)日,但在120(壹佰貳拾)日以內者,則罰款將加至雙倍。
2. 遇有不可抗力或發生獲證實為非乙方所能控制的其他特殊情況,則免除乙方承擔上款所指的責任。
3. 僅因不可預見及不可抵抗事件而引發的情況,方視為不可抗力。
4. 為著第2款規定的效力,乙方必須儘快將發生上述事實的情況以書面通知甲方。
第八條款——合同溢價金
乙方須向甲方繳付合同溢價金,總金額為$2,230,327.00(澳門幣貳佰貳拾叁萬零叁佰貳拾柒元整),繳付方式如下:
1)當乙方按照七月五日第6/80/M號法律第一百二十五條的規定接受本合同的條件時,繳付$1,000,000.00(澳門幣壹佰萬元整);
2)餘款$1,230,327.00(澳門幣壹佰貳拾叁萬零叁佰貳拾柒元整)連同年利率5%的利息,分2(貳)期繳付,以半年為一期,每期金額相等,即本金連利息合共$638,327.00(澳門幣陸拾 叁萬捌仟叁佰貳拾柒元整)。第一期須於規範本合同的批示在《澳門特別行政區公報》公佈後6(陸)個月內繳付。
第九條款——特別稅捐
當乙方按照七月五日第6/80/M號法律第一百二十五條的規定接受本合同的條件時,根據八月二日第219/93/M號訓令的規定,須就標示於物業登記局第22090號的土地的租賃批給期限由二零零九年一月一日起續期10(拾)年,繳付金額為$39,680.00(澳門幣 叁萬玖仟陸佰捌拾元整)的特別稅捐。
第十條款——保證金
1. 根據七月五日第6/80/M號法律第一百二十六條的規定,乙方須透過存款或甲方接受的銀行擔保提供保證金$4,272.00(澳門幣肆仟貳佰柒拾貳元整)。
2. 上款所指的保證金金額應按每年有關租金的數值調整。
3. 第1款所述的保證金在遞交土地工務運輸局發出的使用准照後,應乙方要求,由財政局退還。
第十一條款——使用准照
僅在提交已全數繳付第八條款訂定的溢價金的證明,以及已履行第六條款訂定的全部義務後,方發出使用准照。
第十二條款——轉讓
1. 當土地未被完全利用而將本批給所衍生的狀況轉讓,須事先獲得甲方批准,而承讓人亦須受本合同修改後的條件約束,尤其是溢價金方面。
2. 在不妨礙上款最後部分規定的情況下,乙方須以現金存款、其條款獲甲方接受的銀行擔保或保險擔保提供保證金$120,000.00(澳門幣壹拾貳萬元整),作為擔保履行已設定的義務。該保證金可應乙方要求,在發出使用准照或批准轉讓批給所衍生的權利時退還。
第十三條款——監督
在批出土地的利用期間,乙方必須准許行政當局有關部門執行監督工作的代表進入土地及施工範圍,並向代表提供一切所需的協助,使其有效執行任務。
第十四條款——失效
1. 本批給在下列情況下失效:
1)第七條款第1款規定的加重罰款期限屆滿;
2)當土地利用未完成,未經同意而更改批給用途;
3)土地的利用中斷超過90(玖拾)日,但有合理解釋且為甲方接受的特殊原因除外。
2. 批給的失效由行政長官以批示宣告,並在《澳門特別行政區公報》公佈。
3. 批給的失效導致土地連同其上的所有改善物歸甲方所有,乙方無權要求任何賠償。
第十五條款——解除
1. 倘發生下列任一事實,本批給可被解除:
1)不準時繳付租金;
2)土地利用已完成,未經同意而更改土地的利用及/或批給用途;
3)不履行第六條款及第八條款規定的義務;
4)違反第十二條款的規定,將批給所衍生的狀況轉讓。
2. 批給的解除由行政長官以批示宣告,並在《澳門特別行政區公報》公佈。
第十六條款——有權限法院
澳門特別行政區法院為有權解決由本合同所產生任何爭訟的法院。
第十七條款——適用法例
如有遺漏,本合同以七月五日第6/80/M號法律和其他適用法例規範。
———
二零一二年十月二十九日於運輸工務司司長辦公室
辦公室主任 黃振東





