澳 門 特 別 行 政 區
運輸工務司司長辦公室
|
| |||||||||||
| 相關法規 : | |||
| 相關類別 : | |||
| 《LegisMac》的法例註釋 | |||
第57/2012號運輸工務司司長批示
運輸工務司司長行使《澳門特別行政區基本法》第六十四條賦予的職權,並根據七月五日第6/80/M號法律第一百零七條及第一百二十九條的規定,作出本批示。
一、根據本批示組成部分的附件合同所載規定及條件,修改一幅以長期租借制度批出,修正後的面積為2,373平方米,位於澳門半島海邊馬路,無門牌號碼,標示於物業登記局第20450號的土地的批給,以興建一幢屬分層所有權制度,作住宅及停車場用途的樓宇。
二、基於上述修改,根據對該地點訂定的新街道準線,將一幅無帶任何責任或負擔,面積293平方米,將脫離上款所指土地的地塊歸還澳門特別行政區,以納入其公產,作為公共街道,因此批出土地的面積現為2,080平方米。
三、本批示即時生效。
二零一二年十二月十四日
運輸工務司司長 劉仕堯
———
附件
(土地工務運輸局第645.02號案卷及土地委員會第10/2012號案卷)
合同協議方:
- 甲方——澳門特別行政區;及
- 乙方——松山(澳門)投資有限公司。
鑒於:
一、松山(澳門)投資有限公司,總辦事處設於澳門氹仔南京街558號,雄昌花園地下“E”,登記於商業及動產登記局第31533(SO)號,根據以其名義作出的第177018G號登錄,該公司擁有一幅登記面積為2,453平方米,經重新量度後修正為2,373平方米,位於澳門半島海邊馬路,無門牌號碼,標示於物業登記局B44冊第140頁背頁第20450號的土地的利用權。
二、該土地的田底權以澳門特別行政區的名義登錄於F7冊第18頁第6202號、F9冊第105頁第8539號及第F11冊第22頁第9820號。
三、承批公司擬重新利用該土地興建一幢屬分層所有權制度,樓高八層,其中一層為地庫,作住宅和停車場用途的樓宇,於二零零九年五月十九日向土地工務運輸局遞交一份建築計劃。根據該局副局長於二零零九年八月三日作出的批示,該計劃被視為可予核准,但須遵守某些技術要件。
四、承批公司於二零一零年二月五日,根據七月五日第6/80/M號法律第一百零七條的規定,請求批准按照已被土地工務運輸局視為可予核准的計劃,更改土地的利用及修改批給合同。
五、在集齊組成案卷所需的文件後,土地工務運輸局計算了應得的回報並制定修改批給的合同擬本。該擬本已獲承批公司於二零一二年一月二十日遞交的聲明書明確表示同意。
六、有關土地的總面積為2,373平方米,在地圖繪製暨地籍局於二零一零年七月十四日發出的第3776/1991號地籍圖中以字母“A1”、“A2”及“B”定界和標示,面積分別為1,337平方米、743平方米和293平方米。
七、根據對該地點訂定的新街道準線,在上述地籍圖中以字母“B”標示的地塊,將脫離上款所述土地,以納入澳門特別行政區公產,作為公共街道。
八、案卷按一般程序送交土地委員會。該委員會於二零一二年四月二十六日舉行會議,同意批准有關申請。土地委員會的意見書於二零一二年九月六日經行政長官的批示確認。
九、根據並履行七月五日第6/80/M號法律第一百二十五條的規定,已將由本批示規範的合同條件通知承批公司。該公司透過於二零一二年十月十五日遞交由陳智仁和蔡殿衡,兩人的職業住所均位於澳門氹仔南京街558號,雄昌花園地下“E”,以行政管理機關成員身分代表松山(澳門)投資有限公司簽署的聲明書,明確表示接納有關條件。根據載於該聲明書上的確認,其身分及權力已經第一公證署核實。
十、承批公司已繳付由本批示規範的合同第三條款所訂定經調整的利用權價金及第六條款第1)項所訂定的溢價金,並已提交合同第八條款第2款所指的保證金。
第一條款——合同標的
1.本合同標的為:
1)修改一幅以長期租借制度批出,面積為2,453(貳仟肆佰伍拾叁)平方米,經重新量度後修正為2,373(貳仟叁佰柒拾叁)平方米,位於澳門半島海邊馬路,無門牌號碼,在地圖繪製暨地籍局於二零一零年七月十四日發出的第3776/1991號地籍圖中以字母“A1”、“A2”及“B”定界和標示,並標示於物業登記局B44冊第140頁背頁第20450號,其利用權以乙方的名義登錄於第177018G號的土地的批給;
2)根據新街道準線的規定,將一幅無帶任何責任或負擔,面積293(貳佰玖拾叁)平方米,在上述地籍圖中以字母“B”標示,將脫離上項所指土地的地塊歸還甲方,以納入澳門特別行政區公產,作為公共街道。
2. 批出土地現時的面積為2,080(貳仟零捌拾)平方米,在上述地籍圖中以字母“A1”及“A2”標示,以下簡稱土地,其批給轉由本合同的條款規範。
第二條款——土地的利用及用途
1. 土地用作興建一幢屬分層所有權制度,樓高8(捌)層的樓宇,其中1(壹)層為地庫,其用途及建築面積如下:
- 1)住宅:建築面積 11,357平方米;
- 2)停車場:建築面積 2,096平方米。
2. 上款所述的面積在為發出有關使用准照而作實地檢查時可作修改。
第三條款——利用權價金及地租
1. 土地的利用權價金總額為$1,076,240.00(澳門幣壹佰零柒萬陸仟貳佰肆拾元整)。
2. 當乙方根據七月五日第6/80/M號法律第一百二十五條的規定接受本合同條件時,須一次性全數繳付第1款訂定的經調整的利用權價金的差額。
3. 每年繳付的地租調整為$2,691.00(澳門幣貳仟陸佰玖拾壹元整)。
4. 不準時繳付地租,將按照稅務執行程序的規定進行強制徵收。
第四條款——利用期限
1. 土地的利用期限為36(叁拾陸)個月,由規範本合同的批示在《澳門特別行政區公報》公佈之日起計。
2. 上款所述的期限包括乙方遞交工程計劃、甲方審議該計劃及發出有關准照的時間。
3. 乙方應依照下列期限遞交有關計劃及開始施工:
1)由第1款所指的批示公佈之日起計60(陸拾)日內,制定和遞交工程計劃(地基、結構、供水、排水、供電及其他專業計劃);
2)由通知工程計劃獲核准之日起計60(陸拾)日內,遞交發出工程准照的申請書;
3)由發出工程准照之日起計15(拾伍)日內,開始施工。
4. 為遵守上款所指期限的效力,計劃須完整及適當備齊所有資料,方視為確實完成遞交。
第五條款——罰款
1. 除有合理解釋且為甲方接受的特殊原因外,乙方不遵守第四條款所訂定的任一期限,延遲不超過60(陸拾)日者,處以罰款每日可達$20,000.00(澳門幣貳萬元整),延遲超過60(陸拾)日,但在120(壹佰貳拾)日以內者,則罰款將加至雙倍。
2. 遇有不可抗力或發生被證實為非乙方所能控制的其他特殊情況,則免除乙方承擔上款所指的責任。
3. 僅因不可預見及不可抵抗事件而引發的情況,方視為不可抗力。
4. 為著第2款的效力,乙方必須儘快將發生上述事實的情況以書面通知甲方。
第六條款——合同溢價金
乙方須向甲方繳付合同溢價金$22,292,658.00(澳門幣貳仟貳佰貳拾玖萬貳仟陸佰伍拾捌元整),繳付方式如下:
1)$8,000,000.00(澳門幣捌佰萬元整),當根據七月五日第6/80/M號法律第一百二十五條的規定接受本合同的條件時繳付;
2)餘款$14,292,658.00(澳門幣壹仟肆佰貳拾玖萬貳仟陸佰伍拾捌元整),連同年利率5%的利息,分5(伍)期繳付,以半年為一期,每期金額相等,即本金連利息合共$3,076,450.00(澳門幣叁佰零柒萬陸仟肆佰伍拾元整)。第一期須於規範本合同的批示在《澳門特別行政區公報》公佈後6(陸)個月內繳付。
第七條款——特別負擔
1. 由乙方獨力承擔的特別負擔為:
1)騰空在地圖繪製暨地籍局於二零一零年七月十四日發出的第3776/1991號地籍圖中以字母“A1”,“A2”,“B”及“C”標示的地塊,並移走其上所有的建築物;
2)根據土地工務運輸局核准的計劃,在上述地籍圖中以字母“B”及“C”標示的地塊進行公共道路的建造工程。
2. 上款2)項所述的基礎設施應於本合同第四條款所指的期限內完成。
3. 對本條款第1款2)項所述的基礎設施,乙方保證優質施工及使用質量良好的材料,並自該等工程被臨時接收當日起計兩年內,負責維修及更正可能出現的瑕疵。
4. 甲方保留只需透過事先通知,便可代替乙方直接執行部分或全部本條款第1款2)項所述特別負擔的基礎設施的權利,但有關費用仍需由乙方承擔。
第八條款——轉讓
1. 當土地未被完全利用而將本批給所衍生的狀況轉讓,須事先獲得甲方許可,承讓人亦須受本合同修改後的條件約束,尤其有關溢價金方面。
2. 在不妨礙上款最後部分規定的情況下,乙方須以存款、其條款獲甲方接受的擔保或保險擔保提供保證金$180,000.00(澳門幣拾捌萬元整),作為擔保履行已設定之義務。該保證金可應乙方要求,在發出使用准照或許可轉讓批給所衍生的權利時退還。
第九條款——使用准照
使用准照僅在遞交已全數繳付第六條款所訂定的溢價金的證明,以及完成第七條款規定的公共道路建造工程後,方予發出。
第十條款——監督
在批出土地的利用期間,乙方必須准許行政當局執行監督工作的代表進入土地及施工範圍,並向代表提供一切所需的協助,使其有效地執行任務。
第十一條款——土地的收回
1. 倘未經批准而更改批給用途或土地的利用,甲方可宣告全部或局部收回該土地。
2. 當發生下列任一事實時,該土地亦會被收回:
1)第五條款規定的加重罰款期限屆滿;
2)未經同意而中止土地的利用;
3)不履行第六條款及第七條款所規定的義務。
3. 土地的收回由行政長官以批示宣告,並在《澳門特別行政區公報》公佈。
4. 土地收回的宣告將產生以下效力:
1)土地的利用權全部或局部被撤銷;
2)土地全部或部分,連同其上的所有改善物歸甲方所有,乙方有權收取由甲方訂定的賠償。
第十二條款——有權限法院
澳門特別行政區法院為有權解決由本合同所產生任何爭訟的法院。
第十三條款——適用法例
如有遺漏,本合同以七月五日第6/80/M號法律和其他適用法例規範。
|
| |||||||||||
| 相關法規 : | |||
| 相關類別 : | |||
| 《LegisMac》的法例註釋 | |||
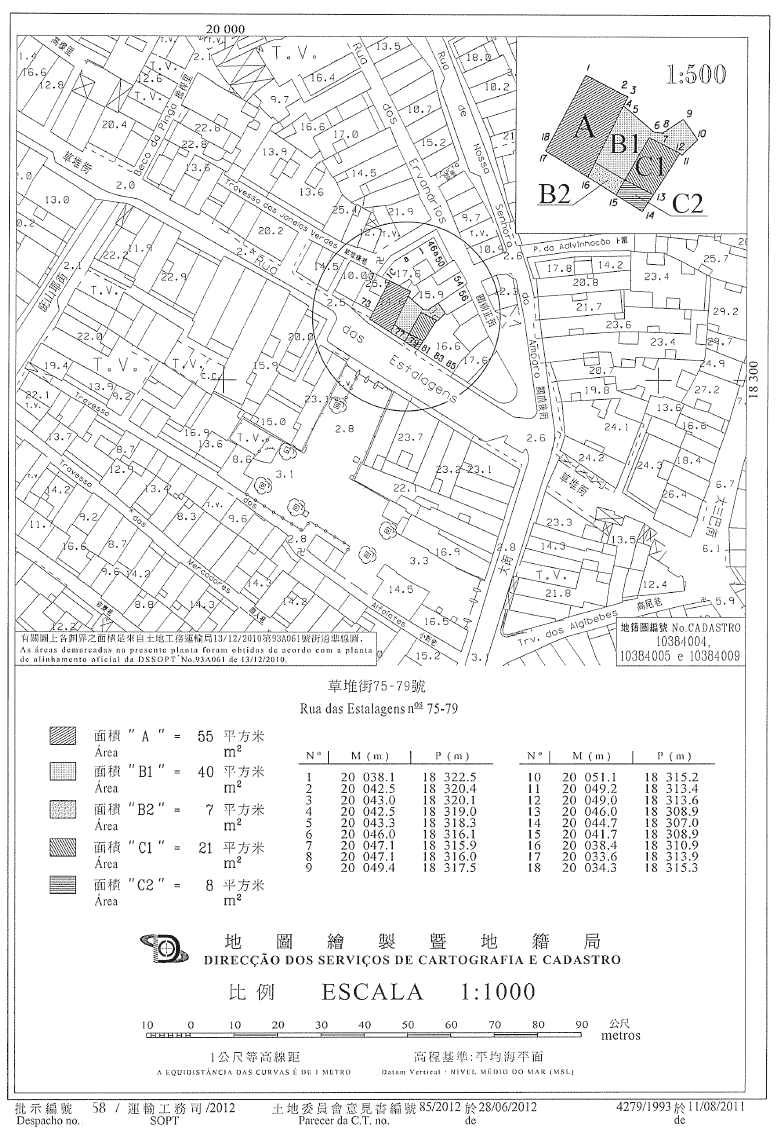
第58/2012號運輸工務司司長批示
運輸工務司司長行使《澳門特別行政區基本法》第六十四條賦予的職權,並根據七月五日第6/80/M號法律第二十九條第一款c)項、第四十九條及續後數條、第一百零七條、第一百二十九條和第一百七十九條第二款的規定,作出本批示。
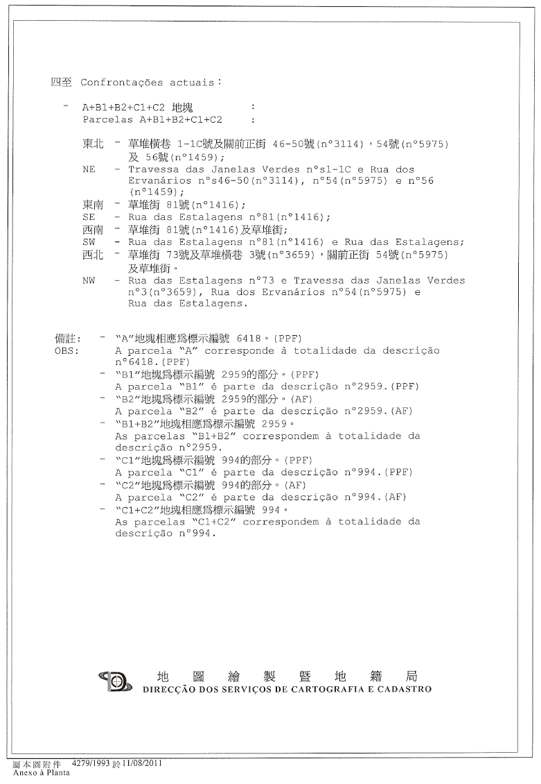
一、將三幅總面積116平方米,位於澳門半島草堆街,其上建有75號至79號樓宇,標示於物業登記局第6418號、第2959號及第994號,無帶任何責任或負擔的地塊的完全所有權讓與澳門特別行政區。
二、將兩幅總面積15平方米,位於澳門半島草堆街,其上建有75號至79號樓宇,標示於物業登記局第2959號及第994號,無帶任何責任或負擔的地塊的利用權讓與澳門特別行政區。
三、為統一法律制度,根據本批示組成部分的附件合同所載規定及條件,以租賃制度批出第一款所述,總面積116平方米的地塊,以及第二款所述,總面積15平方米的地塊,以便在清拆建於其上的樓宇後將該等地塊合併並組成一幅面積131平方米的單一地段,用作興建一幢屬分層所有權制度,作住宅和商業用途的樓宇。
四、本批示即時生效。
二零一二年十二月十四日
運輸工務司司長 劉仕堯
———
附件
(土地工務運輸局第2703.01號案卷及土地委員會第20/2012號案卷)
合同協議方:
- 甲方——澳門特別行政區;
- 乙方——方圓廣場有限公司。
鑒於:
一、方圓廣場有限公司,總辦事處設於澳門羅理基博士大馬路138號,興富閣14字樓B,登記於商業及動產登記局第17909(SO)號,根據以其名義作出的第223657G號、第201533G號及第205624G號登錄,該公司擁有三幅總面積116平方米,屬完全所有權制度,位於澳門半島草堆街,其上建有75號至79號樓宇,標示於物業登記局B24冊第64頁第6418號、B15冊第1頁背頁第2959號及B6冊第262頁背頁第994號的地塊。
二、根據以該公司名義作出的第201533G號及第205624G號登錄,其亦擁有兩幅以長期租借制度批出,總面積15平方米,納入標示於物業登記局B15冊第1頁背頁第2959號及B6冊第262頁背頁第994號土地的地塊的利用權。
三、上述地塊的田底權以澳門特別行政區的名義登錄於F5冊第85頁第3070號及F6冊第174頁第4007號。
四、上述公司擬重新共同利用該五幅地塊興建一幢七層高,屬分層所有權制度,作住宅及商業用途的樓宇,因此於二零一一年四月十五日將一份建築計劃提交土地工務運輸局審議。根據該局副局長於二零一一年六月九日所作的批示,該計劃被視為可予核准,但須遵守某些技術要件。
五、為著統一上述土地的法律制度,該公司透過於二零一一年九月二十一日遞交的申請書,表示自願將上述一幅總面積116平方米土地的所有權及另一幅總面積15平方米土地的利用權讓予澳門特別行政區,以納入其私產,並請求同時以租賃制度將該等土地批予該公司,以便將其合併及共同利用,組成一幅面積131平方米的單一地段。
六、在集齊組成案卷所需的文件後,土地工務運輸局計算了應得的回報並制定了合同擬本。該擬本已獲申請公司於二零一二年三月二十二日遞交的聲明書,明確表示同意。
七、該等屬完全所有權制度的地塊,在地圖繪製暨地籍局於二零一一年八月十一日發出的第4279/1993號地籍圖中以字母“A”、“B1”及“C1”定界和標示,其面積分別是55平方米、40平方米及21平方米。而該等以長期租借制度批出的地塊,在上述地籍圖中以字母“B2”及“C2”定界和標示,其面積分別是7平方米及8平方米。
八、案卷按一般程序送交土地委員會。該委員會於二零一二年六月二十八日舉行會議,同意批准有關申請。土地委員會的意見書已於二零一二年七月三十日經行政長官的批示確認。
九、根據並履行七月五日第6/80/M號法律第一百二十五條的規定,已將由本批示規範的合同條件通知申請公司。該公司透過二零一二年十月十六日遞交由周瑞芳,居於澳門羅理基博士大馬路138號,興富閣14字樓B,以方圓廣場有限公司的行政管理機關成員身份代表該公司所簽署的聲明書,明確表示接納有關條件。根據載於該聲明書上的確認,其身分及權力已經第一公證署核實。
十、承批公司已繳付由本批示規範的合同第七條款所訂定的溢價金,並已提供合同第十條款規定的保證金。
第一條款——合同標的
1. 為統一位於澳門半島草堆街,其上建有75號至79號樓宇,在地圖繪製暨地籍局於二零一一年八月十一日發出的第4279/1993號地籍圖中以字母“A”、“B1”、“B2”、“C1”及“C2”定界及標示,面積分別為55平方米、40平方米、7平方米、21平方米及8平方米的五幅地塊的法律制度,本合同的標的為:
1)甲方接納乙方以有償方式讓與一幅無帶任何責任或負擔,面積55(伍拾伍)平方米,價值為$1,140,179.00(澳門幣壹佰壹拾肆萬零壹佰柒拾玖元整),於上述地籍圖中以字母“A”標示的地塊的所有權。該地塊將脫離標示於物業登記局B24冊第64頁第6418號的土地及以乙方名義登錄於第223657G號,並納入澳門特別行政區的私產;
2)甲方接納乙方以有償方式讓與一幅無帶任何責任或負擔,面積40(肆拾)平方米,價值為$829,221.00(澳門幣捌拾貳萬玖仟貳佰貳拾壹元整),在上述地籍圖中以字母“B1”標示的地塊的所有權。該地塊將脫離標示於物業登記局B15冊第1頁背頁第2959號的土地及以乙方名義登錄於第201533G號,並納入澳門特別行政區的私產;
3)甲方接納乙方以有償方式讓與一幅無帶任何責任或負擔,面積為7(柒)平方米,價值為$72,557.00(澳門幣柒萬貳仟伍佰伍拾柒元整),於上述地籍圖中以字母“B2”標示的地塊的利用權。該地塊將脫離標示於物業登記局B15冊第1頁背頁第2959號的土地及以乙方名義登錄於第201533G號,並納入澳門特別行政區的私產;
4)甲方接納乙方以有償方式讓與一幅無帶任何責任或負擔,面積21(貳拾壹)平方米,價值為$435,341.00(澳門幣肆拾叁萬伍仟叁佰肆拾壹元整),於上述地籍圖中以字母“C1”標示的地塊的所有權。該地塊將脫離標示於物業登記局B6冊第262頁背頁第994號的土地及以乙方名義登錄於第205624G號,並納入澳門特別行政區的私產;
5)甲方接納乙方以有償方式讓與一幅無帶任何責任或負擔,面積8(捌)平方米,價值為$82,922.00(澳門幣捌萬貳仟玖佰貳拾貳元整),於上述地籍圖中以字母“C2”標示的地塊的利用權。該地塊將脫離標示於物業登記局B6冊第262頁背頁第994號的土地及以乙方名義登錄於第205624G號,並納入澳門特別行政區的私產;
6)以租賃制度將1)、2)、3)、4)及5)項所指以字母“A”、“B1”、“B2”、“C1”及“C2”標示,總價值為$2,560,220.00(澳門幣貳佰伍拾陸萬零貳佰貳拾元整)的地塊批給乙方。
2. 上款所指在上述地籍圖中以字母“A”、“B1”、“B2”、“C1”及“C2”標示的地塊,將以租賃制度合併及共同利用,組成一幅面積131(壹佰叁拾壹)平方米的單一地段,以下簡稱土地,其批給轉由本合同的條款規範。
第二條款——租賃期限
1. 租賃的有效期為25(貳拾伍)年,由規範本合同的批示在《澳門特別行政區公報》公佈之日起計。
2. 上款訂定的租賃期限可按照適用法例連續續期。
第三條款——土地的利用及用途
1. 土地用作興建一幢屬分層所有權制度的7(柒)層高樓宇,用途如下:
- 1)住宅 建築面積763平方米;
- 2)商業 建築面積205平方米。
2. 上款所述面積在為發出有關使用准照而作實地驗查時,可作修改。
第四條款——租金
1. 乙方每年繳付的租金如下:
1)在土地利用期間,每平方米批出土地的租金為$8.00(澳門幣捌元整),總金額為$1,048.00(澳門幣壹仟零肆拾捌元整);
2)在土地利用完成後,改為:
(1)住宅用途的建築面積每平方米$4.00(澳門幣肆元整);
(2)商業用途的建築面積每平方米$6.00(澳門幣陸元整)。
2. 租金每五年調整一次,由規範本合同的批示在《澳門特別行政區公報》公佈之日起計,但不妨礙在合同生效期間所公佈法例的新訂租金的即時實施。
第五條款——利用期限
1. 土地利用的總期限為30(叁拾)個月,由規範本合同的批示在《澳門特別行政區公報》公佈之日起計。
2. 上款所述的期限包括乙方遞交工程計劃、甲方審議該計劃及發出相關准照的時間。
3. 就遞交工程計劃及開始施工,乙方應依照下列期限:
1)由第1款所指的批示公佈之日起計60(陸拾)日內,制定和遞交工程計劃 (地基、結構、供水、排水、供電及其他專業計劃);
2)由核准工程計劃的通知之日起計60 (陸拾)日內,遞交發出工程准照的申請書;
3)由發出工程准照之日起計15 (拾伍)日內,開始施工。
4. 為遵守上款所指期限的效力,計劃須完整及適當備齊所有資料後,方視為確實完成遞交。
第六條款——特別負擔
由乙方獨力承擔的特別負擔為騰空在地圖繪製暨地籍局於二零一一年八月十一日發出的第4279/1993號地籍圖中以字母“A”、“B1”、“B2”、“C1”及“C2”定界及標示的地塊,並移走其上倘有的全部建築物、物料和基礎設施。
第七條款——合同溢價金
乙方須向甲方繳付總金額為$2,560,220.00(澳門幣貳佰伍拾陸萬零貳佰貳拾元整)的合同溢價金,其繳付方式如下:
1)$2,404,741.00(澳門幣貳佰肆拾萬零肆仟柒佰肆拾壹元整),透過讓與第一條款第1款1)、2)及4)項所述地塊,以實物繳付;
2)$155,479.00(澳門幣壹拾伍萬伍仟肆佰柒拾玖元整),當乙方按照七月五日第6/80/M號法律第一百二十五條的規定接受本合同的條件時,以現金方式一次性全數繳付。
第八條款——罰款
1. 除有合理解釋且為甲方接受的特殊原因外,乙方不遵守第五條款訂定的任一期限,延遲不超過60(陸拾)日者,處以罰款每日可達$4,000.00(澳門幣肆仟元整);延遲超過60(陸拾)日,但在120(壹佰貳拾)日以內者,則罰款將加至雙倍。
2. 遇有不可抗力或發生被證實為非乙方所能控制的特殊情況,則免除乙方承擔上款所指的責任。
3. 僅因不可預見及不可抵抗事件而引發的情況,方視為不可抗力。
4. 為著第2款規定的效力,乙方必須儘快將發生上述事實的情況以書面通知甲方。
第九條款——保證金
1. 根據七月五日第6/80/M號法律第一百二十六條的規定,乙方須透過存款或甲方接受的銀行擔保提供保證金$1,048.00(澳門幣壹仟零肆拾捌元整)。
2. 上款所指的保證金金額應按每年有關租金的數值調整。
3. 第1款所述的保證金,在乙方遞交由土地工務運輸局發出的使用准照後,應其要求,由財政局退還。
第十條款——轉讓
1. 當土地未被完全利用而將本批給所衍生的狀況轉讓,須事先獲得甲方批准,承讓人亦須受本合同修改後的條件約束,尤其是有關溢價金方面。
2. 在不妨礙上款最後部分規定的情況下,乙方須以現金存款、其條款獲甲方接受的銀行擔保或保險擔保提供保證金$130,000.00(澳門幣壹拾叁萬元整),作為擔保履行已設定的義務。該保證金可應乙方要求,在發出使用准照或批准轉讓批給所衍生的權利時退還。
第十一條款——監督
在批出土地的利用期間,乙方必須准許行政當局有關部門執行監督工作的代表進入該土地及施工範圍,並向代表提供一切所需的協助,使其有效執行任務。
第十二條款——失效
1. 本批給在下列情況下失效:
1)第八條款第1款規定的加重罰款期限屆滿;
2)當土地利用未完成時,未經同意而更改批給用途;
3)土地的利用中斷超過90(玖拾)日,但有合理解釋且為甲方接受的特殊原因除外。
2. 批給的失效由行政長官以批示宣告,並在《澳門特別行政區公報》公佈。
3. 批給的失效導致土地連同其上的所有改善物歸甲方所有,乙方無權要求任何賠償。
第十三條款——解除
1. 倘發生下列任一事實,本批給可被解除:
1)不準時繳付租金;
2)當土地的利用完成時,未經同意而更改土地的利用及/或批給用途;
3)不履行第六條款規定的義務;
4)違反第十條款的規定,將批給所衍生的狀況轉讓。
2. 批給的解除由行政長官以批示宣告,並在《澳門特別行政區公報》公佈。
第十四條款——有權限法院
澳門特別行政區法院為有權解決由本合同所產生任何爭訟的法院。
第十五條款——適用法例
如有遺漏,本合同以七月五日第6/80/M號法律和其他適用法例規範。
|
| |||||||||||
| 相關法規 : | |||
| 相關類別 : | |||
| 《LegisMac》的法例註釋 | |||
第59/2012號運輸工務司司長批示
運輸工務司司長行使《澳門特別行政區基本法》第六十四條賦予的職權,並根據七月五日第6/80/M號法律第一百零七條和第一百二十九條的規定,作出本批示。
一、根據本批示組成部分的附件合同所載規定及條件,修改一幅以租賃制度批出,修正後的面積為52平方米,位於澳門半島爹美刁施拿地大馬路,其上建有36號樓宇,標示於物業登記局第12597號,用作興建一幢屬分層所有權制度,作住宅和商業用途樓宇的土地的批給。
二、基於上述修改,根據對該地點所訂定的新街道準線,將上款所述土地一幅面積9平方米,無帶任何責任或負擔的地塊歸還澳門特別行政區,以納入其公產,作為公共街道,因此批出土地的面積現為43平方米。
三、本批示即時生效。
二零一二年十二月十四日
運輸工務司司長 劉仕堯
———
附件
(土地工務運輸局第2455.01號案卷及土地委員會第21/2012號案卷)
合同協議方:
- 甲方——澳門特別行政區;
- 乙方——關兆堅。
鑒於:
一、關兆堅,與梁柳鶯以分別財產制結婚,通訊處為澳門河邊新街106號,凱泉灣第II座17字樓K,根據以其名義在F7L冊第73頁第467號作出的登錄,其擁有一幅以租賃制度批出,登記面積50.675平方米,經重新量度後修正為52平方米,位於澳門半島爹美刁施拿地大馬路,其上建有36號樓宇,標示於物業登記局B33冊第196頁第12597號的土地的批給所衍生的權利,包括建築物的所有權。
二、上述承批人擬重新利用土地興建一幢七層高,屬分層所有權制度,作住宅和商業用途的樓宇,因此於二零一一年五月二十六日向土地工務運輸局提交了一份建築計劃。根據該局局長於二零一一年八月八日所作的批示,該計劃被視為可予核准,但須遵守某些技術要件。
三、承批人於二零一一年九月二十三日向行政長官遞交申請書,根據七月五日第6/80/M號法律第一百零七條的規定,請求批准按照已獲土地工務運輸局視為可予核准的計劃,更改土地的利用,以及修改批給合同。
四、在集齊組成案卷所需的文件後,土地工務運輸局計算了應得的回報並制定修改批給的合同擬本。該擬本已獲申請人於二零一二年四月五日遞交的聲明書,明確表示同意。
五、有關土地的面積為52平方米,在地圖繪製暨地籍局於二零一一年九月二十一日發出的第4833/1994號地籍圖中以字母“A”和“B”定界和標示,面積分別為43平方米和9平方米。
六、根據對該地點所訂定的新街道準線,將一幅於上述地籍圖中以字母“B”標示,面積9平方米,將脫離上款所述土地的地塊歸還澳門特別行政區,以納入其公產,作為公共街道。
七、案卷按一般程序送交土地委員會。該委員會於二零一二年六月二十八日和二零一二年八月十六日舉行會議,同意批准有關申請。土地委員會的意見書已於二零一二年九月十七日經行政長官的批示確認。
八、根據並履行七月五日第6/80/M號法律第一百二十五條的規定,已將由本批示規範的合同條件通知申請人。該申請人透過二零一二年十月二十六日遞交的聲明書,明確表示接納有關條件。
九、承批人已繳付由本批示規範的合同第八條款所訂定的溢價金,並已提供合同第十條款規定的保證金。
第一條款——合同標的
1. 本合同標的為:
1)修改一幅以租賃制度批出,登記面積為50.675(伍拾點陸柒伍)平方米,經重新量度後修正為52(伍拾貳)平方米,位於澳門半島爹美刁施拿地大馬路,其上建有36號樓宇,在地圖繪製暨地籍局於二零一一年九月二十一日發出的第4833/1994號地籍圖中以字母“A”及“B”定界及標示,並標示於物業登記局B33冊第196頁第12597號及其批給所衍生的權利以乙方名義登錄於F7L冊第73頁第467號的土地的批給;
2)根據新街道準線的規定,將一幅無帶任何責任或負擔,面積9(玖)平方米,在上述地籍圖中以字母“B”標示,將脫離上項所指土地的地塊歸還給甲方,以納入澳門特別行政區公產,作為公共街道。
2. 批給土地現時的面積為43(肆拾叁)平方米,在上述地籍圖中以字母“A”標示,以下簡稱土地,其批給轉由本合同的條款規範。
第二條款——租賃期限
1. 租賃的有效期至二零一五年九月三日。
2. 上款所訂定的租賃期限可按照適用法例連續續期。
第三條款——土地的利用及用途
1. 土地用作興建一幢屬分層所有權制度的7(柒)層高樓宇,其用途分配如下:
- 住宅:建築面積 338平方米;
- 商業:建築面積 34平方米。
2. 上款所述面積在為發出有關使用准照而作實地檢查時可作修改。
第四條款——租金
1. 按照三月二十一日第50/81/M號訓令的規定,乙方每年繳付的租金如下:
1)在土地利用期間,每平方米批出土地的租金為$6.00(澳門幣陸元整),總金額為$258.00(澳門幣貳佰伍拾捌元整);
2)在土地利用完成後,租金按以下數值計算:
- (1)住宅:每平方米建築面積$3.00;
- (2)商業:每平方米建築面積$4.50。
2. 租金每五年調整一次,由規範本合同的批示在《澳門特別行政區公報》公佈之日起計,但不妨礙在本合同生效期間所公佈的法例之新訂租金的即時實施。
第五條款 ——利用期限
1. 土地利用的總期限為36(叁拾陸)個月,由規範本合同的批示在《澳門特別行政區公報》公佈之日起計。
2. 上款所述的期限包括乙方遞交工程計劃、甲方審議該計劃及發出相關准照所需的時間。
3. 乙方應依照下列期限遞交工程計劃及開始施工:
1)由第1款所指的批示公佈之日起計30(叁拾)日內,制定和遞交工程計劃(地基、結構、供水、排水、供電及其他專業計劃);
2)由通知工程計劃獲核准之日起計60(陸拾)日內,遞交發出工程准照的申請書;
3)由發出工程准照之日起計15(拾伍)日內,開始施工。
4. 為遵守上款所指期限的效力,計劃須完整及適當備齊所有資料後,方視為確實完成遞交。
第六條款——特別負擔
由乙方獨力承擔的特別負擔為騰空在地圖繪製暨地籍局於二零一一年九月二十一日發出的第4833/1994號地籍圖中以字母“A”及“B”標示的地塊,並移走其上倘有的全部建築物、物料及基礎設施。
第七條款——罰款
1. 除有合理解釋且為甲方接受的特殊原因外,乙方不遵守第五條款所訂的任一期限,延遲不超過60(陸拾)日者,處以罰款每日可達$1,000.00(澳門幣壹仟元整);延遲超過60(陸拾)日,但在120(壹佰貳拾)日以內者,則罰款將加至雙倍。
2. 遇有不可抗力或發生被證實為非乙方所能控制的特殊情況,則免除乙方承擔上款所指的責任。
3. 僅因不可預見及不可抵抗事件而引發的情況,方視為不可抗力。
4. 為著第2款規定的效力,乙方必須儘快將發生上述事實的情況以書面通知甲方。
第八條款——合同溢價金
基於本次批給合同修改,當乙方按照七月五日第6/80/M號法律第一百二十五條的規定接受本合同的條件時,須向甲方一次性全數繳付金額為$361,374.00(澳門幣叁拾陸萬壹仟叁佰柒拾肆元整)的合同溢價金。
第九條款——保證金
1. 根據七月五日第6/80/M號法律第一百二十六條的規定,乙方須透過存款或甲方接受的銀行擔保提供保證金$258.00(澳門幣貳佰伍拾捌元整)。
2. 上款所指的保證金金額應按每年有關租金的數值調整。
3. 第1款所述的保證金在遞交由土地工務運輸局發出的使用准照後,應乙方要求,由財政局退還。
第十條款——轉讓
1. 倘土地未被完全利用而將本批給所衍生的狀況轉讓,須事先獲得甲方許可,而承讓人亦須受本合同修改後的條件約束,尤其是有關溢價金方面。
2. 在不妨礙上款最後部分規定的情況下,乙方須以存款、其條款獲甲方接受的擔保或保險擔保提供保證金$50,000.00(澳門幣伍萬元整),作為擔保履行已設定的義務。該保證金可應乙方要求,在發出使用准照或許可轉讓批給所衍生的權利時退還。
第十一條款——監督
在批出土地的利用期間,乙方必須准許行政當局有關部門執行監督工作的代表進入土地及施工範圍,並向代表提供一切所需的協助,使其有效執行任務。
第十二條款——失效
1. 本批給在下列情況下失效:
1)第七條款第1款規定的加重罰款期限屆滿;
2)當土地利用未完成時,未經同意而更改批給用途;
3)土地利用中斷超過90(玖拾)日,但有合理解釋且為甲方接受的特殊原因除外。
2. 批給的失效由行政長官以批示宣告,並在《澳門特別行政區公報》公佈。
3. 批給的失效導致土地連同其上的所有改善物歸甲方所有,乙方無權要求任何賠償。
第十三條款——解除
1. 倘發生下列任一事實,本批給可被解除:
1)不準時繳付租金;
2)未經同意而更改土地的利用及/或批給用途;
3)不履行第六條款訂定的義務;
4)違反第十條款的規定,將批給所衍生的狀況轉讓。
2. 批給的解除由行政長官以批示宣告,並在《澳門特別行政區公報》公佈。
第十四條款——有權限法院
澳門特別行政區法院為有權解決由本合同所產生任何爭訟的法院。
第十五條款——適用法例
如有遺漏,本合同以七月五日第6/80/M號法律和其他適用法例規範。
|
| |||||||||||
| 相關法規 : | |||
| 相關類別 : | |||
| 《LegisMac》的法例註釋 | |||
第60/2012號運輸工務司司長批示
運輸工務司司長行使《澳門特別行政區基本法》第六十四條賦予的職權,並根據七月五日第6/80/M號法律第一百零七條的規定,作出本批示。
一、根據本批示組成部分的附件合同所載規定及條件,修改一幅以租賃制度批出,修正後的面積為238平方米,位於路環島鄉村馬路,其上建有1131號至1135號樓宇,稱為地段22,標示於物業登記局第22435號的土地的批給,用作興建一幢三層高,其中一層為地庫的獨立式別墅。
二、本批示即時生效。
二零一二年十二月十四日
運輸工務司司長 劉仕堯
———
附件
(土地工務運輸局第8373.01號案卷及土地委員會第32/2012號案卷)
合同協議方:
- 甲方——澳門特別行政區;
- 乙方——謝榮傑。
鑒於:
一、謝榮傑,未婚,成年人,通訊處位於澳門南灣大馬路325號,昌輝大廈一字樓A,根據以其名義作出的第105254G號登錄,其擁有一幅以租賃制度批出,登記面積242平方米,經重新量度後修正為238平方米,位於路環島鄉村馬路,其上建有1131號至1135號的二層高獨立式別墅,稱為地段22,標示於物業登記局B27K冊第143頁第22435號的土地的批給所衍生的權利。
二、上述承批人擬重新利用土地興建一幢三層高,其中一層為地庫,並設有停車場及專用花園的獨立式別墅,因此於二零一一年一月二十八日向土地工務運輸局提交了一份建築計劃。根據該局副局長於二零一一年二月二十五日作出的批示,該計劃被視為可予核准,但須遵守某些技術要件。
三、承批人透過二零一一年五月十六日和二零一一年六月二十四日遞交的申請書,根據七月五日第6/80/M號法律第一百零七條的規定,請求批准按照已獲土地工務運輸局視為可予核准的計劃,更改土地的利用,並修改批給合同。
四、在集齊組成案卷所需的文件,土地工務運輸局計算了應得的回報並制定修改批給的合同擬本。該擬本已獲承批人於二零一二年五月二十一日遞交的聲明書,明確表示同意。
五、有關土地的面積為238平方米,在地圖繪製暨地籍局於二零一一年六月十五日發出的第6426/2005號地籍圖中以字母“A”及“B”定界和標示,面積分別是107平方米及131平方米。
六、在上述地籍圖中以字母“A”標示的地塊為建築範圍,而“B”地塊為非建築範圍。
七、案卷按一般程序送交土地委員會。該委員會於二零一二年七月二十六日舉行會議,同意批准有關申請。該意見書已於二零一二年九月十七日經行政長官的批示確認。
八、根據並履行七月五日第6/80/M號法律第一百二十五條的規定,已將由本批示規範的合同條件通知承批人。該承批人透過二零一二年十月二十九日遞交的聲明書,明確表示接納有關條件。
九、承批人已繳付由本批示規範的合同第八條款所規定的溢價金,並已提交合同第十條款第2款所指的保證金。
第一條款——合同標的
1. 本合同標的為修改一幅以租賃制度批出,登記面積為242(貳佰肆拾貳)平方米,經重新量度後修正為238(貳佰叁拾捌)平方米,位於路環島鄉村馬路,其上建有1131號至1135號樓宇,在地圖繪製暨地籍局於二零一一年六月十五日發出的第6426/2005號地籍圖中以字母“A”及“B”定界和標示,並標示於物業登記局B27K冊第143頁第22435號及其批給所衍生的權利以乙方名義登錄於第105254G號的土地的批給。
2. 鑒於是次修改,上款所述土地的批給轉由本合同的條款規範。
第二條款——租賃期限
1. 租賃的有效期至二零一六年六月四日止。
2. 上款所訂定的租賃期限可按照適用法例連續續期。
第三條款——土地的利用及用途
1. 在地圖繪製暨地籍局於二零一一年六月十五日發出的第6426/2005號地籍圖中以字母“A”及“B”定界和標示,總面積238(貳佰叁拾捌)平方米的地塊用作興建一幢3(叁)層高的獨立式別墅,其中1(壹)層為地庫,其用途分配如下:
- 1)獨立式別墅 建築面積285平方米;
- 2)停車場 建築面積16平方米;
- 3)專用花園 面積115平方米。
2. 在上述地籍圖中以字母“B”定界和標示,面積131(壹佰叁拾壹)平方米的地塊被視為“非建築”範圍。
3. 第1款所述面積在為發出有關使用准照而作實地檢查時可作修改。
第四條款——租金
1. 乙方每年繳付租金如下:
1)在土地利用期間,每平方米批出土地的租金為$30.00(澳門幣叁拾元整),總金額為$7,140.00(澳門幣柒仟壹佰肆拾元整);
2)在土地利用完成後,乙方每年繳付租金的總額改為$5,585.00(澳門幣伍仟伍佰捌拾伍元整),其計算如下:
(1)獨立式別墅:
285平方米 x $15.00/平方米 $4,275.00;
(2)停車場:
16平方米 x $10.00/平方米 $160.00;
(3)專用花園:
115平方米 x $10.00/平方米 $1,150.00。
2. 租金每五年調整一次,由規範本合同的批示在《澳門特別行政區公報》公佈之日起計,但不妨礙在本合同生效期間所公佈法例的新訂租金的即時實施。
第五條款——利用期限
1. 土地利用的總期限為36(叁拾陸)個月,由規範本合同的批示在《澳門特別行政區公報》公佈之日起計。
2. 上款所述的期限包括乙方遞交工程計劃及甲方審議該計劃的時間。
3. 乙方應依照下列期限遞交工程計劃及開始施工:
1)由第1款所指的批示公佈之日起計60(陸拾)日內,編製和遞交工程計劃(地基、結構、供水、排水、供電及其他專業計劃);
2) 由通知工程計劃獲核准之日起計60(陸拾)日內,遞交發出工程准照的申請書;
3)由發出工程准照之日起計15(拾伍)日內,開始施工。
4. 為遵守上款所指期限的效力,計劃須完整及適當備齊所有資料後,方視為確實完成遞交。
第六條款——特別負擔
由乙方獨力承擔的特別負擔為:
1)騰空在地圖繪製暨地籍局於二零一一年六月十五日發出的第6426/2005號地籍圖中以字母“A”及“B” 定界和標示的地塊,並移走其上倘有的全部建築物、物料及基礎設施;
2)根據於二零零七年十一月二十三日核准的第2006A020號街道準線圖,執行地段內斜坡的穩固工程;
3)根據上項所述的街道準線圖,執行建築物周圍之綠化處理。
第七條款——罰款
1. 除有合理解釋且為甲方接受的特殊原因外,乙方不遵守第五條款所訂的任一期限,延遲不超過60(陸拾)日者,處以罰款每日可達$1,000.00(澳門幣壹仟元整);延遲超過60(陸拾)日,但在120(壹佰貳拾)日以內者,罰款將加至雙倍。
2. 遇有不可抗力或發生被證實為非乙方所能控制的特殊情況,則免除乙方承擔上款所指的責任。
3. 僅因不可預見及不可抵抗事件而引發的情況,方視為不可抗力。
4. 為着第2款規定的效力,乙方必須儘快將發生上述事實的情況以書面通知甲方。
第八條款——合同溢價金
基於是次批給合同的修改,當乙方按照七月五日第6/80/M號法律第一百二十五條的規定接受本合同的條件時,須向甲方全數一次性繳付金額為$562,968.00(澳門幣伍拾陸萬貳仟玖佰陸拾捌元整)的合同溢價金。
第九條款——保證金
1. 根據七月五日第6/80/M號法律第一百二十六條的規定,乙方應透過存款或甲方接受的銀行擔保提供保證金$7,140.00(澳門幣柒仟壹佰肆拾元整)。
2. 上款所指的保證金金額應按每年有關租金的數值調整。
3. 本條款第1款所述的保證金在遞交土地工務運輸局發出的使用准照後,應乙方要求,由財政局退還。
第十條款——轉讓
1. 倘土地未被完全利用而將本批給所衍生的狀況轉讓,須事先獲得甲方許可,承讓人亦須受本合同修改後的條件約束,尤其是有關溢價金方面。
2. 在不妨礙上款最後部分規定的情況下,乙方須以存款、其條款獲甲方接受的擔保或保險擔保提供保證金$50,000.00(澳門幣伍萬元整),作為擔保履行已設定的義務。該保證金可應乙方要求,在發出使用准照或許可轉讓批給所衍生的權利時退還。
第十一條款—— 監督
在批出土地的利用期間,乙方必須准許行政當局有關部門執行監督工作的代表進入該土地及施工範圍,並向代表提供一切必須的協助,使其有效地執行任務。
第十二條款——失效
1. 本批給在下列情況下失效:
1)第七條款第1款規定的加重罰款期限屆滿;
2)當土地利用未完成時,未經同意而更改批給用途;
3)土地利用中斷超過90(玖拾)日,但有合理解釋且為甲方接受的特殊原因除外。
2. 批給的失效由行政長官以批示宣告,並在《澳門特別行政區公報》公佈。
3. 批給的失效將導致土地連同其上所有改善物歸甲方所有,乙方無權要求任何賠償。
第十三條款——解除
1. 倘發生下列任一事實,本批給可被解除:
1)不準時繳付租金;
2)未經同意而更改土地利用及/或批給用途;
3)不履行第六條款訂定的義務;
4)違反第十條款的規定,將批給所衍生的狀況轉讓。
2. 批給的解除由行政長官以批示宣告,並在《澳門特別行政區公報》公佈。
第十四條款——有權限法院
澳門特別行政區法院為有權解決由本合同所產生任何爭訟的法院。
第十五條款——適用法例
如有遺漏,本合同以七月五日第6/80/M號法律和其他適用的法例規範。
———
二零一二年十二月二十六日於運輸工務司司長辦公室
辦公室主任 黃振東









