澳 門 特 別 行 政 區
運輸工務司司長辦公室
|
| |||||||||||
| 相關法規 : | |||
| 相關類別 : | |||
| 《LegisMac》的法例註釋 | |||
第15/2013號運輸工務司司長批示
運輸工務司司長行使《澳門特別行政區基本法》第六十四條賦予的職權,並根據七月五日第6/80/M號法律第一百零七條的規定,作出本批示。
一、根據本批示組成部分的附件合同所載規定及條件,修改一幅以租賃制度批出,面積經修正後為248平方米,位於路環島,鄉村馬路,稱為27地段,其上建有1061至1065號樓宇,標示於物業登記局第22440號的土地的批給,以興建一幢三層高,其中一層為地庫的獨立式別墅。
二、本批示即時生效。
二零一三年三月十五日
運輸工務司司長 劉仕堯
———
附件
(土地工務運輸局第8374.01號案卷及土地委員會第27/2012號案卷)
合同協議方:
- 甲方——澳門特別行政區;及
- 乙方 ——和喜貿易有限公司。
鑒於:
一、和喜貿易有限公司,依法在香港設立和登記,通訊處為澳門南灣大馬路325號昌輝大廈1字樓“A”及“C”,根據以其名義作出的第123157G號登錄,其擁有一幅以租賃制度批出,面積242平方米,經重新量度後修正為248平方米,位於路環島,鄉村馬路,稱為27地段,其上建有兩層高的1061至1065號獨立式別墅,標示於物業登記局B27K冊第148頁第22440號的土地的批給所衍生的權利。
二、承批公司擬重新利用有關土地興建一幢三層高,其中一層為地庫,並設有停車場及專用花園的獨立式別墅,因此於二零一一年一月二十八日向土地工務運輸局提交了一份建築計劃。根據該局副局長於二零一一年二月二十五日作出的批示,該計劃被視為可予核准,但須遵守某些技術要件。
三、承批公司於二零一一年五月十六日及六月二十四日請求根據七月五日第6/80/M號法律第一百零七條的規定,批准按照已獲土地工務運輸局視為可予核准的計劃,更改上述土地的利用及修改批給合同。
四、在集齊組成案卷所需的文件,尤其是聲明受澳門特別行政區現行法律約束及受澳門特別行政區法院管轄,並放棄其他法院管轄的聲明書後,土地工務運輸局計算了應得的回報並制定修改批給的合同擬本。該擬本已獲承批公司於二零一二年四月二十五日遞交的聲明書,明確表示同意。
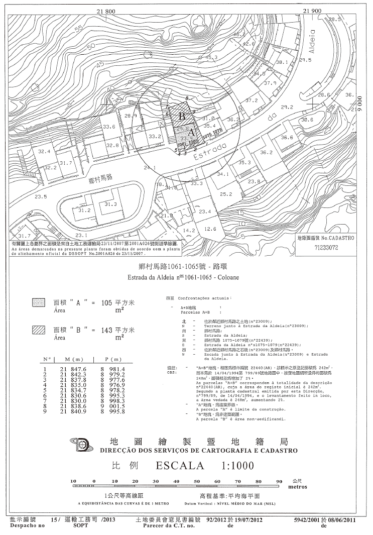
五、有關土地的面積為248平方米,在地圖繪製暨地籍局於二零一一年六月八日發出的第5942/2001號地籍圖中以字母“A”和“B”定界和標示,面積分別為105平方米及143平方米。
六、在上述地籍圖中以字母“A”標示的地塊為建築範圍,而“B”地塊為非建築範圍。
七、案卷按一般程序送交土地委員會。該委員會於二零一二年七月十九日舉行會議,同意批准有關申請,而有關意見書已於二零一二年九月七日經行政長官的批示確認。
八、根據並履行七月五日第6/80/M號法律第一百二十五條的規定,已將由本批示規範的合同條件通知承批公司。該公司透過於二零一二年十二月十三日遞交由陳寶玉,聯絡地址為澳門南灣大馬路325號昌輝大廈1字樓“A”,以和喜貿易有限公司的受權人身份代表該公司簽署的聲明書,明確表示接納有關條件。根據載於該聲明書上的確認,其身份及權力已經私人公證員Manuela António核實。
九、承批公司已繳付由本批示規範的合同第八條款規定的溢價金,並已提交第十條款第2款所指的保證金。
第一條款——合同標的
1. 本合同標的為修改一幅以租賃制度批出,位於路環島鄉村馬路,其上建有1061至1065號樓宇,登記面積為242(貳佰肆拾貳)平方米,經重新量度後修正為248(貳佰肆拾捌)平方米,在地圖繪製暨地籍局於二零一一年六月八日發出的第5942/2001號地籍圖中以字母“A”及“B”定界和標示,並標示於物業登記局B27K冊第148頁第22440號及其批給所衍生的權利以乙方名義登錄於第123157G號的土地的批給。
2. 鑒於本次修改,有關土地的批給轉由本合同的條款規範。
第二條款——租賃期限
1. 租賃的有效期至二零一六年六月四日止。
2. 上款所訂定的租賃期限可按照適用法例連續續期。
第三條款——土地的利用及用途
1. 在地圖繪製暨地籍局於二零一一年六月八日發出的第5942/2001號地籍圖中以字母“A”及“B”標示,總面積248(貳佰肆拾捌)平方米的地塊,用作興建一幢3(叁)層高的獨立式別墅,其中1(壹)層為地庫,有關用途分配如下:
- 1)獨立式別墅: 建築面積285平方米;
- 2)停車場: 建築面積16平方米;
- 3)專用花園: 面積129平方米。
2. 在上述地籍圖中以字母“B”標示,面積143(壹佰肆拾叁)平方米的地塊被視為“非建築”範圍。
3. 第1款所述面積在為發出有關使用准照而作實地檢查時可作修改。
第四條款——租金
1. 在土地利用期間,乙方須每年繳付每平方米批出土地$30.00(澳門幣叁拾元整)的租金,總金額為$7,440.00(澳門幣柒仟肆佰肆拾元整)。
2. 在土地利用完成後,乙方每年繳付租金的總額改為$5,725.00(澳門幣伍仟柒佰貳拾伍元整),其計算如下:
1)獨立式別墅:
285平方米 x $15.00/平方米 $4,275.00;
2)停車場:
16平方米 x $10.00/平方米 $160.00;
3)專用花園:
129平方米x $10.00/平方米 $1,290.00 。
3. 由規範本合同的批示在《澳門特別行政區公報》公佈之日起計,租金每五年調整一次,但不妨礙在本合同生效期間所公佈法例的新訂租金的即時實施。
第五條款——利用期限
1. 土地利用的總期限為36(叁拾陸)個月,由規範本合同的批示在《澳門特別行政區公報》公佈之日起計。
2. 上款所述的期限包括乙方遞交工程計劃、甲方審議該計劃及發出有關准照的時間。
3. 乙方應依照下列期限遞交工程計劃及開始施工:
1)由第1款所指的批示公佈日起計60(陸拾)日內,編製和遞交工程計劃(地基、結構、供水、排水、供電及其他專業計劃);
2)由核准工程計劃的通知日起計60(陸拾)日內,遞交發出工程准照的申請書;
3)由發出工程准照日起計15(拾伍)日內,開始施工。
4. 為遵守上款所指期限的效力,計劃須完整及適當備齊所有資料,方視為確實完成遞交。
第六條款——特別負擔
由乙方獨力承擔的特別負擔為:
1)騰空在地圖繪製暨地籍局於二零一一年六月八日發出的第5942/2001號地籍圖中以字母“A”及“B”標示的地塊,並移走其上倘有的全部建築物、物料及基礎設施;
2)根據於二零零七年十一月二十三日發出的第2001A026號街道準線圖,執行地段內斜坡的穩固工程;
3)根據上項所述的街道準線圖,執行建築物四周範圍的景觀整治工程。
第七條款——罰款
1. 除有合理解釋且為甲方接受的特殊原因外,乙方不遵守第五條款所訂的任一期限,延遲不超過60(陸拾)日者,處以罰款每日可達$1,000.00(澳門幣壹仟元整);延遲超過60(陸拾)日,但在120(壹佰貳拾)日以內者,罰款將加至雙倍。
2. 遇有不可抗力或發生被證實為非乙方所能控制的特殊情況,則免除乙方承擔上款所指的責任。
3. 僅因不可預見及不可抵抗事件而引發的情況,方視為不可抗力。
4. 為着第2款規定的效力,乙方必須儘快將發生上述事實的情況以書面通知甲方。
第八條款——合同溢價金
鑒於本次修改,當乙方按照七月五日第6/80/M號法律第一百二十五條的規定接受本合同的條件時,須向甲方全數一次性繳付金額為$570,864.00(澳門幣伍拾柒萬零捌佰陸拾肆元整)的合同溢價金。
第九條款——保證金
1. 根據七月五日第6/80/M號法律第一百二十六條的規定,乙方應透過存款或甲方接受的銀行擔保,提供保證金$7,440.00(澳門幣柒仟肆佰肆拾元整)。
2. 上款所指的保證金金額應按每年有關租金的數值調整。
3. 第1款所述的保證金在遞交土地工務運輸局發出的使用准照後,應乙方要求,由財政局退還。
第十條款——轉讓
1. 倘土地利用未完全完成而將本批給所衍生的狀況轉讓,須事先獲得甲方批准,承讓人亦須受本合同修改後的條件約束,尤其是有關溢價金方面。
2. 在不妨礙上款最後部分規定的情況下,乙方須以存款、條款獲甲方接受的擔保或保險擔保提供保證金$50,000.00(澳門幣伍萬元整),作為擔保履行已設定的義務。該保證金可應乙方要求,在發出使用准照或批准轉讓批給所衍生的權利時退還。
第十一條款——監督
在批出土地的利用期間,乙方必須准許行政當局有關部門執行監督工作的代表進入該土地及施工範圍,並向代表提供一切必須的協助,使其有效地執行任務。
第十二條款——失效
1. 本批給在下列情況下失效:
- 1)第七條款第1款規定的加重罰款期限屆滿;
- 2)土地利用未完成,未經同意而更改批給用途;
- 3)土地利用中斷超過90(玖拾)日,但有合理解釋且為甲方接受的特殊原因除外。
2. 批給的失效由行政長官以批示宣告,並在《澳門特別行政區公報》公佈。
3. 批給的失效將導致土地連同其上所有改善物歸甲方所有,乙方無權要求任何賠償。
第十三條款——解除
1. 倘發生下列任一事實,本批給可被解除:
- 1)不準時繳付租金;
- 2)未經同意而更改土地之利用及/或批給用途;
- 3)不履行第六條款訂定的義務;
- 4)違反第十條款的規定,將批給所衍生的狀況轉讓。
2. 批給的解除由行政長官以批示宣告,並在《澳門特別行政區公報》公佈。
第十四條款——有權限法院
澳門特別行政區法院為有權解決由本合同所產生任何爭訟的法院。
第十五條款——適用法例
如有遺漏,本合同由七月五日第6/80/M號法律和其他適用的法例規範。
———
二零一三年三月十五日於運輸工務司司長辦公室
辦公室主任 黃振東




