澳 門 特 別 行 政 區
運輸工務司司長辦公室
|
| |||||||||||
第25/2014號運輸工務司司長批示
運輸工務司司長行使《澳門特別行政區基本法》第六十四條賦予的職權,並根據第10/2013號法律《土地法》第一百二十五條第二款及第二百一十三條的規定,作出本批示。
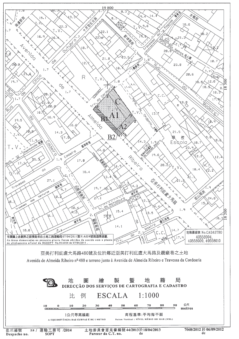
一、澳門特別行政區獲讓與一幅面積134平方米,位於澳門半島纜廠巷,無門牌號碼,標示於物業登記局第2357號的地塊的完全所有權。
二、澳門特別行政區獲讓與四幅總面積443平方米,位於澳門半島,其上建有亞美打利庇盧大馬路480號樓宇,標示於物業登記局第8613和8614號的地塊的利用權。
三、為統一法律制度,根據本批示組成部分的附件合同所載規定及條件,以租賃制度批出第一款所述面積134平方米的地塊及第二款所述其中兩幅總面積360平方米的地塊,以便合併並組成一幅單一地段,用於興建一幢屬分層所有權制度,作二星級公寓和商業用途的樓宇。
四、將第二款所述其餘兩幅總面績83平方米的地塊納入公產,作為公共街道。
五、本批示即時生效。
二零一四年四月二十四日
運輸工務司司長 劉仕堯
附件
(土地工務運輸局第1932.03號案卷及土地委員會第12/2013號案卷)
合同協議方:
- 甲方——澳門特別行政區;
- 乙方——東健昌地產發展有限公司。
鑒於:
一、總辦事處設於澳門友誼大馬路555號,澳門置地廣場工商銀行(澳門)中心22字樓2206室,登記於商業及動產登記局第36118(SO)號的東健昌地產發展有限公司,以完全所有權制度擁有一幅面積134平方米,位於澳門半島纜廠巷,無門牌號碼,標示於物業登記局B12冊第75頁背頁第2357號的地塊。
二、根據以其名義作出的第210332G號登錄,上述公司還擁有四幅以長期租借制度批出,總面積443平方米,其上建有亞美打利庇盧大馬路480號樓宇,標示於物業登記局B25冊第233頁第8613號及B25冊第233頁背頁第8614號的地塊的利用權。
三、該四幅地塊的田底權以澳門特別行政區的名義登錄於F2冊第190頁第1447號。
四、上述公司擬重新共同利用該等地塊以興建一幢樓高七層,其中一層為地庫,屬分層所有權制度,作二星級公寓和商業用途的樓宇,故於二零一二年三月二十二日將有關建築計劃交予土地工務運輸局審批。根據該局副局長於二零一二年五月三十日所作的批示,該計劃被視為可予核准,但須遵守某些技術要件。
五、為統一該等地塊的法律制度,東健昌地產發展有限公司透過於二零一二年七月十七日遞交的申請書,表示自願將上述一幅面積134平方米地塊的所有權及四幅總面積443平方米地塊的利用權讓予澳門特別行政區,並同時請求以租賃制度將上述其中三幅地塊批予該公司,以便將其合併,組成一幅面積494平方米的單一地段。
六、屬於完全所有權制度的地塊,在地圖繪製暨地籍局於二零一二年九月六日發出的第7068/2012號地籍圖中以字母“C” 定界和標示。
七、以長期租借制度批出的地塊在上述地籍圖中以字母“A1”、“A2”、“B1”及“B2”定界及標示,面積分別為280平方米、80平方米、69平方米和14平方米。
八、“A1”、“A2”及“C”地塊用作興建一幢七層高的樓宇,而根據街道準線的規定,“B1”及“B2”地塊則納入公產,作公共街道。
九、在集齊組成案卷所需的文件後,土地工務運輸局計算了應得的回報並制定了合同擬本。
十、案卷按一般程序送交土地委員會。該委員會於二零一三年四月十八日舉行會議,並根據七月五日第6/80/M號法律第二十九條第一款c)項、第四十九條和續後數條及第一百二十九條的規定,同意批准有關申請。該意見書已於二零一三年六月四日經行政長官的批示確認。
十一、根據並履行七月五日第6/80/M號法律第一百二十五條的規定,已將由本批示規範的合同條件通知申請公司。該公司透過於二零一三年七月五日遞交由鍾小健,職業住所位於澳門友誼大馬路555號,澳門置地廣場工商銀行(澳門)中心22字樓2206室,以東健昌地產發展有限公司的行政管理機關成員身份代表該公司所簽署的聲明書,明確表示接納有關條件。根據載於該聲明書上的確認,上述人士的身分及權力已經私人公證員Diamantino Oliveira Ferreira核實。
十二、承批公司已繳付以本批示作為憑證的合同第八條款2)項規定的溢價金,並已提交第十條款第二款所指的保證金。
十三、由於標示於物業登記局第2357號、第8613號及第8614號的讓與標的土地在物業登記局第165150C號有一以中國銀行股份有限公司名義登錄的抵押負擔,因此該實體已根據法律的規定,聲明批准註銷在第7068/2012號地籍圖中以字母“B1”和“B2”標示,總面積83平方米,將會納入公產的地塊的抵押,並批准將在上述地籍圖中以字母“A1”、“A2”及“C”標示,總面積494平方米的地塊的抵押負擔改為以租賃批給所衍生的權利來設定。
第一條款——合同標的
1. 為統一位於澳門半島亞美打利庇盧大馬路,其上建有480號樓宇及鄰近該大馬路及纜廠巷,在地圖繪製暨地籍局於二零一二年九月六日發出的第7068/2012號地籍圖中以字母“A1”、 “A2”、“B1”、“B2”及“C”定界及標示,面積分別為280平方米、80平方米、69平方米、14平方米及134平方米的五幅地塊的法律制度,本合同的標的為:
1)甲方接納乙方以有償方式讓與一幅面積為280(貳佰捌拾)平方米,價值為$5,810,622.00(澳門幣伍佰捌拾壹萬零陸佰貳拾貳元整),於上述地籍圖中以字母“A1”定界及標示的地塊的利用權。該地塊將脫離標示於物業登記局B25冊第233頁背頁第8614號的土地及其利用權以乙方名義登錄於第210332G號,以納入私產,並維持以債權銀行名義登錄在物業登記局第165150C號的意定抵押負擔;
2)甲方接納乙方以有償方式讓與一幅面積為80(捌拾)平方米,價值為$1,660,178.00(澳門幣壹佰陸拾陸萬零壹佰柒拾捌元整),於上述地籍圖中以字母“A2”定界及標示的地塊的利用權。該地塊將脫離標示於物業登記局B25冊第233頁第8613號的土地及其利用權以乙方名義登錄於第210332G號,以納入私產,並維持以債權銀行名義登錄在物業登記局第165150C號的意定抵押負擔;
3)甲方接納乙方以無償方式讓與一幅無帶任何責任或負擔,面積為69(陸拾玖)平方米,價值為$69,000.00(澳門幣陸萬玖仟元整),在上述地籍圖中以字母“B1”定界及標示的地塊的利用權。該地塊將脫離標示於物業登記局B25冊第233頁背頁第8614號的土地及其利用權以乙方名義登錄於第210332G號,以納入公產,作為公共街道;
4)甲方接納乙方以無償方式讓與一幅無帶任何責任或負擔,面積為14(拾肆)平方米,價值為$14,000.00(澳門幣壹萬肆仟元整),在上述地籍圖中以字母“B2”定界及標示的地塊的利用權。該地塊將脫離標示於物業登記局B25冊第233頁第8613號的土地及其利用權以乙方名義登錄於第210332G號,以納入公產,作為公共街道;
5)甲方接納乙方以有償方式讓與一幅面積134(壹佰叁拾肆)平方米,價值為$5,561,595.00(澳門幣伍佰伍拾陸萬壹仟伍佰玖拾伍元整),於上述地籍圖中以字母“C”定界及標示,並標示於物業登記局第B12冊第75頁背頁第2357號,及以乙方名義登錄於第210332G號的地塊的所有權,以納入私產,並維持以債權銀行名義登錄在物業登記局第165150C號的意定抵押負擔;
6)以租賃制度及同等價值將1)項、2)項及5)項所指,在上述地籍圖中以字母“A1”、“A2”及“C”定界及標示的地塊連同其以租賃批給所衍生的權利設定抵押負擔批給乙方。
2. 上款所指在上述地籍圖中以字母“A1”、“A2”及“C”定界及標示的地塊,將以租賃制度合併及共同利用,組成一幅面積494(肆佰玖拾肆)平方米的單一地段,以下簡稱土地,其批給轉由本合同的條款規範。
第二條款——租賃期限
1. 租賃的有效期為25(貳拾伍)年,由作為本合同憑證的批示在《澳門特別行政區公報》公佈之日起計。
2. 上款訂定的租賃期限可按照適用法例連續續期。
第三條款——土地的利用及用途
1. 土地用作興建一幢屬分層所有權制度,樓高7(柒)層,其中1(壹)層為地庫的樓宇,其用途分配如下:
1)二星級公寓:建築面積2,963平方米;
2)商業:建築面積798平方米。
2. 上款所述面積在為發出有關使用准照而作實地驗查時,可作修改。
第四條款——租金
1. 乙方每年繳付租金如下:
1)在土地利用期間,每平方米批出土地的租金為$15.00(澳門幣拾伍元整),總金額為$7,410.00(澳門幣柒仟肆佰壹拾元整);
2)在土地利用完成後,改為:
(1)二星級公寓:建築面積每平方米$7.50(澳門幣柒元伍角);
(2)商業:建築面積每平方米$7.50(澳門幣柒元伍角)。
2. 租金每五年調整一次,由作為本合同憑證的批示在《澳門特別行政區公報》公佈之日起計,但不妨礙在合同生效期間所公佈法例的新訂租金的即時實施。
第五條款——利用期限
1. 土地利用的總期限為36(叁拾陸)個月,由作為本合同憑證的批示在《澳門特別行政區公報》公佈之日起計。
2. 上款所述的期限包括乙方遞交工程計劃、甲方審議該計劃及發出有關准照的時間。
3. 乙方應依照下列期限遞交工程計劃及開始施工:
1)由第1款所指的批示公佈之日起計60(陸拾)日內,編製和遞交工程計劃(地基、結構、供水、排水、供電等專業計劃);
2)由通知工程計劃獲核准之日起計60(陸拾)日內,遞交發出工程准照的申請書;
3)由發出工程准照之日起計15(拾伍)日內,開始施工。
4. 為遵守上款所指期限的效力,計劃必須完整及適當備齊所有資料,方視為確實完成遞交。
第六條款——特別負擔
由乙方獨力承擔的特別負擔為騰空在地圖繪製暨地籍局於二零一二年九月六日發出的第7068/2012號地籍圖中以字母“A1”、“A2”、“B1”、“B2”及“C”定界及標示的地塊,並移走其上倘有的全部建築物、物料和基礎設施。
第七條款—— 罰款
1. 除有合理解釋且為甲方接受的特殊原因外,乙方不遵守第五條款所訂的任一期限,延遲不超過60(陸拾)日者,處以罰款每日可達$12,000.00(澳門幣壹萬貳仟元整);延遲超過60(陸拾)日,但在120(壹佰貳拾)日以內者,則罰款將加至雙倍。
2. 遇有不可抗力或發生被證實為非乙方所能控制的特殊情況,則免除乙方承擔上款所指的責任。
3. 僅因不可預見及不可抵抗事件而引發的情況,方視為不可抗力。
4. 為著第2款規定的效力,乙方必須儘快將發生上述事實的情況以書面通知甲方。
第八條款——合同溢價金
乙方須向甲方繳付總金額為$13,032,395.00(澳門幣壹仟叁佰零叁萬貳仟叁佰玖拾伍元整)的合同溢價金,其繳付方式如下:
1)$5,561,595.00(澳門幣伍佰伍拾陸萬壹仟伍佰玖拾伍元整),透過讓與第一條款第1款5)項所述地塊,以實物繳付;
2)$3,000,000.00(澳門幣叁佰萬元整),當乙方根據七月五日第6/80/M號法律第一百二十五條的規定接受本合同條件時繳付;
3)餘款$4,470,800.00(澳門幣肆佰肆拾柒萬零捌佰元整),連同年利率5%的利息,分4(肆)期繳付,以半年為一期,每期金額相等,即本金連利息合共$1,188,419.00(澳門幣壹佰壹拾捌萬捌仟肆佰壹拾玖元整)。第一期須於作為本合同憑證的批示在《澳門特別行政區公報》公佈之日計6(陸)個月內繳付。
第九條款——保證金
1. 根據七月五日第6/80/M號法律第一百二十六條的規定,乙方須透過存款或甲方接受的銀行擔保提供保證金$7,410.00(澳門幣柒仟肆佰壹拾元整)。
2. 上款所指的保證金金額應按每年有關租金的數值調整。
3. 第1款所述的保證金在遞交土地工務運輸局發出的使用准照後,應乙方要求,由財政局退還。
第十條款——轉讓
1. 倘土地未被完全利用而將本批給所衍生的狀況轉讓,須事先獲得甲方許可,而承讓人亦須受本合同修改後的條件約束,尤其有關溢價金方面。
2. 在不妨礙上款最後部分規定的情況下,乙方須以現金存款、其條款獲甲方接受的銀行擔保或保險擔保提供保證金$180,000.00(澳門幣拾捌萬元整),作為擔保履行已設定的義務。該保證金可應乙方要求,在發出使用准照或許可轉讓批給所衍生的權利時退還。
第十一條款——工程及使用准照
1. 工程准照僅在乙方遞交已按照本合同第八條款的訂定繳付已到期溢價金的證明後,方予發出。
2. 使用准照僅在遞交已全數繳付第八條款訂定的溢價金的證明及已履行第六條款規定的義務,以及清繳倘有的罰款後,方予發出。
第十二條款——監督
在批出土地的利用期間,乙方必須准許行政當局有關部門執行監督工作的代表進入土地及施工範圍,並向代表提供一切所需的協助,使其有效執行任務。
第十三條款——失效
1. 本批給在下列情況下失效:
1)第七條款第1款規定的加重罰款期限屆滿;
2)土地利用未完成,未經同意而更改批給用途;
3)土地利用中斷超過90(玖拾)日,但有合理解釋且為甲方接受的特殊原因除外。
2. 批給的失效由行政長官以批示宣告,並在《澳門特別行政區公報》公佈。
3. 批給的失效導致土地連同其上的所有改善物歸甲方所有,乙方無權要求任何賠償。
第十四條款——解除
1. 倘發生下列任一事實,本批給可被解除:
1)不準時繳付租金;
2)當土地利用完成,未經同意而更改土地的利用及/或批給用途;
3)不履行第六條款及第八條款訂定的義務;
4)違反第十條款的規定,將批給所衍生的狀況轉讓。
2. 批給的解除由行政長官以批示宣告,並在《澳門特別行政區公報》公佈。
第十五條款——有權限法院
澳門特別行政區法院為有權解決由本合同所產生任何爭訟的法院。
第十六條款——適用法例
如有遺漏,本合同以七月五日第6/80/M號法律和其他適用法例規範。
第26/2014號運輸工務司司長批示
運輸工務司司長行使《澳門特別行政區基本法》第六十四條賦予的職權,作出本批示。
委派陳寶霞學士,以股東身份代表澳門特別行政區出席以下公司於二零一四年五月八日舉行的全體大會:
- 利保發建設發展有限公司;
- 大利來建設發展有限公司。
二零一四年四月二十四日
運輸工務司司長 劉仕堯
———
二零一四年四月二十五日於運輸工務司司長辦公室
辦公室代主任 張佩儀





