澳 門 特 別 行 政 區
運輸工務司司長辦公室
|
| |||||||||||
| 相關法規 : | |||
| 相關類別 : | |||
| 《LegisMac》的法例註釋 | |||
第54/2014號運輸工務司司長批示
運輸工務司司長行使《澳門特別行政區基本法》第六十四條賦予的職權,並根據第10/2013號法律《土地法》第一百二十五條第二款及第二百一十三條的規定,作出本批示。
一、根據本批示組成部分的附件合同所載規定及條件,修改數幅以長期租借制度批出,總面積186平方米,位於澳門半島,鄰近海邊新街,其上建有燕主教街15號和海邊新街150號樓宇及海邊新街154號樓宇,分別標示於物業登記局第1257、1258及1260號的土地的批給,以便合併及共同利用,興建一幢屬分層所有權制度,作住宅及商業用途的樓宇。
二、本批示即時生效。
二零一四年十月三十日
運輸工務司司長 劉仕堯
———
附件
(土地工務運輸局第2736.01號案卷及土地委員會第12/2014號案卷)
合同協議方:
- 甲方——澳門特別行政區;
- 乙方——Future Sun Resources Limited公司。
鑒於:
一、Future Sun Resources Limited公司,通訊處為澳門工業園北街檀香山中心地下及1字樓至3字樓,於英屬處女島依法設立及登記,根據以其名義作出的第208812G號登錄,該公司擁有數幅位於澳門半島,鄰近海邊新街,其上建有燕主教街15號和海邊新街150號樓宇及海邊新街154號樓宇,總面積186平方米,分別標示於物業登記局B7冊第275頁背頁第1257號、第276頁背頁第1258號及第278頁背頁第1260號的土地的利用權。
二、土地的田底權以澳門特別行政區的名義登錄於F14L冊第96頁第1847號及F13L冊第90頁第1643號。
三、由於承批公司擬在拆卸建於該等土地上的樓宇後,重新利用經合併而成的土地,將之組成單一地段,以興建一幢八層高,其中一層為地庫,屬分層所有權制度,作住宅及商業用途的樓宇,因此於二零一三年五月二十日向土地工務運輸局提交有關建築計劃。根據該局副局長於二零一三年十月二十一日所作的批示,該計劃被視為可予核准,但須遵守某些技術要件。
四、承批公司於二零一三年十一月二十二日,根據七月五日第6/80/M號法律第一百零七條的規定,請求批准按照已獲土地工務運輸局視為可予核准的計劃,更改土地的利用及修改批給合同。
五、在集齊組成案卷所需的文件後,土地工務運輸局計算了應得的回報及制定修改批給的合同擬本。
六、合同標的土地的面積為186平方米,在地圖繪製暨地籍局於二零一三年十一月十八日發出的第523/1989號地籍圖中定界。
七、案卷按一般程序送交土地委員會,該委員會於二零一四年七月二十四日舉行會議,根據第10/2013號法律第一百三十九條的規定,同意批准有關申請。該意見書已於二零一四年七月三十一日經行政長官的批示確認。
八、承批公司已獲通知以本批示作為憑證的合同條件,並透過於二零一四年九月十一日遞交由劉嘉慧,通訊處位於澳門工業園北街檀香山中心地下及1字樓至3字樓,以Future Sun Resources Limited代表的身份代表該公司所簽署的聲明書,明確表示接納有關條件。根據載於該聲明書上的確認,上述人士的身份及權力已由私人公證員Luís Reigadas核實。
九、承批公司已繳付以本批示作為憑證的合同第三條款第1款所訂定經調整的利用權價金及第七條款1)項規定的溢價金。
第一條款——合同標的
1. 本合同標的為修改一幅以長期租借制度批出,總面積186(壹佰捌拾陸)平方米,在拆卸建於澳門半島,海邊新街150至154號,燕主教街15號及鄰近海邊新街,在地圖繪製暨地籍局於二零一三年十一月十八日發出的第523/1989號地籍圖中定界及標示,並標示於物業登記局B7冊第275頁背頁第1257號、B7冊第276頁背頁第1258號及B7冊第278頁背頁第1260號土地上的樓宇後合併而成,以及其利用權以乙方名義登錄於第208812G號的土地的批給。
2. 鑒於是次修改,上款所述土地(以下稱為土地)的批給轉由本合同的條款規範。
第二條款——土地的重新利用及用途
1. 土地重新利用作興建一幢屬分層所有權制度,樓高8(捌)層的樓宇,其中1(壹)層為地庫的樓宇,其用途分配如下:
1)住宅:建築面積1,106平方米;
2)商業:建築面積309平方米。
2. 上款所述面積在為發出有關使用准照而作實地檢查時可作修改。
3. 乙方須遵守土地所在地區內生效的城市規劃的規定。
第三條款——利用權價金及地租
1. 土地的利用權價金調整為$94,170.00(澳門幣玖萬肆仟壹佰柒拾元整)。
2. 當乙方根據第10/2013號法律第一百二十五條的規定接受本合同條件時,須一次性全數繳付上款訂定的經調整後的利用權價金差額。
3. 每年繳付的地租調整為$235.00(澳門幣貳佰叁拾伍元整)。
4. 不準時繳付地租,將按照稅務執行程序的規定進行強制徵收。
第四條款——重新利用的期間
1. 土地重新利用的總期間為36(叁拾陸)個月,由作為本批給憑證的批示在《澳門特別行政區公報》公佈之日起計。
2. 上款所述的期間包括乙方遞交工程計劃、甲方審議該計劃及發出有關准照的時間。
3. 乙方應遵守以下期間:
1)由第1款所指的批示公佈之日起計60(陸拾)日內,編製和遞交工程計劃(地基、結構、供水、排水、供電和其他專業計劃);
2)由通知工程計劃獲核准之日起計60(陸拾)日內,遞交發出工程准照的申請書;
3)由發出工程准照之日起計15(拾伍)日內,遞交動工申請。
4. 為適用上款的規定,計劃須完整及適當備齊所有資料,方視為確實完成遞交。
5. 如基於不可歸責於乙方且甲方認為充分的理由,則應乙方的申請,甲方可批准中止或延長本條款所指的任一期間。
6. 上款所指的申請須於相關期間屆滿前提出。
第五條款——特別負擔
由乙方獨力承擔的特別負擔為騰空在地圖繪製暨地籍局於二零一三年十一月十八日發出的第523/1989號地籍圖中定界及標示的土地,並移走其上倘有的全部建築物、物料及基礎設施。
第六條款——罰款
1. 基於乙方不遵守第四條款所訂的任一期間,每逾期一日,處以相當於溢價金0.1%,並以150(壹佰伍拾)日為限。
2. 基於不可歸責於乙方且為甲方認為充分的理由而批准中止或延長重新利用期間者,則免除乙方承擔上款所指的責任。
第七條款——合同溢價金
乙方須向甲方繳付總金額為$2,636,661.00(澳門幣貳佰陸拾叁萬陸仟陸佰陸拾壹元整)的合同溢價金,繳付方式如下:
1)$ 1,000,000.00(澳門幣壹佰萬元整),當乙方根據第10/2013號法律第一百二十五條的規定接受本合同條件時繳付;
2)餘款$1,636,661.00(澳門幣壹佰陸拾叁萬陸仟陸佰陸拾壹元整),連同年利率5%的利息分2(貳)期繳付,以半年為一期,每期金額相等,即本金連利息合共$849,144.00(澳門幣捌拾肆萬玖仟壹佰肆拾肆元整)。第一期須於作為本批給憑證的批示在《澳門特別行政區公報》公佈後6(陸)個月內繳付。
第八條款——移轉
1. 倘土地未被完全重新利用而將本批給所衍生的狀況移轉,須事先獲得甲方的許可,否則將導致該項移轉無效及不產生任何效力,且不影響第十二條款之規定。
2. 為適用上款的規定,下列情況亦視為移轉本批給所衍生的狀況:
1)一次或多次累計移轉乙方或其控權股東公司資本超過百分之五十;
2)按《民法典》第二百五十八條第三款的規定,設定未經利害關係人同意不可廢止的授權書或複授權書,且該等授權書賦予受權人對批給所衍生狀況的處分權或在程序中作出所有行為。
3. 在不影響上款的規定下,如乙方移轉其或其控權股東資本公司資本超過百分之十,須在有關移轉事實發生後30(叁拾)日內將之通知土地工務運輸局,否則於首次違反時,處以相當於溢價金1%的罰款,而屬第二次違反者則收回土地。
4. 受移轉人須受本合同修改後的條件約束,尤其有關重新利用的期間及附加溢價金方面。
5. 在未完成重新利用前,按照第10/2013號法律第四十二條第五款的規定,乙方僅可將批給所衍生的權利向依法獲許可在澳門特別行政區經營的信貸機構作意定抵押。
6. 違反上款的規定而作出的抵押均屬無效。
第九條款——工程及使用准照
1. 工程准照僅在乙方遞交已按照第七條款的規定繳付已到期溢價金的證明後,方予發出。
2. 使用准照僅在遞交已全數繳付第七條款訂定的溢價金的證明及清繳倘有的罰款後,方予發出。
第十條款——監督
在批出土地的重新利用期間,乙方必須准許行政當局有關部門執行監督工作的代表進入土地及施工範圍,並向代表提供一切所需的協助,使其有效地執行任務。
第十一條——失效
1. 本批給在下列情況下失效:
1)第六條款第1款規定的150(壹佰伍拾)日期間屆滿後仍未完成重新利用,且不論之前曾否被科處罰款;
2)連續或間斷中止重新利用土地超過90(玖拾)日,但有不可歸責於乙方且甲方認為充分的理由除外。
2. 批給的失效由行政長官以批示宣告,並在《澳門特別行政區公報》公佈。
3. 批給的失效導致已繳付的溢價金及以任何方式已在土地上作出的一切改善物歸甲方所有,乙方無權獲得任何賠償或補償,且不影響甲方有權徵收所欠繳的到期溢價金、地租或倘有的罰款。
4. 在不影響上款的規定下,如宣告本批給失效,乙方佔有土地而不加重新利用的年數乘以有關利用權價金的二十分之一的款項歸甲方所有,而該價金的餘額退還予乙方。
第十二條款——土地的收回
1. 倘發生下列任一事實時,甲方可宣告收回土地:
1)未經批准而更改批給用途或修改土地的重新利用;
2)不履行第五條款及第七條款訂定的義務;
3)違反第八條款第1款的規定,未經預先許可將批給所衍生的狀況移轉;
4)第二次違反第八條款第3款的規定;
5)土地的使用偏離批給目的,或該等目的從未實現;
6)當城市規劃變動後而無法開始或繼續對土地進行重新利用,且出現第10/2013號法律第一百四十條第二款所指的任一情況;
7)將長期租借轉租。
2. 土地的收回由行政長官以批示宣告,並在《澳門特別行政區公報》公佈。
3. 土地收回的宣告將產生以下效力:
1)土地的利用權消滅;
2)已繳付的溢價金、利用權價金及以任何方式已在土地上作出的一切改善物歸甲方所有,乙方有權收取由甲方訂定的賠償。
4. 本條款規定的土地的收回,不影響甲方有權徵收所欠繳的到期溢價金、地租及倘有的罰款。
5. 如基於本條款第1款6)項的規定收回土地,則乙方有權獲得第10/2013號法律第一百四十條第五款和第六款規定的賠償。
第十三條款——有權限法院
澳門特別行政區法院為有權解決由本合同所產生的任何爭訟的法院。
第十四條款——適用法例
如有遺漏,本合同以第10/2013號法律和其他適用法例規範。
|
| |||||||||||
| 相關法規 : | |||
| 相關類別 : | |||
| 《LegisMac》的法例註釋 | |||
第55/2014號運輸工務司司長批示
運輸工務司司長行使《澳門特別行政區基本法》第六十四條賦予的職權,並根據第10/2013號法律《土地法》第一百二十五條第二款及第二百一十三條的規定,作出本批示。
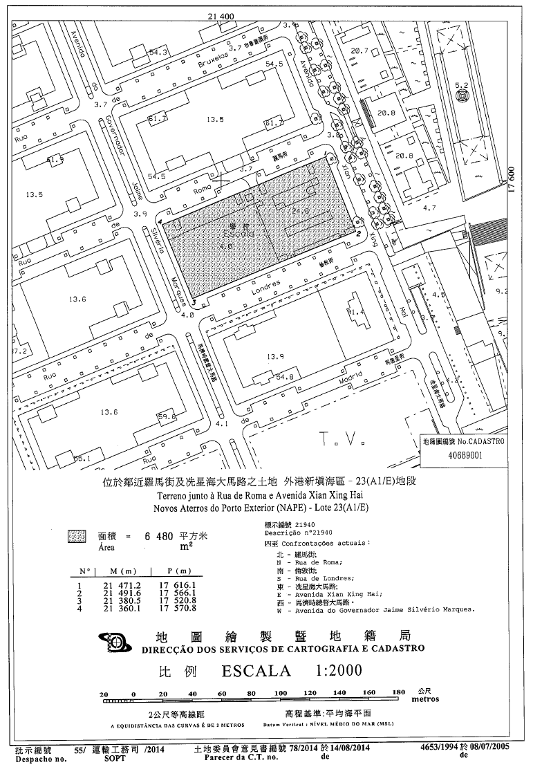
一、根據本批示組成部分的附件合同所載規定及條件,修改一幅以租賃制度批出,面積6,480平方米,位於澳門半島,外港新填海區,稱為“A1/E”地段,標示於物業登記局第21940號的土地的批給,以將該土地改為用作設立一所提供中學、小學及幼兒教育的學校。
二、本批示即時生效。
二零一四年十月三十一日
運輸工務司司長 劉仕堯
———
附件
(土地工務運輸局第1415.05號案卷及土地委員會第19/2014號案卷)
合同協議方:
- 甲方―—澳門特別行政區;及
- 乙方―—教業中學教育協進會。
鑒於:
一、教業中學教育協進會,總址設於澳門冼星海大馬路,無門牌,登記於身份證明局第476號,根據以其名義作出的第32543F號登錄,該會擁有一幅以租賃制度批出,面積6,480平方米,位於澳門半島,外港新填海區,稱為“A1/E”地段,標示於物業登記局B104A冊第36頁第21940號的土地批給所衍生的權利。
二、上述批給由以公佈於二零零六年二月八日第六期《澳門特別行政區公報》第二組的第9/2006號運輸工務司司長批示作為憑證的合同規範。
三、根據以上述批示作為憑證的合同第三條款的規定,土地用作興建一所納入公共學校網絡的中學。
四、根據二零零九年十一月十二日土地工務運輸局發出的第44/2009號使用准照,已進行合同訂定的土地利用。
五、於二零一四年一月二十三日,承批人請求批准修改土地用途,由中學校舍改為中學、小學及幼稚園用地。
六、經收集各有權限實體的意見及在集齊組成案卷所需的文件後,土地工務運輸局制訂修改批給的合同擬本。
七、合同標的之土地在地圖繪製暨地籍局於二零零五年七月八日發出的第4653/1994號地籍圖中定界。
八、案卷按一般程序送交土地委員會,該委員會於二零一四年八月十四日舉行會議,根據第10/2013號法律第三十九條(五)項及第一百三十九條第三款規定,同意批准有關申請。土地委員會的意見書已於二零一四年九月一日經行政長官的批示確認。
九、承批人已獲通知以本批示作為憑證的合同條件,並透過二零一四年九月二十九日遞交由尹君樂,職業住所位於澳門冼星海大馬路,無門牌,以教業中學教育協進會代表的身份簽署的聲明書,明確表示接納有關條件。根據載於上述聲明書上的確認,其身份及權力已經第二公證署核實。
十、考慮到批給維持社會目的及有關利用已完成,故無須繳交附加溢價金。
第一條
1. 透過本合同,批准修改一幅以租賃制度批出,面積6,480(陸仟肆佰捌拾)平方米,位於澳門半島,外港新填海區,稱為“A1/E”地段,由刊登於二零零六年二月八日第六期《澳門特別行政區公報》第二組的第9/2006號運輸工務司司長批示作為批給合同憑證,標示於物業登記局第21940號及其批給所衍生的權利以乙方名義登錄於第32543F號的土地的批給合同。
2. 基於上款所述,上述合同第三條款作以下修改:
“第三條款―—土地的利用及用途
1. 土地具社會目的,並用作設立一所提供中學、小學及幼兒教育,並納入公共學校網絡的學校。
2. ......。
3. ......。”
第二條
澳門特別行政區法院為有權解決由本合同所產生任何爭訟的法院。
第三條
如有遺漏,本合同以第10/2013號法律和其他適用法例規範。
| 相關類別 : | |||
| 《LegisMac》的法例註釋 | |||
第56/2014號運輸工務司司長批示
運輸工務司司長行使《澳門特別行政區基本法》第六十四條賦予的職權,並根據第6/1999號行政法規第七條及第124/2009號行政命令第六款的規定,作出本批示。
一、授予土地工務運輸局代局長陳寶霞有關權限,以便主持土地委員會的會議。
二、轉授予土地工務運輸局代局長陳寶霞作出下列行為的權限:
(一)簽署任用書;
(二)授予職權並接受名譽承諾;
(三)根據現行法例,准許特別假期及短期無薪假,以及就因個人理由或工作需要而移轉假期作出決定;
(四)經法理前提之審查後,批准臨時委任、續任,以及將臨時委任或定期委任轉為確定委任;
(五)批准編制內人員、編制外合同及散位合同制度人員在職程職級內的職階變更;
(六)批准收回因病缺勤而喪失的在職薪俸;
(七)根據現行適用法例的規定,批准將經十二月二十一日第87/89/M號法令核准的《澳門公共行政工作人員通則》規定的年資獎金及津貼和將第8/2006號法律核准的公務人員公積金制度規定的供款時間獎金發放予有關人員;
(八)在無須變更報酬條件下,批准編制外合同及散位合同的續訂;
(九)根據法例的規定,准許免職及解除編制外合同及散位合同;
(十)以澳門特別行政區的名義,簽訂所有與土地工務運輸局人員有關的編制外合同及散位合同;
(十一)簽署計算及結算有關人員服務時間的證明文件;
(十二)批准以超時或輪班制度按法律訂定之限度提供服務;
(十三)批准土地工務運輸局人員及其家屬前往衛生局範圍內運作的健康檢查委員會作檢查;
(十四)批准土地工務運輸局人員參加在澳門特別行政區舉辦的會議、研討會、座談會、專題講座及其他同類活動;
(十五)批准土地工務運輸局人員公幹,但以該等人員有權收取三天日津貼的公幹情況為限;
(十六)批准處於長期無薪假狀況的公務員及處於在土地工務運輸局編制以外工作的其他狀況的公務員請求回任的申請;
(十七)批准返還與擔保承諾或執行與澳門特別行政區簽訂的合同無關的文件;
(十八)批准為人員、物料及設備、不動產及車輛投保;
(十九)批准作出登錄於澳門特別行政區預算開支表一章中,關於土地工務運輸局執行工程和取得資產及勞務的開支,但以$1,000,000.00(澳門幣壹佰萬元)為限,倘獲豁免進行諮詢及/或訂立書面合同,則有關金額的上限減半;
(二十)批准支付部門運作所需的確定及必要開支,如動產租賃開支、公共地方的開支、保險開支、清潔、除蟲、保養及保安開支、水、燃氣及電力開支、交通及通訊服務開支、以及期刊(書刊或電子刊物)開支;
(二十一)按照(十九)項轉授予的權限,批准根據現行有關法例所載的公共承攬工程的後加或後減工程;
(二十二)接受及退還作為保證金之存款,取消銀行擔保及終止保險擔保,以及退還在工程和資產及勞務之取得程序中提交作為擔保或因任何其他名義而被留存之款項,包括由投資與發展開支計劃所載各項經費支付者;
(二十三)以澳門特別行政區名義,簽署有關擬本已獲核准的合同的所有公文書;
(二十四)批准簽發存檔於該局的文件之證明,但法律另有規定者除外;
(二十五)簽署屬土地工務運輸局職責範圍內致澳門特別行政區各實體及機構的文件;
(二十六)批准金額不超過$10,000.00(澳門幣壹萬元)的交際費;
(二十七)批准報廢由土地工務運輸局負責及被視為對部門運作已無用處的財產。
三、透過經運輸工務司司長確認並在《澳門特別行政區公報》公佈的批示,土地工務運輸局代局長認為有利於該局良好運作時,可將有關權限轉授予領導及主管人員。
四、本轉授予的權限不妨礙收回權及監管權的行使。
五、對行使現轉授予的權限而作出的行為,得提起必要訴願。
六、本批示自二零一四年十一月一日起生效。
二零一四年十月三十一日
運輸工務司司長 劉仕堯
———
二零一四年十一月五日於運輸工務司司長辦公室
辦公室主任 黃振東





