澳 門 特 別 行 政 區
運輸工務司司長辦公室
|
| |||||||||||
| 相關法規 : | |||
| 相關類別 : | |||
| 《LegisMac》的法例註釋 | |||
第1/2015號運輸工務司司長批示
運輸工務司司長行使《澳門特別行政區基本法》第六十四條賦予的職權,並根據第10/2013號法律《土地法》第一百二十五條第二款及第二百一十三條的規定,作出本批示。
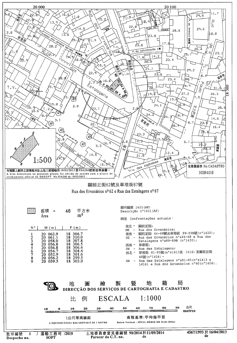
一、根據本批示組成部分的附件合同所載規定及條件,修改一幅以長期租借制度批出,面積修正為46平方米,位於澳門半島,其上建有關前正街62號及草堆街87號樓宇的土地批給,以興建一幢四層高,屬單一所有權制度,作商業用途的樓宇。
二、本批示即時生效。
二零一五年一月十五日
運輸工務司司長 羅立文
———
附件
(土地工務運輸局第1901.01號案卷及土地委員會第3/2014號案卷)
合同協議方:
- 甲方——澳門特別行政區;及
- 乙方——方圓廣場有限公司。
鑒於:
一、方圓廣場有限公司,總址設於澳門南灣大馬路409號,中國法律大廈4字樓“B”室,登記於商業及動產登記局第17909(SO)號,根據以其名義作出的第225070G號登錄,該公司擁有一幅登記面積40.52平方米,經重新量度後修正為46平方米,位於澳門半島,其上建有關前正街62號及草堆街87號樓宇,標示於物業登記局B8冊第151頁背頁第1421號的土地利用權。
二、土地的田底權以國家名義登錄於F16L冊第271頁第3067號及F7冊第15頁第6183號。
三、承批公司擬重新利用該土地興建一幢屬單一所有權制度,樓高共4層,作商業用途的樓宇,因此,於二零一三年五月二十二日向土地工務運輸局遞交了一份建築計劃,根據該局局長於二零一三年八月二十日所作的批示,該計劃被視為可予核准,但須遵守某些技術要件。
四、申請公司於二零一三年九月十一日,根據七月五日第6/80/M號法律第一百零七條的規定,請求批准按照已獲土地工務運輸局視為可予核准的修改計劃,更改土地的利用以及修改批給合同。
五、在集齊組成案卷的所需文件後,土地工務運輸局計算了應得的回報,並制定修改批給的合同擬本。
六、合同標的土地在地圖繪製暨地籍局於二零一三年四月十六日發出的第4567/1993號地籍圖中已定界,面積為46平方米。
七、案卷按一般程序送交土地委員會,該委員會於二零一四年九月十一日舉行會議,同意批准有關申請。土地委員會的意見書已於二零一四年九月二十五日經行政長官的批示確認。
八、已將由本批示規範的合同條件通知承批公司。該公司透過於二零一四年十月三十日遞交由周瑞芳,離婚,職業住所位於澳門羅理基博士大馬路138號,興富閣14字樓“B”室,以方圓廣場有限公司代表的身分簽署的聲明書,明確表示接納有關條件。根據載於上述聲明書上的確認,上述人士的身分及權力已經第二公證署核實。
九、承批公司已繳付由本批示規範的合同第三條款第一款訂定的經調整的利用權價金及第七條款所規定的溢價金。
第一條款——合同標的
1. 本合同標的為修改一幅以長期租借制度批出,登記面積40.52(肆拾點伍貳)平方米,經重新量度後修正為46平方米(肆拾陸)平方米,位於澳門半島,其上建有關前正街62號及草堆街87號樓宇,在地圖繪製暨地籍局於二零一三年四月十六日發出的第4567/1993號地籍圖中定界及標示,並標示於物業登記局B8冊第151頁背頁第1421號及其利用權以乙方名義登錄於第225070G號的土地的批給。
2. 鑒於是次修改,上款所述土地,以下稱為土地,其批給轉由本合同的條款規範。
第二條款——土地的重新利用及用途
1. 土地重新利用作興建一幢屬單一所有權制度,樓高4(肆)層,用途為商業,建築面積為217(貳佰壹拾柒)平方米的樓宇。
2. 上款所述面積在為發出有關使用准照而作實地檢查時可作修改。
3. 乙方須遵守土地所在地區內生效的城市規劃的規定。
第三條款——利用權價金及地租
1. 土地的利用權價金調整為$26,040.00(澳門幣貳萬陸仟零肆拾元整)。
2. 當接納第10/2013號法律第一百二十五條所指的本合同條件時,須一次性全數繳付上款訂定的經調整後的利用權價金差額。
3. 每年繳付的地租調整為$101.00(澳門幣壹佰零壹元整)。
4. 不準時繳付地租,將按照稅務執行程序的規定進行強制徵收。
第四條款——重新利用的期間
1. 土地重新利用的總期間為30(叁拾)個月,由作為本批給憑證的批示在《澳門特別行政區公報》公佈之日起計。
2. 上款所述的期間包括乙方遞交工程計劃、甲方審議該計劃及發出有關准照的時間。
3. 乙方應遵守以下期間:
1)由第1款所指的批示公佈之日起計60(陸拾)日內,編製和遞交工程計劃(地基、結構、供水、排水、供電和其他專業計劃);
2)由通知工程計劃獲核准之日起計60(陸拾)日內,遞交發出工程准照的申請書;
3)由發出工程准照之日起計15(拾伍)日內,遞交動工申請。
4. 為適用上款的規定,計劃須完整及適當備齊所有資料,方視為確實完成遞交。
5. 如基於不可歸責於乙方且甲方認為充分的理由,則應乙方的申請,甲方可批准中止或延長本條款所指的任一期間。
6. 上款所述的申請須於相關期間屆滿前提出。
第五條款——特別負擔
由乙方獨力承擔的特別負擔為騰空在地圖繪製暨地籍局於二零一三年四月十六日發出的第4567/1993號地籍圖中定界及標示的土地,並移走其上倘有的全部建築物、物料及基礎設施。
第六條款——罰款
1. 基於乙方不遵守第四條款所訂的任一期間,每逾期一日,處以相當於溢價金0.1%(百分之零點一),且不低於$1,000.00(澳門幣壹仟元整)的罰款,並以150(壹佰伍拾)日為限。
2. 基於不可歸責於乙方且為甲方認為充分的理由而批准中止或延長重新利用期間者,則免除乙方承擔上款所指的責任。
第七條款——合同溢價金
基於本次批給合同修改,當乙方接納第10/2013號法律第一百二十五條所指的本合同條件時,須向甲方一次性全數繳付金額為$917,623.00(澳門幣玖拾壹萬柒仟陸佰貳拾叁元整)的合同溢價金。
第八條款——移轉
1. 倘土地未被完全重新利用而將本批給所衍生的狀況移轉,須事先獲得甲方的許可,否則將導致該項移轉無效及不產生任何效力,且不影響第十二條款之規定。
2. 為適用上款的規定,下列情況亦視為移轉本批給所衍生的狀況:
1)一次或多次累計移轉乙方或其控權股東公司資本超過50%(百分之五十);
2)按《民法典》第二百五十八條第三款的規定,設定未經利害關係人同意不可廢止的授權書或複授權書,且該等授權書賦予受權人對批給所衍生狀況的處分權或在程序中作出所有行為。
3. 在不影響上款的規定下,如乙方移轉其或其控權股東資本公司資本超過10%(百分之十),須在有關移轉事實發生後30(叁拾)日內將之通知土地工務運輸局,否則於首次違反時,處以相當於溢價金1%(百分之一)的罰款,而屬第二次違反者則收回土地。
4. 受移轉人須受本合同修改後的條件約束,尤其有關重新利用的期間及附加溢價金方面。
5. 在未完成重新利用前,按照第10/2013號法律第四十二條第五款的規定,乙方僅可將批給所衍生的權利向依法獲許可在澳門特別行政區經營的信貸機構作意定抵押。
6. 違反上款的規定而作出的抵押均屬無效。
第九條款——使用准照
使用准照僅在清繳倘有的罰款後,方予發出。
第十條款——監督
在批出土地的重新利用期間,乙方必須准許行政當局有關部門執行監督工作的代表進入土地及施工範圍,並向代表提供一切所需的協助,使其有效地執行任務。
第十一條款——失效
1. 本批給在下列情況下失效:
1)第六條款第1款規定的150(壹佰伍拾)日期間屆滿後仍未完成重新利用,且不論之前曾否被科處罰款;
2)連續或間斷中止重新利用土地超過90(玖拾)日,但有不可歸責於乙方且甲方認為充分的理由除外。
2. 批給的失效由行政長官以批示宣告,並在《澳門特別行政區公報》公佈。
3. 批給的失效導致已繳付的溢價金及以任何方式已在土地上作出的一切改善物歸甲方所有,乙方無權獲得任何賠償或補償,且不影響甲方有權徵收所欠繳的地租或倘有的罰款。
4. 在不影響上款的規定下,如宣告本批給失效,乙方佔有土地而不加重新利用的年數乘以有關利用權價金的二十分之一的款項歸甲方所有,而該價金的餘額退還予乙方。
第十二條款——土地的收回
1. 倘發生下列任一事實時,甲方可宣告收回土地:
1)未經批准而更改批給用途或修改土地的重新利用;
2)不履行第四條款訂定的義務;
3)違反第八條款第1款的規定,未經預先許可將批給所衍生的狀況移轉;
4)第二次違反第八條款第3款的規定;
5)土地的使用偏離批給目的,或該等目的從未實現;
6)當城市規劃變動後而無法開始或繼續對土地進行重新利用,且出現第10/2013號法律第一百四十條第二款所指的任一情況;
7)將長期租借轉租。
2. 土地的收回由行政長官以批示宣告,並在《澳門特別行政區公報》公佈。
3. 土地收回的宣告將產生以下效力:
1)土地的利用權消滅;
2)已繳付的溢價金、利用權價金及以任何方式已在土地上作出的改善物歸甲方所有,乙方有權收取由甲方訂定的賠償。
4. 本條款規定的土地的收回,不影響甲方有權徵收所欠繳的地租及倘有的罰款。
5. 如基於本條款第1款6)項的規定收回土地,則乙方有權獲得第10/2013號法律第一百四十條第五款和第六款規定的賠償。
第十三條款——有權限法院
澳門特別行政區法院為有權解決由本合同所產生的任何爭訟的法院。
第十四條款——適用法例
如有遺漏,本合同以第10/2013號法律和其他適用法例規範。
|
| |||||||||||
| 相關法規 : | |||
| 相關類別 : | |||
| 《LegisMac》的法例註釋 | |||
第2/2015號運輸工務司司長批示
運輸工務司司長行使《澳門特別行政區基本法》第六十四條賦予的職權,並根據第10/2013號法律《土地法》第一百二十五條第二款及第二百一十三條的規定,作出本批示。
一、根據本批示組成部分的附件合同所載規定及條件,修改一幅以長期租借制度批出,總面積62平方米,位於澳門半島崗陵街,其上建有25號樓宇,標示於物業登記局第9014號的土地的批給,以興建一幢屬分層所有權制度,樓高七層,作住宅及商業用途的樓宇。
二、本批示即時生效。
二零一五年一月十五日
運輸工務司司長 羅立文
———
附件
(土地工務運輸局第2730.01號案卷及 土地委員會第2/2014號案卷)
合同協議方:
- 甲方——澳門特別行政區;
- 乙方——徐洪。
鑒於:
一、徐洪及其配偶李錦清,以一般共同財產制結婚,通訊處位於澳門羅保博士街1-3號國際銀行大廈15樓D-E,根據以其名義於G31冊第115頁第37512號作出的登錄,其持有一幅面積為62平方米,位於澳門半島,崗陵街,其上建有25號樓宇,標示於物業登記局B25冊第300頁第9014號的土地的利用權。
二、土地的田底權以澳門特別行政區的名義登錄於F32K冊第474頁第7811號。
三、承批人擬重新利用該土地興建一幢屬分層所有權制度,樓高七層,作住宅及商業用途的樓宇,因此於二零一三年四月二十三日向土地工務運輸局提交一份建築計劃。根據該局副局長於二零一三年九月二十三日所作的批示,該計劃被視為可予核准,但須遵守某些技術要件。
四、承批人於二零一三年十一月十八日,根據七月五日第6/80/M號法律第一百零七條的規定,請求按照所述計劃,批准更改上述土地的利用及修改批給合同。
五、在集齊組成案卷所需的文件後,土地工務運輸局計算了應得的回報及制定修改批給的合同擬本。承批人於二零一四年一月三日遞交聲明書,表示同意該擬本。
六、合同標的土地的面積為62平方米,在地圖繪製暨地籍局於二零一三年十一月七日發出的第6955/2011號地籍圖中定界。
七、案卷按一般程序送交土地委員會,該委員會於二零一四年九月十一日舉行會議,同意批准有關申請。該意見書已於二零一四年九月十九日經行政長官的批示確認。
八、由本批示規範的合同條件已通知承批人及其配偶。上述人士透過於二零一四年十月十六日遞交的聲明書,明確表示接納有關條件。
九、承批人已繳付由本批示規範的合同第三條款第1款所訂定經調整的利用權價金及第七條款規定的溢價金。
第一條款——合同標的
1. 本合同標的為修改一幅以長期租借制度批出,面積62(陸拾貳)平方米,位於澳門半島,崗陵街其上建有25號樓宇,在地圖繪製暨地籍局於二零一三年十一月七日發出的第6955/2011號地籍圖中定界及標示,並標示於物業登記局B25冊第300頁第9014號及其利用權以乙方名義登錄於第37512號的土地的批給。
2. 鑒於是次修改,上款所述土地,以下稱為土地,其批給轉由本合同的條款規範。
第二條款——土地的重新利用及用途
1. 土地重新利用作興建一幢屬分層所有權制度,樓高7(柒)層的樓宇,用途分配如下:
1)住宅: 建築面積317平方米;
2)商業: 建築面積93平方米。
2. 上款所述面積在為發出有關使用准照而作實地檢查時可作修改。
3. 乙方須遵守土地所在地區內生效的城市規劃的規定。
第三條款 ——利用權價金及地租
1. 土地的利用權價金調整為$18,260.00(澳門幣壹萬捌仟貳佰陸拾元整)。
2. 當乙方按照第10/2013號法律第一百二十五條的規定接受本合同的條件時,須一次性全數繳付上款訂定的經調整的利用權價金差額。
3. 每年繳付的地租調整為$101.00(澳門幣壹佰零壹元整)。
4. 不準時繳付地租,將按照稅務執行程序的規定進行強制徵收。
第四條款——重新利用的期間
1. 土地重新利用的總期間為36(叁拾陸)個月,由作為本批給憑證的批示在《澳門特別行政區公報》公佈之日起計。
2. 上款所述的期間包括乙方遞交工程計劃、甲方審議該計劃及發出有關准照的時間。
3. 乙方應遵守以下期間:
1)由第1款所指的批示公佈之日起計60(陸拾)日內,編製和遞交工程計劃(地基、結構、供水、排水、供電和其他專業計劃);
2)由通知工程計劃獲核准之日起計60(陸拾)日內,遞交發出工程准照的申請書;
3)由發出工程准照之日起計15(拾伍)日內,遞交動工申請。
4. 為適用上款的規定,計劃須完整及適當備齊所有資料,方視為確實完成遞交。
5. 如基於不可歸責於乙方且甲方認為充分的理由,則應乙方的申請,甲方可批准中止或延長本條款所指的任一期間。
6. 上款所述的申請須於相關期間屆滿前提出。
第五條款——特別負擔
由乙方獨力承擔的特別負擔為騰空在地圖繪製暨地籍局於二零一三年十一月七日發出的第6955/2011號地籍圖中定界及標示的土地,並移走其上倘有的全部建築物、物料及基礎設施。
第六條款—— 罰款
1. 基於乙方不遵守第四條款所訂的任一期間,每逾期一日,處以相當於溢價金0.1%(百分之零點一),且不低於$1,000.00(澳門幣壹仟元整)的罰款,並以150(壹佰伍拾)日為限。
2. 基於不可歸責於乙方且為甲方認為充分的理由而批准中止或延長重新利用期間者,則免除乙方承擔上款所指的責任。
第七條款——合同溢價金
基於本次批給合同修改,當乙方根據第10/2013號法律第一百二十五條的規定接受本合同的條件時,須向甲方一次性全數繳付金額為$651,613.00(澳門幣陸拾伍萬壹仟陸佰壹拾叁元整)的合同溢價金。
第八條款——移轉
1. 倘土地未被完全重新利用而將本批給所衍生的狀況移轉,須事先獲得甲方的許可,否則將導致該項移轉無效及不產生任何效力,且不影響第十二條款之規定。
2. 為適用上款的規定,按《民法典》第二百五十八條第三款的規定,設定未經利害關係人同意不可廢止的授權書或複授權書,且該等授權書賦予受權人對批給所衍生狀況的處分權或在程序中作出所有行為,亦視為移轉本批給所衍生的狀況。
3. 受移轉人須受本合同修改後的條件約束,尤其有關重新利用的期間及附加溢價金方面。
4. 在未完成重新利用前,按照第10/2013號法律第四十二條第五款的規定,乙方僅可將批給所衍生的權利向依法獲許可在澳門特別行政區經營的信貸機構作意定抵押。
5. 違反上款的規定而作出的抵押均屬無效。
第九條款——使用准照
使用准照僅在清繳倘有的罰款後,方予發出。
第十條款——監督
在批出土地的重新利用期間,乙方必須准許行政當局有關部門執行監督工作的代表進入土地及施工範圍,並向代表提供一切所需的協助,使其有效地執行任務。
第十一條款——失效
1. 本批給在下列情況下失效:
1)第六條款第1款規定的150(壹佰伍拾)日期間屆滿後仍未完成重新利用,且不論之前曾否被科處罰款;
2)連續或間斷中止重新利用土地超過90(玖拾)日,但有不可歸責於乙方且甲方認為充分的理由除外。
2. 批給的失效由行政長官以批示宣告,並在《澳門特別行政區公報》公佈。
3. 批給的失效導致已繳付的溢價金及以任何方式已在土地上作出的一切改善物歸甲方所有,乙方無權獲得任何賠償或補償,且不影響甲方有權徵收所欠繳的地租或倘有的罰款。
4. 在不影響上款的規定下,如宣告本批給失效,乙方佔有土地而不加重新利用的年數乘以有關利用權價金的二十分之一的款項歸甲方所有,而該價金的餘額退還予乙方。
第十二條款——土地的收回
1. 倘發生下列任一事實時,甲方可宣告收回土地:
1)未經批准而更改批給用途或修改土地的重新利用;
2)不履行第五條款訂定的義務;
3)違反第八條款第1款的規定,未經預先許可將批給所衍生的狀況移轉;
4)土地的使用偏離批給目的,或該等目的從未實現;
5)當城市規劃變動後而無法開始或繼續對土地進行重新利用,且出現第10/2013號法律第一百四十條第二款所指的任一情況;
6)將長期租借轉租。
2. 土地的收回由行政長官以批示宣告,並在《澳門特別行政區公報》公佈。
3. 土地收回的宣告將產生以下效力:
1)土地的利用權消滅;
2)已繳付的溢價金、利用權價金及以任何方式已在土地上作出的一切改善物歸甲方所有,乙方有權收取由甲方訂定的賠償。
4. 本條款規定的土地的收回,不影響甲方有權徵收所欠繳的地租及倘有的罰款。
5. 如基於本條款第1款5)項的規定收回土地,則乙方有權獲得第10/2013號法律第一百四十條第五款和第六款規定的賠償。
第十三條款——有權限法院
澳門特別行政區法院為有權解決由本合同所產生的任何爭訟的法院。
第十四條款——適用法例
如有遺漏,本合同以第10/2013號法律和其他適用法例規範。
———
二零一五年一月二十日於運輸工務司司長辦公室
辦公室主任 張翠玲





