澳 門 特 別 行 政 區
運輸工務司司長辦公室
| 
 | 
 | |||||||||||
| 相關法規 : | |||
| 相關類別 : | |||
| 《LegisMac》的法例註釋 | |||
第42/2017號運輸工務司司長批示
運輸工務司司長行使《澳門特別行政區基本法》第六十四條賦予的職權,並根據第10/2013號法律《土地法》第一百二十九條第二款及第一百三十九條的規定,作出本批示。
一、根據本批示組成部分的附件合同所載規定及條件,修改一幅以長期租借制度批出,面積經修正後為46平方米,位於澳門半島,樹木巷,其上建有9號及11號樓宇,標示於物業登記局第5357號的土地的批給,以興建一幢屬單一所有權制度,作商業用途的樓宇。
二、基於上述修改,根據對該地點所確定的新街道準線的規定,把兩幅總面積7平方米,將脫離上款所指土地的地塊,無帶任何責任或負擔歸屬國家公產,而批出土地的面積改為39平方米。
三、本批示即時生效。
二零一七年九月二十一日
運輸工務司司長 羅立文
———
附件
(土地工務運輸局第2747.01號案卷及土地委員會第34/2014號案卷)
合同協議方:
甲方——澳門特別行政區;及
乙方——盧建成。
鑒於:
一、盧建成,離婚,通訊處位於澳門南灣里5號,海天大廈地下,根據以其名義在G44K冊第192頁第13591號作出的登錄,其擁有一幅面積43.21平方米,經重新測量後修正為46平方米,位於澳門半島,樹木巷,其上建有9號及11號樓宇,標示於物業登記局B22冊第252頁背頁第5357號的土地的利用權。
二、有關土地的田底權以國家名義登錄於F1冊第187頁第659號。
三、承批人擬重新利用該土地,以興建一幢兩層高,屬單一所有權制度,作商業用途的樓宇,因此,於二零一三年六月十八日及十月三十日向土地工務運輸局遞交了修改建築計劃及工程計劃,根據土地工務運輸局局長及副局長於二零一三年八月二十三日及二零一四年二月二十四日所作的批示,該等計劃已被視為可予核准,但須遵守某些技術要件。
四、承批人於二零一四年八月七日根據第10/2013號法律第一百三十九條的規定,請求批准按照上述計劃,更改土地的利用及隨後修改批給合同。
五、在集齊組成案卷所需的文件後,土地工務運輸局計算了應得的回報,並制定修改批給的合同擬本。承批人透過於二零一四年十月六日遞交的聲明書,明確表示同意該擬本。
六、合同標的土地的面積為46平方米,在地圖繪製暨地籍局於二零一四年七月一日發出的第4845/1994號地籍圖中以字母 “A”、“B1”及“B2”定界及標示,面積分別為39平方米、4平方米及3平方米。
七、根據對該地點所確定的新街道準線的規定,在上述地籍圖中以字母“B1”及“B2”標示,總面積7平方米,將脫離上款所指土地的地塊歸屬國家公產,作為公共街道。
八、案卷按一般程序送交土地委員會,該委員會於二零一五年一月八日舉行會議,同意批准有關申請。該意見書已於二零一五年一月三十日經行政長官的批示確認。
九、已將以本批示作為憑證的合同的條件通知承批人,而承批人透過於二零一七年九月一日遞交的聲明書,明確表示接納有關條件。
十、承批人已繳付以本批示作為憑證的合同第三條款第1款所訂定的經調整後的利用權價金的差額及第七條款所訂定的溢價金。
第一條款——合同標的
1. 本合同標的為:
1)修改一幅以長期租借制度批出,登記面積43.21(肆拾叁點貳壹)平方米,經重新量度後修正為46(肆拾陸)平方米,位於澳門半島,其上建有樹木巷9及11號樓宇,在地圖繪製暨地籍局於二零一四年七月一日發出的第4845/1994號地籍圖中以字母“A”、“B1”及“B2”定界及標示,並標示於物業登記局B22冊第252頁背頁第5357號及其利用權以乙方名義登錄於第13591號的土地的批給;
2)根據新街道準線的規定,將兩幅無帶任何責任或負擔,在上述地籍圖中以字母“B1”及“B2”定界及標示,總面積7(柒)平方米,價值為$7,000.00(澳門幣柒仟元整)將脫離上項所指土地的地塊的利用權歸還甲方,以便將該等地塊納入公產,作公共街道。
2. 批出土地的面積現為39(叁拾玖)平方米,在上述地籍圖中以字母“A”定界及標示,以下簡稱為土地,其批給轉由本合同的條款規範。
第二條款——土地的重新利用及用途
1. 土地重新利用作興建一幢屬單一所有權制度,樓高2(貳)層,建築面積94(玖拾肆)平方米,作商業用途的樓宇。
2. 上款所述面積在為發出有關使用准照而作實地檢查時可作修改。
3. 乙方須遵守土地所在地區內生效的城市規劃的規定。
第三條款——利用權價金及地租
1. 土地的利用權價金調整為$2,820.00(澳門幣貳仟捌佰貳拾元整)。
2. 當乙方按照第10/2013號法律第一百二十五條的規定,接受本合同的條件時,須一次性全數繳付上款訂定的經調整後的利用權價金差額。
3. 每年繳付的地租調整為$101.00(澳門幣壹佰零壹元整)。
4. 不準時繳付地租,將按照稅務執行程序的規定進行強制徵收。
第四條款——重新利用的期間
1. 土地重新利用的總期間為30(叁拾)個月,由作為本批給憑證的批示在《澳門特別行政區公報》公佈之日起計。
2. 上款所述的期間包括乙方遞交工程計劃、甲方審議該計劃及發出有關准照的時間。
3. 乙方應遵守以下期間:
1)由第1款所指的批示公佈之日起計60(陸拾)日內,編製和遞交工程計劃(地基、結構、供水、排水、供電和其他專業計劃);
2)由通知工程計劃獲核准之日起計60(陸拾)日內,遞交發出工程准照的申請書;
3)由發出工程准照之日起計15(拾伍)日內,遞交動工申請。
4. 為適用上款的規定,計劃須完整及適當備齊所有資料,方視為確實完成遞交。
5. 如基於不可歸責於乙方且甲方認為充分的理由,則應乙方的申請,甲方可批准中止或延長本條款所指的任一期間。
6. 上款所述的申請須於相關期間屆滿前提出。
第五條款——特別負擔
由乙方獨力承擔的特別負擔為騰空在地圖繪製暨地籍局於二零一四年七月一日發出的第4845/1994號地籍圖中以字母“A”、“B1”及“B2”定界及標示的地塊,並移走其上倘有的全部建築物、物料及基礎設施。
第六條款——罰款
1. 基於乙方不遵守第四條款所訂的任一期間,每逾期一日,處以相當於溢價金0.1%(百分之零點一),且不低於$1,000.00(澳門幣壹仟元整)的罰款,並以150(壹佰伍拾)日為限。
2. 基於不可歸責於乙方且為甲方認為充分的理由而批准中止或延長重新利用期間者,則免除乙方承擔上款所指的責任。
第七條款——合同溢價金
基於本次批給合同修改,當乙方按照第10/2013號法律第一百二十五條的規定,接受本合同的條件時,須向甲方一次性全數繳付金額為$987,666.00(澳門幣玖拾捌萬柒仟陸佰陸拾陸元整)的合同溢價金。
第八條款——移轉
1. 倘土地未被完全重新利用而將本批給所衍生的狀況移轉,須事先獲得甲方的許可,否則將導致該項移轉無效及不產生任何效力,且不影響第十二條款之規定。
2. 為適用上款的規定,按《民法典》第二百五十八條第三款的規定,設定未經利害關係人同意不可廢止的授權書或複授權書,且該等授權書賦予受權人對批給所衍生狀況的處分權或在程序中作出所有行為,亦視為移轉本批給所衍生的狀況。
3. 受移轉人須受本合同修改後的條件約束,尤其有關重新利用的期間及附加溢價金的支付方面。
4. 在未完成重新利用前,按照第10/2013號法律第四十二條第五款的規定,乙方僅可將批給所衍生的權利向依法獲許可在澳門特別行政區經營的信貸機構作意定抵押。
5. 違反上款的規定而作出的抵押均屬無效。
第九條款——使用准照
使用准照僅在履行第五條款訂定的義務及清繳倘有的罰款後,方予發出。
第十條款——監督
在批出土地的重新利用期間,乙方必須准許行政當局有關部門執行監督工作的代表進入土地及施工範圍,並向代表提供一切所需的協助,使其有效地執行任務。
第十一條款——失效
1. 本批給在下列情況下失效:
1)第六條款第1款規定的150(壹佰伍拾)日期間屆滿後仍未完成重新利用,且不論之前曾否被科處罰款;
2)連續或間斷中止重新利用土地超過90(玖拾)日,但有不可歸責於乙方且甲方認為充分的理由除外。
2. 批給的失效由行政長官以批示宣告,並在《澳門特別行政區公報》公佈。
3. 批給的失效導致已繳付的溢價金及以任何方式已在土地上作出的一切改善物歸甲方所有,乙方無權獲得任何賠償或補償,且不影響甲方有權徵收所欠繳的地租或倘有的罰款。
4. 在不影響上款的規定下,如宣告本批給失效,乙方佔有土地而不加重新利用的年數乘以有關利用權價金的二十分之一的款項歸甲方所有,而該價金的餘額退還予乙方。
第十二條款——土地的收回
1. 倘發生下列任一事實時,甲方可宣告收回土地:
1)未經批准而更改批給用途或修改土地的重新利用;
2)不履行第五條款訂定的義務;
3)違反第八條款第1款的規定,未經預先許可將批給所衍生的狀況移轉;
4)土地的使用偏離批給目的,或該等目的從未實現;
5)當城市規劃變動後而無法開始或繼續對土地進行重新利用,且出現第10/2013號法律第一百四十條第二款所指的任一情況;
6)將長期租借轉租。
2. 土地的收回由行政長官以批示宣告,並在《澳門特別行政區公報》公佈。
3. 土地收回的宣告將產生以下效力:
1)土地的利用權消滅;
2)已繳付的溢價金、利用權價金及以任何方式已在土地上作出的改善物歸甲方所有,乙方有權收取由甲方訂定的賠償。
4. 本條款規定的土地的收回,不影響甲方有權徵收所欠繳的地租及倘有的罰款。
5. 如基於本條款第1款5)項的規定收回土地,則乙方有權獲得第10/2013號法律第一百四十條第五款和第六款規定的賠償。
第十三條款——有權限法院
澳門特別行政區法院為有權解決由本合同所產生的任何爭訟的法院。
第十四條款——適用法例
如有遺漏,本合同以第10/2013號法律和其他適用法例規範。
| 
 | 
 | |||||||||||
| 相關法規 : | |||
| 相關類別 : | |||
| 《LegisMac》的法例註釋 | |||
第43/2017號運輸工務司司長批示
運輸工務司司長行使《澳門特別行政區基本法》第六十四條賦予的職權,並根據第10/2013號法律《土地法》第八條第一款、第二十七條、第四十四條和續後數條、第五十五條第一款3)項、第一百二十九條及第一百三十九條的規定,作出本批示。
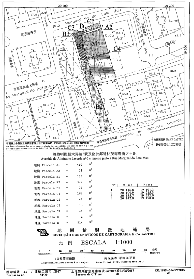
一、根據本批示組成部分的附件合同所載規定及條件,修改兩幅以租賃方式批出,面積分別為713平方米及571平方米,位於澳門半島罅些喇提督馬路,其上建有5號樓宇及鄰近林茂海邊街,標示於物業登記局第11662號及第22183號的土地的批給。
二、基於上述修改,根據為該地點所訂定的新街道準線,把兩幅面積分別為164平方米及13平方米並將脫離面積為713平方米的土地的地塊,以及兩幅面積分別為49平方米及14平方米並將脫離面積為571平方米的土地的地塊歸還,在無帶任何責任或負擔下納入國家公產,作為公共街道。
三、將一幅面積為377平方米的地塊脫離面積為713平方米的土地,以便將來與位於罅些喇提督馬路,其上建有1至3號樓宇的土地重新共同利用。
四、以租賃方式批出一幅面積1平方米的毗鄰地塊,以便與由第一款所指的土地的剩餘面積所組成的土地合併,組成一幅面積668平方米的單一地段,以重新共同利用興建一幢21層高,其中一層為地庫,屬分層所有權制度,作住宅、商業、停車場及社會設施用途的樓宇。
五、本批示即時生效。
二零一七年九月二十一日
運輸工務司司長 羅立文
———
附件
(土地工務運輸局第1097.02號案卷及土地委員會第76/2016號案卷)
合同協議方:
甲方——澳門特別行政區;及
乙方——華達置業有限公司。
鑒於:
一、華達置業有限公司,總辦事處設於澳門殷皇子大馬路中央商業中心60至62號,8字樓A及B,登記於商業及動產登記局C11冊第173頁第4549(SO)號,根據以其名義作出的F35冊第72頁第26869號登錄,該公司為一幅以租賃方式批出,面積為571平方米,位於澳門半島,鄰近林茂海邊街,標示於物業登記局B4M冊第22頁第22183號的土地其批給所衍生權利的持有人。
二、根據以其名義作出的第189347G號及第189734G號登錄,上述公司亦是一幅以租賃方式批出,面積為713.82平方米,經重新量度後修正為713平方米,位於澳門半島罅些喇提督馬路,其上建有5號樓宇,標示於物業登記局B31冊第102頁第11662號的土地的租賃批給所衍生權利的持有人。
三、承批公司擬重新共同利用該等土地興建一幢樓高21層,其中一層為地庫,屬分層所有權制度,作住宅、商業、停車場及社會設施用途的樓宇,因此於二零一五年四月十日及六月四日向土地工務運輸局遞交了一份建築工程計劃,並於二零一六年三月二十三日遞交了一份修改建築工程計劃。根據該局副局長於二零一六年五月十日作出的批示,該修改建築工程計劃被視為可予核准,但須遵守某些技術要件。
四、但根據對該地點發出的規劃條件圖,該重新利用需要新的土地的外形。
所以將一幅面積為377平方米,將來與位於罅些喇提督馬路,其上建有1至3號樓宇的土地重新共同利用的地塊,脫離面積為713平方米,標示於物業登記局第11662號的土地,並將另外兩幅面積分別為164平方米及13平方米的地塊脫離該土地以納入國家公產。
上述土地的159平方米剩餘面積和一幅面積1平方米屬可處置的地塊將與標示於物業登記局第22183號的土地合併,同時有兩幅面積分別為49平方米及14平方米的地塊將脫離該土地以納入國家公產。
五、承批公司根據第10/2013號法律《土地法》第一百三十九條的規定,於二零一六年五月十七日請求批准按照上述計劃,更改上述土地的利用及修改批給合同,及請求以租賃方式批出屬可處置的地塊,以便合併並組成一幅面積668平方米的地段。
六、在集齊組成案卷所需的文件後,土地工務運輸局計算了應得的回報並制訂修改批給的合同擬本。承批公司透過於二零一七年一月二十日遞交的聲明書,明確表示同意該擬本。
七、合同標的土地在地圖繪製暨地籍局於二零一五年九月四日發出的第432/1989號地籍圖中以字母“A1”、“A2”、“B1”、“B2”、“B3”、“C1”、“C2”、“C3”、“C4”及“D”定界和標示,面積分別為450平方米、58平方米、138平方米、377平方米、21平方米、164平方米、49平方米、13平方米、14平方米及1平方米。
八、在上述地籍圖中以字母“A1”、“A2”、“B1”、“B3”及“D”標示的地塊將組成一幅面積668平方米的新地段,以便根據以本批示作為憑證的合同作利用。“C1”、“C2”、“C3”及“C4”地塊,總面積為240平方米,相當於納入國家公產作公共街道的土地。面積377平方米的“B2”地塊將與位於罅些喇提督馬路,其上建有1至3號樓宇的土地組成一幅新地段,以便將來重新共同利用。
九、案卷按一般程序送交土地委員會,該委員會於二零一七年三月二日舉行會議,同意批准有關申請。
十、行政長官於二零一七年八月二十二日在運輸工務司司長的二零一七年八月八日意見書上作出批示,根據土地委員會意見書上的建議,批准修改批給的申請。
十一、已將以本批示作為憑證的合同條件通知承批公司。承批公司透過於二零一七年九月四日遞交由李永傑,男性,已婚,澳門出生及李明光,男性,已婚,澳門出生,職業住所位於澳門殷皇子大馬路中央商業中心60至62號,8字樓A及B,以行政管理機關成員身分代表華達置業有限公司簽署的聲明書,明確表示接納有關條件。根據載於上述聲明書上的確認,上述人士的身分及權力已經第二公證署核實。
十二、承批公司已支付由本批示作為憑證的合同第八條款2)項及第十一條款所規定的該期溢價金及特別稅捐。
第一條款——合同標的
1. 本合同標的為:
1)修改一幅以租賃制度批出,面積571(伍佰柒拾壹)平方米,鄰近林茂海邊街,標示於物業登記局B4M冊第22頁第22183號及其批給所衍生的權利以乙方名義登錄於F35冊第72頁第26869號,並在地圖繪製暨地籍局於二零一五年九月四日發出的第432/1989號地籍圖中以字母“A1”、“A2”、“C2”及“C4”定界及標示的土地的批給;
2)根據新街道準線的規定,歸還兩幅無帶任何責任或負擔,在上述地籍圖中以字母“C2”及“C4”定界及標示,面積分別為49(肆拾玖)及14(拾肆)平方米,價值分別為$14,000.00(澳門幣壹萬肆仟元整)及$49,000.00(澳門幣肆萬玖仟元整),將脫離上點所述標示於物業登記局B4M冊第22頁第22183號土地的地塊,以納入國家公產,作為公共街道;
3)修改一幅以租賃制度批出,登記面積713.82(柒佰壹拾叁點捌貳)平方米,經重新量度後修正為713(柒佰壹拾叁)平方米,位於罅些喇提督大馬路,其上建有5號樓宇,北面面向林茂海邊街,標示於物業登記局B31冊第102頁第11662號及其批給所衍生的權利以乙方名義登錄於第189347G號及第189734G號,並在地圖繪製暨地籍局於二零一五年九月四日發出的第432/1989號地籍圖中以字母“B1”、“B2”、“B3”、“C1”及“C3”定界及標示的土地的批給;
4)根據新街道準線的規定,歸還兩幅無帶任何責任或負擔,在上述地籍圖中以字母“C1”及“C3”定界及標示,面積分別為164(壹佰陸拾肆)及13(拾叁)平方米,價值分別為$164,000.00(澳門幣拾陸萬肆仟元整)及$13,000.00(澳門幣壹萬叁仟元整),將脫離於第3項所述標示於物業登記局B31冊第102頁第11662號土地的地塊,以納入國家公產,作為公共街道;
5)根據新街道準線的規定,以租賃制度及免除公開招標方式,批予乙方1(壹)幅面積1(壹)平方米,位於林茂海邊街,未有在物業登記局登記,在上述地籍圖中以字母“D”定界及標示的地塊。
2. 在地圖繪製暨地籍局於二零一五年九月四日發出的第432/1989號地籍圖中以字母“B1”、“B3”及“D”定界及標示的土地地塊,將與在同一地籍圖中以字母“A1”及“A2”標示,相當於物業登記局B4M冊第22頁第22183號標示編號的剩餘部份,其批給所衍生的權利以乙方名義登錄於F35冊第72頁第26869號的土地地塊以租賃制度合併及共同利用,組成一幅總面積668(陸佰陸拾捌)平方米的單一地段,以下簡稱土地,其批給轉由本合同的條款規範。
3. 一幅面積377(叁佰柒拾柒)平方米,為第1點第3)項所述土地的組成部份,標示於物業登記局B31冊第102頁第11662號,並在地圖繪製暨地籍局於二零一五年九月四日發出的第432/1989號地籍圖中以字母“B2”定界及標示,按照將取得同意的條件於未來重新利用的地塊。
第二條款——租賃期間
1. 租賃的期間續期十年至二零三零年十二月三十一日。
2. 上款所訂定的租賃期間可按照適用法例連續續期。
第三條款——土地的重新利用及用途
1. 在地圖繪製暨地籍局於二零一五年九月四日發出的第432/1989號地籍圖中以字母“A1”、“A2”、“B1”、“B3”及“D”定界及標示,總面積668(陸佰陸拾捌)平方米的土地地塊重新利用作興建一幢屬分層所有權制度,樓高21(貳拾壹)層,其中1(壹)層為地庫的樓宇,其用途分配如下:
1)住宅: 建築面積6,700平方米;
2)商業: 建築面積653平方米;
3)停車場: 建築面積1,699平方米;
4)社會設施: 建築面積300平方米。
2. 有關在上述地籍圖中以字母“A2”、“B3”及“D”定界及標示,面積分別為58(伍拾捌)、21(貳拾壹)及1(壹)平方米的地塊,在地面層(拱廊下的地面)設為公共行人道,並賦予公共地役權,以供人貨自由通行,同時不能設置任何限制,亦不得作任何形式的臨時或永久性佔用。
3. 上款所述的地塊下面還賦予公共地役權至1.5米深,以便在該處設置供水、電和通訊等共同使用的基礎設施,但被拱廊支柱地基佔用的空間除外。
4. 第1款所述面積可在申請工程檢驗時作修改,以便發出使用准照。
5. 乙方須遵守土地所在地區內生效的城市規劃的規定。
第四條款——租金
1. 乙方每年繳付租金如下:
1)在土地重新利用的期間,每平方米批出土地的租金為$16.00(澳門幣拾陸元整),總金額為$10,688.00(澳門幣壹萬零陸佰捌拾捌元整);
2)在土地重新利用完成後,改為繳付:
(1)住宅:建築面積每平方米$8.00(澳門幣捌元整);
(2)商業:建築面積每平方米$16.00(澳門幣拾陸元整);
(3)停車場:建築面積每平方米$8.00(澳門幣捌元整)。
2. 租金可每五年調整一次,由作為本修改批給憑證的批示在《澳門特別行政區公報》公佈之日起計,但不妨礙在合同生效期間所公佈法例之新訂租金的即時實施。
第五條款——重新利用的期間
1. 土地重新利用的總期間為42(肆拾貳)個月,由作為本批給憑證的批示在《澳門特別行政區公報》公佈之日起計。
2. 上款所述的期間包括乙方遞交准照申請及甲方發出有關准照的時間。
3. 乙方應遵守以下期間:
1)由發出工程准照之日起計30(叁拾)日內開始工程;
2)完成工程的期間為工程准照所載者。
4. 如基於不可歸責於乙方且甲方認為充分的理由,則應乙方的申請,甲方可批准中止或延長本條款所指的任一期間。
5. 上款所述的申請須於相關期間屆滿前提出。
第六條款——特別負擔
由乙方獨力承擔的特別負擔為:
1. 騰空在地圖繪製暨地籍局於二零一五年九月四日發出的第432/1989號地籍圖中以字母“A1”、“A2”、“B1”、“B3”及“D”定界及標示的土地,並移走其上倘有的全部建築物、物料及基礎設施;
2. 由作為本修改批給憑證的批示在《澳門特別行政區公報》公佈之日起計180(壹佰捌拾)日內,乙方騰空在地圖繪製暨地籍局於二零一五年九月四日發出的第432/1989號地籍圖中以字母“C1”、“C2”、“C3”及“C4”定界及標示的土地,並移走其上倘有的全部建築物、基礎設施及物料,以及將無帶任何責任或負擔的有關土地移交甲方。
3. 乙方負責為在以字母“C1”、“C2”、“C3”、“C4”及“E”標示的地塊的公共道路編製計劃並執行興建工程。
4. 由乙方遞交上述已計劃的公共道路的建築工程計劃並由甲方核准該等計劃,且甲方承諾提供執行該等計劃所需的一切資料。
5. 由發出使用准照之日起計30(叁拾)日內,乙方須向甲方移交一個無帶任何責任及負擔,面積300(叁佰)平方米的社會設施獨立單位以及兩個作汽車停車位用途的獨立單位(兩個停車位),並須為移轉該等單位及停車位進行一切所需的法律行為,包括在有關的登記局進行登記及在財稅廳作房地產登錄。
6. 對本條款第3及4點所述的基礎設施及社會設施,乙方保證優質施工和使用質量良好的材料,並負責維修及更正該等工程由臨時接收之日起計兩年內所出現的一切瑕疵。
第七條款——罰款
1. 基於乙方不遵守第五條款所訂的任一期間,每逾期一日,處以相當於溢價金0.1%(百分之零點壹)的罰款,並以150(壹佰伍拾)日為限。
2. 基於不可歸責於乙方且為甲方認為充分的理由而批准中止或延長重新利用期間者,則免除乙方承擔上款所指的責任。
第八條款——合同溢價金
乙方須向甲方繳付總金額為$57,495,480.00(澳門幣伍仟柒佰肆拾玖萬伍仟肆佰捌拾元整)的合同溢價金,繳付方式如下:
1)$3,387,000.00(澳門幣叁佰叁拾捌萬柒仟元整),透過交付第六條款第4款所述的作社會設施用途的獨立單位以及兩個作汽車停車位用途的獨立單位,以實物支付;
2)$20,000,000.00(澳門幣貳仟萬元整),當乙方按照第10/2013號法律第一百二十五條的規定,接受本合同的條件時;
3)餘款$34,108,480.00(澳門幣叁仟肆佰壹拾萬捌仟肆佰捌拾元整),連同年利率5%(百分之五)的利息分3(叁)期繳付,以半年為一期,每期金額相等,即本金連利息合共$11,942,647.00(澳門幣壹仟壹佰玖拾肆萬貳仟陸佰肆拾柒元整)。第一期須於作為本批給憑證的批示在《澳門特別行政區公報》公佈後6(陸)個月內繳付。
第九條款——土地上的剩餘物料
1. 未得甲方事先書面批准,乙方不得從土地上移走任何來自挖掘地基及平整土地的物料,例如泥、石、碎石和砂。
2. 不能用於土地以及無任何其他用途的物料,僅甲方批准後方可移走。
3. 經甲方批准移走的物料,應存放於甲方指定的地點。
4. 乙方違反本條款的規定,須受下列罰則處分,且不妨礙其須繳付由土地工務運輸局的鑑定人員按實際移走物料所訂定的賠償:
1)首次違反:澳門幣$20,000.00元至$50,000.00元;
2)第二次違反:澳門幣$50,001.00元至$100,000.00元;
3)第三次違反:澳門幣$100,001.00元至$200,000.00元;
4)違反四次或以上,甲方有權解除合同。
第十條款——保證金
1. 根據第10/2013號法律第一百二十六條的規定,乙方須透過存款或甲方接受的銀行擔保提供保證金$10,688.00(澳門幣壹萬零陸佰捌拾捌元整)。
2. 上款所指的保證金金額應按每年有關租金的數值調整。
3. 第1款所述的保證金在遞交土地工務運輸局發出的使用准照後,應乙方要求,由財政局退還。
第十一條款——特別稅捐
當乙方按照第10/2013號法律第一百二十五條的規定交回接受本合同條件的聲明書時,須根據八月二日第219/93/M號訓令的規定,就標示於物業登記局第22183及11662號的土地的批給由二零二零年十二月三十一日起續期10(壹拾)年,繳付特別稅捐,金額為$776,400.00(澳門幣柒拾柒萬陸仟肆佰元整)。
第十二條款——移轉
1. 倘土地未被完全重新利用而將本批給所衍生的狀況移轉,須事先獲得甲方的許可,否則將導致該項移轉無效及不產生任何效力,且不影響第十六條款之規定。
2. 為適用上款的規定,下列情況亦視為移轉本批給所衍生的狀況:
1)一次或多次累計移轉乙方或其控權股東公司資本超過50%(百分之五十);
2)按《民法典》第二百五十八條第三款的規定,設定未經利害關係人同意不可廢止的授權書或複授權書,且該等授權書賦予受權人對批給所衍生狀況的處分權或在程序中作出所有行為。
3. 在不影響上款的規定下,如乙方移轉其或其控權股東資本公司資本超過10%(百分之十),須在有關移轉事實發生後30(叁拾)日內將之通知土地工務運輸局,否則於首次違反時,處以相當於溢價金1%(百分之一)的罰款,而屬第二次違反者則解除批給。
4. 受移轉人須受本合同修改後的條件約束,尤其有關重新利用的期間及附加溢價金方面。
5. 在未完成重新利用前,按照第10/2013號法律第四十二條第五款的規定,乙方僅可將批給所衍生的權利向依法獲許可在澳門特別行政區經營的信貸機構作意定抵押。
6. 違反上款的規定而作出的抵押均屬無效。
第十三條款——工程及使用准照
1. 工程准照僅在乙方遞交已按照本合同第八條款的規定繳付已到期溢價金的證明後,方予發出。
2. 使用准照僅在遞交已全數繳付第八條款訂定的溢價金的證明及清繳倘有的罰款,且已遵守第六條款第3款的義務後,方予發出。
第十四條款——監督
在批出土地的重新利用期間,乙方必須准許行政當局有關部門執行監督工作的代表進入土地及施工範圍,並向代表提供一切所需的協助,使其有效地執行任務。
第十五條款——失效
1. 本批給在下列情況下失效:
1)第七條款第1款規定的150(壹佰伍拾)日期間屆滿後仍未完成重新利用,且不論之前曾否被科處罰款;
2)連續或間斷中止重新利用土地超過90(玖拾)日,但有不可歸責於乙方且甲方認為充分的理由除外。
2. 批給的失效由行政長官以批示宣告,並在《澳門特別行政區公報》公佈。
3. 批給的失效導致已繳付的溢價金以及以任何方式在土地上作出的一切改善物歸甲方所有,乙方無權獲得任何賠償或補償,且不影響甲方有權徵收所欠繳的到期溢價金、租金或倘有的罰款。
第十六條款——解除
1. 倘發生下列任一事實,本批給可被解除:
1)未經同意而更改土地的重新利用或修改批給用途;
2)不履行第六條款及第八條款訂定的義務;
3)違反第十二條款第1款的規定,未經預先許可將批給所衍生的狀況移轉;
4)第二次違反第十二條款第3款的規定;
5)土地的使用偏離批給目的,或該等目的從未實現;
6)當城市規劃變動後而無法開始或繼續對土地進行重新利用,且出現第10/2013號法律第一百四十條第二款所指的任一情況;
7)轉租賃。
2. 批給的解除由行政長官以批示宣告,並在《澳門特別行政區公報》公佈。
3. 批給被解除後,導致已繳付的溢價金及以任何方式在土地上作出的一切改善物歸甲方所有,乙方無權獲得任何賠償或補償,但屬因城市規劃的變動而出現第10/2013號法律第一百四十條第五款和第六款的情況除外。
第十七條款——有權限法院
澳門特別行政區法院為有權解決由本合同所產生任何爭訟的法院。
第十八條款——適用法例
如有遺漏,本合同以第10/2013號法律和其他適用法例規範。
———
二零一七年九月二十一日於運輸工務司司長辦公室
辦公室主任 張翠玲









