澳 門 特 別 行 政 區
運輸工務司司長辦公室
| 
 | 
 | |||||||||||
| 相關法規 : | |||
| 相關類別 : | |||
| 《LegisMac》的法例註釋 | |||
第39/2019號運輸工務司司長批示
運輸工務司司長行使《澳門特別行政區基本法》第六十四條賦予的職權,並根據第10/2013號法律《土地法》第一百三十九條的規定,作出本批示。
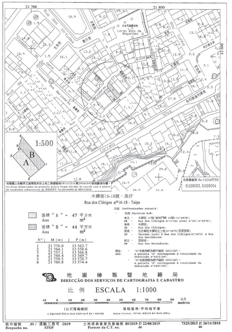
一、根據本批示組成部分的附件合同所載規定及條件,修改一幅以長期租借制度批出,面積91平方米,在拆卸建於氹仔島,木鐸街16及18號,標示於物業登記局B21冊第192頁第4852號和B21冊第197頁第4862號,面積分別為47及44平方米的土地上的建築物後合併而成的土地的批給,以興建一幢樓高4層,屬單一所有權制度,作商業用途的樓宇。
二、本批示即時生效。
二零一九年十月十七日
運輸工務司司長 羅立文
———
附件
(土地工務運輸局第6522.01號案卷及土地委員會第30/2019號案卷)
合同協議方:
- 甲方——澳門特別行政區;及
- 乙方——金德隆有限公司。
鑒於:
一、金德隆有限公司,依法在香港特別行政區設立和登記,登記編號為65326491-000-10-18-2,通訊處位於澳門宋玉生廣場411至417號,皇朝廣場十五字樓D至H室,根據以其名義作出的第309096G號及第309097G號登錄,該公司為兩幅以長期租借制度批出,位於氹仔島,其上曾建有木鐸街16及18號樓宇,面積分別為47及44平方米,分別標示於物業登記局B21冊第192頁第4852號和B21冊第197頁第4862號的土地的利用權的持有人。
二、兩幅土地的田底權以國家的名義分別登錄於F1冊第92頁背頁第295號及FK1冊第94頁背頁第305號。
三、合同標的土地的總面積為91平方米,在地圖繪製暨地籍局於二零一八年十一月二十六日發出的第7325/2015號地籍圖中以字母“A”及“B”定界及標示。
四、承批公司擬合併上述土地,以共同重新利用興建一幢屬單一所有權制度,樓高4層,其中一層為地庫,作商業用途的樓宇,因此於二零一八年十月二十二日向土地工務運輸局遞交了一份修改建築計劃。根據該局城市建設廳廳長於二零一九年一月八日作出的批示,該計劃被視為可予核准,但須遵守某些技術要件。
五、為此,於二零一九年三月八日,承批公司根據第10/2013號法律《土地法》第一百三十九條的規定,請求批准按照上述計劃,更改土地的利用及隨後修改批給合同。
六、在集齊組成案卷所需的文件後,土地工務運輸局計算了應得的回報,並制定修改批給的合同擬本。案卷已送交土地委員會。該委員會於二零一九年八月二十二日舉行會議,同意批准有關申請。
七、根據行政長官於二零一九年九月二日在運輸工務司司長的二零一九年八月二十六日意見書上所作的批示,已按照土地委員會意見書上的建議,批准有關修改批給的申請。
八、已將以本批示作為憑證的合同條件通知承批公司,該公司透過於二零一九年九月二十七日遞交由João Carlos de Jesus Afonso,男性,已婚,職業住所位於澳門友誼大馬路918號,世界貿易中心14字樓A及B室,以金德隆有限公司法定代表的身份簽署的聲明書,明確表示接納有關條件。根據載於該聲明書上的確認,其身分及權力已經私人公證員高日昊核實。
九、承批公司已繳付以本批示作為憑證的合同第三條款第一款所訂定的經調整的利用權價金和第七條款第一款規定的溢價金。
第一條款——合同標的
1. 本合同標的為修改兩幅以長期租借制度批出,面積分別為47(肆拾柒)平方米及44(肆拾肆)平方米,位於氹仔島,其上建有木鐸街16及18號樓宇,在地圖繪製暨地籍局於二零一八年十一月二十六日發出的第7325/2015號地籍圖中以字母“A”及“B”定界及標示,並標示於物業登記局B21冊第192頁第4852號及B21冊第197頁第4862號,其利用權以乙方名義登錄於第309096G號及第309097G號,當拆卸該等土地上現存之樓宇後以合併並組成一幅面積91(玖拾壹)平方米的地段的土地批給。
2. 鑒於是次修改,上款所述土地,以下簡稱為土地,其批給轉由本合同的條款規範。
第二條款——土地的重新利用及用途
1. 土地重新利用作興建一幢屬單一所有權制度,樓高4(肆)層,其中1(壹)層為地庫的樓宇,建築面積為328(叁佰貳拾捌)平方米的商業用途樓宇。
2. 上款所述面積在申請工程檢驗時可作修改,以便發出使用准照。
3. 乙方須遵守土地所在地區內生效的城市規劃的規定。
第三條款——利用權價金及地租
1. 土地的利用權價金調整為$49,200.00(澳門元肆萬玖仟貳佰元整)。
2. 當乙方按照第10/2013號法律第一百二十五條的規定接受本合同條件時,須一次性全數繳付上款訂定的經調整後的利用權價金。
3. 每年繳付的地租調整為$123.00(澳門元壹佰貳拾叁元整)。
4. 不準時繳付地租,將按照稅務執行程序的規定進行強制徵收。
第四條款——重新利用的期間
1. 土地重新利用的總期間為36(叁拾陸)個月,由作為本修改批給憑證的批示在《澳門特別行政區公報》公佈之日起計。
2. 上款所述的期間包括乙方遞交工程計劃、甲方審議該計劃及發出有關准照的時間。
3. 乙方應遵守以下期間:
1)由第1款所指的批示公佈之日起計180(壹佰捌拾)日內,編製和遞交工程計劃(地基、結構、供水、排水、供電和其他專業計劃);
2)由通知工程計劃獲核准之日起計60(陸拾)日內,遞交發出工程准照的申請書;
3)由發出工程准照之日起計15(拾伍)日內,遞交動工申請書。
4. 為適用上款的規定,計劃須完整及適當備齊所有資料,方視為確實完成遞交。
5. 如基於不可歸責於乙方且甲方認為充分的理由,則應乙方的申請,甲方可批准中止或延長本條款所指的任一期間。
6. 上款所指的申請須於相關期間屆滿前提出。
第五條款——特別負擔
由乙方獨力承擔的特別負擔為騰空在地圖繪製暨地籍局於二零一八年十一月二十六日發出的第7325/2015號地籍圖中以字母“A”及“B”定界及標示的土地,並移走其上倘有的全部建築物、物料及基礎設施。
第六條款——罰款
1. 基於乙方不遵守第四條款所訂的任一期間,每逾期一日,處以相當於溢價金0.1%(百分之零點一)的罰款,並以150(壹佰伍拾)日為限。
2. 基於不可歸責於乙方且為甲方認為充分的理由而批准中止或延長重新利用期間者,則免除乙方承擔上款所指的責任。
第七條款——合同溢價金
基於本次批給合同修改,乙方須向甲方繳付總金額為$6,055,557.00(澳門元陸佰零伍萬伍仟伍佰伍拾柒元整)的合同溢價金,繳付方式如下:
1)$2,100,000.00(澳門元貳佰壹拾萬元整),當乙方按照第10/2013號法律第一百二十五條的規定接受本合同條件時繳付;
2)餘款$3,955,557.00(澳門元叁佰玖拾伍萬伍仟伍佰伍拾柒元整),連同年利率5%(百分之五)的利息分5(伍)期繳付,以半年為一期,每期金額相等,即本金連利息合共$851,421.00(澳門元捌拾伍萬壹仟肆佰貳拾壹元整)。第一期須於作為本修改批給憑證的批示在《澳門特別行政區公報》公佈後6(陸)個月內繳付。
第八條款——移轉
1. 倘土地未被完全重新利用而將本批給所衍生的狀況移轉,須事先獲得甲方的許可,否則將導致該項移轉無效及不產生任何效力,且不影響第十二條款之規定。
2. 為適用上款的規定,下列情況亦視為移轉本批給所衍生的狀況:
1)一次或多次累計移轉乙方或其控權股東公司資本超過50%(百分之五十);
2)按《民法典》第二百五十八條第三款的規定,設定未經利害關係人同意不可廢止的授權書或複授權書,且該等授權書賦予受權人對批給所衍生狀況的處分權或在程序中作出所有行為。
3. 在不影響上款的規定下,如乙方移轉其或其控權股東公司資本超過10%(百分之十),須在有關移轉事實發生後30(叁拾)日內將之通知土地工務運輸局,否則於首次違反時,處以相當於溢價金1%(百分之一)的罰款,而屬第二次違反者則收回土地。
4. 受移轉人須受本合同修改後的條件約束,尤其有關重新利用的期間及附加溢價金的支付方面。
5. 在完成重新利用前,按照第10/2013號法律第四十二條第五款的規定,乙方僅可將批給所衍生的權利向依法獲許可在澳門特別行政區經營的信貸機構作意定抵押。
6. 違反上款的規定而作出的抵押均屬無效。
第九條款——工程及使用准照
1. 工程准照僅在乙方遞交已按照本合同第七條款的規定繳付已到期溢價金的證明後,方予發出。
2. 使用准照僅在遞交已全數繳付第七條款訂定的溢價金的證明,以及清繳倘有的罰款後,方予發出。
第十條款——監督
在批出土地的重新利用期間,乙方必須准許行政當局有關部門執行監督工作的代表進入土地及施工範圍,並向代表提供一切所需的協助,使其有效地執行任務。
第十一條款——失效
1. 本批給在下列情況下失效:
1)第六條款第1款規定的150(壹佰伍拾)日期間屆滿後仍未完成重新利用,且不論之前曾否被科處罰款;
2)連續或間斷中止重新利用土地超過90(玖拾)日,但有不可歸責於乙方且甲方認為充分的理由除外。
2. 批給的失效由行政長官以批示宣告,並在《澳門特別行政區公報》公佈。
3. 批給的失效導致已繳付的溢價金及以任何方式已在土地上作出的一切改善物歸甲方所有,乙方無權獲得任何賠償或補償,且不影響甲方有權徵收所欠繳的地租或倘有的罰款。
4. 在不影響上款的規定下,如宣告本批給失效,乙方佔有土地而不加重新利用的年數乘以有關利用權價金的二十分之一的款項歸甲方所有,而該價金的餘額退還予乙方。
第十二條款——土地的收回
1. 倘發生下列任一事實時,甲方可宣告收回土地:
1)未經批准而修改批給用途或更改土地的重新利用;
2)不履行第五條款及第七條款訂定的義務;
3)違反第八條款第1款的規定,未經預先許可將批給所衍生的狀況移轉;
4)第二次違反第八條款第3款的規定;
5)土地的使用偏離批給目的,或該等目的從未實現;
6)當城市規劃變動後而無法開始或繼續對土地進行重新利用,且出現第10/2013號法律第一百四十條第二款所指的任一情況;
7)將長期租借轉租。
2. 土地的收回由行政長官以批示宣告,並在《澳門特別行政區公報》公佈。
3. 土地收回的宣告將產生以下效力:
1)土地的利用權消滅;
2)已繳付的溢價金、利用權價金及以任何方式已在土地上作出的一切改善物歸甲方所有,承批人有權收取由甲方訂定的賠償。
4. 本條款規定的土地的收回,不影響甲方有權徵收所欠繳的到期溢價金、地租及倘有的罰款。
5. 如基於本條款第1款6)項的規定收回土地,則乙方有權獲得第10/2013號法律第一百四十條第五款和第六款規定的賠償。
第十三條款——有權限法院
澳門特別行政區法院為有權解決由本合同所產生的任何爭訟的法院。
第十四條款——適用法例
如有遺漏,本合同以第10/2013號法律和其他適用法例規範。
| 
 | 
 | |||||||||||
| 相關法規 : | |||
| 相關類別 : | |||
| 相關組織 : | |||
| 《LegisMac》的法例註釋 | |||
第40/2019號運輸工務司司長批示
運輸工務司司長行使《澳門特別行政區基本法》第六十四條賦予的職權,並根據第10/2013號法律《土地法》第一百三十九條的規定,作出本批示。
一、根據本批示組成部分的附件合同所載的規定及條件,修改一幅以長期租借制度批出,總面積115平方米,位於澳門半島,其上曾建有通商新街37及39號都市樓宇,分別標示於物業登記局B9冊第53頁背頁第1593號及B9冊第54頁背頁第1594號,以其名義登錄於第26617F號的土地的批給,以興建一幢樓高七層,屬分層所有權制度,作住宅及商業用途的樓宇。
二、本批示即時生效。
二零一九年十月十七日
運輸工務司司長 羅立文
———
附件
(土地工務運輸局第2835.01號案卷及土地委員會第22/2019號案卷)
合同協議方:
- 甲方——澳門特別行政區;及
- 乙方——同善堂。
鑒於:
一、同善堂,總辦事處設於澳門庇山耶街55號,登記於身份證明局第307號,為行政公益法人,根據以其名義作出的第26617F號登錄,為兩幅以長期租借制度批出,位於澳門半島,其上曾建有通商新街37及39號都市樓宇,面積為59平方米及56平方米,分別標示於物業登記局B9冊第53頁背頁第1593號及B9冊第54頁背頁第1594號的土地的利用權的持有人。
二、該兩幅土地的田底權以國家的名義登錄於F31K冊第359頁第7324號。
三、合同標的土地的總面積為115平方米,在地圖繪製暨地籍局於二零一八年三月二十三日發出的第5895/2000號地籍圖中以字母“A”及“B”定界及標示。
四、承批人擬合併該等土地,以共同重新利用興建一幢樓高七層,屬分層所有權制度,作住宅及商業用途的樓宇,故分別於二零一七年六月九日及二零一八年七月九日向土地工務運輸局遞交了建築計劃及修改建築計劃。根據該局城市建設廳廳長於二零一八年一月二十九日及二零一九年二月八日作出的批示,該等計劃被視為可予核准,但須遵守某些技術要件。
五、為此,承批人於二零一八年五月二十八日根據第10/2013號法律《土地法》第一百三十九條的規定,請求批准按照上述計劃,更改土地的利用及修改批給合同。
六、在集齊組成案卷所需的文件後,土地工務運輸局計算了應得的回報,並制訂修改批給的合同擬本。案卷已送交土地委員會。該委員會於二零一九年六月十三日舉行會議,同意批准有關申請。
七、根據行政長官於二零一九年六月二十四日在運輸工務司司長的二零一九年六月十九日意見書上所作的批示,已按照土地委員會意見書上的建議,批准有關修改批給的申請。
八、已將由本批示作為憑證的合同條件通知承批人。該承批人透過於二零一九年七月二十六日遞交由崔世昌,男性,已婚,居於庇山耶街55號,以主席身份代表同善堂簽署的聲明書,明確表示接納有關條件。根據載於該聲明書上的確認,其身份及權力已經第二公證署核實。
九、承批人已繳付由本批示作為憑證的合同第三條款第一款所訂定的經調整的利用權價金及第七條款規定的溢價金。
第一條款――合同標的
1. 本合同標的為修改兩幅以長期租借制度批出,面積分別為59(伍拾玖)平方米及56(伍拾陸)平方米,位於澳門半島,其上曾建有通商新街37及39號樓宇,在地圖繪製暨地籍局於二零一八年三月二十三日發出的第5895/2000號地籍圖中以字母“B”及“A”定界及標示,並標示於物業登記局B9冊第53頁背頁第1593號及B9冊第54頁背頁第1594號,其利用權以乙方名義登錄於第26617F號的土地的批給,以合併並組成一幅面積115(壹佰壹拾伍)平方米的地段。
2. 鑒於是次修改,上款所述地段,以下簡稱為土地,其批給轉由本合同的條款規範。
第二條款――土地的重新利用及用途
1. 土地重新利用作興建一幢屬分層所有權制度,樓高7(柒)層的樓宇,其用途分配如下:
1)住宅: 建築面積713平方米;
2)商業: 建築面積94平方米。
2. 上款所述面積可在申請工程檢驗時作修改,以便發出使用准照。
3. 乙方須遵守土地所在地區內生效的城市規劃的規定。
第三條款――利用權價金及地租
1. 土地的利用權價金調整為$51,240.00(澳門元伍萬壹仟貳佰肆拾元整)。
2. 當乙方按照第10/2013號法律第一百二十五條的規定接受本合同條件時,須一次性全數繳付上款訂定的經調整後的利用權價金。
3. 每年繳付的地租調整為$128.00(澳門元壹佰貳拾捌元整)。
4. 不準時繳付地租,將按照稅務執行程序的規定進行強制徵收。
第四條款――重新利用的期間
1. 土地重新利用的總期間為42(肆拾貳)個月,由作為本修改批給憑證的批示在《澳門特別行政區公報》公佈之日起計。
2. 上款所述的期間包括乙方遞交工程計劃、甲方審議該計劃及發出有關准照的時間。
3. 乙方應遵守以下期間:
1)由第1款所指的批示公佈之日起計120(壹佰貳拾)日內,編製和遞交工程計劃(地基、結構、供水、排水、供電和其他專業計劃);
2)由通知工程計劃獲核准之日起計60(陸拾)日內,遞交發出工程准照的申請書;
3)由發出工程准照之日起計15(拾伍)日內,遞交動工申請書。
4. 為適用上款的規定,計劃須完整及適當備齊所有資料,方視為確實完成遞交。
5. 如基於不可歸責於乙方且甲方認為充分的理由,則應乙方的申請,甲方可批准中止或延長本條款所指的任一期間。
6. 上款所指的申請須於相關期間屆滿前提出。
第五條款――特別負擔
由乙方獨力承擔的特別負擔為騰空在地圖繪製暨地籍局於二零一八年三月二十三日發出的第5895/2000號地籍圖中以字母“A”及“B”定界及標示的土地,並移走其上倘有的全部建築物、物料及基礎設施。
第六條款――罰款
1. 基於乙方不遵守第四條款所訂的任一期間,每逾期一日,處以相當於溢價金0.1%(百分之零點一)的罰款,並以150(壹佰伍拾)日為限。
2. 基於不可歸責於乙方且為甲方認為充分的理由而批准中止或延長重新利用期間者,則免除乙方承擔上款所指的責任。
第七條款――合同溢價金
基於本次批給合同修改,當乙方按照第10/2013號法律第一百二十五條的規定接受本合同的條件時,須向甲方一次性全數繳付金額為$5,345,152.00(澳門元伍佰叁拾肆萬伍仟壹佰伍拾貳元整)的合同溢價金。
第八條款――移轉
1. 倘土地未被完全重新利用而將本批給所衍生的狀況移轉,須事先獲得甲方的許可,否則將導致該項移轉無效及不產生任何效力,且不影響第十二條款之規定。
2. 為適用上款的規定,按《民法典》第二百五十八條第三款的規定,設定未經利害關係人同意不可廢止的授權書或複授權書,且該等授權書賦予受權人對批給所衍生狀況的處分權或在程序中作出所有行為時,亦視為移轉本批給所衍生的狀況。
3. 受移轉人須受本合同修改後的條件約束,尤其有關重新利用的期間及附加溢價金的支付方面。
4. 在完成重新利用前,按照第10/2013號法律第四十二條第五款的規定,乙方僅可將批給所衍生的權利向依法獲許可在澳門特別行政區經營的信貸機構作意定抵押。
5. 違反上款的規定而作出的抵押均屬無效。
第九條款――使用准照
使用准照僅在清繳倘有的罰款後,方予發出。
第十條款――監督
在批出土地的重新利用期間,乙方必須准許行政當局有關部門執行監督工作的代表進入土地及施工範圍,並向代表提供一切所需的協助,使其有效地執行任務。
第十一條款――失效
1. 本批給在下列情況下失效:
1)第六條款第1款規定的150(壹佰伍拾)日期間屆滿後仍未完成重新利用,且不論之前曾否被科處罰款;
2)連續或間斷中止重新利用土地超過90(玖拾)日,但有不可歸責於乙方且甲方認為充分的理由除外。
2. 批給的失效由行政長官以批示宣告,並在《澳門特別行政區公報》公佈。
3. 批給的失效導致已繳付的溢價金及以任何方式已在土地上作出的一切改善物歸甲方所有,乙方無權獲得任何賠償或補償,且不影響甲方有權徵收所欠繳的地租或倘有的罰款。
4. 在不影響上款的規定下,如宣告本批給失效,乙方佔有土地而不加重新利用的年數乘以有關利用權價金的二十分之一的款項歸甲方所有,而該價金的餘額退還予乙方。
第十二條款――土地的收回
1. 倘發生下列任一事實時,甲方可宣告收回土地:
1)未經批准而修改批給用途或更改土地的重新利用;
2)不履行第五條款訂定的義務;
3)違反第八條款第1款的規定,未經預先許可將批給所衍生的狀況移轉;
4)土地的使用偏離批給目的,或該等目的從未實現;
5)當城市規劃變動後而無法開始或繼續對土地進行重新利用,且出現第10/2013號法律第一百四十條第二款所指的任一情況;
6)將長期租借轉租。
2. 土地的收回由行政長官以批示宣告,並在《澳門特別行政區公報》公佈。
3. 土地收回的宣告將產生以下效力:
1)土地的利用權消滅;
2)已繳付的溢價金、利用權價金及以任何方式已在土地上作出的一切改善物歸甲方所有,承批人有權收取由甲方訂定的賠償。
4. 本條款規定的土地的收回,不影響甲方有權徵收所欠繳的地租及倘有的罰款。
5. 如基於本條款第1款5)項的規定收回土地,則乙方有權獲得第10/2013號法律第一百四十條第五款和第六款規定的賠償。
第十三條款――有權限法院
澳門特別行政區法院為有權解決由本合同所產生的任何爭訟的法院。
第十四條款――適用法例
如有遺漏,本合同以第10/2013號法律和其他適用法例規範。
| 
 | 
 | |||||||||||
| 相關法規 : | |||
| 相關類別 : | |||
| 相關組織 : | |||
| 《LegisMac》的法例註釋 | |||
第41/2019號運輸工務司司長批示
運輸工務司司長行使《澳門特別行政區基本法》第六十四條賦予的職權及根據第10/2013號法律《土地法》第二百一十七條的規定,作出本批示。
一、根據本批示組成部分的附件合同所載規定及條件,將一幅以長期租借制度批出,面積512平方米,位於澳門半島,其上建有約翰四世大馬路50至56號及殷皇子大馬路33至37號都市樓宇,標示於物業登記局第19693號的土地的無償批給轉換為有償批給。
二、本批示即時生效。
二零一九年十月十七日
運輸工務司司長 羅立文
———
附件
(土地工務運輸局第2290.02號案卷及土地委員會第23/2018號案卷)
合同協議方:
- 甲方——澳門特別行政區;及
- 乙方——澳門仁慈堂慈善會或澳門仁慈堂。
鑒於:
一、澳門仁慈堂慈善會或澳門仁慈堂,總址設於澳門仁慈堂右巷7號,登記於身份證明局第484號,為行政公益法人,根據以其名義在F7冊第103頁背頁第6551號作出的登錄,為一幅登記面積為506.56平方米,經重新量度後修正為512平方米,位於澳門半島,其上建有約翰四世大馬路50至56號及殷皇子大馬路33至37號都市樓宇,標示於物業登記局B41冊第146頁背頁第19693號的土地的利用權的持有人。
二、有關土地的田底權以國家名義登錄於F7冊第103頁背頁第6550號。
三、該土地經一九五七年九月七日第6:041號訓令以無償方式批出,而有關批給是以一九五七年十一月十四日的第41/1957號執照作為憑證。
四、土地用作興建一幢13層高,作住宅及商業用途的樓宇。
五、承批人於二零一五年二月三日,請求根據第10/2013號法律《土地法》第二百一十七條的規定,批准將土地的批給由無償轉換為有償。對於過去作出的無償批給,根據該規定,承批人可於有關法律生效後一年內行使將無償批給轉換為有償批給的權利。
六、在集齊組成案卷所需的文件後,土地工務運輸局計算了應得的回報並制定將無償批給轉換為有償批給的合同擬本。
七、合同標的土地的面積經修正後為512平方米,在地圖繪製暨地籍局於二零一八年一月十二日發出的第4258/1992號地籍圖中定界及標示。
八、案卷按一般程序送交土地委員會。該委員會於二零一八年九月六日舉行會議,同意批准有關申請。
九、根據行政長官於二零一九年七月三十日在運輸工務司司長的二零一九年七月十九日意見書上所作的批示,已按照土地委員會意見書上的建議,批准將土地的批給由無償轉換為有償的申請。
十、已將由本批示作為憑證的合同條件通知承批人,承批人透過於二零一九年八月十三日遞交由飛安達,已婚,住所位於氹仔島七潭公路1441號A海洋花園慧苑5樓A,以主席身份代表澳門仁慈堂慈善會或澳門仁慈堂簽署的聲明書,明確表示接納有關條件。根據載於聲明書上的確認,其作出有關行為的身份和權力已經私人公證員歐安利核實。
十一、承批人已繳付由本批示作為憑證的合同第三條款第1款訂定的利用權價金。
第一條款——合同標的
本合同標的為將一幅根據公佈於一九五七年九月七日第三十六期《澳門政府公報》的第6:041號訓令訂定的一九五七年十一月十四日第41/1957號批給執照作為批給憑證,後經公佈於一九六二年九月二十二日第三十八期《澳門政府公報》的第7:060號訓令修改的以長期租借制度及無償方式批出予乙方,登記面積為506.56(伍佰零陸點伍陸)平方米,經重新量度後修正為512(伍佰壹拾貳)平方米,位於澳門約翰四世大馬路50至56號及殷皇子大馬路33至37號,其上建有名為莉娜大廈之樓宇,在地圖繪製暨地籍局於二零一八年一月十二日發出的第4258/1992號地籍圖中定界及標示,並標示在物業登記局B41冊第146頁背頁第19693號及其利用權以乙方名義登錄於第6551號的土地轉換為以有償方式批出。
第二條款——土地的利用及用途
1. 土地用作保留一幢樓高13(拾叁)層的樓宇,其用途分配如下:
1)住宅: 建築面積3,576平方米;
2)商業: 建築面積416平方米。
2. 如屬土地重新利用的情況,應根據第16/2004號行政法規第三條款第四款(一)項的規定計算將要繳交的溢價金。
第三條款——利用權價金及地租
1. 土地的利用權價金為$420,000.00(澳門元肆拾貳萬元整)。
2. 當乙方按照第10/2013號法律第一百二十五條的規定接受本合同條件時,須一次性全數繳付上款訂定的利用權價金。
3. 每年繳付的地租為$1,050.00(澳門元壹仟零伍拾元整)。
4. 不準時繳付地租,將按照稅務執行程序的規定進行強制徵收。
第四條款——部份或全部移轉
1. 將本批給所衍生的狀況部份或全部移轉須事先獲得甲方的許可,否則將導致該項移轉無效及不產生任何效力,且不影響第五條款之規定。
2. 受移轉人因移轉而須向甲方一次性全數繳付金額為$143,335,669.00(澳門元壹億肆仟叁佰叁拾叁萬伍仟陸佰陸拾玖元整)的合同溢價金。
第五條款——土地的收回
1. 倘發生下列任一事實時,甲方可宣告收回土地:
1)未經批准而更改批給用途或修改土地的利用;
2)不履行第四條款訂定的義務;
3)土地的使用偏離批給目的;
4)將長期租借轉租。
2. 土地的收回由行政長官以批示宣告,並在《澳門特別行政區公報》公佈。
3. 土地收回的宣告將產生以下效力:
1)土地的利用權消滅;
2)已繳付的溢價金、利用權價金及以任何方式已在土地上作出的一切改善物歸甲方所有,乙方有權收取由甲方訂定的賠償。
4. 本條款規定的土地的收回,不影響甲方有權徵收所欠繳的地租或倘有的罰款。
第六條款——有權限法院
澳門特別行政區法院為有權解決由本合同所產生的任何爭訟的法院。
第七條款——適用法例
如有遺漏,本合同以第10/2013號法律和其他適用法例規範。
———
二零一九年十月十七日於運輸工務司司長辦公室
辦公室主任 張翠玲









