REGIÃO ADMINISTRATIVA ESPECIAL DE MACAU
GABINETE DO SECRETÁRIO PARA OS TRANSPORTES E OBRAS PÚBLICAS
|
| |||||||||||
| Alterações : | |||
| Diplomas relacionados : | |||
| Categorias relacionadas : | |||
| Ent. Privadas relacionadas : | |||
| Notas em LegisMac | |||
Despacho do Secretário para os Transportes e Obras Públicas n.º 10/2022
Usando da faculdade conferida pelo artigo 64.º da Lei Básica da Região Administrativa Especial de Macau, e nos termos do artigo 139.º da Lei n.º 10/2013 (Lei de terras), o Secretário para os Transportes e Obras Públicas manda:
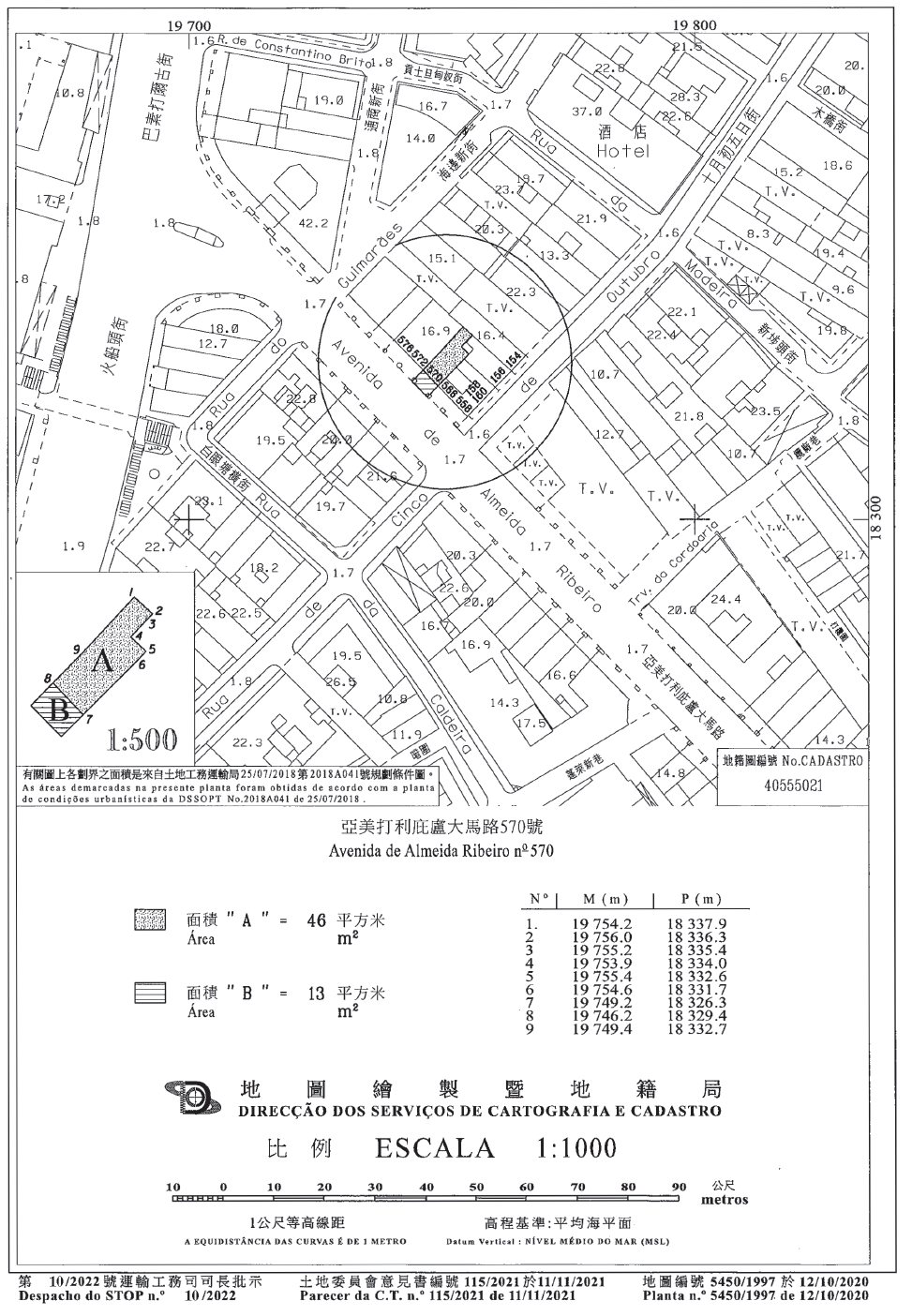
1. É revista, nos termos e condições constantes do contrato em anexo, que faz parte integrante do presente despacho, a concessão, por aforamento, do terreno com a área de 59 m2, situado na península de Macau, na Avenida de Almeida Ribeiro, onde se encontra construído o prédio com o n.º 570, descrito na Conservatória do Registo Predial sob o n.º 13 343 a fls. 190 verso do livro B35, para aproveitamento com a construção de um edifício de 3 pisos, em regime de propriedade única, afectado à actividade comercial.
2. No âmbito da referida revisão, por força de novos alinhamentos definidos para o local, reverte, livre de quaisquer ónus ou encargos, uma parcela de terreno a desanexar do terreno identificado no número anterior, com a área de 13 m2, para integrar o domínio público do Estado, como via pública, passando o terreno concedido a ter a área de 46 m2.
3. O presente despacho entra imediatamente em vigor.
14 de Março de 2022.
O Secretário para os Transportes e Obras Públicas, Raimundo Arrais do Rosário.
———
ANEXO
(Processo n.º 2 893.01 da Direcção dos Serviços de Solos, Obras Públicas e Transportes e Processo n.º 43/2021 da Comissão de Terras)
Contrato acordado entre:
A Região Administrativa Especial de Macau, como primeiro outorgante; e
Chan Heung Tak e Chan Melinda Mei Yi, como segundos outorgantes.
Considerando que:
1. Chan Heung Tak, casado com Lee Heahee, no regime da separação de bens e Chan Melinda Mei Yi, casada com Chow Kam Fai David, no regime da separação de bens, com domicílio de correspondência em Macau, na Avenida da Praia Grande, n.º 409, Edifício dos Serviços Jurídicos da China, 4.º andar A, são titulares do domínio útil do terreno com a área de 59 m2, situado na península de Macau, na Avenida de Almeida Ribeiro, onde se encontra construído o prédio com o n.º 570, descrito na Conservatória do Registo Predial, doravante designada por CRP, sob o n.º 13 343 a fls. 190 verso do livro B35, conforme inscrição a seu favor sob o n.º 269 413G.
2. O domínio directo sobre o terreno acha-se inscrito a favor do Estado sob o n.º 1376 do livro F2.
3. Uma vez que a planta de condições urbanísticas emitida para o referido terreno, pela Direcção dos Serviços de Solos, Obras Públicas e Transportes, doravante designada por DSSOPT, admite como finalidade de solo o uso comercial, os concessionários, tendo em vista o seu reaproveitamento, submeteram o anteprojecto de alteração de obra de construção de um edifício com 3 pisos, em regime de propriedade única, afecto a comércio que, por despacho do subdirector daqueles Serviços, de 8 de Maio de 2020, foi considerado passível de aprovação, condicionado ao cumprimento de alguns requisitos técnicos.
4. Nestas circunstâncias, em 15 de Outubro de 2020, os concessionários solicitaram autorização para modificar o aproveitamento do terreno, em conformidade com o referido anteprojecto, e a consequente revisão do contrato de concessão, nos termos do artigo 139.º da Lei n.º 10/2013 (Lei de terras).
5. Reunidos os documentos necessários à instrução do procedimento, a DSSOPT procedeu ao cálculo das contrapartidas devidas e elaborou a minuta do contrato de revisão da concessão que mereceu a concordância dos concessionários, expressa em declaração apresentada em 3 de Novembro de 2021.
6. O terreno objecto do contrato, com a área de 59 m2, encontra-se demarcado e assinalado com as letras «A» e «B», respectivamente, com as áreas de 46 m2 e 13 m2, na planta cadastral n.º 5 450/1997, emitida em 12 de Outubro de 2020, pela Direcção dos Serviços de Cartografia e Cadastro, doravante designada por DSCC.
7. A parcela de terreno com a área de 13 m2 assinalada com a letra «B» na referida planta é integrada no domínio público do Estado como via pública.
8. O procedimento seguiu a sua tramitação normal, tendo o processo sido enviado à Comissão de Terras que, reunida em 11 de Novembro de 2021, emitiu parecer favorável ao deferimento do pedido.
9. Por despacho do Secretário para os Transportes e Obras Públicas, de 24 de Novembro de 2021, proferido no uso das competências executivas delegadas pelo n.º 1 da Ordem Executiva n.º 184/2019, foi autorizado o pedido de revisão da concessão, de acordo com o proposto no parecer da Comissão de Terras.
10. As condições do contrato titulado pelo presente despacho foram notificadas aos concessionários e por estes expressamente aceites, conforme declaração apresentada em 2 de Março de 2022.
11. Os concessionários pagaram o preço actualizado do domínio útil e o prémio estipulados, respectivamente, no n.º 1 da cláusula terceira e na cláusula sétima do contrato titulado pelo presente despacho.
12. Encontrando-se o terreno onerado com hipoteca registada na CRP com o n.º 165 856 do livro C, a favor do «Banco da China, Limitada», esta entidade declarou, nos termos legais, autorizar o cancelamento dessa hipoteca quanto à parcela a integrar no domínio público, assinalada com a letra «B» na planta cadastral n.º 5 450/1997, com a área de 13 m2.
Cláusula primeira — Objecto do contrato
1. Constitui objecto do presente contrato:
1) A revisão da concessão, por aforamento, de um terreno com a área de 59 m2 (cinquenta e nove metros quadrados), situado na península de Macau, onde se encontra construído o prédio n.º 570 da Avenida de Almeida Ribeiro, demarcado e assinalado com as letras «A» e «B» na planta n.º 5 450/1997, emitida pela DSCC em 12 de Outubro de 2020, descrito na CRP sob o n.º 13 343 a fls. 190 verso do livro B35, cujo domínio útil se acha inscrito sob o n.º 269 413G a favor dos segundos outorgantes;
2) A reversão, por força das novas condições urbanísticas, a favor do primeiro outorgante, livre de quaisquer ónus ou encargos, do domínio útil da parcela de terreno com a área de 13 m2 (treze metros quadrados), demarcada e assinalada com a letra «B» na planta cadastral acima identificada, e com o valor atribuído de $ 13 000,00 (treze mil patacas), a desanexar do terreno referido na alínea anterior, que se destina a integrar o domínio público do Estado, como via pública.
2. A concessão do terreno, agora com a área de 46 m2 (quarenta e seis metros quadrados), demarcado e assinalado com a letra «A» na mencionada planta, de ora em diante designado, simplesmente, por terreno, passa a reger-se pelas cláusulas do presente contrato.
Cláusula segunda — Reaproveitamento do terreno e finalidade da concessão
1. Em conformidade com os usos de solos aí permitidos, designadamente o comercial, o terreno é reaproveitado com a construção de um edifício em regime de propriedade única, compreendendo 3 (três) pisos, afectado à finalidade de comércio, com a área bruta de construção de 155 m2 (cento e cinquenta e cinco metros quadrados).
2. A área referida no número anterior pode ser sujeita a eventual rectificação no momento do pedido de vistoria de obra, para efeito de emissão da licença de utilização.
3. Os segundos outorgantes são obrigados a submeter-se às prescrições do plano urbanístico que vigore na zona onde o terreno se situa.
Cláusula terceira — Preço do domínio útil e foro
1. O preço do domínio útil do terreno é actualizado para $ 24 050,00 (vinte e quatro mil e cinquenta patacas).
2. O preço actualizado do domínio útil, estipulado no número anterior, é pago integralmente e de uma só vez, aquando da aceitação das condições do presente contrato, a que se refere o artigo 125.º da Lei n.º 10/2013.
3. O foro anual a pagar é actualizado para $ 101,00 (cento e uma patacas).
4. O não pagamento pontual do foro determina a cobrança coerciva nos termos do processo de execução fiscal.
Cláusula quarta — Prazo de reaproveitamento
1. O reaproveitamento do terreno deve operar-se no prazo global de 36 (trinta e seis) meses, contados a partir da publicação no Boletim Oficial da Região Administrativa Especial de Macau do despacho que titula a presente revisão de concessão.
2. O prazo referido no número anterior inclui os prazos para a apresentação, pelos segundos outorgantes, e apreciação, pelo primeiro outorgante, do projecto de obra e para a emissão das respectivas licenças.
3. Os segundos outorgantes devem observar os seguintes prazos:
1) 180 (cento e oitenta) dias, contados da data da publicação do despacho mencionado no n.º 1, para a elaboração e apresentação do projecto de obra (projectos de fundações, estruturas, águas, esgotos, electricidade e demais projectos de especialidade);
2) 60 (sessenta) dias, contados da data da notificação da aprovação do projecto da obra, para a apresentação do pedido de emissão da licença de obras;
3) 15 (quinze) dias, contados da data de emissão da licença de obras, para a apresentação do pedido de início da obra.
4. Para efeitos do disposto no número anterior, os projectos só se consideram efectivamente apresentados, quando completa e devidamente instruídos com todos os elementos.
5. A requerimento dos segundos outorgantes, qualquer dos prazos referidos na presente cláusula pode ser suspenso ou prorrogado por autorização do primeiro outorgante, por motivo não imputável aos segundos outorgantes e que o primeiro outorgante considere justificativo.
6. O pedido referido no número anterior tem de ser apresentado antes do termo do respectivo prazo.
Cláusula quinta — Encargos especiais
Constituem encargos especiais, a suportar exclusivamente pelos segundos outorgantes, a desocupação do terreno demarcado e assinalado com as letras «A» e «B» na planta n.º 5 450/1997, emitida pela DSCC, em 12 de Outubro de 2020, e remoção de todas as construções, materiais e infra-estruturas, porventura, aí existentes, sem prejuízo do cumprimento das condicionantes da planta de condições urbanísticas n.º 2018A041 emitida em 25 de Julho de 2018.
Cláusula sexta — Multa
1. Pelo incumprimento de qualquer um dos prazos fixados na cláusula quarta, os segundos outorgantes ficam sujeitos a multa no montante correspondente a 0,1% (zero vírgula um por cento) do prémio por cada dia de atraso, até 150 (cento e cinquenta) dias.
2. Os segundos outorgantes ficam exonerados da responsabilidade referida no número anterior no caso do primeiro outorgante ter autorizado a suspensão ou a prorrogação do prazo de reaproveitamento, por motivo não imputável aos segundos outorgantes e considerado justificativo pelo primeiro outorgante.
Cláusula sétima — Prémio do contrato
Por força da presente revisão do contrato de concessão, os segundos outorgantes pagam ao primeiro outorgante, a título de prémio do contrato, o montante de $ 7 571 688,00 (sete milhões, quinhentas e setenta e uma mil, seiscentas e oitenta e oito patacas) integralmente e de uma só vez, aquando da aceitação das condições do presente contrato, a que se refere o artigo 125.º da Lei n.º 10/2013.
Cláusula oitava — Transmissão
1. A transmissão de situações decorrentes desta concessão, enquanto o terreno não estiver integralmente reaproveitado, depende de prévia autorização do primeiro outorgante, sob pena de nulidade e de nenhum efeito, sem prejuízo do disposto na cláusula décima segunda.
2. Para efeitos do disposto no número anterior, a constituição de procuração ou substabelecimento que confira ao procurador poderes para a prática de todos os actos no procedimento ou a disposição das situações resultantes da concessão e que seja irrevogável sem o acordo do interessado, nos termos do n.º 3 do artigo 258.º do Código Civil, também se considera equivalente à transmissão de situações resultantes da presente concessão.
3. A transmissão sujeita o transmissário à revisão das condições do presente contrato, designadamente das relativas ao prazo de reaproveitamento e ao pagamento do prémio adicional.
4. Antes da conclusão do reaproveitamento, os segundos outorgantes só podem constituir hipoteca voluntária sobre o direito resultante da concessão a favor de instituições de crédito legalmente autorizadas a exercer actividade na Região Administrativa Especial de Macau, nos termos do n.º 5 do artigo 42.º da Lei n.º 10/2013.
5. A hipoteca constituída em violação do disposto no número anterior é nula.
Cláusula nona — Licença de utilização
A licença de utilização apenas é emitida desde que as multas, se as houver, estejam pagas.
Cláusula décima — Fiscalização
Durante o período de reaproveitamento do terreno concedido, os segundos outorgantes obrigam-se a franquear o acesso ao mesmo e às obras aos representantes dos Serviços da Administração, que aí se desloquem no desempenho da sua acção fiscalizadora, prestando-lhes toda a assistência e meios para o bom desempenho da sua função.
Cláusula décima primeira — Caducidade
1. A presente concessão caduca nos seguintes casos:
1) Não conclusão do reaproveitamento, decorrido o prazo de 150 (cento e cinquenta) dias, previsto no n.º 1 da cláusula sexta, independentemente de ter sido aplicada ou não a multa;
2) Suspensão, consecutiva ou intercalada, do reaproveitamento do terreno por prazo superior a 90 (noventa) dias, salvo por motivo não imputável aos segundos outorgantes e que o primeiro outorgante considere justificativo.
2. A caducidade da concessão é declarada por despacho do Chefe do Executivo, a publicar no Boletim Oficial da Região Administrativa Especial de Macau.
3. A caducidade da concessão determina a reversão para o primeiro outorgante dos prémios pagos e de todas as benfeitorias por qualquer forma incorporadas no terreno, sem direito a qualquer indemnização ou compensação por parte dos segundos outorgantes, sem prejuízo da cobrança pelo primeiro outorgante, dos foros em dívida e das eventuais multas ainda não pagas.
4. Sem prejuízo do disposto no número anterior, no caso de declaração da caducidade da concessão, revertem para o primeiro outorgante tantos vigésimos do respectivo preço do domínio útil quantos os anos em que o terreno esteve na posse dos segundos outorgantes sem reaproveitamento, sendo-lhes restituído o remanescente do preço.
Cláusula décima segunda — Devolução do terreno
1. O primeiro outorgante pode declarar a devolução do terreno quando se verifique qualquer dos seguintes factos:
1) Alteração não autorizada da finalidade de concessão ou da modificação do reaproveitamento do terreno;
2) Incumprimento das obrigações estabelecidas na cláusula quinta;
3) Transmissão, sem autorização prévia, das situações resultantes da concessão, com violação do disposto no n.º 1 da cláusula oitava;
4) Quando a utilização do terreno se afaste dos fins para que foi concedido ou estes não estejam, em qualquer momento, a ser prosseguidos;
5) Quando, no seguimento de alteração do planeamento urbanístico que implique a impossibilidade de iniciar ou continuar o reaproveitamento do terreno, se verifique qualquer uma das situações referidas no n.º 2 do artigo 140.º da Lei n.º 10/2013;
6) Subaforamento.
2. A devolução do terreno é declarada por despacho do Chefe do Executivo, a publicar no Boletim Oficial da Região Administrativa Especial de Macau.
3. A declaração de devolução do terreno produz os seguintes efeitos:
1) Extinção do domínio útil do terreno;
2) Reversão para o primeiro outorgante dos prémios e do preço do domínio útil pagos, bem como de todas as benfeitorias por qualquer forma incorporadas no terreno, tendo os concessionários direito à indemnização a fixar por aquele.
4. A devolução do terreno nos termos da presente cláusula não prejudica a cobrança dos foros em dívida e das eventuais multas ainda não pagas.
5. No caso de devolução com fundamento na alínea 5) do n.º 1 da presente cláusula, os segundos outorgantes têm direito à indemnização prevista nos n.os 5 e 6 do artigo 140.º da Lei n.º 10/2013.
Cláusula décima terceira — Foro competente
Para efeitos de resolução de qualquer litígio emergente do presente contrato, o foro competente é o da Região Administrativa Especial de Macau.
Cláusula décima quarta — Legislação aplicável
O presente contrato rege-se, nos casos omissos, pela Lei n.º 10/2013 e demais legislação aplicável.
———
Gabinete do Secretário para os Transportes e Obras Públicas, aos 14 de Março de 2022. — A Chefe do Gabinete, Cheong Chui Ling.





