REGIÃO ADMINISTRATIVA ESPECIAL DE MACAU
GABINETE DO SECRETÁRIO PARA OS TRANSPORTES E OBRAS PÚBLICAS
|
| |||||||||||
| Diplomas relacionados : | |||
| Categorias relacionadas : | |||
| Notas em LegisMac | |||
Despacho do Secretário para os Transportes e Obras Públicas n.º 19/2022
Usando da faculdade conferida pelo artigo 64.º da Lei Básica da Região Administrativa Especial de Macau e nos termos da alínea 1) do artigo 8.º, do artigo 27.º, do artigo 44.º e seguintes, da alínea 3) do n.º 1 do artigo 55.º e do artigo 129.º, todos da Lei n.º 10/2013 (Lei de terras), o Secretário para os Transportes e Obras Públicas manda:
1. É cedido onerosamente ao Estado, livre de quaisquer ónus ou encargos, o direito de propriedade perfeita do terreno com a área de 79 m2, situado na península de Macau, na Rua do Almirante Sérgio n.º 197, descrito na Conservatória do Registo Predial, doravante designada por CRP, sob o n.º 7 650 a fls. 72 verso do livro B25.
2. Para efeitos de unificação do regime jurídico, são concedidas por arrendamento, nos termos e condições constantes do contrato em anexo, que faz parte integrante do presente despacho, duas parcelas de terreno identificado no número anterior com a área global de 55 m2, bem como concedida, no mesmo regime, uma parcela contígua de terreno disponível, com a área de 13 m2, em ordem a serem anexadas e constituírem um único lote de terreno com a área global de 68 m2, para ser aproveitado com a construção de um edifício, em regime de propriedade horizontal, afectado a habitação e comércio.
3. Por força dos novos alinhamentos definidos para o local, as duas parcelas remanescentes do terreno identificado no n.º 1, com a área global de 24 m2, são integradas no domínio público do Estado, como via pública, livres de quaisquer ónus ou encargos.
4. O presente despacho entra imediatamente em vigor.
12 de Abril de 2022.
O Secretário para os Transportes e Obras Públicas, Raimundo Arrais do Rosário.
———
ANEXO
(Processo n.º 2 794.01 da Direcção dos Serviços de Solos, Obras Públicas e Transportes e Processo n.º 1/2022 da Comissão de Terras)
Contrato acordado entre:
A Região Administrativa Especial de Macau, como primeira outorgante; e
Chiang Kin Tong, como segunda outorgante.
Considerando que:
1. Chiang Kin Tong, casado, em regime da separação de bens, com domicílio de correspondência em Macau, na Rua de Pequim, n.os 173 a 177, Edifício Marina Plaza, R/C, Lojas P e Q, é titular em regime de propriedade perfeita do terreno com a área de 79 m2, situado na península de Macau, onde se encontrava construído o prédio urbano n.º 197 da Rua do Almirante Sérgio, descrito na CRP sob o n.º 7 650 a fls. 72 verso do livro B25, conforme inscrição a seu favor sob o n.º 289 933G.
2. Uma vez que a planta de condições urbanísticas emitida para o referido terreno pela Direcção dos Serviços de Solos, Obras Públicas e Transportes, doravante designada por DSSOPT, admite como finalidade do solo o uso habitacional e comercial, o requerente, tendo em vista o seu reaproveitamento desse terreno com a construção de um edifício, em regime de propriedade horizontal, compreendendo 6 pisos, afectado a habitação e comércio, submeteu em 21 de Fevereiro de 2021, à DSSOPT, o projecto de alteração de obra, o qual foi considerado passível de aprovação, condicionada ao cumprimento de alguns requisitos técnicos, por despacho do subdirector da DSSOPT, de 17 de Junho de 2021.
3. De acordo com a planta de condições urbanísticas emitida pela DSSOPT para o mencionado terreno, o seu aproveitamento exige a anexação de uma parcela contígua de terreno do Estado, disponível, com a área de 13 m2.
4. Tratando-se de terrenos sujeitos a regimes jurídicos distintos, a sua anexação para aproveitamento conjunto implica a unificação dos mesmos segundo o regime de concessão por arrendamento, em conformidade com o disposto no n.º 2 do artigo 181.º da Lei n.º 10/2013 (Lei de terras) e no artigo 7.º da Lei Básica da Região Administrativa Especial de Macau.
5. Nestas circunstâncias, o requerente tem de ceder ao Estado o terreno de sua propriedade, com a área de 79 m2, e, em simultâneo, a RAEM concede ao requerente, por arrendamento, duas parcelas deste terreno com a área global de 55 m2e a parcela de terreno disponível, com a área de 13 m2, de forma a constituírem um único lote com a área global de 68 m2.
6. Assim, em 16 de Dezembro de 2015, o requerente solicitou a unificação dos regimes jurídicos dos terrenos objecto da nova construção.
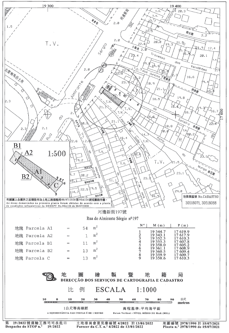
7. Os referidos terrenos encontram-se demarcados e assinalados com as letras «A1», «A2», «B1», «B2» e «C», respectivamente, com as áreas de 54 m2, 1 m2, 11 m2, 13 m2e 13 m2, na planta n.º 2 978/1990, emitida pela Direcção dos Serviços de Cartografia e Cadastro, doravante designada por DSCC, em 15 de Julho de 2021.
8. Reunidos os documentos necessários à instrução do procedimento, a DSSOPT procedeu ao cálculo das contrapartidas devidas e elaborou a minuta do contrato que mereceu a concordância do requerente, expressa em declaração apresentada em 30 de Dezembro de 2021.
9. O procedimento seguiu a sua tramitação normal, tendo o processo sido enviado à Comissão de Terras que, reunida em 13 de Janeiro de 2022, emitiu parecer favorável ao deferimento do pedido.
10. Por despacho do Secretário para os Transportes e Obras Públicas, de 21 de Janeiro de 2022, proferido no uso das competências executivas delegadas pelo n.º 1 da Ordem Executiva n.º 184/2019, foi autorizado o pedido de unificação dos regimes jurídicos dos terrenos anteriormente identificados, de acordo com o proposto no parecer da Comissão de Terras.
11. As condições do contrato titulado pelo presente despacho foram notificadas ao requerente e por estes expressamente aceites, conforme declaração apresentada em 16 de Fevereiro de 2022.
12. O requerente prestou a caução estipulada na alínea 1) da cláusula nona do contrato titulado pelo presente despacho.
Cláusula primeira — Objecto do contrato
1. Para efeitos de unificação do regime jurídico de três parcelas de terreno, situadas na península de Macau, na Rua do Almirante Sérgio onde se encontrava construído o prédio n.º 197, demarcadas e assinaladas com as letras «A1», «A2» e «C» na planta n.º 2 978/1990, emitida em 15 de Julho de 2021, pela DSCC, e de cedência de duas parcelas de terreno, demarcadas e assinaladas com as letras «B1» e «B2» na mesma planta, constitui objecto do presente contrato:
1) A cedência, onerosa, pela segunda outorgante a favor da primeira outorgante, que aceita, livre de quaisquer ónus ou encargos, do direito de propriedade de duas parcelas de terreno com as áreas de 54 m² (cinquenta e quatro metros quadrados) e 1 m2 (um metro quadrado), com os valores atribuídos de $ 4 861 060,00 (quatro milhões, oitocentas e sessenta e uma mil e sessenta patacas) e $ 90 020,00 (noventa mil e vinte patacas), demarcadas e assinaladas com as letras «A1» e «A2» na referida planta, que fazem parte do terreno descrito na CRP sob o n.º 7 650 a fls. 72 verso do livro B25 e inscrito a favor da segunda outorgante sob o n.º 289 933G, as quais passam a integrar o domínio privado do Estado;
2) A cedência, onerosa, pela segunda outorgante a favor da primeira outorgante, que aceita, livre de quaisquer ónus ou encargos, do direito de propriedade de duas parcelas de terreno com as áreas de 11 m2 (onze metros quadrados) e 13 m2 (treze metros quadrados), com o valor global de $ 1 170 255,00 (um milhão, cento e setenta mil, duzentas e cinquenta e cinco patacas), demarcadas e assinaladas com as letras «B1» e «B2» na aludida planta cadastral, a desanexar do terreno descrito na CRP sob o n.º 7 650 a fls. 72 verso do livro B25 e inscrito a favor da segunda outorgante sob o n.º 289 933G, as quais passam a integrar o domínio público do Estado, como via pública;
3) A concessão a favor da segunda outorgante, em regime de arrendamento e com o valor idêntico, das parcelas de terreno identificadas na alínea 1), demarcadas e assinaladas com as letras «A1» e «A2» na referida planta;
4) A concessão a favor da segunda outorgante, em regime de arrendamento, de uma parcela de terreno com a área de 13 m2 (treze metros quadrados), contígua à parcela identificada na alínea 1), não descrita na CRP, demarcada e assinalada com a letra «C» na mesma planta, à qual é atribuído o valor de $ 1 170 255,00 (um milhão, cento e setenta mil, duzentas e cinquenta e cinco patacas).
2. As parcelas de terreno referidas no número anterior, demarcadas e assinaladas com as letras «A1», «A2» e «C» na planta acima identificada, destinam-se a ser anexadas e aproveitadas conjuntamente, em regime de arrendamento, constituindo um único lote com a área de 68 m2 (sessenta e oito metros quadrados), de ora em diante designado, simplesmente, por terreno, e cuja concessão passa a reger-se pelas cláusulas do presente contrato.
Cláusula segunda — Prazo de arrendamento
1. O arrendamento é válido pelo prazo de 25 (vinte e cinco) anos, contados a partir da data da publicação no Boletim Oficial da Região Administrativa Especial de Macau do despacho que titula a presente concessão.
2. O prazo do arrendamento, fixado no número anterior, pode, nos termos da legislação aplicável, ser sucessivamente renovado.
Cláusula terceira — Aproveitamento e finalidade do terreno
1. Em conformidade com os usos de solos aí permitidos, designadamente o habitacional e comercial, o terreno é aproveitado com a construção de um edifício, em regime de propriedade horizontal, compreendendo 6 (seis) pisos, afectado às seguintes finalidades de utilização:
| 1) Habitação: | com a área bruta de construção de 361 m2; |
| 2) Comércio: | com a área bruta de construção de 50 m2. |
2. As áreas referidas no número anterior podem ser sujeitas a eventuais rectificações no momento do pedido de vistoria de obra, para efeito de emissão da licença de utilização.
3. A segunda outorgante é obrigada a submeter-se às prescrições do plano urbanístico que vigore na zona onde o terreno se situa.
Cláusula quarta — Renda
1. A segunda outorgante paga a seguinte renda anual:
1) Durante o período de aproveitamento do terreno, $ 8,00 (oito patacas) por metro quadrado do terreno concedido, no montante global de $ 544,00 (quinhentos e quarenta e quatro patacas);
2) Após o aproveitamento do terreno, passa a pagar:
(1) Habitação: $ 4,00 (quatro patacas) por metro quadrado de área bruta de construção;
(2) Comércio: $ 6,00 (seis patacas) por metro quadrado de área bruta de construção.
2. As rendas podem ser actualizadas de cinco em cinco anos, contados a partir da data da publicação no Boletim Oficial da Região Administrativa Especial de Macau do despacho que titula a presente concessão, sem prejuízo da aplicação imediata de novos montantes da renda estabelecidos por legislação que, durante a vigência do contrato, venha a ser publicada.
Cláusula quinta — Prazo de aproveitamento
1. O aproveitamento do terreno deve operar-se no prazo global de 36 (trinta e seis) meses, contados a partir da publicação no Boletim Oficial da Região Administrativa Especial de Macau do despacho que titula a presente concessão.
2. O prazo referido no número anterior inclui os prazos para a apresentação, pela segunda outorgante, e apreciação, pela primeira outorgante, do projecto de obra e para a emissão das respectivas licenças.
3. A segunda outorgante deve observar os seguintes prazos:
1) 180 (cento e oitenta) dias, contados da data da publicação do despacho mencionado no n.º 1, para a elaboração e apresentação do projecto de obra (projectos de fundações, estruturas, águas, esgotos, electricidade e demais projectos de especialidade);
2) 60 (sessenta) dias, contados da data da notificação da aprovação do projecto da obra, para a apresentação do pedido de emissão da licença de obras;
3) 15 (quinze) dias, contados da data de emissão da licença de obras, para a apresentação do pedido de início da obra.
4. Para efeitos do disposto no número anterior, os projectos só se consideram efectivamente apresentados, quando completa e devidamente instruídos com todos os elementos.
5. A requerimento da segunda outorgante, qualquer dos prazos referidos na presente cláusula pode ser suspenso ou prorrogado por autorização da primeira outorgante, por motivo não imputável à segunda outorgante e que a primeira outorgante considere justificativo.
6. O pedido referido no número anterior tem de ser apresentado antes do termo do respectivo prazo.
Cláusula sexta — Encargos especiais
Constituem encargos especiais, a suportar exclusivamente pela segunda outorgante, a desocupação das parcelas de terreno demarcadas e assinaladas com as letras «A1», «A2», «B1», «B2» e «C» na planta n.º 2 978/1990, emitida pela DSCC, em 15 de Julho de 2021 e remoção das mesmas de todas as construções, materiais e infra-estruturas, porventura aí existentes.
Cláusula sétima — Multa
1. Pelo incumprimento de qualquer um dos prazos fixados na cláusula quinta, a segunda outorgante fica sujeito a multa no montante correspondente a 0,1% (zero vírgula um por cento) do prémio por cada dia de atraso, até 150 (cento e cinquenta) dias.
2. A segunda outorgante fica exonerada da responsabilidade referida no número anterior no caso da primeira outorgante ter autorizada a suspensão ou a prorrogação do prazo de aproveitamento, por motivo não imputável à segunda outorgante e considerado justificativo pela primeira outorgante.
Cláusula oitava — Prémio do contrato
A segunda outorgante paga à primeira outorgante, a título de prémio do contrato, o montante global de $ 6 121 335,00 (seis milhões, cento e vinte e uma mil, trezentas e trinta e cinco patacas), em espécie, pela cedência das parcelas «A1», «A2», «B1» e «B2», identificadas nas alíneas 1) e 2) do n.º 1 da cláusula primeira.
Cláusula nona — Caução
1. Nos termos do artigo 126.º da Lei n.º 10/2013, a segunda outorgante presta uma caução no valor de $544,00 (quinhentas e quarenta e quatro patacas), por meio de depósito ou garantia bancária aceite pela primeira outorgante.
2. O valor da caução, referida no número anterior, deve acompanhar sempre o valor da respectiva renda anual.
3. A caução referida no n.º 1 será devolvida à segunda outorgante pela Direcção dos Serviços de Finanças, a pedido daquela, após a apresentação da licença de utilização emitida pela DSSOPT.
Cláusula décima — Transmissão
1. A transmissão de situações decorrentes desta concessão, enquanto o terreno não estiver integralmente aproveitado, depende de prévia autorização da primeira outorgante, sob pena de nulidade e de nenhum efeito, sem prejuízo do disposto na cláusula décima quarta.
2. Para efeitos do disposto no número anterior, a constituição de procuração ou substabelecimento que confira ao procurador poderes para a prática de todos os actos no procedimento ou a disposição das situações resultantes da concessão e que seja irrevogável sem o acordo do interessado, nos termos do n.º 3 do artigo 258.º do Código Civil, também se considera equivalente à transmissão de situações resultantes da presente concessão.
3. A transmissão sujeita o transmissário à revisão das condições do presente contrato, designadamente das relativas ao prazo de aproveitamento e ao pagamento do prémio adicional.
4. Antes da conclusão do aproveitamento, a segunda outorgante só pode constituir hipoteca voluntária sobre o direito resultante da concessão a favor de instituições de crédito legalmente autorizadas a exercer actividade na Região Administrativa Especial de Macau, nos termos do n.º 5 do artigo 42.º da Lei n.º 10/2013.
5. A hipoteca constituída em violação do disposto no número anterior é nula.
Cláusula décima primeira — Licenças de utilização
A licença de utilização apenas é emitida desde que as multas, se as houver, estejam pagas.
Cláusula décima segunda — Fiscalização
Durante o período de aproveitamento do terreno concedido, a segunda outorgante obriga-se a franquear o acesso ao mesmo e às obras aos representantes dos Serviços da Administração, que aí se desloquem no desempenho da sua acção fiscalizadora, prestando-lhes toda a assistência e meios para o bom desempenho da sua função.
Cláusula décima terceira — Caducidade
1. A presente concessão caduca nos seguintes casos:
1) Não conclusão do aproveitamento, decorrido o prazo de 150 (cento e cinquenta) dias, previsto no n.º 1 da cláusula sétima, independentemente de ter sido aplicada ou não a multa;
2) Suspensão, consecutiva ou intercalada, do aproveitamento do terreno por prazo superior a 90 (noventa) dias, salvo por motivo não imputável à segunda outorgante e que a primeira outorgante considere justificativo.
2. A caducidade da concessão é declarada por despacho do Chefe do Executivo, a publicar no Boletim Oficial da Região Administrativa Especial de Macau.
3. A caducidade da concessão determina a reversão para a primeira outorgante de todas as benfeitorias de qualquer forma incorporadas no terreno, sem direito a qualquer indemnização ou compensação por parte da segunda outorgante, sem prejuízo da cobrança pela primeira outorgante das rendas em dívida e das eventuais multas ainda não pagas.
Cláusula décima quarta — Rescisão
1. A presente concessão pode ser rescindida quando se verifique qualquer dos seguintes factos:
1) Alteração, não consentida, da finalidade da concessão ou da modificação do aproveitamento do terreno;
2) Incumprimento das obrigações estabelecidas na cláusula sexta;
3) Transmissão, sem autorização prévia, das situações resultantes da concessão, com violação do disposto no n.º 1 da cláusula décima;
4) Quando a utilização do terreno se afaste dos fins para que foi concedido ou estes não estejam, em qualquer momento, a ser prosseguidos;
5) Quando, no seguimento de alteração do planeamento urbanístico que implique a impossibilidade de iniciar ou continuar o aproveitamento do terreno, se verifique qualquer uma das situações referidas no n.º 2 do artigo 140.º da Lei n.º 10/2013;
6) Subarrendamento.
2. A rescisão da concessão é declarada por despacho do Chefe do Executivo, a publicar no Boletim Oficial da Região Administrativa Especial de Macau.
3. Rescindida a concessão, revertem para a primeira outorgante todas as benfeitorias por qualquer forma incorporadas no terreno, não tendo a segunda outorgante direito a ser indemnizada ou compensada, salvo nas situações previstas nos n.os 5 e 6 do artigo 140.º da Lei n.º 10/2013, decorrentes da alteração do planeamento urbanístico.
Cláusula décima quinta — Foro competente
Para efeitos de resolução de qualquer litígio emergente do presente contrato, o foro competente é o da Região Administrativa Especial de Macau.
Cláusula décima sexta — Legislação aplicável
O presente contrato rege-se, nos casos omissos, pela Lei n.º 10/2013, e demais legislação aplicável.
———
Gabinete do Secretário para os Transportes e Obras Públicas, aos 13 de Abril de 2022. — A Chefe do Gabinete, Cheong Chui Ling.





