REGIÃO ADMINISTRATIVA ESPECIAL DE MACAU
GABINETE DO SECRETÁRIO PARA OS TRANSPORTES E OBRAS PÚBLICAS
|
| |||||||||||
| Diplomas relacionados : | |||
| Categorias relacionadas : | |||
| Ent. Privadas relacionadas : | |||
| Notas em LegisMac | |||
Despacho do Secretário para os Transportes e Obras Públicas n.º 3/2023
A Companhia de Telecomunicações de MTEL, Limitada, com sede na RAEM, na Estrada do Repouso n.º 51 r/c, matriculada na Conservatória dos Registos Comercial e de Bens Móveis sob o n.º 40527 (SO), é titular da concessão de uso privativo do terreno com a área de 48m2 , situado na península de Macau, junto à Avenida da Ponte da Amizade e Rua 1.º de Maio, destinado à construção de uma estação da rede pública de telecomunicações fixa, sendo a referida sociedade titular do direito de instalar e operar uma rede pública de telecomunicações fixa e prestar os serviços conferidos pela licença n.º 2/2013 anexa ao Despacho do Chefe do Executivo n.º 173/2013.
O referido terreno, com a área de 48m2 , encontra-se demarcado e assinalado na planta n.º 6108/2003, emitida pela Direcção dos Serviços de Cartografia e Cadastro, doravante designada por DSCC, em 18 de Janeiro de 2023.
Por carta datada de 25 de Novembro de 2022 a Companhia de Telecomunicações de MTEL, Limitada veio declarar, por sua iniciativa, a desistência da concessão do terreno em causa.
Assim;
Usando da faculdade conferida pelo artigo 64.º da Lei Básica da Região Administrativa Especial de Macau, e nos termos do artigo 107.º da Lei n.º 10/2013 (Lei de Terras), o Secretário para os Transportes e Obras Públicas manda:
1. É declarada a desistência pela Companhia de Telecomunicações de MTEL, Limitada da concessão de uso privativo do terreno com a área de 48m2 , demarcado e assinalado na planta n.º 6108/2003, emitida pela DSCC em 18 de Janeiro de 2023, situado junto à Avenida da Ponte da Amizade e Rua 1.º de Maio, na península de Macau.
2. Em consequência da desistência referida no número anterior, o terreno reverte, livre de ónus ou encargos, ao Estado, para integrar o seu domínio público.
3. O presente despacho entra imediatamente em vigor.
3 de Fevereiro de 2023.
O Secretário para os Transportes e Obras Públicas, Raimundo Arrais do Rosário.
|
| |||||||||||
| Diplomas relacionados : | |||
| Categorias relacionadas : | |||
| Notas em LegisMac | |||
Despacho do Secretário para os Transportes e Obras Públicas n.º 4/2023
Usando da faculdade conferida pelo artigo 64.º da Lei Básica da Região Administrativa Especial de Macau e nos termos do artigo 139.º da Lei n.º 10/2013 (Lei de terras), o Secretário para os Transportes e Obras Públicas manda:
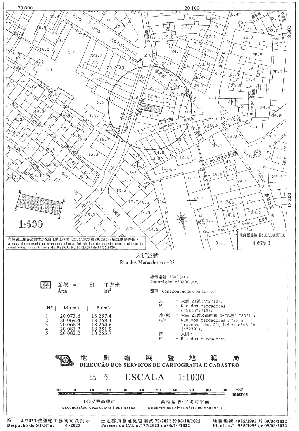
1. É revista, nos termos e condições constantes do contrato em anexo, que faz parte integrante do presente despacho, a concessão, por aforamento, do terreno com a área de 51 m2 , situado na península de Macau, onde se encontrava construído o prédio urbano n.º 23 da Rua dos Mercadores, descrito na Conservatória do Registo Predial sob o n.º 3 588, para ser aproveitado com a construção de um edifício de 5 pisos, sendo 1 piso em cave, em regime de propriedade única, afectado a comércio.
2. O presente despacho entra imediatamente em vigor.
10 de Fevereiro de 2023
O Secretário para os Transportes e Obras Públicas, Raimundo Arrais do Rosário.
———
ANEXO
(Processo n.º 2 353.03 da Direcção dos Serviços de Solos e Construção Urbana e Processo n.º 37/2022 da Comissão de Terras)
Contrato acordado entre:
A Região Administrativa Especial de Macau, como primeira outorgante, e
A sociedade «Investimento Predial Polyrich Limitada», como segunda outorgante.
Considerando que:
1. Pelo Despacho do Secretário para os Transportes e Obras Públicas n.º 30/2017, publicado no Boletim Oficial da Região Administrativa Especial de Macau n.º 16, II Série, de 19 de Abril de 2017, foi titulado o contrato de revisão da concessão, por aforamento, do terreno com a área de 51 m2 , situado na península de Macau, onde se encontrava construído o prédio urbano n.º 23 da Rua dos Mercadores, a favor da sociedade «Investimento Predial Polyrich Limitada», com sede em Macau, na Avenida da Praia Grande n.º 619, Edifício Comercial Si Toi, 17.º andar, apartamento n.º 1 709, registada na Conservatória dos Registos Comercial e de Bens Móveis sob o n.º 43 892(SO).
2. O terreno encontra-se descrito na Conservatória do Registo Predial, doravante designada por CRP, sob o n.º 3588 a fls. 71 verso do livro B18, estando o domínio útil inscrito a favor da concessionária sob o n.º 242 237G.
3. De acordo com o estabelecido na cláusula segunda do mencionado contrato, o terreno destina-se a ser reaproveitado com a construção de um edifício, em regime de propriedade única, compreendendo 6 pisos, sendo 1 em cave, afectado à finalidade comercial.
4. Porém, por razões de ordem técnica, a concessionária tem de reduzir um piso do edifício projectado, o que implica a alteração do aproveitamento definido no aludido contrato de revisão da concessão.
5. Assim, em 10 de Novembro de 2020, a concessionária submeteu à Direcção dos Serviços de Solos, Obras Públicas e Transportes (DSSOPT) o projecto de alteração de obra de construção, tendo em vista o reaproveitamento do terreno com a construção de um edifício de 5 pisos, sendo 1 em cave, em regime de propriedade única, afectado a comércio, finalidade esta que está em consonância com os usos de solo admitidos na planta de condições urbanísticas emitida para o terreno.
6. Uma vez que o referido projecto foi considerado passível de aprovação, condicionada ao cumprimento de alguns requisitos técnicos, por despacho do subdirector da DSSOPT, de 3 de Dezembro de 2021, a concessionária solicitou, em 16 de Junho de 2022, autorização para modificar o aproveitamento do terreno em conformidade com o projecto e a consequente revisão do contrato de concessão, nos termos do artigo 139.º da Lei n.º 10/2013 (Lei de terras).
7. Reunidos os documentos necessários à instrução do procedimento, a Direcção dos Serviços de Solos e Construção Urbana, doravante designada por DSSCU, procedeu ao cálculo das contrapartidas devidas e elaborou a minuta de contrato de revisão de concessão que mereceu a concordância da concessionária, expressa em declaração apresentada em 27 de Setembro de 2022.
8. O terreno objecto do contrato, com a área de 51 m2 , encontra-se demarcado e assinalado na planta cadastral n.º 4 935/1995, emitida em 9 de Junho de 2022, pela Direcção dos Serviços de Cartografia e Cadastro, doravante designada por DSCC.
9. O procedimento seguiu a sua tramitação normal, tendo o processo sido enviado à Comissão de Terras que, reunida em 6 de Outubro de 2022, emitiu parecer favorável ao deferimento do pedido.
10. Por despacho do Secretário para os Transportes e Obras Públicas de 26 de Outubro de 2022, proferido no uso das competências executivas delegadas pelo n.º 1 da Ordem Executiva n.º 184/2019, foi deferido o pedido de revisão da concessão, de acordo com o proposto no parecer da Comissão de Terras.
11. As condições do contrato de revisão de concessão titulado pelo presente despacho foram notificadas à concessionária e por este expressamente aceite, conforme declaração apresentada em 2 de Fevereiro de 2023.
12. A concessionária pagou o prémio estipulado na alínea 2) do artigo terceiro do contrato titulado pelo presente despacho.
Artigo primeiro — Objecto do contrato
1. Devido à modificação do aproveitamento do terreno por causa da redução de 1 (um) piso do edifício e da área bruta de construção, pelo presente contrato, é autorizada a revisão da concessão, por aforamento, do terreno com a área de 51 m2 (cinquenta e um metros quadrados), situado na península de Macau, onde se encontrava construído o prédio n.º 23 da Rua dos Mercadores, titulado pelo Despacho do Secretário para os Transportes e Obras Públicas n.º 30/2017, publicado no Boletim Oficial da Região Administrativa Especial de Macau n.º 16, II Série, de 19 de Abril de 2017, demarcado e assinalado na planta n.º 4 935/1995, emitida pela DSCC em 9 de Junho de 2022, descrito na CRP sob o n.º 3 588 a fls. 71 verso do livro B18, cujo domínio útil se acha inscrito sob o n.º 242 237G, a favor da segunda outorgante.
2. Em consequência do referido no número anterior, a cláusula segunda do mencionado contrato passa a ter a seguinte redacção:
«Cláusula segunda — Reaproveitamento do terreno e finalidade da concessão
1. Em conformidade com os usos de solos aí permitidos, designadamente o comercial, o terreno é reaproveitado com a construção de um edifício, em regime de propriedade única, compreendendo 5 (cinco) pisos, sendo 1 (um) piso em cave, afectado à finalidade de comércio, com a área bruta de construção de 252 m2 (duzentos e cinquenta e dois metros quadrados).
2. ......
3. ......»
Artigo segundo — Prazo de reaproveitamento
1. O reaproveitamento do terreno deve operar-se no prazo global de 42 (quarenta e dois) meses, contados a partir da publicação no Boletim Oficial da Região Administrativa Especial de Macau do despacho que titula a presente revisão de concessão.
2. O prazo referido no número anterior inclui os prazos para a apresentação, pela segunda outorgante, e apreciação, pela primeira outorgante, do projecto de obra e para a emissão das respectivas licenças.
3. A segunda outorgante deve observar os seguintes prazos:
1) 180 (cento e oitenta) dias, contados da data da publicação do despacho mencionado no n.º 1, para a elaboração e apresentação do projecto de obra (projectos de fundações, estruturas, águas, esgotos, electricidade e demais projectos de especialidade);
2) 60 (sessenta) dias, contados da data da notificação da aprovação do projecto da obra, para a apresentação do pedido de emissão da licença de obras;
3) 15 (quinze) dias, contados da data de emissão da licença de obras, para a apresentação do pedido de início da obra.
4. Para efeitos do disposto no número anterior, os projectos só se consideram efectivamente apresentados, quando completa e devidamente instruídos com todos os elementos.
5. A requerimento da segunda outorgante, qualquer dos prazos referidos na presente cláusula pode ser suspenso ou prorrogado por autorização da primeira outorgante, por motivo não imputável à segunda outorgante e que a primeira outorgante considere justificativo.
6. O pedido referido no número anterior tem de ser apresentado antes do termo do respectivo prazo.
Artigo terceiro — Prémio do contrato
Por força da presente revisão do contrato de concessão, o prémio do contrato é de $ 9 277 129,00 (nove milhões, duzentas e setenta e sete mil, cento e vinte e nove patacas), em substituição do prémio estipulado na cláusula sétima do contrato de revisão de concessão titulado pelo Despacho do Secretário para os Transportes e Obras Públicas n.º 30/2017, cujo pagamento é feito nos termos seguintes:
1) $ 7 119 625,00 (sete milhões, cento e dezanove mil, seiscentas e vinte e cinco patacas) foi pago em conformidade com a cláusula sétima do contrato de revisão de concessão titulado pelo Despacho do Secretário para os Transportes e Obras Públicas n.º 30/2017;
2) O remanescente, no valor de $ 2 157 504,00 (dois milhões, cento e cinquenta e sete mil, quinhentas e quatro patacas), será pago aquando da aceitação das condições do presente contrato, a que se refere o artigo 125.º da Lei n.º 10/2013.
Artigo quarto — Multa
1. Pelo incumprimento de qualquer um dos prazos fixados no artigo segundo, a segunda outorgante fica sujeita a multa no montante correspondente a 0,1% (zero vírgula um por cento) do prémio por cada dia de atraso, até 150 (cento e cinquenta) dias.
2. A segunda outorgante fica exonerada da responsabilidade referida no número anterior no caso da primeira outorgante ter autorizado a suspensão ou a prorrogação do prazo de reaproveitamento, por motivo não imputável à segunda outorgante e considerado justificativo pela primeira outorgante.
Artigo quinto — Remissão
Em tudo o que não foi expressamente afastado pela presente revisão, mantém-se em vigor o clausulado no contrato titulado pelo Despacho do Secretário para os Transportes e Obras Públicas n.º 30/2017, publicado no Boletim Oficial da Região Administrativa Especial de Macau n.º 16, II Série, de 19 de Abril de 2017.
Artigo sexto — Foro competente
Para efeitos de resolução de qualquer litígio emergente do presente contrato, o foro competente é o da Região Administrativa Especial de Macau.
Artigo sétimo — Legislação aplicável
O presente contrato rege-se, nos casos omissos, pela Lei n.º 10/2013 e demais legislação aplicável.
———
Gabinete do Secretário para os Transportes e Obras Públicas, aos 10 de Fevereiro de 2023. — A Chefe do Gabinete, Cheong Chui Ling.





