REGIÃO ADMINISTRATIVA ESPECIAL DE MACAU
GABINETE DO SECRETÁRIO PARA OS TRANSPORTES E OBRAS PÚBLICAS
|
| |||||||||||
| Diplomas relacionados : | |||
| Categorias relacionadas : | |||
| Notas em LegisMac | |||
Despacho do Secretário para os Transportes e Obras Públicas n.º 5/2023
Usando da faculdade conferida pelo artigo 64.º da Lei Básica da Região Administrativa Especial de Macau e nos termos dos artigos 129.º e 139.º da Lei n.º 10/2013 (Lei de terras), o Secretário para os Transportes e Obras Públicas manda:
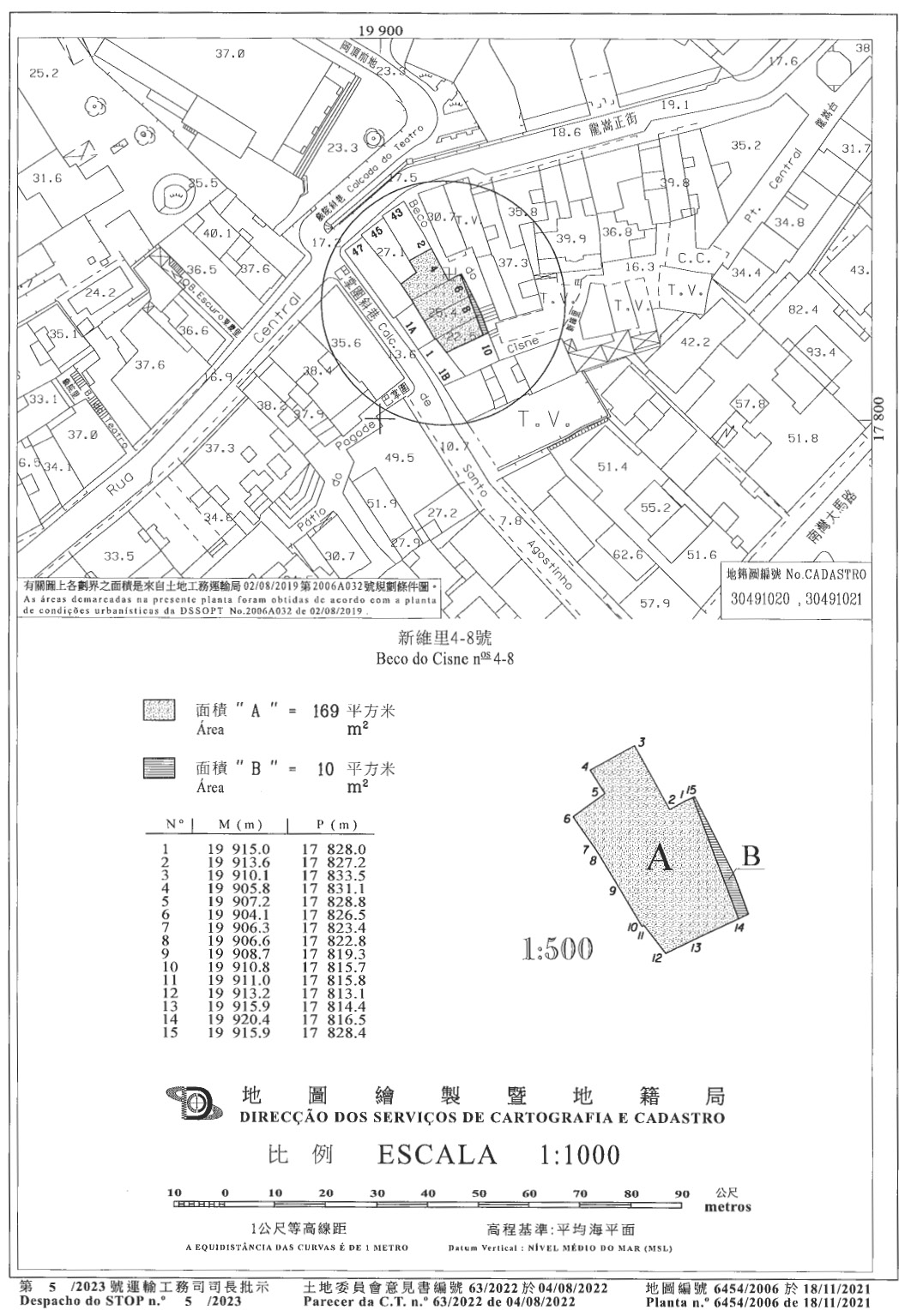
1. É revista, nos termos e condições constantes do contrato em anexo, que faz parte integrante do presente despacho, a concessão, por aforamento, dos terrenos com a área global rectificada de 179 m2, resultante da anexação, logo que demolidos os edifícios neles existentes, dos prédios descritos na Conservatória do Registo Predial sob os n.os 2 361 a fls. 79 verso do livro B12, 14 406 a fls. 188 verso do livro B38 e 14 407 a fls. 189 do livro B38, situados na península de Macau, no Beco do Cisne n.os 4 a 8, para aproveitamento com a construção de um edifício de 6 pisos, sendo um em cave, em regime de propriedade horizontal, afectado a habitação e comércio.
2. No âmbito da referida revisão, por força de novos alinhamentos definidos para o local, reverte, livre de quaisquer ónus ou encargos, uma parcela de terreno a desanexar do terreno identificado no número anterior, com a área de 10 m2, para integrar o domínio público do Estado, como via pública, passando o terreno concedido a ter a área de 169 m2.
3. O presente despacho entra imediatamente em vigor.
20 de Fevereiro de 2023.
O Secretário para os Transportes e Obras Públicas, Raimundo Arrais do Rosário.
ANEXO
(Processo n.º 2 834.01 da Direcção dos Serviços de Solos e Construção Urbana e Processo n.º 33/2022 da Comissão de Terras)
Contrato acordado entre:
A Região Administrativa Especial de Macau, como primeira outorgante, e
A Companhia de Planeamento e Investimento Imobiliário Iui Vai, Limitada, como segunda outorgante.
Considerando que:
1. A Companhia de Planeamento e Investimento Imobiliário Iui Vai, Limitada, com sede em Macau, na Praça de Ponte e Horta, n.º 27, Edifício Hoi Wan, r/c, registada na Conservatória dos Registos Comerciais e de Bens Móveis sob o n.º 26 458 (SO), é titular do domínio útil de três terrenos concedidos por aforamento, com a área global de 178,13 m2, rectificada por novas medições para 179 m2, situados na península de Macau, onde se encontram construídos os prédios urbanos com os n.os 4 a 8 do Beco do Cisne, descritos na Conservatória do Registo Predial, doravante designada por CRP, sob os n.os 2 361 a fls. 79 verso do livro B12, 14 406 a fls. 188 verso do livro B38 e 14 407 a fls. 189 do livro B38, conforme inscrição a seu favor sob o n.º 152 617G.
2. O domínio directo sobre os referidos terrenos acha-se inscrito a favor do Estado sob o n.º 8 503 a fls. 183 do livro F35K.
3. Uma vez que a planta de condições urbanísticas emitida para os referidos terrenos, pela Direcção dos Serviços de Solos, Obras Públicas e Transportes, admite como finalidade do solo os usos habitacional e comercial, a concessionária tendo em vista a sua anexação e reaproveitamento com a construção de um edifício, em regime de propriedade horizontal, compreendendo 6 pisos, sendo 1 em cave, destinado a habitação e comércio, submeteu em 22 de Março de 2021, à DSSOPT, um projecto de alteração ao projecto de obra de construção que, por despacho do subdirector, de 3 de Junho de 2021, foi considerado passível de aprovação, condicionada ao cumprimento de alguns requisitos técnicos.
4. Nestas circunstâncias, em 3 de Novembro de 2021, a concessionária solicitou autorização para modificar o aproveitamento do lote formado pelos mencionados terrenos, em conformidade com o referido projecto, e a consequente revisão do contrato de concessão, nos termos do artigo 139.º da Lei n.º 10/2013 (Lei de terras).
5. Reunidos os documentos necessários à instrução do procedimento, a Direcção dos Serviços de Solos e Construção Urbana, doravante designada por DSSCU, procedeu ao cálculo das contrapartidas devidas e elaborou a minuta do contrato de revisão da concessão que mereceu a concordância da concessionária, expressa em declaração apresentada em 4 de Julho de 2022.
6. O terreno objecto do contrato, com a área global rectificada de 179 m2, encontra-se demarcado e assinalado com as letras «A» e «B», respectivamente, com as áreas de 169 m2 e 10 m2, na planta cadastral n.º 6 454/2006, emitida em 18 de Novembro de 2021, pela Direcção dos Serviços de Cartografia e Cadastro, doravante designada por DSCC.
7. A parcela de terreno com a área de 10 m2 assinalada com a letra «B» na referida planta é integrada no domínio público do Estado como via pública.
8. O procedimento seguiu a sua tramitação normal, tendo o processo sido enviado à Comissão de Terras que, reunida em 4 de Agosto de 2022, emitiu parecer favorável ao deferimento do pedido.
9. Por despacho do Secretário para os Transportes e Obras Públicas de 15 de Agosto de 2022, proferido no uso das competências executivas delegadas pelo n.º 1 da Ordem Executiva n.º 184/2019, foi deferido o pedido de revisão da concessão, de acordo com o proposto no parecer da Comissão de Terras.
10. As condições do contrato titulado pelo presente despacho foram notificadas à concessionária e por esta expressamente aceites, conforme declaração apresentada em 1 de Setembro de 2022, assinada por Iu Mei Sio, divorciada, com domicílio profissional em Macau, na Praça de Ponte e Horta, n.º 27, Edifício Hoi Wan, r/c, na qualidade de gerente-geral, em representação da Companhia de Planeamento e Investimento Imobiliário Iui Vai, Limitada, qualidade e poderes verificados pelo 2.º Cartório Notarial, conforme reconhecimento exarado naquela declaração.
11. A concessionária pagou o preço actualizado do domínio útil e o prémio estipulados, respectivamente, no n.º 1 da cláusula terceira e na cláusula sétima do contrato titulado pelo presente despacho.
12. Encontrando-se o terreno onerado com hipoteca registada na CRP com o n.º 283 086 do livro C, a favor do Banco Tai Fung, S.A., esta entidade declarou, nos termos legais, autorizar o cancelamento dessa hipoteca quanto à parcela a integrar no domínio público, assinalada com a letra «B» na planta cadastral n.º 6 454/2006, com a área de 10 m2.
Cláusula primeira — Objecto do contrato
1. Constitui objecto do presente contrato:
1) A revisão da concessão, por aforamento, do terreno com a área registal de 178,13 m2 (cento e setenta e oito vírgula treze metros quadrados), rectificada por novas medições para 179 m2 (cento e setenta e nove metros quadrados), resultante da anexação, logo que demolidos os edifícios nele existentes, dos prédios n.os 4 a 8 do Beco do Cisne, situados na península de Macau, demarcado e assinalado com as letras «A» e «B» na planta cadastral n.º 6 454/2006, emitida pela DSCC, em 18 de Novembro de 2021, descrito na CRP sob os n.os 2 361 a fls. 79 verso do livro B12, 14 406 a fls. 188 verso do livro B38 e 14 407 a fls. 189 do livro B38, cujo domínio útil se acha inscrito sob o n.º 152 617G, a favor da segunda outorgante;
2) A reversão, por força das novas condições urbanísticas, a favor da primeira outorgante, livre de quaisquer ónus ou encargos, do domínio útil da parcela de terreno demarcada e assinalada com a letra «B» na planta cadastral acima identificada, com a área de 10 m2 (dez metros quadrados) e com o valor atribuído de $ 10 000,00 (dez mil patacas), a desanexar do terreno referido na alínea anterior, que se destina a integrar o domínio público do Estado, como via pública.
2. A concessão do terreno, agora com a área de 169 m2 (cento e sessenta e nove metros quadrados), demarcado e assinalado com a letra «A» na planta acima referida, de ora em diante designado, simplesmente, por terreno, passa a reger-se pelas cláusulas do presente contrato.
Cláusula segunda — Reaproveitamento do terreno e finalidade da concessão
1. Em conformidade com os usos de solos aí permitidos, designadamente o habitacional, o terreno é reaproveitado com a construção de um edifício, em regime de propriedade horizontal, compreendendo 6 (seis) pisos, sendo 1 (um) piso em cave, afectado às seguintes finalidades de utilização:
1) Habitação: com a área bruta de construção de 643 m2;
2) Comércio: com a área bruta de construção de 275 m2.
2. As áreas referidas no n.º 1 podem ser sujeitas a eventuais rectificações no momento do pedido de vistoria de obra, para efeito de emissão da licença de utilização.
3. A segunda outorgante é obrigada a submeter-se às prescrições do plano urbanístico que vigore na zona onde o terreno se situa.
Cláusula terceira — Preço do domínio útil e foro
1. O preço do domínio útil do terreno é actualizado para $ 21 110,00 (vinte e uma mil, cento e dez patacas).
2. O preço actualizado do domínio útil, estipulado no número anterior, é pago integralmente e de uma só vez, aquando da aceitação das condições do presente contrato, a que se refere o artigo 125.º da Lei n.º 10/2013.
3. O foro anual a pagar é actualizado para $ 101,00 (cento e uma patacas).
4. O não pagamento pontual do foro determina a cobrança coerciva nos termos do processo de execução fiscal.
Cláusula quarta – Prazo de reaproveitamento
1. O reaproveitamento do terreno deve operar-se no prazo global de 42 (quarenta e dois) meses, contados a partir da publicação no Boletim Oficial da Região Administrativa Especial de Macau do despacho que titula a presente revisão de concessão.
2. O prazo referido no número anterior inclui os prazos para a apresentação, pela segunda outorgante, e apreciação, pela primeira outorgante, do projecto de obra e para a emissão das respectivas licenças.
3. A segunda outorgante deve observar os seguintes prazos:
1) 180 (cento e oitenta) dias, contados da data da publicação do despacho mencionado no n.º 1, para a elaboração e apresentação do projecto de obra (projectos de fundações, estruturas, águas, esgotos, electricidade e demais projectos de especialidade);
2) 60 (sessenta) dias, contados da data da notificação da aprovação do projecto da obra, para a apresentação do pedido de emissão da licença de obras;
3) 15 (quinze) dias, contados da data de emissão da licença de obras, para a apresentação do pedido de início da obra.
4. Para efeitos do disposto no número anterior, os projectos só se consideram efectivamente apresentados, quando completa e devidamente instruídos com todos os elementos.
5. A requerimento da segunda outorgante, qualquer dos prazos referidos na presente cláusula pode ser suspenso ou prorrogado por autorização da primeira outorgante, por motivo não imputável à segunda outorgante e que a primeira outorgante considere justificativo.
6. O pedido referido no número anterior tem de ser apresentado antes do termo do respectivo prazo.
Cláusula quinta — Encargos especiais
Constituem encargos especiais, a suportar exclusivamente pela segunda outorgante, a desocupação do terreno demarcado e assinalado com as letras «A» e «B» na planta n.º 6 454/2006, emitida pela DSCC, em 18 de Novembro de 2021, e remoção do mesmo de todas as construções, materiais e infra-estruturas, porventura, aí existentes.
Cláusula sexta — Multa
1. Pelo incumprimento de qualquer um dos prazos fixados na cláusula quarta, a segunda outorgante fica sujeita a multa no montante correspondente a 0,1% (zero vírgula um por cento) do prémio por cada dia de atraso, até 150 (cento e cinquenta) dias.
2. A segunda outorgante fica exonerada da responsabilidade referida no número anterior no caso da primeira outorgante ter autorizado a suspensão ou a prorrogação do prazo de reaproveitamento, por motivo não imputável à segunda outorgante e considerado justificativo pela primeira outorgante.
Cláusula sétima — Prémio do contrato
Por força da presente revisão do contrato de concessão, a segunda outorgante paga à primeira outorgante, a título de prémio do contrato, o montante de $ 5 102 350,00 (cinco milhões, cento e duas mil, trezentas e cinquenta patacas) integralmente e de uma só vez, aquando da aceitação das condições do presente contrato, a que se refere o artigo 125.º da Lei n.º 10/2013.
Cláusula oitava — Transmissão
1. A transmissão de situações decorrentes desta concessão, enquanto o terreno não estiver integralmente reaproveitado, depende de prévia autorização da primeira outorgante, sob pena de nulidade e de nenhum efeito, sem prejuízo do disposto na cláusula décima segunda.
2. Para efeitos do disposto no número anterior, também se considera equivalente à transmissão de situações resultantes da presente concessão:
1) A transmissão, por uma ou várias vezes em acumulação, superior a 50% (cinquenta por cento) do capital social da segunda outorgante ou do capital social do seu sócio dominante;
2) A constituição de procuração ou substabelecimento que confira ao procurador poderes para a prática de todos os actos no procedimento ou a disposição das situações resultantes da concessão e que seja irrevogável sem o acordo do interessado, nos termos do n.º 3 do artigo 258.º do Código Civil.
3. Sem prejuízo do disposto no número anterior, quando se verifique a transmissão superior a 10% (dez por cento) do capital da segunda outorgante ou do capital social do seu sócio dominante, estes devem comunicar o facto à DSSCU no prazo de 30 (trinta) dias a contar da sua ocorrência, sob pena de aplicação de multa no montante correspondente a 1% (um por cento) do prémio na primeira infracção e de devolução na segunda infracção.
4. A transmissão sujeita o transmissário à revisão das condições do presente contrato, designadamente das relativas ao prazo de reaproveitamento e ao pagamento do prémio adicional.
5. Antes da conclusão do reaproveitamento, a segunda outorgante só pode constituir hipoteca voluntária sobre o direito resultante da concessão a favor de instituições de crédito legalmente autorizadas a exercer actividade na Região Administrativa Especial de Macau, nos termos do disposto no n.º 5 do artigo 42.º da Lei n.º 10/2013.
6. A hipoteca constituída em violação do disposto no número anterior é nula.
Cláusula nona — Licença de utilização
A licença de utilização apenas é emitida desde que as multas, se as houver, estejam pagas.
Cláusula décima — Fiscalização
Durante o período de reaproveitamento do terreno concedido, a segunda outorgante obriga-se a franquear o acesso ao mesmo e às obras aos representantes dos Serviços da Administração, que aí se desloquem no desempenho da sua acção fiscalizadora, prestando-lhes toda a assistência e meios para o bom desempenho da sua função.
Cláusula décima primeira — Caducidade
1. A presente concessão caduca nos seguintes casos:
1) Não conclusão do reaproveitamento, decorrido o prazo de 150 (cento e cinquenta) dias, previsto no n.º 1 da cláusula sexta, independentemente de ter sido aplicada ou não a multa;
2) Suspensão, consecutiva ou intercalada, do reaproveitamento do terreno por prazo superior a 90 (noventa) dias, salvo por motivo não imputável à segunda outorgante e que a primeira outorgante considere justificativo.
2. A caducidade da concessão é declarada por despacho do Chefe do Executivo, a publicar no Boletim Oficial da Região Administrativa Especial de Macau.
3. A caducidade da concessão determina a reversão para a primeira outorgante dos prémios pagos e de todas as benfeitorias por qualquer forma incorporadas no terreno, sem direito a qualquer indemnização ou compensação por parte da segunda outorgante, sem prejuízo da cobrança pela primeira outorgante, dos foros em dívida e das eventuais multas ainda não pagas.
4. Sem prejuízo do disposto no número anterior, no caso de declaração da caducidade da concessão, revertem para a primeira outorgante tantos vigésimos do respectivo preço do domínio útil quantos os anos em que o terreno esteve na posse da segunda outorgante sem reaproveitamento, sendo-lhe restituído o remanescente do preço.
Cláusula décima segunda — Devolução do terreno
1. A primeira outorgante pode declarar a devolução do terreno quando se verifique qualquer dos seguintes factos:
1) Alteração não autorizada da finalidade de concessão ou da modificação do reaproveitamento do terreno;
2) Incumprimento das obrigações estabelecidas na cláusula quinta;
3) Transmissão, sem autorização prévia, das situações resultantes da concessão, com violação do disposto no n.º 1 da cláusula oitava;
4) Segunda infracção ao disposto no n.º 3 da cláusula oitava;
5) Quando a utilização do terreno se afaste dos fins para que foi concedido ou estes não estejam, em qualquer momento, a ser prosseguidos;
6) Quando, no seguimento de alteração do planeamento urbanístico que implique a impossibilidade de iniciar ou continuar o reaproveitamento do terreno, se verifique qualquer uma das situações referidas no n.º 2 do artigo 140.º da Lei n.º 10/2013;
7) Subaforamento.
2. A devolução do terreno é declarada por despacho do Chefe do Executivo, a publicar no Boletim Oficial da Região Administrativa Especial de Macau.
3. A declaração de devolução do terreno produz os seguintes efeitos:
1) Extinção do domínio útil do terreno;
2) Reversão para a primeira outorgante dos prémios e do preço do domínio útil pagos, bem como de todas as benfeitorias por qualquer forma incorporadas no terreno, tendo o concessionário direito à indemnização a fixar por aquela.
4. A devolução do terreno nos termos da presente cláusula não prejudica a cobrança dos foros em dívida e das eventuais multas ainda não pagas.
5. No caso de devolução com fundamento na alínea 6) do n.º 1 da presente cláusula, a segunda outorgante tem direito à indemnização prevista nos n.os 5 e 6 do artigo 140.º da Lei n.º 10/2013.
Cláusula décima terceira — Foro competente
Para efeitos de resolução de qualquer litígio emergente do presente contrato, o foro competente é o da Região Administrativa Especial de Macau.
Cláusula décima quarta — Legislação aplicável
O presente contrato rege-se, nos casos omissos, pela Lei n.º 10/2013 e demais legislação aplicável.
———
Gabinete do Secretário para os Transportes e Obras Públicas, aos 21 de Fevereiro de 2023. — A Chefe do Gabinete, Cheong Chui Ling.





