澳 門 特 別 行 政 區
運輸工務司司長辦公室
| 相關法規 : | |||
| 相關類別 : | |||
| 私營機構 : | |||
| 《LegisMac》的法例註釋 | |||
第6/2023號運輸工務司司長批示
運輸工務司司長行使《澳門特別行政區基本法》第六十四條賦予的職權,並根據澳門電力股份有限公司章程第十八條第四款和第三十條、三月二日第13/92/M號法令第二條第一款和第二款以及第184/2019號行政命令第一款的規定,作出本批示。
一、續任林香生為澳門電力股份有限公司董事會成員,任期遵照有關章程規定。
二、執行上指職務的報酬由該公司股東大會選出之委員會按章程訂定。
二零二三年三月一日
運輸工務司司長 羅立文
|
| |||||||||||
| 相關法規 : | |||
| 相關類別 : | |||
| 《LegisMac》的法例註釋 | |||
第7/2023號運輸工務司司長批示
運輸工務司司長行使《澳門特別行政區基本法》第六十四條賦予的職權,並根據第10/2013號法律《土地法》第三十八條(二)項、第五十五條第二款(一)項(1)分項及第一百三十八條第二款的規定,作出本批示。
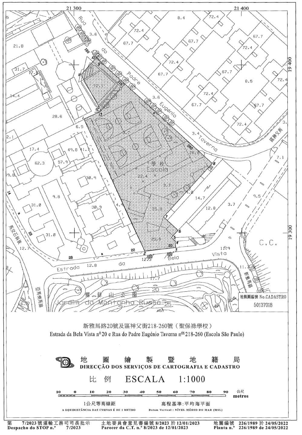
一、根據本批示組成部分的附件合同所載規定及條件,以租賃及豁免公開招標方式無償批出一幅面積4,103平方米,位於澳門半島新雅馬路20號及區神父街218至260號的土地,用作保留建有的聖保祿學校,以實施正規教育並納入免費教育學校系統。
二、本批示即時生效。
二零二三年三月一日
運輸工務司司長 羅立文
附件
(土地工務局第2117.03號案卷及土地委員會第49/2022號案卷)
合同協議方:
甲方——澳門特別行政區;及
乙方——天主教澳門教區。
鑒於:
一、透過公佈於二零二一年十月十三日第四十一期《澳門特別行政區公報》第二組的第27/2021號運輸工務司司長批示,公佈了運輸工務司司長二零二一年八月二十日批示,宣告一幅以租賃及豁免公開招標方式無償批出,面積4,103平方米,位於澳門半島新雅馬路20號及區神父街218至260號,標示於物業登記局B147M冊第197頁第22640號的土地批給失效,由於其批給有效期已屆滿而消滅,且承批人沒有及時提出批給續期的申請。
二、天主教澳門教區,為行政公益法人,登記於身份證明局第1159號,總辦事處設於澳門大堂前地主教公署,於二零一九年十月十八日向行政長官提出申請,請求以租賃方式無償批出上述土地,用作保留其上建有的屬教育設施用途的聖保祿學校。
三、根據第10/2013號法律第一百一十八條第三款及第四款的規定公佈有關批給的申請並取得權限部門的意見,尤其是教育及青年發展局發表的同意意見後,土地工務局考慮到該申請具備條件獲批准,因根據第10/2013號法律《土地法》第三十八條(二)項的規定,申請人具正當性取得所要求的無償批給,旨在保留該土地上現有的私立學校設施,以實施正規教育並納入免費教育學校系統,亦符合該法律第五十五條第二款(一)項(1)分項所指的情況。
四、本批給標的土地的面積為4,103平方米,在地圖繪製暨地籍局於二零二二年五月二十四日發出的第226/1989號地籍圖中定界。
五、案卷按一般程序送交土地委員會,該委員會於二零二三年一月十二日舉行會議,同意批准有關申請。
六、運輸工務司司長透過行使第184/2019號行政命令第一款授予的執行權限作出二零二三年二月一日批示,根據土地委員會意見書上的建議,批准以租賃及豁免公開招標方式無償批出上述土地。
七、已將以本批示作為憑證的合同條件通知申請人。該申請人透過於二零二三年二月二十日遞交由李斌生主教,男性,未婚,成年,居於澳門大堂前地主教公署,代表天主教澳門教區簽署的聲明書,明確表示接納有關條件。按照載於該聲明書上的確認,其身分及權力已經私人公證員Artur dos Santos Robarts核實。
第一條款——合同標的
本合同標的為以租賃制度及豁免公開招標方式,無償批給乙方一幅位於澳門半島,新雅馬路20號及區神父街218至260號,面積為4,103(肆仟壹佰零叁)平方米,標示於物業登記局B147M冊第197頁第22640號,在地圖繪製暨地籍局於二零二二年五月二十四日發出的第226/1989號地籍圖中定界及標示的土地,其批給由本合同的條款規範。
第二條款——租賃期間
1. 租賃的有效期為25(貳拾伍)年,由作為本批給憑證的批示在《澳門特別行政區公報》公佈之日起計。
2. 上款所訂定的租賃期間可按照適用法例連續續期。
3. 乙方須於批給期或其後的續期屆滿前九個月至六個月的期間提出續期申請。
第三條款——土地的利用及批給用途
1. 根據該土地容許的用途,尤其是公用設施的用途,土地利用作保留一所納入免費教育學校系統的正規教育私立學校之已建六層高學校大樓及其他相關的輔助設施。
2. 不得將土地的批給用途作任何更改。
3. 無償批給不可轉換為有償批給。
第四條款——移轉
乙方不得對批給所衍生的權利設定負擔尤其是進行抵押或將之移轉。
第五條款——解除
1. 倘發生下列任一事實,本批給可被解除:
1)如乙方的法律狀況改變而不再具正當性獲無償批給,且已改變的法律狀況持續超過一年;
2)未經同意而修改批給用途或更改土地的利用;
3)違反第四條款的規定,將批給所衍生的狀況設定負擔尤其是進行抵押或將之移轉;
4)土地的使用偏離批給目的,尤其是土地不再用作納入免費教育學校系統的正規教育學校;
5)轉租賃。
2. 批給的解除由行政長官以批示宣告,並在《澳門特別行政區公報》公佈。
3. 批給被解除後,導致以任何方式已在土地上作出的一切改善物歸甲方所有,乙方無權獲得任何賠償或補償。
第六條款——有權限法院
澳門特別行政區法院為有權解決由本合同所產生任何爭訟的法院。
第七條款——適用法例
如有遺漏,本合同以第10/2013號法律和其他適用法例規範。
———
二零二三年三月一日於運輸工務司司長辦公室
辦公室主任 張翠玲





