澳 門 特 別 行 政 區
運輸工務司司長辦公室
|
| |||||||||||
| 相關法規 : | |||
| 相關類別 : | |||
| 《LegisMac》的法例註釋 | |||
第20/2023號運輸工務司司長批示
運輸工務司司長行使《澳門特別行政區基本法》第六十四條賦予的職權,並根據第10/2013號法律《土地法》第一百三十九條的規定,作出本批示。
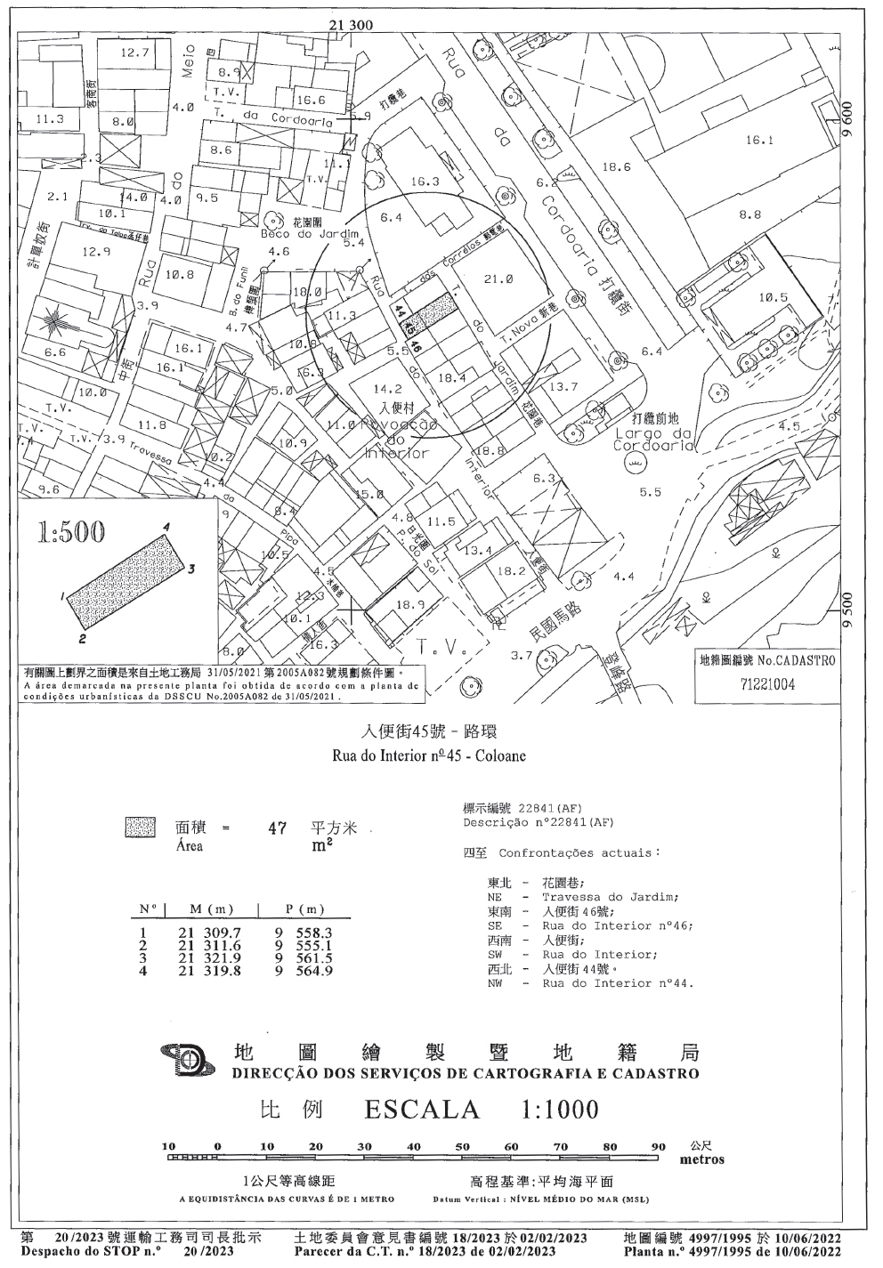
一、根據本批示組成部分的附件合同所載規定及條件,修改一幅以長期租借方式批出,面積47平方米,位於路環島,其上建有入便街45號都市樓宇,標示於物業登記局第22841號的土地的批給,用作興建一幢屬單一所有權制度,樓高三層,作住宅用途的樓宇。
二、本批示即時生效。
二零二三年五月十一日
運輸工務司司長 羅立文
———
附件
(土地工務局第8258.02號案卷及土地委員會第3/2023號案卷)
合同協議方:
甲方——澳門特別行政區;及
乙方——李漢榮及其配偶王淑卿。
鑒於:
一、李漢榮及其配偶王淑卿,以取得共同財產制結婚,通訊處位於澳門羅理基博士大馬路600-E號,第一國際商業中心7樓708室,根據以其名義作出的第122385G號登錄,該等人士為一幅面積47平方米,位於路環島,其上建有入便街45號都市樓宇,並標示於物業登記局第22841號的土地的利用權持有人。
二、上述批給由公佈於一九九九年三月三日第九期《澳門政府公報》第二組的第10/SATOP/99號批示作為憑證以完善長期租借方式批給的合同所規範。根據第30261F號登錄,該批給已在物業登記局登記。
三、承批人於二零二二年五月六日向土地工務局遞交建築工程修改計劃,以便重新利用該土地興建一幢屬單一所有權制度,樓高三層,作住宅用途的樓宇。有關用途符合在發出該土地的規劃條件圖中所容許的土地用途及經第7/2022號行政法規核准的《澳門特別行政區城市總體規劃》。根據該局城市建設廳廳長於二零二二年九月十六日所作的批示,該計劃被視為可予核准,但須遵守某些技術要件。
四、然而,承批人於二零二二年六月十六日根據第10/2013號法律《土地法》第一百三十九條的規定,請求批准按照該計劃更改土地的利用及修改批給合同。
五、在集齊組成案卷所需的文件後,土地工務局計算了應得的回報,並制訂修改批給的合同擬本,該擬本已獲承批人於二零二三年一月十三日遞交的聲明書表示同意。
六、合同標的土地的面積為47平方米,在地圖繪製暨地籍局於二零二二年六月十日發出的第4997/1995號的地籍圖中定界及標示。
七、案卷按一般程序送交土地委員會,該委員會於二零二三年二月二日舉行會議,對批准申請發表贊同意見。
八、運輸工務司司長透過行使第184/2019號行政命令第一款授予的執行權限作出二零二三年二月十日批示,根據土地委員會意見書上的建議,批准修改批給的申請。
九、已將由本批示作為憑證的修改批給合同條件通知承批人。承批人透過於二零二三年二月二十日遞交的聲明書,明確表示接納有關條件。
十、承批人已繳付以本批示作為憑證的合同第三條款第一款所訂定的經調整的利用權價金及第七條款所規定的溢價金。
第一條款——合同標的
1. 本合同標的為修改一幅以長期租借制度批出,面積47(肆拾柒)平方米,位於路環島,其上建有入便街45號樓宇,在地圖繪製暨地籍局於二零二二年六月十日發出的第4997/1995號地籍圖中定界及標示,並標示於物業登記局第22841號,其利用權以乙方名義登錄於第122385G號的土地的批給。
2. 鑒於是次修改,上款所述土地,以下簡稱為土地,其批給轉由本合同的條款規範。
第二條款——土地的重新利用及批給用途
1. 根據該土地容許的用途,尤其是居住用途,土地重新利用作興建一幢屬單一所有權制度,樓高3(叁)層,建築面積為147(壹佰肆拾柒)平方米的住宅用途樓宇。
2. 上款所述面積可在申請工程檢驗時作修改,以便發出使用准照。
3. 乙方須遵守土地所在地區內生效的城市規劃的規定。
第三條款——利用權價金及地租
1. 土地的利用權價金調整為$11,760.00(澳門元壹萬壹仟柒佰陸拾圓整)。
2. 當乙方按照第10/2013號法律第一百二十五條的規定接受本合同條件時,須一次性全數繳付上款訂定的經調整後的利用權價金。
3. 每年繳付的地租調整為$101.00(澳門元壹佰零壹圓整)。
4. 不準時繳付地租,將按照稅務執行程序的規定進行強制徵收。
第四條款——重新利用的期間
1. 土地重新利用的總期間為36(叁拾陸)個月,由作為本修改批給憑證的批示在《澳門特別行政區公報》公佈之日起計。
2. 上款所述的期間包括乙方遞交工程計劃、甲方審議該計劃及發出有關准照的時間。
3. 乙方應遵守以下期間:
1)由第1款所指的批示公佈之日起計180(壹佰捌拾)日內,編製和遞交工程計劃(地基、結構、供水、排水、供電和其他專業計劃);
2)由通知工程計劃獲核准之日起計60(陸拾)日內,遞交發出工程准照的申請書;
3)由發出工程准照之日起計15(拾伍)日內,遞交動工申請書。
4. 為適用上款的規定,計劃須完整及適當備齊所有資料,方視為確實完成遞交。
5. 如基於不可歸責於乙方且甲方認為充分的理由,則應乙方的申請,甲方可批准中止或延長本條款所指的任一期間。
6. 上款所指的申請須於相關期間屆滿前提出。
第五條款——特別負擔
由乙方獨力承擔的特別負擔為騰空在地圖繪製暨地籍局於二零二二年六月十日發出的第4997/1995號地籍圖中定界及標示的土地,並移走其上倘有的全部建築物、物料及基礎設施。
第六條款——罰款
1. 基於乙方不遵守第四條款所訂的任一期間,每逾期一日,處以相當於溢價金0.1%(百分之零點一)的罰款,並以150(壹佰伍拾)日為限。
2. 基於不可歸責於乙方且為甲方認為充分的理由而批准中止或延長重新利用期間者,則免除乙方承擔上款所指的責任。
第七條款——合同溢價金
基於本次批給合同修改,當乙方按照第10/2013號法律第一百二十五條的規定接受本合同的條件時,須向甲方一次性全數繳付金額為$619,174.00(澳門元陸拾壹萬玖仟壹佰柒拾肆圓整)的合同溢價金。
第八條款——移轉
1. 倘土地未被完全重新利用而將本批給所衍生的狀況移轉,須事先獲得甲方的許可,否則將導致該項移轉無效及不產生任何效力,且不影響第十二條款之規定。
2. 為適用上款的規定,按《民法典》第二百五十八條第三款的規定,設定未經利害關係人同意不可廢止的授權書或複授權書,且該等授權書賦予受權人對批給所衍生狀況的處分權或在程序中作出所有行為時,亦視為移轉本批給所衍生的狀況。
3. 受移轉人須受本合同修改後的條件約束,尤其有關重新利用的期間及附加溢價金的支付方面。
4. 在完成重新利用前,按照第10/2013號法律第四十二條第五款的規定,乙方僅可將批給所衍生的權利向依法獲許可在澳門特別行政區經營的信貸機構作意定抵押。
5. 違反上款的規定而作出的抵押均屬無效。
第九條款——使用准照
使用准照僅在清繳倘有的罰款後,方予發出。
第十條款——監督
在批出土地的重新利用期間,乙方必須准許行政當局有關部門執行監督工作的代表進入土地及施工範圍,並向代表提供一切所需的協助,使其有效地執行任務。
第十一條款——失效
1. 本批給在下列情況下失效:
1)第六條款第1款規定的150(壹佰伍拾)日期間屆滿後仍未完成重新利用,且不論之前曾否被科處罰款;
2)連續或間斷中止重新利用土地超過90(玖拾)日,但有不可歸責於乙方且甲方認為充分的理由除外。
2. 批給的失效由行政長官以批示宣告,並在《澳門特別行政區公報》公佈。
3. 批給的失效導致已繳付的溢價金及以任何方式已在土地上作出的一切改善物歸甲方所有,乙方無權獲得任何賠償或補償,且不影響甲方有權徵收所欠繳的地租或倘有的罰款。
4. 在不影響上款的規定下,如宣告本批給失效,乙方佔有土地而不加重新利用的年數乘以有關利用權價金的二十分之一的款項歸甲方所有,而該價金的餘額退還予乙方。
第十二條款——土地的收回
1. 倘發生下列任一事實時,甲方可宣告收回土地:
1)未經批准而修改批給用途或更改土地的重新利用;
2)不履行第五條款訂定的義務;
3)違反第八條款第1款的規定,未經預先許可將批給所衍生的狀況移轉;
4)土地的使用偏離批給目的,或該等目的從未實現;
5)當城市規劃變動後而無法開始或繼續對土地進行重新利用,且出現第10/2013號法律第一百四十條第二款所指的任一情況;
6)將長期租借轉租。
2. 土地的收回由行政長官以批示宣告,並在《澳門特別行政區公報》公佈。
3. 土地收回的宣告將產生以下效力:
1)土地的利用權消滅;
2)已繳付的溢價金、利用權價金及以任何方式已在土地上作出的一切改善物歸甲方所有,承批人有權收取由甲方訂定的賠償。
4. 本條款規定的土地的收回,不影響甲方有權徵收所欠繳的地租及倘有的罰款。
5. 如基於本條款第1款5)項的規定收回土地,則乙方有權獲得第10/2013號法律第一百四十條第五款和第六款規定的賠償。
第十三條款——有權限法院
澳門特別行政區法院為有權解決由本合同所產生的任何爭訟的法院。
第十四條款——適用法例
如有遺漏,本合同以第10/2013號法律和其他適用法例規範。
———
二零二三年五月十二日於運輸工務司司長辦公室
辦公室主任 張翠玲




