REGIÃO ADMINISTRATIVA ESPECIAL DE MACAU
GABINETE DO SECRETÁRIO PARA OS TRANSPORTES E OBRAS PÚBLICAS
|
| |||||||||||
| Diplomas relacionados : | |||
| Categorias relacionadas : | |||
| Ent. Privadas relacionadas : | |||
| Notas em LegisMac | |||
Despacho do Secretário para os Transportes e Obras Públicas n.º 12/2024
Usando da faculdade conferida pelo artigo 64.º da Lei Básica da Região Administrativa Especial de Macau e nos termos do n.º 2 do artigo 8.º, da alínea 3) do artigo 39.º, da subalínea (2) da alínea 1) do n.º 2 do artigo 55.º, do artigo 68.º e seguintes, todos da Lei n.º 10/2013 (Lei de Terras), o Secretário para os Transportes e Obras Públicas manda:
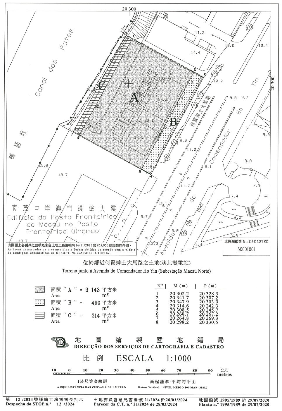
1. São integradas no domínio público do Estado três parcelas de terreno situadas na península de Macau, junto à Avenida do Comendador Ho Yin, respectivamente com as áreas de 3 143 m2, 490 m2 e 314 m2, das quais as primeiras duas fazem parte do terreno descrito na Conservatória do Registo Predial, doravante designada por CRP, sob o n.º 20 402 a fls. 87 do livro B44 e a última não se encontra descrita na CRP.
2. São concedidas, por uso privativo e com dispensa de concurso público, nos termos e condições constantes do contrato em anexo, que faz parte integrante do presente despacho, as três parcelas de terreno referidas no número anterior, para serem anexadas e constituírem um único lote com a área de 3947 m2, destinado à manutenção da subestação nela construída, em regime de propriedade única.
3. O presente despacho entra imediatamente em vigor.
5 de Junho de 2024.
O Secretário para os Transportes e Obras Públicas, Raimundo Arrais do Rosário.
———
ANEXO
(Processo n.º 784.03 da Direcção dos Serviços de Solos e Construção Urbana e Processo n.º 9/2024 da Comissão de Terras)
Contrato acordado entre:
A Região Administrativa Especial de Macau, como primeira outorgante; e
A Companhia de Electricidade de Macau – CEM, S.A., como segunda outorgante.
Considerando que:
1. A fim de permitir a importação de energia eléctrica do Interior da China para a Região Administrativa Especial de Macau, doravante designada por RAEM, e a distribuição da tensão eléctrica, bem como estabelecer uma gestão eficaz da rede eléctrica e satisfazer a procura de electricidade da Zona Norte de Macau, a “Companhia de Electricidade de Macau – CEM, S.A.”, doravante designada por CEM, com sede em Macau, na Estrada de D. Maria II, n.os 32 a 36, Edifício CEM, registada na Conservatória dos Registos Comercial e de Bens Móveis sob o n.º 590 (SO), por requerimento de 12 de Setembro de 2023, solicitou a concessão, por uso privativo e com dispensa de concurso público, de três parcelas de terreno situadas na península de Macau, junto à Avenida do Comendador Ho Yin, respectivamente com as áreas de 3 143 m2, 490 m2 e 314 m2, para serem anexadas e constituírem um único lote com a área de 3 947 m2, destinado a manter a subestação nele construída.
2. As referidas parcelas com as áreas de 3 143 m2 e 490 m2 fazem parte do terreno descrito na CRP sob o n.º 20 402 a fls. 87 do livro B44, inscrito a favor do Estado sob o n.º 258 502G. A parcela com a área de 314 m2 não se encontra descrita na CRP.
3. Atento os fins a que estas parcelas estão afectadas, importa proceder à sua integração no domínio público do Estado, nos termos do n.º 2 do artigo 8.º e do artigo 28.º da Lei n.º 10/2013 (Lei de terras), para poderem ser objecto de concessão de uso privativo.
4. Uma vez que, de acordo com o Plano Director da Região Administrativa Especial de Macau (2020-2024), aprovado pelo Regulamento Administrativo n.º 7/2022, o terreno se integra na zona de infra-estruturas públicas (categoria de uso do solo) e que a concessão do terreno se funda no interesse público, porquanto visa assegurar a continuidade do funcionamento de uma instalação afecta ao serviço público de fornecimento de energia eléctrica, satisfazendo assim uma necessidade colectiva, a DSSCU considerou que o pedido reúne condições para ser deferido, tendo elaborado a minuta do contrato de concessão.
5. O terreno objecto do contrato, com a área global de 3 947 m2, encontra-se demarcado e assinalado com as letras “A”, “B” e “C”, respectivamente com as áreas de 3 143 m2, 490 m2 e 314 m2, na planta n.º 1995/1989, emitida pela Direcção dos Serviços de Cartografia e Cadastro, doravante designada por DSCC, em 29 de Julho de 2020.
6. O procedimento seguiu a sua tramitação normal, tendo o processo sido enviado à Comissão de Terras que, reunida em 28 de Março de 2024, emitiu parecer favorável à afectação do terreno ao domínio público do Estado e ao deferimento do pedido de concessão.
7. Por despacho do Secretário para os Transportes e Obras Públicas de 12 de Abril de 2024, proferido no uso das competências executivas delegadas pelo n.º 1 da Ordem Executiva n.º 184/2019, foi deferido o pedido de concessão, de acordo com o proposto no parecer da Comissão de Terras.
8. As condições do contrato titulado pelo presente despacho foram notificadas à requerente e por esta expressamente aceites, conforme declaração apresentada em 29 de Abril de 2024, assinada por Leong Wa Kun e Zhang Jian, ambos casados, com domicílio em Macau, na Estrada de D. Maria II, n.º 32 a 36, Edifício CEM, na qualidade de membros da Comissão Executiva e em representação da “Companhia de Electricidade de Macau - CEM, S.A.”, qualidade e poder verificados pelo notário privado Frederico Rato, conforme reconhecimento exarado naquela declaração.
9. A requerente pagou a taxa anual fixada no n.º 1 da cláusula quarta e prestou a caução estipulada na alínea 1) da cláusula sétima do contrato titulado pelo presente despacho.
Cláusula primeira – Objecto do contrato
1. Constitui objecto do presente contrato a concessão, por uso privativo e com dispensa de concurso público, a favor da segunda outorgante, de três parcelas de terreno situadas na península de Macau, junto à Avenida do Comendador Ho Yin, com as áreas de 3 143 m2 (três mil e cento e quarenta e três metros quadrados), 490 m2 (quatrocentos e noventa metros quadrados) e 314 m2 (trezentos e catorze metros quadrados), demarcadas e assinaladas, respectivamente, com as letras “A”, “B” e “C” na referida planta n.º 1 995/1989, emitida pela DSCC em 29 de Julho de 2020, que faz parte integrante do presente contrato, das quais as primeiras duas fazem parte do prédio descrito na CRP sob o n.º 20 402 a fls. 87 do livro 44 e a última não se encontra descrita na CRP.
2. A parcela de terreno identificada pela letra “C” destina-se a ser anexada às parcelas de terreno identificadas pelas letras “A” e “B”, em ordem a constituir um único lote com a área de 3 947 m2 (três mil e novecentos e quarenta e sete metros quadrados), de ora em diante designado, simplesmente, por terreno, e cuja concessão passa a reger-se pelas cláusulas do presente contrato.
Cláusula segunda – Prazo da concessão de uso privativo
1. A concessão de uso privativo é válida pelo prazo de 15 (quinze) anos, contados a partir da data da publicação no Boletim Oficial da Região Administrativa Especial de Macau do despacho que titula a presente concessão, sem prejuízo do disposto na cláusula décima quinta.
2. Se se comprovar pelos documentos que instruem o pedido de renovação da concessão que a segunda outorgante continua a preencher os requisitos previstos para a concessão, a primeira outorgante pode autorizar a renovação da concessão.
3. O requerimento de renovação da concessão deve ser apresentado no período entre um ano e seis meses antes do fim do prazo da concessão ou sucessivas renovações.
Cláusula terceira – Aproveitamento do terreno e finalidade da concessão
1. Em conformidade com os usos de solos aí permitidos, designadamente o de infra-estruturas públicas, o terreno destina-se a manter a subestação nele construída, em regime de propriedade única, afectada às seguintes finalidades de utilização:
1) Instalação de fornecimento de energia eléctrica: com a área bruta de construção de 5 399 m²;
2) Espaço livre: com a área de 2 412 m²;
3) Estacionamento ao ar livre: com a área de 73 m².
2. As áreas referidas no número anterior podem ser sujeitas a eventuais rectificações, no momento do pedido de vistoria de obra, para efeito de emissão da licença de utilização.
3. A segunda outorgante é obrigada a submeter-se às prescrições do plano urbanístico que vigore na zona onde o terreno se situa.
4. É proibido a alteração da finalidade da concessão, salvo quando se verifiquem alterações necessárias, decorrentes da entrada em vigor de um novo plano urbanístico ou da sua alteração, ou da repristinação de um plano urbanístico anteriormente revogado.
Cláusula quarta – Taxa
1. A segunda outorgante paga a taxa anual no montante global de $ 2 004 430,00 (dois milhões e quatro mil, quatrocentas e trinta patacas).
2. A taxa referida no número anterior pode ser actualizada na renovação da concessão, sem prejuízo da aplicação imediata de novos montantes de taxa estabelecidos por legislação que, durante a vigência do contrato, venha a ser publicada.
Cláusula quinta – Prazo para conclusão de aproveitamento
1. É fixado um prazo global de 18 (dezoito) meses, contados a partir da publicação no Boletim Oficial da Região Administrativa Especial de Macau do despacho que titula a presente concessão, para cumprimento das formalidades relativas à emissão da licença de utilização.
2. A requerimento da segunda outorgante, o prazo referido no número anterior pode ser suspenso ou prorrogado por autorização da primeira outorgante, por motivo não imputável à segunda outorgante e que a primeira outorgante considere justificativo.
3. O pedido referido no número anterior tem de ser apresentado antes do termo do respectivo prazo.
Cláusula sexta – Multa
1. Pelo incumprimento de qualquer um dos prazos fixados na cláusula quinta, a segunda outorgante fica sujeita a multa no montante correspondente $ 5 000,00 (cinco mil patacas) por cada dia de atraso, até 150 (cento e cinquenta) dias.
2. A segunda outorgante fica exonerada da responsabilidade referida no número anterior no caso da primeira outorgante ter autorizado a suspensão ou a prorrogação do prazo de aproveitamento, por motivo não imputável à segunda outorgante e considerado justificativo pela primeira outorgante.
Cláusula sétima – Caução
1. Nos termos do disposto no artigo 74.º da Lei n.º 10/2013, a segunda outorgante presta uma caução no valor de $ 2 004 430,00 (dois milhões e quatro mil, quatrocentas e trinta patacas), por meio de depósito ou garantia bancária aceite pela primeira outorgante.
2. O valor da caução, referida no número anterior, deve acompanhar sempre o valor da respectiva taxa anual.
3. A caução referida no n.º 1 será devolvida à segunda outorgante pela Direcção dos Serviços de Finanças, a pedido daquele, após a apresentação da licença de utilização emitida pela DSSCU.
Cláusula oitava – Transmissão
1. O direito da concessão não pode ser onerado, designadamente hipotecado, nem pode ser transmitido durante a concessão provisória.
2. Após o aproveitamento do terreno, a transmissão de situações decorrentes desta concessão depende de prévia autorização da primeira outorgante, sob pena de nulidade e de nenhum efeito, sem prejuízo do disposto na cláusula décima segunda.
3. Para efeitos do disposto no número anterior, também se considera equivalente à transmissão de situações resultantes da presente concessão:
1) A transmissão, por uma ou várias vezes em acumulação, superior a 50% (cinquenta por cento) do capital social da segunda outorgante ou do capital social do seu sócio dominante;
2) A constituição de procuração ou substabelecimento que confira ao procurador poderes para a prática de todos os actos no procedimento ou a disposição das situações resultantes da concessão e que seja irrevogável sem o acordo do interessado, nos termos do n.º 3 do artigo 258.º do Código Civil.
4. Sem prejuízo do disposto no número anterior, quando se verifique a transmissão superior a 10% (dez por cento) do capital da segunda outorgante ou do capital social do seu sócio dominante, este deve comunicar o facto à DSSCU no prazo de 30 (trinta) dias a contar da sua ocorrência, sob pena de aplicação de multa no montante correspondente a 1% (um por cento) da taxa na primeira infracção e de rescisão da concessão do terreno na segunda infracção.
5. A transmissão sujeita o transmissário à revisão das condições do presente contrato, designadamente da relativa taxa anual.
Cláusula nona – Licença de utilização
A licença de utilização apenas é emitida desde que as obrigações estabelecidas na cláusula terceira estejam cumpridas, e as multas, se as houver, estejam pagas.
Cláusula décima – Fiscalização
Durante o período de aproveitamento do terreno concedido, a segunda outorgante obriga-se a franquear o acesso ao mesmo e às obras aos representantes dos Serviços da Administração, que aí se desloquem no desempenho da sua acção fiscalizadora, prestando-lhes toda a assistência e meios para o bom desempenho da sua função.
Cláusula décima primeira – Caducidade
1. A presente concessão caduca nos seguintes casos:
1) Quando o aproveitamento não se concretize no prazo fixado no n.º 1 da cláusula quinta, salvo se o for por motivo não imputável à segunda outorgante e que a primeira outorgante considere justificativo;
2) Com o decurso do prazo inicial da concessão ou do prazo da sua renovação, se não for solicitada a renovação da concessão no prazo fixado no n.º 3 da cláusula segunda ou tal pedido não for autorizado;
3) Com a extinção da segunda outorgante;
4) Com a extinção da concessão de serviços públicos respeitantes às instalações incorporadas no terreno concedido.
2. A caducidade da concessão é declarada por despacho do Chefe do Executivo, a publicar no Boletim Oficial da Região Administrativa Especial de Macau.
3. A caducidade da concessão determina a reversão para a primeira outorgante das taxas pagas e de todas as benfeitorias por qualquer forma incorporadas no terreno, sem direito a qualquer indemnização ou compensação por parte da segunda outorgante, sem prejuízo da cobrança pela primeira outorgante das taxas vencidas e das eventuais multas ainda não pagas.
Cláusula décima segunda – Rescisão
1. A presente concessão pode ser rescindida quando se verifique qualquer dos seguintes factos:
1) Violação do disposto no n.º 4 da cláusula terceira;
2) Incumprimento da obrigação estabelecida na cláusula quarta;
3) Violação do disposto nos n.os 1 e 2 da cláusula oitava;
4) Segunda infracção ao disposto no n.º 4 da cláusula oitava;
5) Quando a utilização do terreno se afaste dos fins para que foi concedido ou estes não estejam, em qualquer momento, a ser prosseguidos;
6) Quando, no seguimento de alteração do planeamento urbanístico que implique a impossibilidade de iniciar ou continuar o aproveitamento do terreno, se verifique qualquer uma das situações referidas no n.º 2 do artigo 140.º da Lei n.º 10/2013;
7) Por motivo de interesse público, seja necessário afectar o terreno concedido à utilização pelo público ou a outras finalidades;
8) Subarrendamento.
2. A rescisão da concessão é declarada por despacho do Chefe do Executivo, a publicar no Boletim Oficial da Região Administrativa Especial de Macau.
3. Rescindida a concessão, revertem para a primeira outorgante as taxas pagas e todas as benfeitorias por qualquer forma incorporadas no terreno, não tendo a segunda outorgante direito a ser indemnizada ou compensada, salvo nas situações previstas nos n.os 5 e 6 do artigo 140.º, e n.º 4 do artigo 70.º da Lei n.º 10/2013, decorrentes da alteração do planeamento urbanístico.
Cláusula décima terceira – Extinção da concessão de serviço público
A extinção da concessão do serviço público de fornecimento de energia eléctrica na Região Administrativa Especial de Macau por qualquer das circunstâncias referidas no artigo 54.º da escritura pública de 3 de Novembro de 2010, lavrada a fls. 53 a 78 do livro 014A da Divisão de Notariado da Direcção dos Serviços de Finanças, determina a extinção da presente concessão e a consequente reversão para o Estado do terreno e das construções nele incorporadas, livre de ónus ou encargos, para a primeira outorgante, sem prejuízo dos demais efeitos previstos na mencionada escritura pública de 3 de Novembro de 2010.
Cláusula décima quarta – Foro competente
Para efeitos de resolução de qualquer litígio emergente do presente contrato, o foro competente é o da Região Administrativa Especial de Macau.
Cláusula décima quinta – Legislação aplicável
O presente contrato rege-se, nos casos omissos, pela Lei n.º 10/2013 e demais legislação aplicável.
Gabinete do Secretário para os Transportes e Obras Públicas, aos 5 de Junho de 2024. — A Chefe do Gabinete, Cheong Chui Ling.





